Botanik: Schwarze Johannisbeere Ribes nigrum - das Vitamin C-Wunder *

Begonnen von Hans-Jürgen Koch, Juni 14, 2017, 08:19:00 VORMITTAG

Vorheriges Thema - Nächstes Thema

Hans-Jürgen Koch

Die Ursprünge der Schwarzen Johannisbeere liegen in Europa und Mittelasien. Sie wurde relativ spät kultiviert, wahrscheinlich aufgrund ihres unangenehmen Geruchs. Die selektive Kultivierung begann erst im Mittelalter, nachdem man ihre guten Heileigenschaften und ihren hohen Vitamingehalt entdeckte.

Bild 01 Fruchtstand der Schwarzen Johannisbeere

Urheber: Saxo; dieses Foto ist gemeinfrei.

Da die Früchte gewöhnlich am Johannitag (24.Juni) reif sind, tragen die Pflanzen den Namen Johannisbeere. Der gemeinsame Gattungsname Ribes war die arabische Bezeichnung für Pflanzen dieser Gattung, die Artnamen heißen rubrum für rot und nigrum für schwarz. Die Schwarze Johannisbeere nannte man auch Gichtbeere, Bocksbeere, Alpenbeere und Albeere.

Systematik:
Ordnung: Steinbrechartige (Saxifragales)
Familie: Stachelbeergewächse (Grossulariaceae)
Gattung: Johannisbeeren (Ribes)
Art: Schwarze Johannisbeere
Wissenschaftlicher Name: Ribes nigrum; syn. Ribes olidum
Volkstümliche Bezeichnung: Cassis, Gichtbeere, Bocksbeere, Alpenbeere, Schwarze Täuble, Wanzenbeere und Albeere
Englischer Name: Blackcurrant

Die Schwarze Johannisbeere wird seit dem 16. Jahrhundert kultiviert. Der Apotheker und Botaniker Tabernaemontanus (1520 - 1590) beschreibt in seinem Kräuterbuch die Wirkungen der Schwarzen Johannisbeere wie folgt:

"Welchem Menschen die Zunge geschwollen wär / der solle sie reiben mit Johannisträubleinsafft / so fleusst der Speichel und Schleim heraus. Dieser Safft mit Rosenwasser vermischt / und sich damit gegurgelt / ist gut wider das geschwollene Zäpflein. Befestiget die wacklende Zähn / und stärcket das Zahnfleisch: So man an die Stirn streicht / hilfft es den trieffenden Augen."

Die Weiße Johannisbeere ist keine eigene botanische Art, sondern eine Zuchtform der Roten Johannisbeere. In den Alpen findet man noch die Alpen-Johannisbeere (Ribes alpinum), deren Früchte etwas fade schmecken und daher nicht als Obst Verwendung finden. Als Ziersträucher gibt es ferner die Gold-Johannisbeere (Ribes odoratum) und die Blut-Johannisbeere (Ribes sanguineum), auch diese Früchte werden nicht als Obst genutzt.
Eine Kreuzung aus Schwarzer Johannisbeere und Stachelbeere trägt den Namen Jostabeere, ihre Früchte sind schwarz und deutlich größer als die der Schwarzen Johannisbeere.

Johannisbeeren wachsen auf mehrjährigen, stark verzweigten Sträuchern. Die Ranken haben keine Stacheln und wachsen 1,0 - 1,8 Meter hoch. Die Beeren sind glänzend schwarz, haben ein grünes Fruchtfleisch und wachsen an traubenförmigen Fruchtständen (Rispen).

Johannisbeeren sind Flachwurzler, sie stellen keine großen Ansprüche an die Gründigkeit des Bodens.
Diese Pflanze hat eine unauffällige Blütenhülle, strahlig, fünfzählig, von der Farbe her rötlich oder bräunlich grün. Blumenkrone länger als Kelch, verwachsenblättrig mit kurzer Kronröhre und flachen Kronblattzipfeln, behaart und gelbknotig. 5 Staubblätter, verwachsenblättriges 2-zähliges Gynoeceum. Blütenstand nickende Traube.

Bild 02

Foto: H.-J_Koch

Johannisbeeren tragen 3 - 5fach gelappte Blätter und gelblich grüne Blüten, die in Trauben hängen. Die Blütezeit ist von April - Mai. Die Früchte reifen im Juli - August heran.

