Botanik: Fleischrote Rosskastanie Aesculus x carnea Syn.: Aesculus rubicunda *

Begonnen von Hans-Jürgen Koch, März 14, 2017, 10:12:55 VORMITTAG

Vorheriges Thema - Nächstes Thema

Hans-Jürgen Koch

Diese Rosskastanie (Aesculus x carnea) ist eine im 19. Jahrhundert in Frankreich entstandene Kreuzung der Gewöhnlichen Rosskastanie (Aesculus hippocastanum) mit der Echten Pavie (Aesculus pavia). Die Blüten vereinen die Form der einen mit der Farbe der anderen Art.

Bild 01 Fleischrote Rosskastanie (Aesculus x carnea)

Foto: H.-J_Koch

Die Fleischrote Rosskastanie (Aesculus x carnea) hat im Gegensatz zur Gewöhnlichen Rosskastanie (Aesculus hippocastanum) meist etwas kleinere, derbere und dunklere Blätter. Diese sind oft gestielt.
Die Blüten der  Aesculus x carnea sind rot.
Die Früchte sind kleiner und weniger bis kaum stachelig.

Bild 02 Früchte


Systematik:
Ordnung: Seifenbaumartige (Sapindales)
Familie: Seifenbaumgewächse (Sapindaceae)
Unterfamilie: Rosskastaniengewächse (Hippocastanoideae)
Gattung: Rosskastanien (Aesculus)
Art: Fleischrote Rosskastanie
Wissenschaftlicher Name: Aesculus × carnea

Namen der Pflanzen, die aus Kreuzungen entstanden sind, bekommen ein x (Mal-Zeichen) hinzugefügt.

Volkstümliche Bezeichnung: Rotblühende Rosskastanie, Purpurkastanie oder irreführend Rote Rosskastanie
Englischer Name: Chestnut horse chestnut

Aesculas = lat., der Name steht für eine dem Jupiter heilige Eichenart, erst später auf Rosskastanie übertragen. ,,Pavie" nach Pavilus, dem latinisierten Namen eines niederländischen Arztes und Botanikers.
Rosskastanien nahmen im letzten Jahrhundert zu, da sie nicht oder kaum von der Rosskastanien – Miniermotte befallen werden.

Bild 03 Cameraria ohridella


Die Rosskastanienminiermotte (Cameraria ohridella), auch Balkan-Miniermotte genannt, ist ein Kleinschmetterling aus der Familie der Miniermotten (Gracillariidae). Die Raupen und Puppen entwickeln sich fast ausschließlich an den Blättern der weißblühenden Gewöhnlichen Rosskastanie.

Teil 1: Jähriger Spross, Querschnitte 25 Mikrometer

Die Proben sind aus dem Arboretum Schloss Erbhof in Thedinghausen (Niedersachsen) vom 27.Juni 2015

Die Bilder 04 ,05, 06 und 07 zeigen ungefärbte Schnitte.

Bild 04 Übersicht, Fleischrote Rosskastanie Aesculus x carnea


Bild 05 Vergrößerung, Fleischrote Rosskastanie Aesculus x carnea 


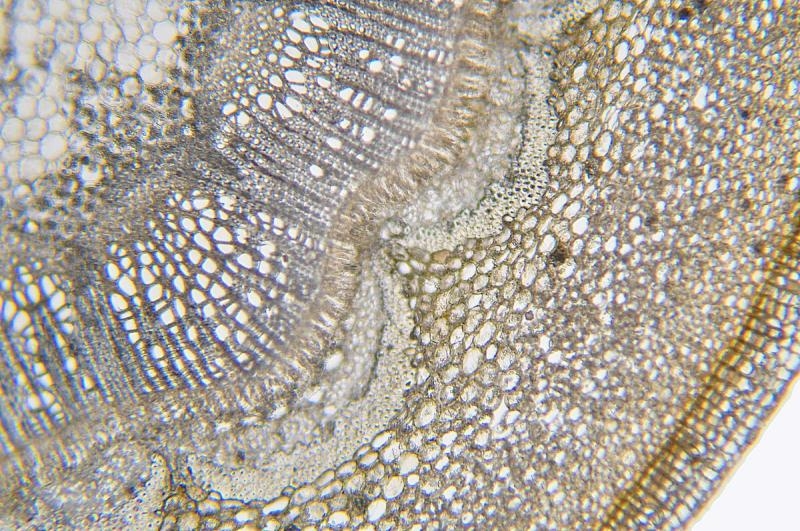
Bild 06 Periderm, Fleischrote Rosskastanie Aesculus x carnea 


