Botanik: Blasenesche Koelreuteria paniculata - ein dekorativer Baum *

Begonnen von Hans-Jürgen Koch, Mai 21, 2017, 15:27:10 NACHMITTAGS

Vorheriges Thema - Nächstes Thema

Hans-Jürgen Koch

Die Blasenesche ist keine Esche, sondern ein sehr dekorativer ostasiatischer Baum.
Die zu den Seifenbaumgewächsen (Sapindaceae) (dazu gehören u. a. Ahorn und Rosskastanie) zählende Blasenesche ist in China und Korea beheimatet.

Die Gattung Koelreuteria umfasst drei Arten, die in Taiwan, China und auf den Fidschi-Inseln vorkommen.
Der lat. Name ,,paniculatus" = rispig, abgeleitet von ,,panucula" = Büchel, Rispe.
Fossil ist die Blasenesche seit dem Paläozoikum nachgewiesen.
Das Paläozoikum, auch Erdaltertum oder Erdaltzeit, ist das älteste der drei Erdzeitalter (Ären), in die das Äon Phanerozoikum innerhalb der geologischen Zeitskala geteilt wird. Es umfasst den Zeitraum von ca. 541 Millionen Jahre bis ca. 252,2 Millionen Jahre vor heute.
Quelle: Wikipedia

Benannt ist Gattung nach dem deutschen Botaniker Professor Joseph Gottlieb Kölreuter (1733–1806), der in Karlsruhe ansässig war.
Kölreuter beschäftigte sich insbesondere mit der Bestäubung von Pflanzen. 1760 gewann er in St. Petersburg einen Wettbewerb um die Frage, ob Pflanzen eine Sexualität besäßen – er brachte den entsprechenden Beweis. Seine Kreuzungserfolge machten ihn zu einem Wegbereiter der Vererbungslehre. In den Jahren zwischen 1761 und 1766 erschien seine mehrbändige Schrift ,,Vorläufige Nachricht von einigen das Geschlecht der Pflanzen betreffenden Versuchen". 

In den 1760er-Jahren war er Direktor des Schlossgartens in Karlsruhe.
Im Botanischen Garten in Karlsruhe ordnete Kölreuter unter anderem die Pflanzen nach dem botanischen System des schwedischen Botanikers Carl von Linné – ein besonderer Wunsch Markgräfin Karoline Luises. Die Gärtner in Karlsruhe hatten wohl wenig Verständnis für seine botanischen Versuche. Aufgrund von Streitigkeiten gab er seinen Posten nach vier Jahren auf und forschte privat weiter. 1806 starb Kölreuter in Karlsruhe – die Blasenesche erinnert bis heute an ihn.

Bild 01 Josef Gottlieb Kölreuter

Dieses Werk ist gemeinfrei, weil seine urheberrechtliche Schutzfrist abgelaufen ist.

Systematik:
Ordnung: Seifenbaumartige (Sapindales)
Familie: Seifenbaumgewächse (Sapindaceae)
Unterfamilie: Sapindoideae
Gattung: Koelreuteria
Art: Blasenesche
Wissenschaftlicher Name: Koelreuteria paniculata
Volkstümliche Bezeichnung: Rispiger Blasenbaum, Chinesischer Lackbaum
Englischer Name: Golden Rain tree

Aufgrund ihrer gelben Blüten, der goldenen Herbstfärbung und der goldgelben Blasenfrüchte wird sie im Englischen auch als ,,Golden Rain Tree" bezeichnet.
Der sommergrüne Baum kann eine Höhe von bis zu 15 Meter erreichen und besitzt ca. 40 cm lange gezackte Fiederblätter.

Bild 02 Fiederblätter der Blasenesche

Urheber: Shizhao

Ihre wechselständigen Blätter besitzen 7 bis 15 Fiederblättchen, die tief gezähnt bis fiederspaltig und kerbig gesägt auftreten. Die Blätter sind im Jugendstadium purpurrot, im reifen Zustand strahlend grün und im Herbst furios gold- bis orangegelb gefärbt.