Die Blätter sind wechselständig. Recht langstielig, stark duftend. Blattspreite handnervig, 3–5-teilig, am Grund herzförmig, gezähnt, auf der Oberseite kahl, auf der Unterseite behaart und gelbknotig.
Knospen: Eiförmig–rund, groß, grünlich. Knospen an den Kurztrieben in Trauben.
Die Ernte erfolgt je nach Sorte zwischen Juni und Anfang August. Die Haupternte ist im Juli. Die Vollertragsphase beginnt ab dem 3. Laub, es ist dann mit Erträge von durchschnittlich 5t/ha (10000 Quadratmeter) zu rechnen.
Als Krankheiten und Schädlinge sind Blattfleckenpilze, Amerikanischer Stachelbeermehltau, Säulenrost, Blattläuse und die Johannisbeergallmilbe zu nennen.

Schwarze Johannisbeeren werden zu Marmelade, Likör (Cassis) und Saft verarbeitet. Sie eignen sich hervorragend zum Einfrieren. Aufgrund ihres strengen Geschmacks, der nicht jedermann zusagt, eignen sie sich weniger zum Frischverzehr.
Schwarzer Johannisbeersaft ist ein altes Hausmittel gegen Halsentzündungen, weil er antibakteriell und entzündungshemmend wirkt. Bei rheumatischen Erkrankungen und Gelenkentzündungen wird diese Wirkung des Saftes, auch die eines Tees aus den Blättern, ebenfalls genutzt.

Die Schwarze Johannisbeere gehört zu den einheimischen und indigenen Pflanzenarten Finnlands. Ursprünglich ist sie eine Pflanze von Überschwemmungszonen, die sich an wechselnde, oft auch sehr nasse Bedingungen angepasst hat.
Die Schwarze Johannisbeere unterscheidet man von der Roten Johannisbeere am besten auf Grund des starken Geruchs ihrer Blätter. Volkstümliche Bezeichnungen für die Schwarze Johannisbeere sind in Finnland auch ,,Gestankbeere" u. ä. Für den Anbau wurden von der Schwarzen Johannisbeere mehrere natürliche Stämme zu ertragreicheren Arten gezüchtet. Neben den Beeren kann man auch die Blätter auf vielerlei Art verwenden, u. a. als Tee, Heilmittel und Gewürz.
Das Beerenobst enthält dreimal so viel Vitamin-C wie eine Zitrone.

Sie enthält von allen gängigen heimischen Obstsorten am meisten Vitamin C. Neben Vitamin C sind die antioxidativ wirkenden Anthocyane besonders wertvoll. Außerdem enthalten die Beeren Kalzium, Eisen, Magnesium, Potassium (die noch heute geltende englische und französische Bezeichnung für Kalium), Phosphor, Ballaststoffe, Gamma-Linolensäure, Provitamin A, Vitamine B, E, K, P, PP, Provitamin A, Pektin.
Die Blätter enthalten u.a. ätherische Öle, Gerbstoffe und Biophenole (Quercitin, Rutin).

(Siehe auch Vitkovskiy, Fruit Plants of the World, St. Petersburg 2003, mit Mengenangaben und weiteren Nachweisen)

Teil 1: Jähriger Spross, Querschnitte 25 Mikrometer

Meine Proben stammen aus dem Arboretum Bad Grund im Harz vom 31.Mai 2017
Die Bilder 03 bis 06 zeigen ungefärbte Schnitte

Bild 03 Vergrößerung, Schwarze Johannisbeere Ribes nigrum


Bild 04, Abschlussgewebe, Schwarze Johannisbeere Ribes nigrum


Bild 05 Markparenchym und Xylem, Schwarze Johannisbeere Ribes nigrum


Bild 06 Dunkelfeld, Schwarze Johannisbeere Ribes nigrum


Acridinrot / Alciangrün / Chrysoidin - Färbung

Arbeitsablauf :

1. Probe liegt in 30 % Ethanol.
2. Aqua dest. 3x wechseln je 1 Minute.
3. Acridinrotlösung 5 Min.
4. 1x auswaschen mit Aqua dest. .
5. Alciangrün 5 Min.
6. 2 x auswaschen mit Aqua dest..
7. Chrysoidin 5 Minute.
Chrysoidin zieht besser auf, wenn während des Färbeprozesses auf ca. 50 0 C erhitzt wird.
8. Auswaschen mit Aqua dest. bis keine Farbstoffreste auf dem Objektträger verbleiben.
Schnitte ohne überchüssiges Wasser in Isopropylalkohol überführen
9. In 100 % Isopropylalkohol, sorgfältig entwässern, 2 X wechseln
1. Stufe = 30 Sekunden
2. Stufe = 3 Minuten
3. Stufe = 5 Minuten
10. Einschluss in Euparal.

