Botanik: Portugiesische Lorbeerkirsche Prunus lusitanica *

Begonnen von Hans-Jürgen Koch, März 15, 2021, 09:02:57 VORMITTAG

Vorheriges Thema - Nächstes Thema

Hans-Jürgen Koch

Liebe Pflanzenfreunde,

die Portugiesische Lorbeerkirsche ist auf der iberischen Halbinsel heimisch. Sie hat dauerhafte Blätter und ihre Blüten stehen in Trauben, die länger sind als die Blätter. Die rötlichschwarzen, spitzen Steinfrüchte werden jedoch nicht halb so dick wie die der Lorbeerkirschen.
Einige Sorten neigen zu Blattschäden:
Der Pilz Wilsonomyces carpophilus verursacht die Schrotschusskrankheit (Stigmina carpophila), die zu kreisrunden Löchern in den Blättern führt.
Aus den Blättern der Lorbeerkirsche oder Kirschlorbeer destilliert man das Kirschlorbeerwasser, das 1 Promille Blausäure enthält und heute noch für Hustensaft verwendet wird.
Die blausäurehaltigen Glykoside sind giftig, ebenso alle Pflanzenteile, besonders auch die Blätter.
Glykosid = Pflanzenstoff, der in Zucker und andere Stoffe, besonders Alkohole, gespalten werden kann.

Bild 01 Habitus, Portugiesische Lorbeerkirsche Prunus lusitanica

Urheber: kku
Die 430 Arten der Gattung verteilen sich auf fünf bzw. sechs leicht unscheinbare Untergattungen, die in einigen Ländern als eigenständige Gattungen gelten.
Die Portugiesische Lorbeerkirsche ist in Spanien und Portugal sowie auf Madeira, den Azoren und den Kanaren heimisch. Der bis zu 20 Meter hohe Baum zählt zu den engen Verwandten des Kirschlorbeers.
Im Mai und Juni bilden sich zahlreiche hängenden Ähren kleiner, weißer Blüten.

Bild 02 Blüten, Portugiesische Lorbeerkirsche Prunus lusitanica

Urheber: Ecelan
An die Blüte anschließend wachsen bei älteren Pflanzen rote Beeren, die sich im Herbst schwarz färben. Die Beeren sind eiförmig und spitz.

Bild 03 Früchte, Portugiesische Lorbeerkirsche

Urheber: VoDeTan2
Die jungen Zweige und die Blattstiele sind kahl und dunkelrot.

Bild 04 Portugiesische Lorbeerkirsche

Foto: H.-J_Koch
Die oberseitig glänzend dunkelgrünen, drüsenlosen, ledrigen Blätter sind wechselständig und länglich eiförmig. Sie werden sechs bis zwölf Zentimeter lang. Ihr Rand ist gewellt und gesägt.

Bild 05 Blatt der Portugiesischen Lorbeerkirsche

Foto: H.-J_Koch

Das immergrüne Gehölz wächst aufrecht und breitbuschig mit einer unregelmäßigen, im Alter sehr breiten, malerischen Krone.
Der Portugiesische Kirschlorbeer wächst hierzulande pro Jahr etwa 15 bis 30 Zentimeter.

Bild 06 Portugiesische Kirschlorbeer

Foto: H.-J_Koch

Bild 07 Illustration, Portugiesische Lorbeerkirsche

Quelle: Wikipedia

Systematik:
Ordnung: Rosenartige (Rosales)
Familie: Rosengewächse (Rosaceae)
Unterfamilie: Spiraeoideae
Tribus: Steinobstgewächse (Amygdaleae)
Gattung: Prunus
Art: Portugiesische Lorbeerkirsche
Wissenschaftlicher Name: Prunus lusitanica
Trivialname: Portugiesischer Kirschlorbeer, Portugiesischer Lorbeer, Iberische Lorbeerkirsche
Englische Bezeichnung: Portugal laurel

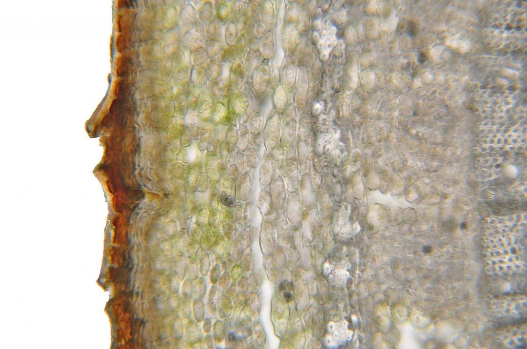
Teil 1
Spross jung, Querschnitt
35 Mikrometer

Sechs ungefärbte Schnitte.