Die Borke des Stammes ist auffällig gefurcht. Im Sommer erscheinen gelbe, ca. 1 cm breite Blüten, die in langen aufrechten Rispen stehen. Bei den sich aus den Blüten einwickelnden Früchten der Blasenesche (oder Blasenbaum) handelt es sich um papierartig aufgeblasene Kapselfrüchte. In diesen finden sich meist drei rundliche, schwarze Samen. Letztere können im Frühjahr im Freiland ausgesät werden.
Aus diesen entwickeln sich sehr rasch die Kapselfrüchte mit einer zunächst rosafarbenen, später gelb bis bräunlichen, blasenförmigen Hülle, die über den Winter am Baum hängen bleiben.

Bild 03 Koelreuteria paniculata

Im Botanischen Garten in Karlsruhe steht ein Blasenbaum neben dem Hauptweg beim unteren Teich.
Foto: Universität Rostock

Das Besondere an der Blasenesche sind ihre grünlichen Früchte. Sie haben eine Form, die einem Lampion oder einer Blase gleicht – daher der deutsche Name.
Der Blasenbaum ist ein typischer Flachwurzler und kann auch zur Hangsicherung eingesetzt werden. Allerdings vertragen die fleischigen Wurzeln keine Staunässe oder verdichtete Böden. Besonders gut gedeiht Koelreuteria paniculata auf sandigen und durchlässigen Böden.

Das Holz dieses Baums hat eine ähnliche Maserung, wie das der Olivenbäume. Es ist in Amerika und Asien bei Kunsttischlern sehr beliebt. Besonders selten und teuer ist ein Parkett aus dem Holz dieses Baums. Es wird unter dem Namen Golden Rain Tree vermarktet. Das Holz ist deshalb so teuer, da diese Pflanze keine geraden und gleichmäßigen Stämme, sondern stark verzweigte Kronen bildet. Die Seitenäste werden dann einzeln geerntet und bearbeitet.
Die Borke ist rau und braun mit schmal orangefarbenen Streifen. Der Stamm schwitzt angeblich eine gummiähnliche Flüssigkeit aus.
Krankheiten und Schädlingen gegenüber ist die Blasenesche relativ robust. Im Sommer kann es vereinzelt passieren, dass einzelne Äste oder der ganze Baum ohne erkennbaren Grund absterben. Ursache ist oft eine Pilzerkrankung, die sogenannte Verticillium-Welke.

Bild 04 Verticillium-Welke an Laubgehölzen

http://www.arbofux.de/verticillium-welke-an-laubgehoelzen.html

Teil 1: Jähriger Spross, Querschnitte 25 Mikrometer

Meine Proben stammen aus dem Arboretum ,,Schloss Erbhof" Thedinghausen (Niedersachsen) vom 31.Mai 2016

Die Bilder 05 ,06, 07, 08, 09, 10 und 11 zeigen ungefärbte Schnitte

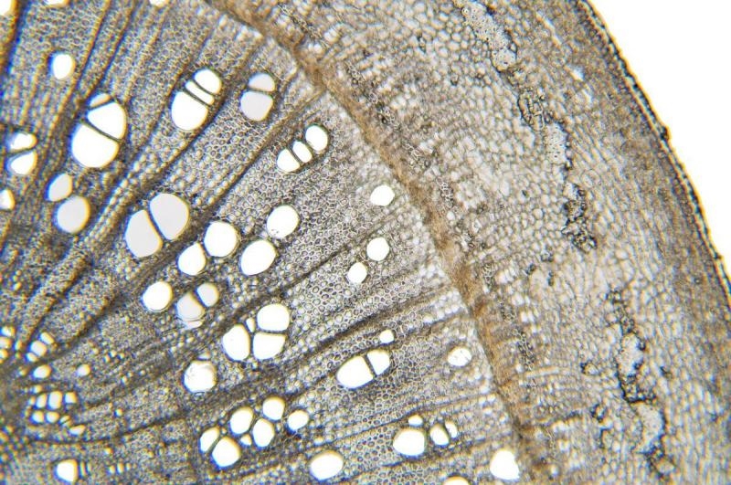
Bild 05 Übersicht, Blasenesche Koelreuteria paniculata