Bei der Beschriftung dieses Bildes habe ich Probleme. Es ist alles nicht wirklich typisch.
Ich möchte es zur Diskussion stellen.
Detlef hat folgende Deutung: Die dünne Schicht über dem Phelloderm ist das Phellogen und dahinter das Phellem.
Was meint Ihr dazu ?

Bild 07 Dunkelfeld, Fleischrote Rosskastanie Aesculus x carnea 


W-3A-Färbung nach Wacker (Acridinrot-Acriflavin-Astrablau) modifiziert

Arbeitsablauf :
1. Probe liegt in 30 % Ethanol.
2. Aqua dest. 3x wechseln je 1 Minute.
3. Vorfärbung Acridinrotlösung 8 Min.
4. 1x auswaschen mit Aqua dest. .
5. Acriflavinlösung (differenzieren bis gerade keine Farbwolken mehr abgehen - Lupenkontrolle) ca. 12 Sekunden !!!.
6. 2 x auswaschen mit Aqua dest..
7. Nachfärbung Astrablaulösung 2 Minute.
Bei der Nachfärbung mit Astrablau eine Mischung aus Astrablau und Acriflavin im Verhältnis 3 : 1 verwendet (blau + gelb = grün).
Tipp:
Eine schöne Variante erhält man, wenn man in der letzten Färbestufe eine Mischung aus
Astrablau und Acriflavin im Verhältnis 3:1 verwendet. (3 Tropfen Astrablau und 1 Tropfen Acriflavin separat ansetzen und Gemisch mit der Pipette übertragen
8. Auswaschen mit Aqua dest. bis keine Farbstoffreste auf dem Objektträger verbleiben.
9. Entwässern mit 2x gewechseltem Isopropylalkohol ( 99,9 % )
10. Einschluss in Euparal.

Ergebnis :
Zellwände blaugrün bis grün, verholzte Zellwände leuchtend rot, Zellwände der äußeren Hypodermis orangerot, Cuticula gelb, Zellwände der innenliegenden Hypodermis tiefrot.

Bild 08 Übersicht, Fleischrote Rosskastanie Aesculus x carnea 


Bild 09 Negativ, Fleischrote Rosskastanie Aesculus x carnea


Bild 10 Vergrößerung, Fleischrote Rosskastanie Aesculus x carnea 


Bild 11 Vergrößerung aus der Übersicht mit Beschriftung, Fleischrote Rosskastanie Aesculus x carnea 

MP = Markparenchym, XY = Xylem, T = Trachee, K = Kambium, PH = Phloem, Sklerenchymring, RP = Rindenparenchym, ST = Steinzellen (Sklereiden)

Bild 12 Vergrößerung aus der Übersicht mit Beschriftung, Fleischrote Rosskastanie Aesculus x carnea 

XY = Xylem, T = Trachee, K = Kambium, PH = Phloem, SK = Sklerenchym
Plants are the true rulers - Pflanzen sind die wahren Herrscher.