Bild 08 Detailaufnahme, Portugiesische Lorbeerkirsche Prunus lusitanica


Bild 09 Detailaufnahme, Portugiesische Lorbeerkirsche Prunus lusitanica


Bild 10 Detailaufnahme, Portugiesische Lorbeerkirsche Prunus lusitanica


Bild 11 Autofluoreszenz, Portugiesische Lorbeerkirsche Prunus lusitanica

Auflichtbeleuchtung Fluoreszenz iLED 455 nm
LED Modul 455 nm
Reflektormodul FL mit Filtersatz 67
Erregerfilter: BP 470 nm
Strahlenteiler: FT 477 nm
Emission (Sperrfilter): LP 485

Bild 12 Blattansatz, Autofluoreszenz, Portugiesische Lorbeerkirsche Prunus lusitanica


Bild 13 Autofluoreszenz, Portugiesische Lorbeerkirsche Prunus lusitanica

Unten Markparenchym, oben Xylem, rechts Markstrahl

Wacker 3 A - Färbung (Acridinrot – Acriflavin - Astrablau)
1. Schnitte liegen in 30 % Ethanol.
2. Aqua dest. 3x wechseln je 1 Minute.
3. Vorfärbung Acridiorot 8 Min.
4. 1x auswaschen mit Aqua dest.
5. Acriflavinlösung (differenzieren bis gerade keine Farbwolken mehr abgehen - Lupenkontrolle) 20 Sekunden
6. 2 x auswaschen mit Aqua dest.
7. Nachfärbung Astrablau 90 Sekunden
8. Auswaschen mit Aqua dest. bis keine Farbstoffreste verbleiben.
9. Entwässern mit 2x gewechseltem Isopropylalkohol (99,9 %
10. Einschluss in Euparal
Fotos: Nikon D5000

Bild 14 Übersicht, Portugiesische Lorbeerkirsche Prunus lusitanica


Bild 15 Detailaufnahme mit Beschriftung, Portugiesische Lorbeerkirsche Prunus lusitanica

CU = Cuticula, EP = Epidermis, SK = Sklerenchym, RP = Rindenparenchym, PH = Phloem, T = Trachee, XY = Xylem, MST = Markstrahl, MP = Markparenchym

Bild 16 Kambium, Portugiesische Lorbeerkirsche Prunus lusitanica


Bild 17 Übersicht, Auflichtbeleuchtung Fluoreszenz, Portugiesische Lorbeerkirsche Prunus lusitanica

Auflicht Beleuchtung Fluoreszenz iLED 455 nm
LED Modul 455 nm
Reflektormodul FL mit Filtersatz 67
Erregerfilter: BP 470 nm
Strahlenteiler: FT 477 nm
Emission (Sperrfilter): LP 485

Bild 18 Leitbündel, Blattansatz, Detailaufnahme, Auflichtbeleuchtung Fluoreszenz, Portugiesische Lorbeerkirsche Prunus lusitanica


Bild 19 Detailaufnahme, Zentrum, Auflichtbeleuchtung Fluoreszenz, Portugiesische Lorbeerkirsche Prunus lusitanica

Plants are the true rulers - Pflanzen sind die wahren Herrscher.

<a href="http://www.mikroskopie-forum.de/index.php?topic=2650.0" target="_blank">Hier geht es zur Vorstellung</a>

Gerne per "Du"

Hans-Jürgen Koch

#1


Fünf ungefärbte Schnitte.

