Hauptmenü

Schliff Kokosnuss

Begonnen von anne, Januar 26, 2021, 18:58:53 NACHMITTAGS

Vorheriges Thema - Nächstes Thema

anne

Hallo zusammen,
zu Weihnachten hatte ich eine Überraschung im Briefkasten, 2 Schliffe von Gerd, das war toll!
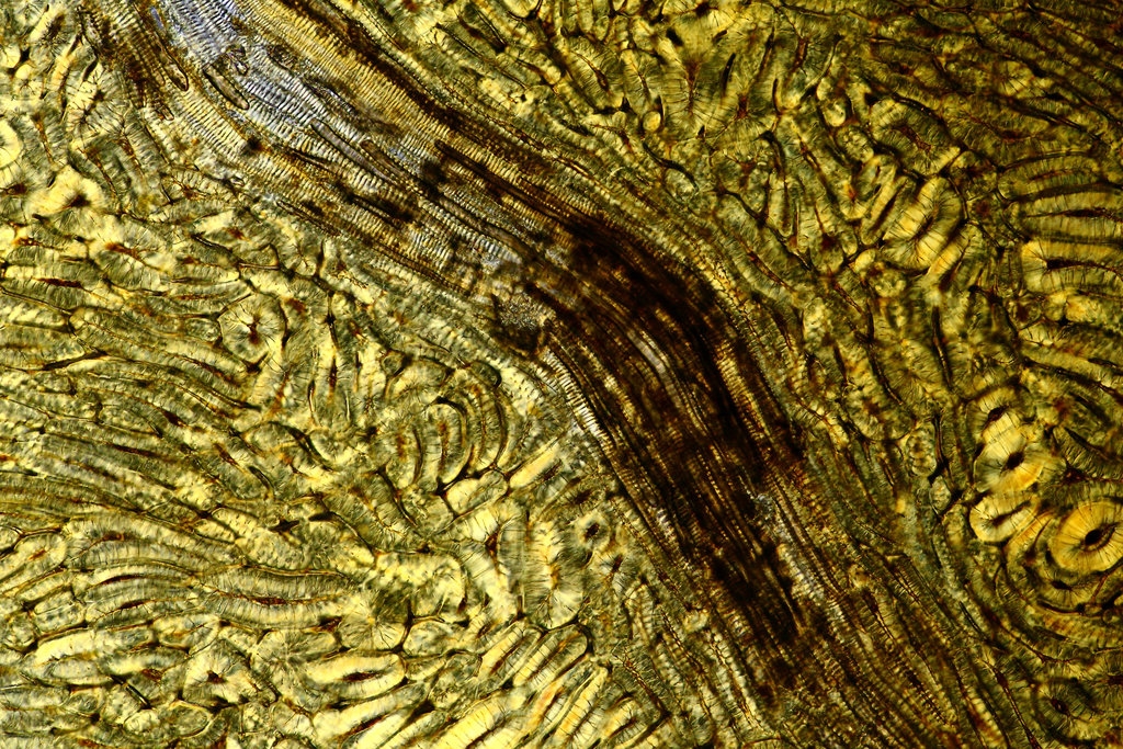
Vom Anschliff der Kokosnuss zeige ich 2 Bilder einmal im DIC und einmal im "farbigen" DIC.
Herzlichen Dank nochmals an Gerd, wie immer hast Du meinen Horizont um etwas neues erweitert.
lg
anne



Gerd Schmahl

#1
Hallo Anne,
freut mich, dass Dir mein kleines Wehnachtsgeschenk gefällt!

Für alle, die jetzt vielleicht denken, man bräuchte unbeding DIC, um einen solchen Dünnschliff zu genießen, zeige ich hier ein animiertes GIF, das die Steinzellen abwechselns Hellfeld, X-Pol und X-Pol+Rot1 zeigt.


In Annes Bildern ist noch ein schönes Leitbündel mit Schrauben-Tracheiden zu sehen.

Im Gegensatz zu Gesteinsdünnschliffen ist das Schleifen solcher "Harthölzer" ein Kinderspiel:
Ich habe mit einer kleinen Lochkreissäge ein rundes Stück aus einer Kokosnussschale herausgesägt und dieses anschließend auf Nassschleifpapier (schon wieder 3 "s" nacheinander - diese Neue Rechtschreibung!) auf einer Seite plan geschliffen. Dazu reichen bei so weichem Material 3 Körnungen: 240 - 600 - 1200. Diese plane und glatte Fläche habe ich mit UV Kleber CONLOC 665 auf einen Objektträger im Gießener Format (28x48mm) geklebt (Kleber mind. 2min einwirken lassen, bevor man das Glas auflegt, damit er in die Poren dringt). Dann wurde die andere Seite heruntergeschliffen. Da macht es sich gut, wenn man noch ein gröberes Korn für den Anfang hat, z.B (80 oder 100). Reine Arbeitszeit an einem Schliff ca. 15min. Ach ja: Ich habe dafür trocken geschliffen, auch wenn ich Nassschleifpaier verwendet habe, damit der Schliff nicht quellt und auch nicht erst trocknen muss, um aufgeklebt zu werden. Auch das DG habe ich zum Schluss mit dem gleichen UV-Kleber aufgebracht, aber sicher kann man auch andere Eindeckmittel nutzen. Geht nur eben schön schnell und der Kleber ist schon seit ein paar Jahren für Dünnschliffe bewährt.
Beste Grüße
Gerd
Man sagt der Teufel sei, im Detail versteckt,
doch hab' ich mit dem Mikroskop viel Göttliches entdeckt.