Bild 06 Vergrößerung, Blasenesche Koelreuteria paniculata


Bild 07 Vergrößerung, Blasenesche Koelreuteria paniculata


Bild 08 Trachee, Blasenesche Koelreuteria paniculata

Trachee - ein Gefäßelement des Xylems

Bild 09 Lentizelle mit abgebrochenem Trichom, Blasenesche Koelreuteria paniculata

Der junge Spross zeigt helle, warzenartige Lentizellen

Bild 10 Dunkelfeld, Übersicht, Blasenesche Koelreuteria paniculata


Bild 11 Dunkelfeld, Vergrößerung, Blasenesche Koelreuteria paniculata


W-3A-Färbung nach Wacker (Acridinrot-Acriflavin-Astrablau) modifiziert
Arbeitsablauf :
1. Probe liegt in 30 % Ethanol.
2. Aqua dest. 3x wechseln je 1 Minute.
3. Vorfärbung Acridinrotlösung 8 Min.
4. 1x auswaschen mit Aqua dest. .
5. Acriflavinlösung (differenzieren bis gerade keine Farbwolken mehr abgehen - Lupenkontrolle) ca. 12 Sekunden !!!.
6. 2 x auswaschen mit Aqua dest..
7. Nachfärbung Astrablaulösung 1 Minute.
Bei der Nachfärbung mit Astrablau eine Mischung aus Astrablau und Acriflavin im Verhältnis 4 : 1 verwendet (blau + gelb = grün).
8. Auswaschen mit Aqua dest. bis keine Farbstoffreste auf dem Objektträger verbleiben.
9. Entwässern mit 2x gewechseltem Isopropylalkohol ( 99,9 % )
10. Einschluss in Euparal.
Ergebnis :
Zellwände blaugrün bis grün, verholzte Zellwände leuchtend rot, Zellwände der äußeren Hypodermis orangerot, Cuticula gelb, Zellwände der innenliegenden Hypodermis tiefrot.

Bild 12 Übersicht, Blasenesche Koelreuteria paniculata


Bild 13 Übersicht, Lentizelle, Blasenesche Koelreuteria paniculata


Bild 14 Vergrößerung aus der Übersicht mit Beschriftung, Blasenesche Koelreuteria paniculata

MP = Markparenchym, XY = Xylem, MST = primärer Markstrahl, T = Trachee, K = Kambium, PH = Phloem, SK = Sklerenchym-Inseln, EP = Epidermis, RP = Rindenparenchym, CU = Cuticula

Bild 15 Vergrößerung, Blasenesche Koelreuteria paniculata


Bild 16 Vergrößerung mit Beschriftung, Blasenesche Koelreuteria paniculata

T = Trachee, XY = Xylem, ST = Strahl, K = Kambium, PH = Phloem

Bild 17 Lentizelle, Blasenesche Koelreuteria paniculata


Bild 18 Auflicht – Fluoreszenzaufnahme, Xylem, Blasenesche Koelreuteria paniculata

Fluoreszenzaufnahmen mit Anregungswellenlänge RoyalBlue mit 455 nm, 3 Watt LED, Sperrfilter LP 520, Erregerfilter BP 436/10

Bild 19 Auflicht – Fluoreszenzaufnahme, Harzkanal, Blasenesche Koelreuteria paniculata

Fluoreszenzaufnahmen mit Anregungswellenlänge RoyalBlue mit 455 nm, 3 Watt LED, Sperrfilter LP 520, Erregerfilter BP 436/10
Plants are the true rulers - Pflanzen sind die wahren Herrscher.

