Botanik: Amur-Korkbaum (Phellodendron amurense) *

Begonnen von Hans-Jürgen Koch, Januar 13, 2016, 08:25:34 VORMITTAG

Vorheriges Thema - Nächstes Thema

Hans-Jürgen Koch

Liebe Pflanzenfreunde,

der zweihäusige, ostasiatische Baum ist auch in Mitteleuropa winterhart. Er steht gelegentlich in Parks und an Straßen, in Rumänien und Russland auch in der Forst. Der Amur-Korkbaum ist in Europa seit 1885 in Kultur und lässt sich leicht aus Samen vermehren (Frostkeimer).
Die Gattung weist 10 Arten in Ostasien auf.  Fossil ist sie seit dem Tertiär (Paläozän) nachgewiesen. Das Paläozän begann vor ca. 66 Millionen Jahren und endete vor etwa 56 Millionen Jahren. Es ist zwischen der Kreide, dem letzten System des Mesozoikums (Erdmittelalter), und dem Eozän eingeordnet.

Der Name Phellodendron amurense stammt aus dem Griechen ,,phellos" = Kork; ,,dendron" = Baum. Lat. amurense = vom Amur (O - Asien) kommend.
Der Amur-Korkbaum ist im Amur- und Ussurgebiet, Nordchina, Mandschurei, Korea und Japan (Hokkaido bis Kyushu) verbreitet.
Phellodendron amurense ist ein sommergrüner bis 15 Meter hoher, im Freistand meist kurzstämmiger, am natürlichen Standort bis 25 Meter hoher Baum mit breiter, ausladender lichter  Krone.

Bild 1 Amur-Korkbaum (Phellodendron amurense)

Urheber: Jean-Pol GRANDMONT

Die Blätter sind gegenständig, bis 40 cm lang, das einzelne Blättchen ist  5 - 7 cm lang und  zeigen bei Durchlicht drüsige Punkte. Zerrieben riechen sie, ebenso wie die ungenießbaren Früchte, nach Terpentin.

Bild 2 Blätter, Amur-Korkbaum (Phellodendron amurense)

Foto: H.-J_Koch

Die Blüten sind unscheinbar, gelbgrün umd 6 mm lang, eingeschlechtlich, 2-häusig verteilt, in 6 - 8 cm breite, flaumig behaarten, aufrecht endständigen 8 cm langen Rispen.
Die Früchte haben einen Durchmesser von 8 - 10 mm und sind schwarz. Von den 5 angelegten Steinkernen entwickeln  die 2 - 3 fertilen, etwa 5 mm großen Samen. Jeder Steinkern ist einsanig.
Fertilität (vom lateinischen fertilis = fruchtbar, ergiebig).

Der Baum bildet ähnlich wie die Kork - Eiche eine dicke Korkrinde. Sie dient als Isoliermaterial sowie als Flaschenkork. Schreiner verarbeiten das wertvolle gelbbraune Holz zu Möbeln.

Kork ist bei dem Amur-Korkbaum ein wichtiger Bestandteil der Borke, nur werden hier die reinen Korklagen nicht sehr mächtig, da das Korkbildungsgewebe nur kurzlebig ist und die Korklagen von Bastgewebe umgeben ist. Eine biologische Bedeutung des Korkes für Gehölze besteht in der Nichtbrennbarkeit und guten Isolierwirkung. Bei Waldbränden macht sich dieser Schutz oft lebenserhaltend bemerkbar.
Mit der gelben inneren Rinde lassen sich Wolle und Seide färben.
Der Korkbaum entwickelt sich zu einem schönen, mittelgroßen Parkbaum, der sehr gesund ist und so gut wie nie unter Schädlingen und Krankheiten leidet.

Systematik:  
Ordnung: Seifenbaumartige (Sapindales)
Familie: Rautengewächse (Rutaceae)
Gattung: Korkbäume (Phellodendron)
Art: Amur-Korkbaum
Wissenschaftlicher Name: Phellodendron amurense
Englischer Name: Amur cork tree

Die Proben stammen aus dem Arboretum Schloss Erbhof Thedinghausen (Niedersachsen).