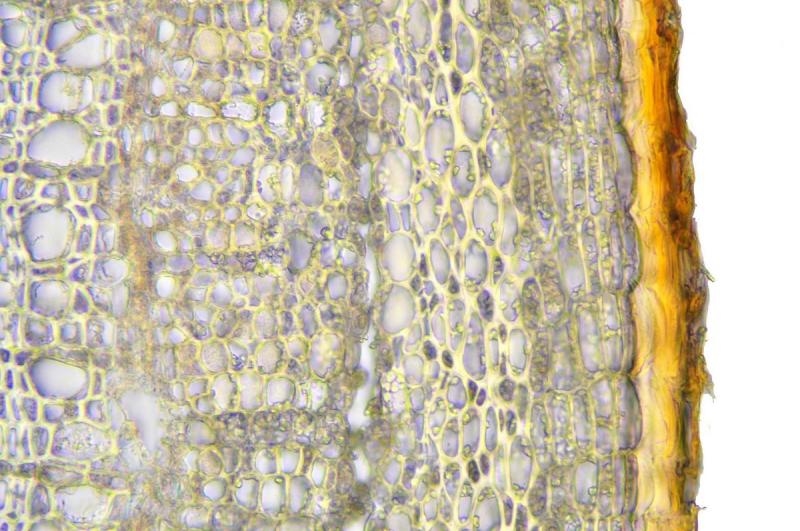
Bild 07 Übersicht, Schwarze Johannisbeere Ribes nigrum


Bild 08 Vergrößerung aus der Übersicht mit Beschriftung, Schwarze Johannisbeere Ribes nigrum

MP = Markparenchym, SK = Sklerenchym, ST = Holzstrahl (Die Holzstrahlen sind heterogen, 1- und vielreihig)  XY = Xylem, PE = Periderm, RP = Rindenparenchym

Die Bildung des Periderms wird eingeleitet durch Reembryonalisierung parenchymatischer Rindenzellen zu einem einschichtigen, parallel zur Oberfläche ausgerichteten Korkkambium (Phellogen). Von ihm werden nach außen Korkzellen, nach innen das Phelloderm gebildet. Die Korkzellen sterben bald ab und bilden interzellularenfreie Reihen. Die Phellodermzellen bleiben aktiv und vermitteln zu den innen anschließenden, ebenfalls lebenden Rindenparenchymzellen. Während der Differenzierung der Korkzellen werden sie von Suberin (veresterte polymere Hydroxyfettsäuren) ausgekleidet, die abwechselnde Lamellen mit Wachsen bilden. Durch Einlagerung von Gerbstoffen werden diese Zellen zusätzlich resistent. In stark zusammengedrückter Form ist Kork ein guter Wärmeisolator, benetzbar, aber wasserundurchlässig.

Das erste in der Pflanze entstehende Periderm wird als Initialperiderm bezeichnet. Das erste Korkkambium kann in unterschiedlicher Gewebetiefe des Sprosses gebildet werden. Es kann epidermal entsteht (Nerium oleander, Pyrus communis), direkt subepidermal (Prunus, Pyrus), in der 2. oder 3. Rindenschicht (Ribes) oder direkt am Leitgewebe oder sogar innerhalb des Phloems (Solanum dulcamara oder Vitis vinifera). Zur Umfangerweiterung teilt sich das Korkkambium gelegentlich auch antiklinal.

Gewöhnlich entsteht das erste Periderm parallel zur Oberfläche. Pro Jahr können 2 - 20 Zellen Kork gebildet werden. Bei mehrjährigen Peridermen blättern die alten Schichten ab, so dass die Korkschicht immer gleich dick ist. Bleiben die Korkschichten am Spross, so können Korkleisten entstehen (z.B. bei der Korkulme oder der Korkeiche). Beim Pfaffenhütchen (Euonymus europaeus) beruht die Entstehung der Korkleisten allerdings auf einer ungleichen Tätigkeit des Korkkambiums.
Auch Tiefenperiderme können langlebig sein bei, wie z.B. bei Ribes, Berberis oder Punica.