<a href="http://www.mikroskopie-forum.de/index.php?topic=2650.0" target="_blank">Hier geht es zur Vorstellung</a>

Gerne per "Du"

Hans-Jürgen Koch

#1
Teil 2: Spross, Radialschnitt 25 Mikrometer

Bild 20 Übersicht, Blasenesche Koelreuteria paniculata


Bild 21 Vergrößerungl, Blasenesche Koelreuteria paniculata


Bild 22 Vergrößerung, Blasenesche Koelreuteria paniculata


Bild 23 Auflicht – Fluoreszenzaufnahme, Großes Gefäß, Blasenesche Koelreuteria paniculata

Fluoreszenzaufnahmen mit Anregungswellenlänge RoyalBlue mit 455 nm, 3 Watt LED, Sperrfilter LP 520, Erregerfilter BP 436/10

Bild 24 Auflicht – Fluoreszenzaufnahme, Blasenesche Koelreuteria paniculata

Fluoreszenzaufnahmen mit Anregungswellenlänge RoyalBlue mit 455 nm, 3 Watt LED, Sperrfilter LP 520, Erregerfilter BP 436/10

Bild 25 Auflicht – Fluoreszenzaufnahme, Blasenesche Koelreuteria paniculata

Fluoreszenzaufnahmen mit Anregungswellenlänge RoyalBlue mit 455 nm, 3 Watt LED, Sperrfilter LP 520, Erregerfilter BP 436/10

Quellen und weiterführende Informationen:

Wikipedia; Freie Enzyklopädie
Gregor Aas ,,Laubbäume"
Peter A. Schmidt ,,Taschenlexikon der Gehölze", ISBN: 978-3-494-01448-7
Kosmos Baumführer Europa, ISBN: 978-3-440-11741-5
Lexikon der Baum- und Straucharten, ISBN: 978-3-86820-123-9

Für konstruktive Kritik bin ich ebenso offen wie für lobende Worte.
Doch zunächst einmal wünsche ich viel Freude beim Lesen.

Hans-Jürgen


Plants are the true rulers - Pflanzen sind die wahren Herrscher.

<a href="http://www.mikroskopie-forum.de/index.php?topic=2650.0" target="_blank">Hier geht es zur Vorstellung</a>

Gerne per "Du"

Wutsdorff Peter

Hans-Jürgen,
wieder, wie immer suuupeeerr!!
Es ist immer ein Genuß, Deine Beiträge zu lesen.
Vielen Dank
                                 Peter

Hans-Jürgen Koch

Guten Morgen Peter,

es freut mich, dass Dir mein Beitrag gefällt, danke für Dein Feedback.

Mit freundlichem Gruß

Hans-Jürgen
Plants are the true rulers - Pflanzen sind die wahren Herrscher.

<a href="http://www.mikroskopie-forum.de/index.php?topic=2650.0" target="_blank">Hier geht es zur Vorstellung</a>

Gerne per "Du"

Fahrenheit

Lieber Hans-Jürgen,

wo Du nur immer die exotischen Bäume auftreibst! :)

Vielen Dank für den wie immer sehr schönen und informativen Beitrag, den ich gerne gelistet habe!

Herzliche Grüße
Jörg
Hier geht's zur Vorstellung: Klick !
Und hier zur Webseite des MKB: Klick !

Arbeitsmikroskop: Leica DMLS
Zum Mitnehmen: Leitz SM
Für draussen: Leitz HM

vbandke

Guten Tag, Hans-Jürgen,

Wie immer:  ein sehr informativer Beitrag, und dazu mit exzellenten Bildern ausgestattet!  Vielen Dank für Zeigen und lesen lassen :)


Mit besten Grüßen


Volker
P.S. Alle meine Bilder dürfen/sollen kommentiert, verrissen, gelobt, und zur Veranschaulichung in diesem Forum auch bearbeitet werden.

Hans-Jürgen Koch

Guten Tag  Jörg und Volker,

danke für Euer Interesse und die netten Worte.
Ich wünsch Euch noch einen schönen Vatertag.

Gruß

Hans-Jürgen
Plants are the true rulers - Pflanzen sind die wahren Herrscher.

<a href="http://www.mikroskopie-forum.de/index.php?topic=2650.0" target="_blank">Hier geht es zur Vorstellung</a>

Gerne per "Du"