Botanik: Chinesische Wildbirne Pyrus calleryana *

Begonnen von Hans-Jürgen Koch, März 25, 2016, 10:37:35 VORMITTAG

Vorheriges Thema - Nächstes Thema

Hans-Jürgen Koch

Liebe Pflanzenfreunde,

die Pyrus calleryana ist eine bekannte Zierbirne und hat ihren Ursprung in Asien.
Sie wird auch Chinesische Wildbirne genannt.

Bild 01 Chinesische Wildbirne Pyrus calleryana

Foto: H.-J_Koch

In ihrer Wuchsform entwickelt diese Pflanze eine kegelförmige Krone und wird 7 - 9 Meter, unter günstigen Bedingungen 12 Meter hoch. Die wunderschönen weißen Blüten erblühen von April bis Mai und stehen mit 6 - 12 einzelnen Blüten in einer Gruppe zusammen. Später werden daraus kleine zierliche Früchte.  Die Früchte sind ungenießbar, kugelig bis länglich-rundlich, ca. 1 cm dick, grünlich-braun und wenig attraktiv.
Wenn der Baum etwas älter ist fängt die graubraune Rinde leicht an ab zu blättern.
Die Zweige sind dornenlos, haben einen mittelstarken Wuchs mit einem Jahresaustrieb von bis zu 30 cm.
Birnbaum Holz ist schwer und dauerhaft und gut polierbar. Da es sich gut färben lässt, nimmt man es als Ersatz für Ebenholz.
Das Holz ist hart, fein und rosa, es wird in China für Möbel und insbesondere für Stühle und Hocker verwendet.
Bild 02 Chinesische Wildbirne Pyrus calleryana



Spross, Querschnitt, Längsschnitt
Blattstiel, Querschnitt

Die Blätter sind wechselständig, eiförmig bis rundlich, kurz zugespitzt, 8-12 cm lang und bis 8 cm breit. Sie sind glänzend dunkelgrün und treibt früh aus. Die Herbstfärbung setzt oft erst Ende November ein.  Das Laub bleibt in kühleren, sonnenarmen Gebieten oftmals bis Dezember grün am Baum.

Systematik:
Familie Rosengewächse: (Rosaceae)
Unterfamilie: Spiraeoideae
Gattung: Pyrus  
Art: calleryana  
Wissenschaftlicher Name: Pyrus calleryana
Volkstümliche Bezeichnung: Stadtbirne / Zierbirne
Englischer Name: Callery Pear

Die Art ,,calleryana" wurde nach J. Callery, einem französischen Missionar benannt, der die Art, 1872 beschrieben und entdeckt hat. 1908 wurde die Chinesische Wildbirne von Ernest H. Wilson aus Hubei nach Europa gebracht.
Hubei ist eine Provinz der Volksrepublik China.
Die Verbreitung der Chinesischen Wildbirne reicht von Mittel- bis Süd-China, Vietnam, Japan (Honduras) und Korea.
Birnbäume sind anfällig gegen Birnengitterrost (Gymnosporangium fuscum).
Die Chinesische Wildbirne dagegen gilt als sehr gesund und resistent gegen Feuerbrand.
Feuerbrand ist eine gefährliche, durch das Bakterium Erwinia amylovora verursachte Pflanzenkrankheit. Sie befällt vor allem Kernobstgewächse und kann sich seuchenartig schnell ausbreiten. Für die Gesundheit des Menschen besteht keine Gefahr.
Die Pflanze sieht wie verbrannt aus (daher der Name ,,Feuerbrand").
Feuerbrand ist eine sogenannte meldepflichtige Quarantänekrankheit die bei dem zuständigen Pflanzenschutzamt gemeldet werden muss.

Meine Proben stammen aus dem Arboretum Schloss Erbhof Thedinghausen (Niedersachsen).

http://www.schloss-erbhof.de/


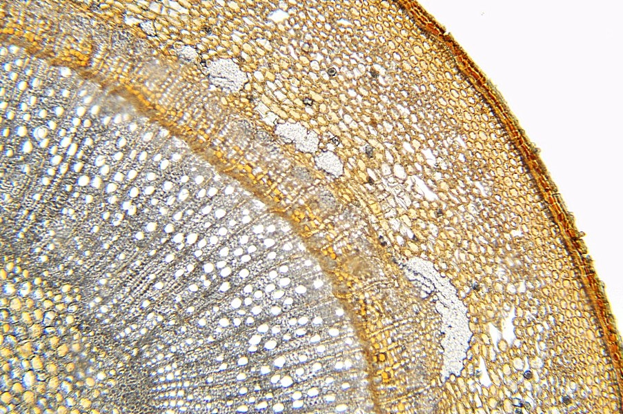
Teil 1: Zweijähriger Spross, Querschnitt, Schnittdicke: 25 Mikrometer

Beginnen möchte ich erst einmal mit 5 ungefärbten Schnitten (Bild 03 - Bild 07).