Quelle: https://www.forstbotanik.uni-freiburg.de/Lehre/Skripten/Skript%20Forstbotanik%20II

Bild 09 Vergrößerung, Schwarze Johannisbeere Ribes nigrum


Bild 10 Xylem, Schwarze Johannisbeere Ribes nigrum


Bild 11 Markparenchym, Schwarze Johannisbeere Ribes nigrum


Bild 12 Vergrößerung, Schwarze Johannisbeere Ribes nigrum


Bild 13 Auflicht – Fluoreszenzaufnahme, Xylem, Schwarze Johannisbeere Ribes nigrum

Fluoreszenzaufnahmen mit Anregungswellenlänge RoyalBlue mit 455 nm, 3 Watt LED, Sperrfilter LP 520, Erregerfilter BP 436/10

Bild 14 Auflicht – Fluoreszenzaufnahme, Harzkanal, Schwarze Johannisbeere Ribes nigrum

Fluoreszenzaufnahmen mit Anregungswellenlänge RoyalBlue mit 455 nm, 3 Watt LED, Sperrfilter LP 520, Erregerfilter BP 436/10

Teil 2: Spross, Radialschnitt 25 Mikrometer

W-3A-Färbung nach Wacker (Acridinrot-Acriflavin-Astrablau) modifiziert

Arbeitsablauf :

1. Probe liegt in 30 % Ethanol.
2. Aqua dest. 3x wechseln je 1 Minute.
3. Vorfärbung Acridinrotlösung 8 Min.
4. 1x auswaschen mit Aqua dest. .
5. Acriflavinlösung (differenzieren bis gerade keine Farbwolken mehr abgehen - Lupenkontrolle) ca. 12 Sekunden !!!.
6. 2 x auswaschen mit Aqua dest..
7. Nachfärbung Astrablaulösung 1 Minute.
Bei der Nachfärbung mit Astrablau eine Mischung aus Astrablau und Acriflavin im Verhältnis 4 : 1 verwendet (blau + gelb = grün).
8. Auswaschen mit Aqua dest. bis keine Farbstoffreste auf dem Objektträger verbleiben.
9. Entwässern mit 2x gewechseltem Isopropylalkohol ( 99,9 % )
10. Einschluss in Euparal.

Ergebnis :
Zellwände blaugrün bis grün, verholzte Zellwände leuchtend rot, Zellwände der äußeren Hypodermis orangerot, Cuticula gelb, Zellwände der innenliegenden Hypodermis tiefrot.

Bild 15 Übersicht, Schwarze Johannisbeere Ribes nigrum


Bild 16 Markparenchym, Schwarze Johannisbeere Ribes nigrum


Bild 17 Vergrößerung, Schwarze Johannisbeere Ribes nigrum


Bild 18 Gefäß, Schwarze Johannisbeere Ribes nigrum

G = Gefäß, LDB = leiterförmige Durchbrechung
Ein Gefäß mit leiterförmiger Durchbrechung (12 Sprossen)

Bild 19 Auflicht – Fluoreszenzaufnahme, Schwarze Johannisbeere Ribes nigrum

Fluoreszenzaufnahmen mit Anregungswellenlänge RoyalBlue mit 455 nm, 3 Watt LED, Sperrfilter LP 520, Erregerfilter BP 436/10

Quellen und weiterführende Informationen:

Wikipedia; Freie Enzyklopädie
Wildkräuter & Beeren, ISBN 978-3-8338-2611-5
Welche Heilpflanze ist das ?, ISBN 978-3-440-10798-0
Esau, Katherine, ,,Pflanzenanatomie", 1969
Eschrich ,,Funktionelle Pflanzenanatomie", ISBN 3-540-59131-1
Bernd Miggel, ,,Holzbestimmung mit dem Mikroskop", ISBN 978-930167-81-4
Schmeil, ,,Leitfaden der Pflanzenkunde", 1950

Für konstruktive Kritik bin ich ebenso offen wie für lobende Worte.
Doch zunächst einmal wünsche ich viel Freude beim Lesen.