http://www.schloss-erbhof.de/


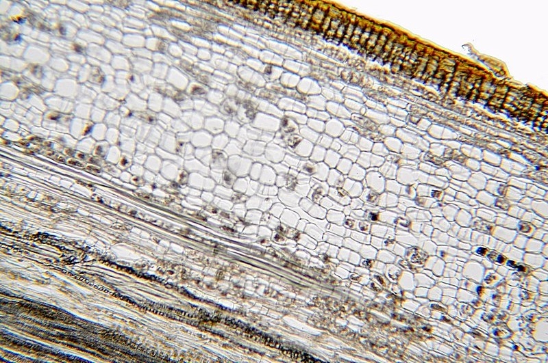
1: Spross, Querschnitt, Schnittdicke: 15 Mikrometer


Bild 03 Ungefärbter Schnitt, Übersicht, Amur-Korkbaum (Phellodendron amurense)


Bild 04 Ungefärbter Schnitt, Vergrößerung, Amur-Korkbaum (Phellodendron amurense)


Bild 05 Vergrößerung, Markparenchym und Xylem, ungefärbter Schnitt, Amur-Korkbaum (Phellodendron amurense)


Bild 06 Komplett ausdifferenziertes Periderm, ungefärbter Schnitt, Amur-Korkbaum (Phellodendron amurense)


Kork wird vom Phellogen (Korkkambium) gebildet und dient als sekundäres Abschlussgewebe, vor allem an den Stellen, an denen die Epidermis und die Rinde der Umfangserweiterung der Sprossachse beim Sekundären Dickenwachstum nicht folgen können. Das Phellogen bildet nach außen Kork und nach innen eine dünne Schicht parenchymatischer Zellen, das Phelloderm (Korkrinde), das auch Chloroplasten enthalten kann. Phellem, Phellogen und Phelloderm werden in ihrer Gesamtheit als Periderm bezeichnet.

Bild 06 Korrektur der Beschriftung


Detlef schrieb mir dazu folgendes:
Das Foto des sekundären Abschlussgewebes würde ich so interpretieren:
Das Gewebe ist zwar im 2. Jahr aber die Epidermis ist offenbar über dem Periderm noch vorhanden. Das Phellogen erkennt man  stets daran, dass es noch glasig aussieht, während das Phellem durch  die Suberin-Einlagerungen bräunlich aussieht.

Bild 07 Xylem, ungefärbter Schnitt, Amur-Korkbaum (Phellodendron amurense)


Bild 08 Lentizelle, ungefärbter Schnitt, Amur-Korkbaum (Phellodendron amurense)


Der aus luftgefüllten abgestorbenen Zellen bestehende Kork ist für den Stoffaustausch (Wasser/Gas) von Lentizellen durchsetzt, die den natürlichen Hartschaum durchziehen. Durch diese Korkporen wird die Atmung der darunterliegenden Epidermis ermöglicht. Sie besitzt keine Interzellularen. Kork ist hydrophob, sehr elastisch und schlecht brennbar. Die Wärmeleitfähigkeit von Kork ist sehr gering, woraus sich seine Eignung als Dämmstoff erklärt.

3A-Färbung nach Wacker (Acridinrot-Acriflavin-Astrablau)

Arbeitsablauf :
1. Schnitte  liegen in 30 % Ethanol.
2. Aqua dest. 3x wechseln je 1 Minute.
3. Vorfärbung Acridinrotlösung  5 Min.
4. 1x auswaschen mit Aqua dest. .
5. Acriflavinlösung (differenzieren bis gerade keine Farbwolken mehr abgehen - Lupenkontrolle) ca.    15 Sekunden !!!.
6. 2 x auswaschen mit Aqua dest.
7. Nachfärbung Astrablaulösung  1 Minuten, 30 Sekunden.
Bei der Nachfärbung mit Astrablau eine Mischung aus Astrablau und Acriflavin im Verhältnis  4 : 1 verwendet (blau + gelb = grün).
8. Auswaschen mit Aqua dest. bis keine Farbstoffreste auf dem Objektträger verbleiben.
9. Entwässern mit 2x gewechseltem Isopropylalkohol ( 99,9 % ).
10. Als letzte Stufe vor dem Eindecken Xylol einsetzen.
11. Einschluss in Entellan

Ergebnis :
Zellwände blaugrün bis grün, verholzte Zellwände leuchtend rot, Zellwände der äußeren Hypodermis orangerot, Cuticula gelb, Zellwände der innenliegenden Hypodermis tiefrot.