<a href="http://www.mikroskopie-forum.de/index.php?topic=2650.0" target="_blank">Hier geht es zur Vorstellung</a>

Gerne per "Du"

Hans-Jürgen Koch

Bild 13 Fleischrote Rosskastanie Aesculus x carnea 


Steinzellen sind isodiametrische sklerenchymatische Zellen. Sind sie länglich, spricht man von Sklereiden. Ihre Sekundärwände sind häufig so stark verdickt, dass nur ein kleines Lumen frei bleibt. Im ausdifferenenzierten Zustand sind diese Zellen tot.

Oxalatkristall:
Zum Nachweis des Calcium-Oxalats und zur Untersuchung vom Calcium-Carbonat macht man sich verschiedene Löslichkeit beider Salze in Säuren zunutze.
Während Calcium-Carbonat sich sowohl in Essigsäure als auch in Salzsäure unter CO2- Entwicklung löst, wird Calcium-Oxalat nur durch Salzsäure gelöst, und zwar ohne Gasentwicklung.

Bild 14 Xylem, Fleischrote Rosskastanie Aesculus x carnea 


Bild 15 Dunkelfeld, Fleischrote Rosskastanie Aesculus x carnea 


Bild 16 Auflicht – Fluoreszenzaufnahme, Fleischrote Rosskastanie Aesculus x carnea 

Fluoreszenzaufnahmen mit Anregungswellenlänge RoyalBlue mit 455 nm, 3 Watt LED, Sperrfilter LP 520, Erregerfilter BP 436/10

Bild 17 Auflicht – Fluoreszenzaufnahme, Fleischrote Rosskastanie Aesculus x carnea

Fluoreszenzaufnahmen mit Anregungswellenlänge RoyalBlue mit 455 nm, 3 Watt LED, Sperrfilter LP 520, Erregerfilter BP 436/10

Bild 18 Auflicht – Fluoreszenzaufnahme, Fleischrote Rosskastanie Aesculus x carnea 

Fluoreszenzaufnahmen mit Anregungswellenlänge RoyalBlue mit 455 nm, 3 Watt LED, Sperrfilter LP 520, Erregerfilter BP 436/10

Bild 19 Auflicht – Fluoreszenzaufnahme, Fleischrote Rosskastanie Aesculus x carnea 

Fluoreszenzaufnahmen mit Anregungswellenlänge RoyalBlue mit 455 nm, 3 Watt LED, Sperrfilter LP 520, Erregerfilter BP 436/10

Teil 2: Jähriger Spross, Längsschnitte 25 Mikrometer

Bild 20 Übersicht, ungefärbter Schnitt, Fleischrote Rosskastanie Aesculus x carnea 

Das Foto wurde mit einem Zeiss Stereomikroskop Stemi 305 mit Anpassung an den Okulartubus erstellt.

Bild 21 Vergrößerung, Fleischrote Rosskastanie Aesculus x carnea 


Bild 22 Vergrößerung aus der Übersicht, Fleischrote Rosskastanie Aesculus x carnea 


Bild 23 Gefäße, Fleischrote Rosskastanie Aesculus x carnea 


Bild 24 Auflicht – Fluoreszenzaufnahme, Fleischrote Rosskastanie Aesculus x carnea 

Fluoreszenzaufnahmen mit Anregungswellenlänge RoyalBlue mit 455 nm, 3 Watt LED, Sperrfilter LP 520, Erregerfilter BP 436/10

Bild 25 Auflicht – Fluoreszenzaufnahme, Fleischrote Rosskastanie Aesculus x carnea 

Fluoreszenzaufnahmen mit Anregungswellenlänge RoyalBlue mit 455 nm, 3 Watt LED, Sperrfilter LP 520, Erregerfilter BP 436/10

Quellen und weiterführende Informationen:

Wikipedia; Freie Enzyklopädie
Gregor Aas ,,Bäume", ISBN:3-7742-4058-2
Gregor Aas ,, Laubbäume"
Peter A. Schmidt ,,Taschenlexikon der Gehölze", ISBN: 978-3-494-01448-7
Wilhelm Nultsch ,, Mikroskopisch- Botanisches Praktikum", ISBN: 3-13-440304-8
Stahl – Biskup ,,Anatomie und Histologie der Samenpflanzen", ISBN: 3-7692-3204-6
Kosmos Baumführer Europa, ISBN: 978-3-440-11741-5
Lexikon der Baum- und Straucharten, ISBN: 978-3-86820-123-9


Für konstruktive Kritik bin ich ebenso offen wie für lobende Worte.
Doch zunächst einmal wünsche ich viel Freude beim Lesen.