Bild 20 Übersicht, Portugiesische Lorbeerkirsche Prunus lusitanica


Bild 21 Detailaufnahme, Portugiesische Lorbeerkirsche Prunus lusitanica


Bild 22 Detailaufnahme, Portugiesische Lorbeerkirsche Prunus lusitanica


Bild 23 Autofluoreszenz, Portugiesische Lorbeerkirsche Prunus lusitanica

Auflichtbeleuchtung Fluoreszenz iLED 455 nm
LED Modul 455 nm
Reflektormodul FL mit Filtersatz 67
Erregerfilter: BP 470 nm
Strahlenteiler: FT 477 nm
Emission (Sperrfilter): LP 485

Bild 24 Jahresringgrenze, Autofluoreszenz, Portugiesische Lorbeerkirsche Prunus lusitanica


Bild 25 Übersicht mit Beschriftung, Portugiesische Lorbeerkirsche Prunus lusitanica

PE =Periderm, SK = Sklerenchym, PH = Phloem, RP = Rindenparenchym, XY = Xylem, MP = Markparenchym, J = Jahresringgrenze, ST = Strahl

Bild 26 Detailaufnahme, Portugiesische Lorbeerkirsche Prunus lusitanica


Bild 27 Detailaufnahme, Portugiesische Lorbeerkirsche Prunus lusitanica


Bild 28 Detailaufnahme, Portugiesische Lorbeerkirsche Prunus lusitanica


Bild 29 Lentizelle, Detailaufnahme, Auflichtbeleuchtung Fluoreszenz, Portugiesische Lorbeerkirsche Prunus lusitanica


Bild 30 Gegenüberstellung: junger Spross, Spross 1 Jahr alt


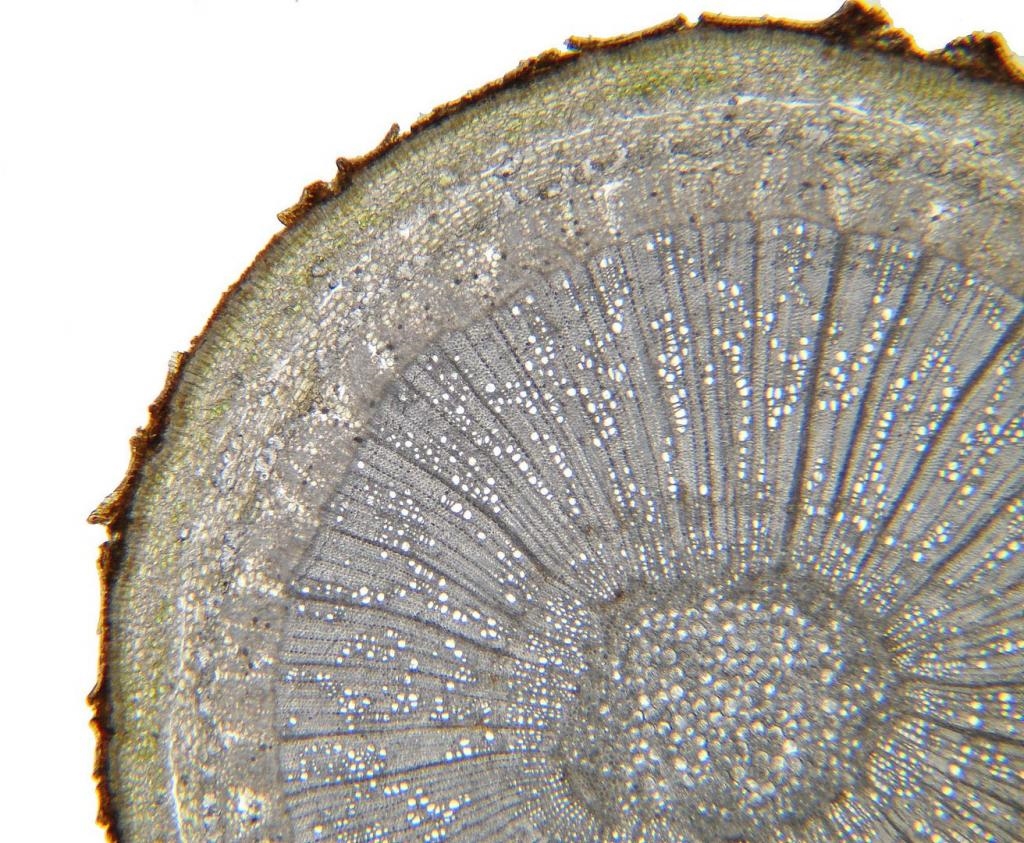
Teil 3
Spross 1 Jahr alt, Längsschnitt 30 Mikrometer