Fotos: Nikon D5500

Bild 09 Vergrößerung aus der Übersicht, Amur-Korkbaum (Phellodendron amurense)

Zuwachszonengrenzen deutlich erkennbar.

Bild 10 Kambium, Amur-Korkbaum (Phellodendron amurense)


Bild 11 Abschlussgewebe,  Amur-Korkbaum (Phellodendron amurense)


Bild 12 Xylem,  Amur-Korkbaum (Phellodendron amurense)


Bild 13 Xylem mit Tracheen, Amur-Korkbaum (Phellodendron amurense)


W3Asim – eine Simultanfärbung mit den Farben Acridinrot, Acriflavin, Astrablau

Fixiermittel auswaschen in
70% Ethanol, 5 Minuten.
50% Ethanol, 3 Minuten.
30% Ethanol, 3 Minuten.
Wasser entmin., 3x wechseln je 1 Minute.
Färben: Farbgemisch 1:5 mit Wasser verdünnen, während des Färbevorgangs auf ca. 60° C erwärmen. 5 Minuten.
In Wasser auswaschen, mind. 2x wechseln, je 1 Minute.
In 100% Isopropylalokohol sorgfältig entwässern, 2x wechseln 1.Stufe = 30 Sekunden, 2.Stufe = 3 Minuten, 3.Stufe = 5 Minuten.
Einschließen in Euparal.

Bild 14 Lentizelle, Amur-Korkbaum (Phellodendron amurense)


Bild 15 Korkschicht,  Amur-Korkbaum (Phellodendron amurense)


Bild 16 Vergrößerung aus der Übersicht mit Beschriftung, Amur-Korkbaum (Phellodendron amurense)

EP = zerrissene Epidermis, PE= komplett ausdifferenziertes Periderm, RP = Rindenparenchym, SK = Sklerenchym - Inseln, K = Kambium, SX = sekundäres Xylem, XY = Xylem, T = Trachee

Bild 17 Vergrößerung aus der Übersicht, Amur-Korkbaum (Phellodendron amurense)


Bild 18  Vergrößerung aus der Übersicht, Amur-Korkbaum (Phellodendron amurense


Bild 19 Xylem, Amur-Korkbaum (Phellodendron amurense


Bild 20 Auflicht – Fluoreszenzaufnahme, Amur-Korkbaum (Phellodendron amurense)

Fluoreszenzaufnahmen mit Anregungswellenlänge RoyalBlue mit 455 nm, 3 Watt LED, Sperrfilter LP 520, Erregerfilter BP 436/10

Bild 21 Auflicht – Fluoreszenzaufnahme, Amur-Korkbaum (Phellodendron amurense)

Fluoreszenzaufnahmen mit Anregungswellenlänge RoyalBlue mit 455 nm, 3 Watt LED, Sperrfilter LP 520, Erregerfilter BP 436/10

Bild 22 Auflicht – Fluoreszenzaufnahme, Amur-Korkbaum (Phellodendron amurense)

Fluoreszenzaufnahmen mit Anregungswellenlänge RoyalBlue mit 455 nm, 3 Watt LED, Sperrfilter LP 520, Erregerfilter BP 436/10

Bild 23 Auflicht – Fluoreszenzaufnahme, Amur-Korkbaum (Phellodendron amurense)

Fluoreszenzaufnahmen mit Anregungswellenlänge RoyalBlue mit 455 nm, 3 Watt LED, Sperrfilter LP 520, Erregerfilter BP 436/10