Hans-Jürgen



Plants are the true rulers - Pflanzen sind die wahren Herrscher.

<a href="http://www.mikroskopie-forum.de/index.php?topic=2650.0" target="_blank">Hier geht es zur Vorstellung</a>

Gerne per "Du"

Reinhard

Hallo Hans-Jürgen,

wie immer ist es phantastisch, Deine Bilder zu studieren!
Wichtig ist auch zu sehen, wie Du es genau machst, auch wenn es natürlich Verblendung gleichkäme, zu glauben, man könne es einfach "nachkochen".  ;)

viele Grüße
Reinhard
seit wann ist Kunst ein Fehler ?



-----------------------------------------------------
www.mikrochemie.net

Hans-Jürgen Koch

Hallo Reinhard,

danke für Dein Feedback.

Beim Sprossquerschnitt habe ich die Acridinrot / Alciangrün / Chrysoidin – Färbung gewählt.
Auf Dauer ist die W-3A-Färbung nach Wacker evtl. langweilig.

Da ich ein Freund kräftiger Farben bin, gefällt mir die Wacker – Färbung aber deutlich besser.

Das Schneiden der Schwarzen Johannisbeere ist schwierig, die Zellschichten lösen sich leicht ringförmig ab.
Die Färbeanleitungen sollen zum Nachahmen animieren. Learning by doing.

Mit freundlichem Gruß
Hans-Jürgen
Plants are the true rulers - Pflanzen sind die wahren Herrscher.

<a href="http://www.mikroskopie-forum.de/index.php?topic=2650.0" target="_blank">Hier geht es zur Vorstellung</a>

Gerne per "Du"

Wutsdorff Peter

Guten Abend Hans-Jürgen,
wieder bewunderungswürdig Deine Bilder!!
Besonders beeindrucken mich die umfangreichen Hintergrundinfos.
Du machst Dir ja sehr viel Arbeit.
Vielen Dank

               Gruß Peter

Hans-Jürgen Koch

Guten Morgen Peter,

danke.
Hintergrundwissen ist wichtig. Die Literatur der Pflanzen ist unerschöpflich.

Gruß
Hans-Jürgen
Plants are the true rulers - Pflanzen sind die wahren Herrscher.

<a href="http://www.mikroskopie-forum.de/index.php?topic=2650.0" target="_blank">Hier geht es zur Vorstellung</a>

Gerne per "Du"

Holger x

Hallo Hans-Jürgen,

Interessante Informationen zum Strauch, super Schnitte, differenzierte Färbung - also alles in bester Qualität, das muss man erstmal so gut hinkriegen - da zieh ich echt den Hut. Ich möchte dennoch mal etwas konstruktive Kritik äußern, auch auf die Gefahr eines Shitstorms.

Soweit ich das interpretiere, zeigen Deine Beiträge jeweils das Portraits eines Baums in Text (allgemein Wissenswertem) und Bild mit Schwerpunkt auf den Holzschnitten. So ein Spross von einem Jahr ist nur nicht sonderlich typisch, da die Holzmerkmale am Spross noch nicht voll ausgeprägt sind. Dazu braucht man eine paar mehr Jahresringe. Optimal ist erst das Stammholz. Bei der Johannisbeere werden die Holzstrahlen z. B. bis über 20 Zellen breit. An Deinem Querschnitt kann man zumindest erkennen, dass die Holzstrahlen mit zunehmenden Alter breiter (3 Zellen?) werden. Die Porendichte und -verteilung ist im Jahresring bei den Einjährigen häufig auch nicht sonderlich typisch. Und es gibt auch bei anderen Merkmalen wie der Jahresringdicke, Porengröße etc. Abweichungen. Die typischen Baum/Strauch-Merkmale werden eigentlich auch erst sichtbar, wenn man Quer-, Radial- und Tangentialschnitt zeigt.