Hans-Jürgen

Plants are the true rulers - Pflanzen sind die wahren Herrscher.

<a href="http://www.mikroskopie-forum.de/index.php?topic=2650.0" target="_blank">Hier geht es zur Vorstellung</a>

Gerne per "Du"

koestlfr

Hallo Hans-Jürgen!

Schon wieder ein echter Koch! :-))

Spass beiseite satte Leistung!

Liebe Grüße
Franz
Liebe Grüße
Franz

Manfred Rath

Hallo Hans - Jürgen,

wie immer umfassend dokumentiert und in höchster Qualität bebildert, da kann kein Lehrbuch mithalten.

Schöne Grüße
Manfred
Ich lebe in der Region "Steirisches Vulkanland" - bin aber kein Vulkanier sondern waschechter Steirer.

jenamed 65

Hallo Hans-Jürgen, sehr interessant und ästhetisch, danke fürs Zeigen!

Hans-Jürgen Koch

Guten Morgen Franz, Manfred und Willi,

danke für Eure lobende Worte.

Ist die Beschriftung vom Bild 06 richtig?
Ich würde mich freuen, wenn sich jemand meldet.

Mit freundlichem Gruß
Hans-Jürgen
Plants are the true rulers - Pflanzen sind die wahren Herrscher.

<a href="http://www.mikroskopie-forum.de/index.php?topic=2650.0" target="_blank">Hier geht es zur Vorstellung</a>

Gerne per "Du"

Wutsdorff Peter

Hallo Hans  Jürgen,
ich erstarre wieder einmal in Ehrefurcht.
GRATULATION !!

Gruß Peter aus Lorsch

Fahrenheit

Lieber Hans-Jürgen,

wie imer ein sehr schöner Beitrag! Aus meiner Sicht ist die Beschriftung des Periderms im Bild 6 korrekt.

Und gelistet habe ich den Beitrag auch. :)

Herzliche Grüße
Jörg
Hier geht's zur Vorstellung: Klick !
Und hier zur Webseite des MKB: Klick !

Arbeitsmikroskop: Leica DMLS
Zum Mitnehmen: Leitz SM
Für draussen: Leitz HM

Reinhard

Hallo Hans-Jürgen,

in Anlehnung an die Bemerkung von Franz, denke ich, daß Du die Bezeichnung "Sternekoch" im "michelin'schen" Sinne längst verdient hast.

viele Grüße
Reinhard
seit wann ist Kunst ein Fehler ?



-----------------------------------------------------
www.mikrochemie.net

Hans-Jürgen Koch

Hallo Peter, Jörg und Reinhard,

es freut mich, dass euch mein Beitrag gefällt.

@Reinhard,
ich kann zwar gut Radio spielen, aber kochen kann ich definitiv nicht.
Danke für das Lob.

Gruß
Hans-Jürgen
Plants are the true rulers - Pflanzen sind die wahren Herrscher.

<a href="http://www.mikroskopie-forum.de/index.php?topic=2650.0" target="_blank">Hier geht es zur Vorstellung</a>

Gerne per "Du"

Reinhard

Hallo Hans-Jürgen,

o.k., kochen dann nicht.
Aber bei Carpaccio dürfte Dir außer Jörg (und wenigen anderen) so schnell keiner Konkurrenz machen!

viele Grüße
Reinhard
seit wann ist Kunst ein Fehler ?



-----------------------------------------------------
www.mikrochemie.net