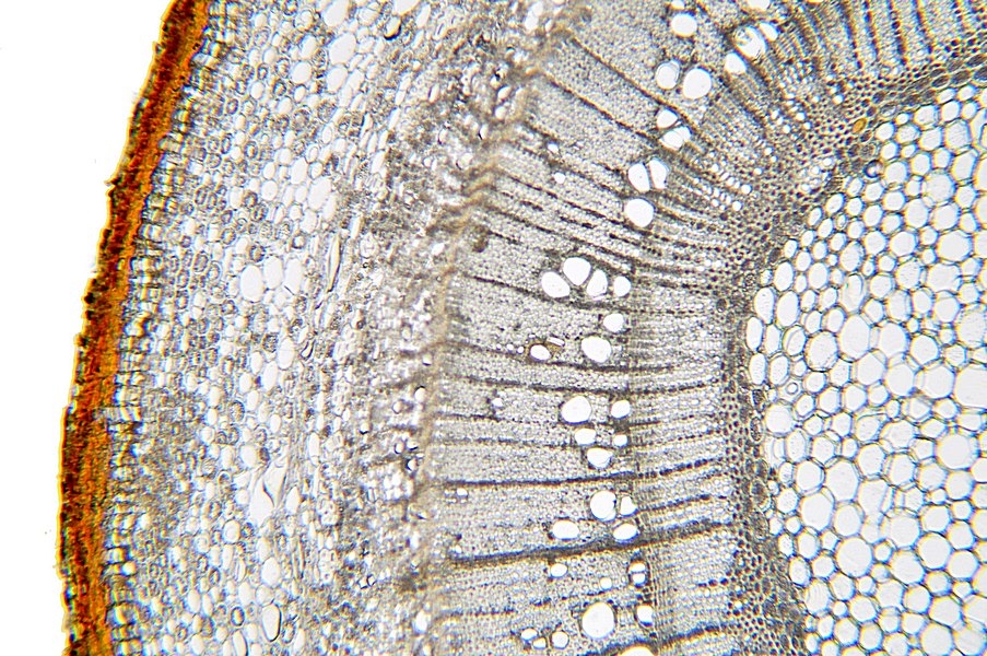
Teil 2: Spross, Längsschnitt, Schnittdicke: 15 Mikrometer


Bild 24 ungefärbter Schnitt, Amur-Korkbaum (Phellodendron amurense)


Bild 25 Vergrößerung ungefärbter Schnitt, Amur-Korkbaum (Phellodendron amurense)


Bild 26 Vergrößerung ungefärbter Schnitt, Amur-Korkbaum (Phellodendron amurense)


3A-Färbung nach Wacker (Acridinrot-Acriflavin-Astrablau)

Bild 27 Übersicht, Amur-Korkbaum (Phellodendron amurense)


Bild 28 Vergrößerung, Amur-Korkbaum (Phellodendron amurense)


Bild 29 Tangentialschnitt von Xylem, Amur-Korkbaum (Phellodendron amurense)

Holzstrahlen 2–5 Zellen breit.

Bild 30 Vergrößerung, Amur-Korkbaum (Phellodendron amurense)


Bild 31 Schraubengefäße,  Auflicht – Fluoreszenzaufnahme, Amur-Korkbaum (Phellodendron amurense)

Fluoreszenzaufnahmen mit Anregungswellenlänge RoyalBlue mit 455 nm, 3 Watt LED, Sperrfilter LP 520, Erregerfilter BP 436/10

Bild 32 Auflicht – Fluoreszenzaufnahme, Amur-Korkbaum (Phellodendron amurense)

Fluoreszenzaufnahmen mit Anregungswellenlänge RoyalBlue mit 455 nm, 3 Watt LED, Sperrfilter LP 520, Erregerfilter BP 436/10

Teil 3: Blattstiel, Querschnitt,  Schnittdicke: 15 Mikrometer

3A-Färbung nach Wacker (Acridinrot-Acriflavin-Astrablau)

Bild 33 Übersicht, Amur-Korkbaum (Phellodendron amurense)


Bild 34 Vergrößerung mit Beschriftung, Amur-Korkbaum (Phellodendron amurense)

T = Trachee, EP = Epidermis, PXY = Primäres Xylem, RP = Rindenparenchym, PH = Phloem, XY = Xylem, MP = Markparenchym

Bild 35 Vergrößerung, Amur-Korkbaum (Phellodendron amurense)


Bild 36 Amur-Korkbaum (Phellodendron amurense)


Bild 37 Vergrößerung, Amur-Korkbaum (Phellodendron amurense)


Bild 38 Auflicht – Fluoreszenzaufnahme, Amur-Korkbaum (Phellodendron amurense)

Fluoreszenzaufnahmen mit Anregungswellenlänge RoyalBlue mit 455 nm, 3 Watt LED, Sperrfilter LP 520, Erregerfilter BP 436/10

Fazit:

Alle  Schnitte mussten mit Klorix - Bleichmittel (Natriumhypochlorit) 1 Teil Klorix + 4 Teile Wasser behandelt werden. Ungebleichte Schnitte klebten beim Färben am Boden der Tüpfelplatte und zeigten Flecke und waren nicht klar differenziert.

Bild 39, Amur-Korkbaum (Phellodendron amurense)


Beim Schneiden mit dem Mikrotom ist das Benetzen mit Isopropanol 70 % (Probe und Klinge) wichtig, sonst platzt die Korkschicht ab.