Mir ist schon klar, dass es wesentlich schwieriger ist, an seltene Hölzer zu kommen, wenn man dickeres Material sucht. Ich hab neben einer Handsäge (+ elektrische Kettensäge (nur im Auto)) daher auch immer eine Gartenschere mit Rastfunktion dabei. Damit kann man Äste bis maximal 25 mm (unauffällig - natürlich nicht im botanischen Garten) schneiden. Ist auch noch nicht ideal, da auch Äste noch nicht absolut typisch sind - aber immerhin. Ansonsten kann man mit Holzsammler tauschen oder von einigen auch Seltenes kaufen. Kontakte zu Gartenbaufirmen können auch helfen. Ansonsten nutze ich noch gern den öffentlichen Baumschnitt in Parks (Frühjahr und Herbst) und Stürme.

Färbungen geben nicht nur schöne Bilder, sondern transportieren Informationen über die unterschiedlichen Gewebe. Da könnte es auch mal einen Hinweis geben, was welche Farbe annimmt und was man durch die Farbigkeit besser bzw. überhaupt erst erkennen kann. Ich verweise da mal auf Bernd Miggel bezüglich der Blaufärbung des Parenchyms (Etzold-FCA-Färbung), wodurch dieses in seiner Verteilung (auch ein arttypisches Merkmal) erst sichtbar wird. Das gleiche gilt prinzipiell auch für die Fluoreszenzaufnahmen - welche zusätzlichen Informationen werden sichtbar gemacht und was sagt mir das? Für die Vergleichbarkeit Deiner beeindruckenden Sammlung von Baumportraits wäre es hilfreich, wenn die Färbung für alle Schnitte einheitlich wäre. Experimenten just vor Fun widerspricht das nicht.

Um es auf den Punkt zu bringen, irgendwie sind mir die Bilder fast zu schön und die inhaltlichen Aussage: ,,was sagen mir die Schnitte über die Besonderheiten des Baumes oder vielleicht über strukturelle oder funktionale Zusammenhänge" kommt mir etwas zu kurz. Aber das ist meine persönliche Meinung und das ist Kritik an einem sonst schwer zu übertreffenden Niveau.

MfG
Holger

Wutsdorff Peter

Hallo Holger,
ich bin nur Inschenör und kann Deine sachlichen Einwände nicht beurteilen. Das mögen andere tun.
Ob es die Absicht von Hans-Jürgen war, im Sinne von "Miggel" etwas  zu zeigen, möge er selbst  sagen.
Ich für mein Teil nehme die Beiträge von Hans-Jürgen einfach so hin, wie sie sind,
und bewundere - wie auch Du - sein Können und Wissen.
Auch finde ich es sehr hilfreich, daß er bei einigen Bildern die Komponenten kennzeichnet und darunter die Erklärung der Abkürzungen bringt. Daraus lerne ich so einiges.

Gruß Peter

Holger x

Hallo Peter,

kann man so machen wie Du. Wenn Hans-Jürgen sein Konzept weiterverfolgt wie bislang, find ich das auch ok - die Beiträge sind trotzdem mehr als interessant. Ich hab mich aber schon seit einiger Zeit gefragt warum niemand mal einen Hinweis auf die kleine Unstimmigkeit mit den nicht ganz typischen Sprossen gibt – immerhin gibt es hier einige Experten. Das kommt mir irgendwie so vor, als traue sich keiner dem Kaiser zu sagen, dass da etwas mit seinen Kleidern nicht ganz in Ordnung ist (ansonsten hinkt der Vergleich).

MfG
Holger

Hans-Jürgen Koch

#8
Hallo Holger,

deine konstruktive Kritik habe ich mit Interesse gelesen.
Neues und interessantes Material zu finden ist nicht so einfach. Ich bin häufig froh, wenn ich einen jungen Spross abschneiden kann.
Mikroskopieren heißt für mich neugierig zu sein.
Mein Ziel ist es nicht eine wissenschaftliche Abhandlung zu schreiben.
Das Buch von Bernd Miggel kann ich nur empfehlen.
Ich möchte mit meinen Beiträgen im Forum Interesse für die Mikroskopie wecken.

Mit freundlichem Gruß
Hans-Jürgen
Plants are the true rulers - Pflanzen sind die wahren Herrscher.

<a href="http://www.mikroskopie-forum.de/index.php?topic=2650.0" target="_blank">Hier geht es zur Vorstellung</a>

Gerne per "Du"

Holger x

Hallo Hans-Jürgen,

bezüglich des Holzes kann ich dir vielleicht weiterhelfen. Sofern es Dich interessiert, kann ich Dir eine Liste mit meinen Vorräten zusenden und bei Gelegenheit ein paar Proben hinterher. Die direkte Gegenüberstellung Spross zu Stamm- oder älterem Astholz wäre sicherlich interessant.