Bild 03 Ungefärbter Schnitt, Übersicht, Chinesische Wildbirne Pyrus calleryana


Bild 04 Ungefärbter Schnitt, Vergrößerung, Chinesische Wildbirne Pyrus calleryana


Bild 05 Ungefärbter Schnitt, Vergrößerung, Chinesische Wildbirne Pyrus calleryana


Bild 06 Ungefärbter Schnitt, Xylem mit Jahresringgrenze, Chinesische Wildbirne Pyrus calleryana


Bild 07 Ungefärbter Schnitt, Lentizelle, Chinesische Wildbirne Pyrus calleryana


Da die Schnitte schon eine kräftige Eigenfärbung zeigen, habe ich die Proben vom Spross mit Klorix - Bleichmittel aufgehellt.
1 Teil Natriumhypochlorit + 4 Teile Wasser.
Die in AFT III fixierten Schnitte werden in der Chlorbleichlauge zuerst dunkler, nach ca. 3 - 4 Minuten erfolgt die Aufhellung.

Bild 08 Aufhellung mit Chlorbleichlauge



3A-Färbung nach Wacker (Acridinrot-Acriflavin-Astrablau)

Arbeitsablauf :

1. Schnitte  liegen in 30 % Ethanol.
2. Aqua dest. 3x wechseln je 1 Minute.
3. Vorfärbung Acridinrotlösung  8 Min.
4. 1x auswaschen mit Aqua dest. .
5. Acriflavinlösung (differenzieren bis gerade keine Farbwolken mehr abgehen - Lupenkontrolle) ca. 15 Sekunden !!!.
6. 2 x auswaschen mit Aqua dest.
7. Nachfärbung Astrablaulösung  1 Minuten, 30 Sekunden.
Bei der Nachfärbung mit Astrablau eine Mischung aus Astrablau und Acriflavin im Verhältnis  4 : 1 verwendet (blau + gelb = grün).
8. Auswaschen mit Aqua dest. bis keine Farbstoffreste auf dem Objektträger verbleiben.
9. Entwässern mit 2x gewechseltem Isopropylalkohol ( 99,9 % ).
10. Als letzte Stufe vor dem Eindecken Xylol einsetzen.
11. Einschluss in Entellan

Ergebnis :
Zellwände blaugrün bis grün, verholzte Zellwände leuchtend rot, Zellwände der äußeren Hypodermis orangerot, Cuticula gelb, Zellwände der innenliegenden Hypodermis tiefrot.

Fotos: Nikon D5000


Bild 09 Übersicht, Chinesische Wildbirne Pyrus calleryana


Bild 10 Vergrößerung, Chinesische Wildbirne Pyrus calleryana


Bild 11 Vergrößerung, Chinesische Wildbirne Pyrus calleryana


Bild 12 Vergrößerung mit Beschriftung, Chinesische Wildbirne Pyrus calleryana

XY = Xylem, T = Trachee, S = Strahl, PH = Phloem, SK = Sklenenchym - Inseln, ST = Steinzellen, EP = Epidermis, RP = Rindenparenchym, PE = Periderm


Bild 13 Steinzellen, Chinesische Wildbirne Pyrus calleryana


Bild 14 Auflicht – Fluoreszenzaufnahme, Chinesische Wildbirne Pyrus calleryana

Fluoreszenzaufnahmen mit Anregungswellenlänge RoyalBlue mit 455 nm, 3 Watt LED, Sperrfilter LP 520, Erregerfilter BP 436/10

Bild 15 Auflicht – Fluoreszenzaufnahme, Abschlussgewebe, Chinesische Wildbirne Pyrus calleryana

Fluoreszenzaufnahmen mit Anregungswellenlänge RoyalBlue mit 455 nm, 3 Watt LED, Sperrfilter LP 520, Erregerfilter BP 436/10

Teil 2: Junger Spross, Längsschnitt, Schnittdicke: 25 Mikrometer

Bild 16 Wenn die Schnittprobe leicht schräg aufgeklebt wird gleitet die Klinge besser durch das harte Holz.



Die Bilder 17 - 21 zeigen ungefärbte Längsschnitte.

Bild 17 Übersicht, Chinesische Wildbirne Pyrus calleryana


Bild 18 Vergrößerung, Chinesische Wildbirne Pyrus calleryana


Bild 19 Vergrößerung, Chinesische Wildbirne Pyrus calleryana


Bild 20 Vergrößerung, Chinesische Wildbirne Pyrus calleryana

Schraubengefäße mit Windungen verschiedener Weite.