Bild 40, Amur-Korkbaum (Phellodendron amurense)



Quellenangaben und verwendete Literatur:

Wikipedia; Freie Enzyklopädie
Peter A. Schmidt/ Ulrich Hecker ,,Taschenlexikon der Gehölze", ISBN: 978-3-494-01448-7
Ulrich Hecker ,,Bäume und Sträucher", ISBN: 10: 3-8354-0021-5
Spohn, ,,Kosmos - Baumführer Europa, ISBN: 978-3-440-11741-5

Mit freundlichem Gruß

Hans-Jürgen
Plants are the true rulers - Pflanzen sind die wahren Herrscher.

<a href="http://www.mikroskopie-forum.de/index.php?topic=2650.0" target="_blank">Hier geht es zur Vorstellung</a>

Gerne per "Du"

koestlfr

Moin Hans-Jürgen!

Super Beitrag, sehr informativ, lehrreich und ausführlich!

Liebe Grüße
Franz
Liebe Grüße
Franz

Rawfoto

Hallo Hans-Jürgen

Wie gewohnt, Note "I", unglaublich welche Mühe Du Dir immer gibst wenn Du so einen Beitrag ausarbeitest ==> da hat man zu tun das alles aufzunehmen und die Bilder genau anzusehen ...

Besten Dank & liebe Grüße

Gerhard
Gerhard
http://www.naturfoto-zimmert.at

Rückmeldung sind willkommen, ich bin jederzeit an Weiterentwicklung interessiert, Vorschläge zur Verbesserungen und Varianten meiner eingestellten Bilder sind daher keinerlei Problem für mich ...

hajowemo

Lieber Hans-Jürgen,
wie immer ist dir ein toller Beitrag gelungen.
Herzlichen Dank für die Arbeit die du dir machst.
Liebe Grüße
Jochen
Vorstellung
Homepage www.mikroskopie-hobby.de
Gerne per "Du"
Man sieht nur mit dem Herzen gut.
Das Wesentliche ist für die Augen unsichtbar.

Hans-Jürgen Koch

Guten Morgen Franz, Gerhard und Jochen,

danke für Euer Interesse, und für das wohlwollende feedback.

Gruß

Hans-Jürgen
Plants are the true rulers - Pflanzen sind die wahren Herrscher.

<a href="http://www.mikroskopie-forum.de/index.php?topic=2650.0" target="_blank">Hier geht es zur Vorstellung</a>

Gerne per "Du"

Fahrenheit

Lieber Hans-Jürgen,

ich habe meinen Vorschreibern nichts hinzuzufügen - bis auf eines vielleicht: der Beitrag ist gelistet.

Danke für Deine aufwändigen und interessanten Beiträge!
Jörg
Hier geht's zur Vorstellung: Klick !
Und hier zur Webseite des MKB: Klick !

Arbeitsmikroskop: Leica DMLS
Zum Mitnehmen: Leitz SM
Für draussen: Leitz HM

Hans-Jürgen Koch

Lieber Jörg,

danke für die Übernahme meines Beitrages in die Liste ,,Übersicht Botanik".

Gruß

Hans-Jürgen
Plants are the true rulers - Pflanzen sind die wahren Herrscher.

<a href="http://www.mikroskopie-forum.de/index.php?topic=2650.0" target="_blank">Hier geht es zur Vorstellung</a>

Gerne per "Du"

Hans-Jürgen Koch

Liebe Pflanzenfreunde,

ich habe die Beschriftung des Bildes 6 korrigiert.

Detlef schrieb mir dazu folgendes:
Das Foto des sekundären Abschlussgewebes würde ich so interpretieren:
Das Gewebe ist zwar im 2. Jahr aber die Epidermis ist offenbar über dem Periderm noch vorhanden. Das Phellogen erkennt man  stets daran, dass es noch glasig aussieht, während das Phellem durch  die Suberin-Einlagerungen bräunlich aussieht.

Danke an Detlef und Jörg für den Hinweis.

Mit freundlichem Gruß

Hans-Jürgen
Plants are the true rulers - Pflanzen sind die wahren Herrscher.

<a href="http://www.mikroskopie-forum.de/index.php?topic=2650.0" target="_blank">Hier geht es zur Vorstellung</a>

Gerne per "Du"