MfG
Holger

Hans-Jürgen Koch

Hallo Holger,

an Deine Liste mit den Holzarten bin ich sehr interessiert.

Koch-Hans-Juergen@t-online.de


Gruß
Hans-Jürgen
Plants are the true rulers - Pflanzen sind die wahren Herrscher.

<a href="http://www.mikroskopie-forum.de/index.php?topic=2650.0" target="_blank">Hier geht es zur Vorstellung</a>

Gerne per "Du"

unkenheini

Hallo Herr Koch,
Ihre botanischen Schnitte begeistern mich immer wieder aufs neue,zusammen mit den Informationen zu den Pflanzen und Färbungen macht es einfach Spaß Ihre Berichte zu lesen!
In Ihrer Vorstellung habe ich gelesen,das Sie die Mikroskopgruppe aus Bremen leiten,ich war in den 90iger ein paarmal dort(bei Herrn Klemeyer).Leider klappt es zur Zeit schichtmäßig nicht Ihre Gruppe zu besuchen,aber eventuell in meinem Urlaub.Ich hoffe das es klappt.Ich hätte mal eine Frage an Sie,Sie hatten einige Schnitte in Glycerinseife andere in Paraffin eingebettet,ist die Seifeneinbettung nicht zu empfelen?Als Privatperson kommt man ja immer schlechter an die benötigten Chemikalien,daher würde ich die Seifeneinbettung für mich bevorzugen.
Ich bin schon auf weitere Berichte von Ihnen gespannt,
Vielen Dank für Ihre Bemühungen
Mit freundlichen Grüßen
Jörg aus Ritterhude
Mit freundlichen Grüßen
Jörg G.

p.s. Mir ist es lieber mit Du angesprochen zu werden als mit Sie.Danke.

Hans-Jürgen Koch

Hallo Jörg,

ich habe Dir ein E-Mail geschickt.

Mit freundlichem Gruß
Hans-Jürgen
Plants are the true rulers - Pflanzen sind die wahren Herrscher.

<a href="http://www.mikroskopie-forum.de/index.php?topic=2650.0" target="_blank">Hier geht es zur Vorstellung</a>

Gerne per "Du"

Fahrenheit

Lieber Hans-Jürgen,

vielen dank für Deinen aufwändigen Beitrag mit den sehr schönen un dinteressanten Aufnahmen. Diesmal hat mir der Längschnitt vom Mark des Sprosses am besten gefallen.
Natürlich habe ich den Thread gelistet. 

Lieber Holger,

einerseits hast du Recht. Gerade bei solchen aufwändigen Beiträgen möchten wir natürlich möglichst viel von der beschriebenen Pflanze sehen.
Andererseits sind solche mikroskopischen Monografien extrem aufwändig, da es z.B. auch nicht immer reicht, ein Blatt einfach in der Mitte quer zu schneiden, da sich die Anatomie z.B. an der Blattspitze deutlich von der in der Blattmitte unterscheiden kann (z.B. bei Wollemia nobilis). Und dann ist da noch der von Dir angesprochene adulte Spross, der Blatt- und Blütenstiel und, und und. :)

Seit Herbst versuche ich für ein Magazin Sansevieria concinna möglichst umfassend zu beschreiben und ich hätte im Vorfeld nicht gedacht, was da für eine Arbeit drin steckt ...

Wir sind in der Regel Hobbyisten und nicht jeder hat die Zeit und andere möchten vielleicht eher einen Blick auf die Vielfalt der Pflanzen werfen. Dabei ist das Schöne an einem Forum ja, dass jeder Teilnehmer Beiträge entsprechend ergänzen oder eigene einstellen kann und die Liste "Botanik" erlaubt es dann, sich anhand der verschiedenen Threads ein umfassenderes Bild einer Pflanze oder einer Gattung zu machen.

Allen herzliche Grüße
Jörg 
Hier geht's zur Vorstellung: Klick !
Und hier zur Webseite des MKB: Klick !

Arbeitsmikroskop: Leica DMLS
Zum Mitnehmen: Leitz SM
Für draussen: Leitz HM