Bild 21 Netzgefäße, Chinesische Wildbirne Pyrus calleryana


Bild 22 Übersicht, Chinesische Wildbirne Pyrus calleryana


Bild 23 Vergrößerung mit Beschriftung, Chinesische Wildbirne Pyrus calleryana

XY = Xylem, PH = Phloem, SK = Sklerenchym, RP = Rindenparenchym, PE = Periderm

Bild 24 Markparenchym, Chinesische Wildbirne Pyrus calleryana


Bild 25 Vergrößerung, Chinesische Wildbirne Pyrus calleryana


Bild 26 Markparenchym, Chinesische Wildbirne Pyrus calleryana


Bild 27, Auflicht – Fluoreszenzaufnahme, Chinesische Wildbirne Pyrus calleryana

Fluoreszenzaufnahmen mit Anregungswellenlänge RoyalBlue mit 455 nm, 3 Watt LED, Sperrfilter LP 520, Erregerfilter BP 436/10

Bild 28 Auflicht – Fluoreszenzaufnahme, Chinesische Wildbirne Pyrus calleryana

Fluoreszenzaufnahmen mit Anregungswellenlänge RoyalBlue mit 455 nm, 3 Watt LED, Sperrfilter LP 520, Erregerfilter BP 436/10

Bild 29 Auflicht – Fluoreszenzaufnahme, Chinesische Wildbirne Pyrus calleryana
[/URL
Fluoreszenzaufnahmen mit Anregungswellenlänge RoyalBlue mit 455 nm, 3 Watt LED, Sperrfilter LP 520, Erregerfilter BP 436/10

Bild 30 Auflicht – Fluoreszenzaufnahme, Chinesische Wildbirne Pyrus calleryana
[URL=http://www.directupload.net]

Vermutlich handelt es sich hier um eine Verletzung des Gewebes.
Fluoreszenzaufnahmen mit Anregungswellenlänge RoyalBlue mit 455 nm, 3 Watt LED, Sperrfilter LP 520, Erregerfilter BP 436/10

Holzpflanzen sind nicht in der Lage, im Rahmen einer Wundheilung totes Gewebe abzubauen und den Bereich der Verletzung mit neuem Gewebe aufzufüllen.
Daher bleibt den Pflanzen als Ausweg nur das Überwallen, d.h. ein kräftiges Wachstum des Kambiums über einer Wunde. Dadurch erfolgt ein Abschluss der verletzten Stelle durch den Aufbau von Wundholz (natürlicher Wundverschluss) und durch chemische Abschottung. Es handelt sich hierbei um eine Reaktion im lebenden Teil des Holzes, um Schadensbereiche von gesundem Holz abzugrenzen.

Teil 3: Blattstiel, Querschnitt, Schnittdicke: 15 Mikrometer

Die Bilder 31 - 34 zeigen wieder ungefärbte Schnitte. Die Schnitte vom Blattstiel sind nur 15 Mikrometer dick.

Bild 31 Übersicht, ungefärbter Schnitt, Chinesische Wildbirne Pyrus calleryana


Bild 32 Vergrößerung, ungefärbter Schnitt, Chinesische Wildbirne Pyrus calleryana


Bild 33 Vergrößerung, ungefärbter Schnitt, Chinesische Wildbirne Pyrus calleryana


Bild 34 Vergrößerung,  ungefärbter Schnitt, Chinesische Wildbirne Pyrus calleryana


Bild 35 Übersicht,  Chinesische Wildbirne Pyrus calleryana


Bild 36 Vergrößerung mit Beschriftung, Chinesische Wildbirne Pyrus calleryana

CU = Cuticula, SK = Sklerenchym, EP = Epidermis, PH = Phloem, XY = Xylem, NLB = Nebenleitbündel, HY = Hypodermis

Bild 37 Nebenleitbündel, Chinesische Wildbirne Pyrus calleryana


Bild 38 Vergrößerung, Chinesische Wildbirne Pyrus calleryana


Bild 39 Zentrales Leitbündel, Chinesische Wildbirne Pyrus calleryana


Bild 40 Auflicht – Fluoreszenzaufnahme, Chinesische Wildbirne Pyrus calleryana

Fluoreszenzaufnahmen mit Anregungswellenlänge RoyalBlue mit 455 nm, 3 Watt LED, Sperrfilter LP 520, Erregerfilter BP 436/10

Bild 41 Auflicht – Fluoreszenzaufnahme, Chinesische Wildbirne Pyrus calleryana

Fluoreszenzaufnahmen mit Anregungswellenlänge RoyalBlue mit 455 nm, 3 Watt LED, Sperrfilter LP 520, Erregerfilter BP 436/10


Quellenangaben und verwendete Literatur:

Wikipedia; Freie Enzyklopädie
Peter A. Schmidt/ Ulrich Hecker ,,Taschenlexikon der Gehölze", ISBN: 978-3-494-01448-7

Mit freundlichem Gruß

Hans-Jürgen
Plants are the true rulers - Pflanzen sind die wahren Herrscher.

<a href="http://www.mikroskopie-forum.de/index.php?topic=2650.0" target="_blank">Hier geht es zur Vorstellung</a>

Gerne per "Du"

Wutsdorff Peter

Guten Tag Hans-Jürgen,
als  botanischer  Laie bewundere ich trotzdem Deine tollen Bilder.
Bist Du von Haus aus Botaniker? Denn Deine Texte verraten ein sehr fundiertes Wissen.

Also meine Gratulation zu diesen wieder wunderbaren Bildern

Grüße vom Inschenör Peter von Lorsch an der Bergstraße

Hans-Jürgen Koch

Guten Tag Peter,

danke für Dein Interesse und das Lob.
Ich bin kein Botaniker, meine Frau und ich betreiben einen kleinen Friseurbetrieb.

Gruß

Hans-Jürgen
Plants are the true rulers - Pflanzen sind die wahren Herrscher.

<a href="http://www.mikroskopie-forum.de/index.php?topic=2650.0" target="_blank">Hier geht es zur Vorstellung</a>

Gerne per "Du"

Dr. Jekyll

Hallo Hans-Jürgen,


Friseurbetrieb....., daher der gekonnte Umgang mit scharfen Klingen😄. Spaß bei Seite, deine wirklich sehr schönen und informativen Dokumentationen und Fotos sehe ich mir immer wieder gerne an. Auch diesesmal wieder sehr erste Sahne!

Beste Grüße
Harald
Beste Grüße
Harald

Reinhard

Hallo Hans-Jürgen,

also ein Doppel-Meister!!

viele begeisterte Grüße
Reinhard
seit wann ist Kunst ein Fehler ?



-----------------------------------------------------
www.mikrochemie.net

koestlfr

Hallo Hans Jürgen!

Fantastisch! Tolle Doku!

Liebe Grüße
Franz
Liebe Grüße
Franz

Ronald Schulte

Hans Jürgen,

Ja, ist meine Histologische Arbeit richtig Zeitraubend aber deine Arbeit ist ja genau so. Toll!

Grusse Ronald
Mikroskope:
Leitz Orthoplan (DL, AL-Fluoreszenz und Diskussionseinrichtung).
Leica/Wild M715 Stereomikroskop.
Mikrotom:
LKB 2218 Historange Rotationsmikrotom.

Hans-Jürgen Koch

Liebe Freunde,

auch Euch vielen Dank für Euer Lob, das mich sehr freut!

Allen herzliche Grüße

Hans-Jürgen
Plants are the true rulers - Pflanzen sind die wahren Herrscher.

<a href="http://www.mikroskopie-forum.de/index.php?topic=2650.0" target="_blank">Hier geht es zur Vorstellung</a>

Gerne per "Du"

MikroTux

Wieder einmal sehr schöne Dokumentation. Interessant das mit dem Wundgewebe im fluoreszenz Licht.
Und Bild 35 ist für mich der Kandidat für den Smiley des Jahres.

Hans-Jürgen Koch

Hallo MikroTux,

danke für das Feedback.
Der Querschnitt vom Blattstiel sieht tatsächlich wie ein gut gelaunter und fröhlicher Smiley aus.

Mit freundlichem Gruß

Hans-Jürgen
Plants are the true rulers - Pflanzen sind die wahren Herrscher.

<a href="http://www.mikroskopie-forum.de/index.php?topic=2650.0" target="_blank">Hier geht es zur Vorstellung</a>

Gerne per "Du"

Fahrenheit

Lieber Hans-Jürgen,

wie immer ein Genuss! Besonders interessant die rot-braun eingefärbten Zellen des markparenchyms im Spross und die ebenfalls sauber rot gefärbten Strahlzellen im Phloem des Blattstiels.
Natürlich habe ich den Beitrag gelistet. :)

Herzliche Grüße
Jörg
Hier geht's zur Vorstellung: Klick !
Und hier zur Webseite des MKB: Klick !

Arbeitsmikroskop: Leica DMLS
Zum Mitnehmen: Leitz SM
Für draussen: Leitz HM

Hans-Jürgen Koch

Lieber Jörg,

danke für die Aufnahme meines Beitrages in die Übersicht Botanik.

Gruß
Hans-Jürgen
Plants are the true rulers - Pflanzen sind die wahren Herrscher.

<a href="http://www.mikroskopie-forum.de/index.php?topic=2650.0" target="_blank">Hier geht es zur Vorstellung</a>

Gerne per "Du"