Zwei ungefärbte Schnitte

Bild 31 Übersicht, Portugiesische Lorbeerkirsche Prunus lusitanica


Bild 32 Autofluoreszenz, Portugiesische Lorbeerkirsche Prunus lusitanica


Bild 33 Knospe, Übersicht, Portugiesische Lorbeerkirsche Prunus lusitanica


Bild 34 Detailaufnahme, Portugiesische Lorbeerkirsche Prunus lusitanica


Bild 35 Detailaufnahme, Auflichtbeleuchtung Fluoreszenz, Portugiesische Lorbeerkirsche Prunus lusitanica

Auflicht Beleuchtung Fluoreszenz iLED 455 nm
LED Modul 455 nm
Reflektormodul FL mit Filtersatz 67
Erregerfilter: BP 470 nm
Strahlenteiler: FT 477 nm
Emission (Sperrfilter): LP 485

Bild 36 Detailaufnahme, Auflichtbeleuchtung Fluoreszenz, Portugiesische Lorbeerkirsche Prunus lusitanica

Plants are the true rulers - Pflanzen sind die wahren Herrscher.

<a href="http://www.mikroskopie-forum.de/index.php?topic=2650.0" target="_blank">Hier geht es zur Vorstellung</a>

Gerne per "Du"

Hans-Jürgen Koch

#2
Teil 4
Blattstiel, Querschnitt 25 Mikrometer

Vier ungefärbte Schnitte

Bild 37 Leitbündel, Portugiesische Lorbeerkirsche Prunus lusitanica


Bild 38 Übersicht, Portugiesische Lorbeerkirsche Prunus lusitanica


Bild 39 Autofluoreszenz, Portugiesische Lorbeerkirsche Prunus lusitanica


Bild 40 Autofluoreszenz, Portugiesische Lorbeerkirsche Prunus lusitanica


Bild 41 Übersicht mit Beschriftung, Portugiesische Lorbeerkirsche Prunus lusitanica

HY = Hypodermis, XY = Xylem, RP = Rindenparenchym, CU = Cuticula, EP = Epidermis, PH = Phloem

Bild 42 Detailaufnahme, Portugiesische Lorbeerkirsche Prunus lusitanica


Bild 43 Detailaufnahme, Auflichtbeleuchtung Fluoreszenz, Portugiesische Lorbeerkirsche Prunus lusitanica


Teil 5
Blatt, Querschnitt 25 Mikrometer

Drei ungefärbte Schnitte.

Bild 44 Detailaufnahme, Portugiesische Lorbeerkirsche Prunus lusitanica


Bild 45 Dunkelfeld, Portugiesische Lorbeerkirsche Prunus lusitanica


Bild 46 Übersicht, Auflichtbeleuchtung Fluoreszenz, Portugiesische Lorbeerkirsche Prunus lusitanica

Auflicht Beleuchtung Fluoreszenz iLED 455 nm
LED Modul 455 nm
Reflektormodul FL mit Filtersatz 67
Erregerfilter: BP 470 nm
Strahlenteiler: FT 477 nm
Emission (Sperrfilter): LP 485

Bild 47 Übersicht, Portugiesische Lorbeerkirsche Prunus lusitanica


Bild 48 Detailaufnahme, Auflichtbeleuchtung Fluoreszenz, Portugiesische Lorbeerkirsche Prunus lusitanica


Quellen und weiterführende Informationen:

Wikipedia
,,Botanica", ISBN: 3-8290-0868-6
,,Das große illustrierte Pflanzenbuch", 1977
Bachofer, ,,Der Kosmos Baumführer", ISBN: 978-3-440-14660-6
Spohn, ,,Kosmos-Baumführer Europa", ISBN: 978-3-440-11741-5
Welland, ,,Pflanzen", ISBN: 0-75259-615-2

Die Informationen für Beschreibungen werden von mir selbst aus verschiedenen Quellen zusammengetragen. Dabei benutze ich sowohl Bücher als auch Internet Quellen. Texte werden anschließend individuell von mir selbst verfasst.
Sollte ich ein Copyright © verletzt haben, so geschieht dies nicht mit Absicht. Bitte schicke mir ein E-Mail, wenn es der Fall sein soll.
Für konstruktive Kritik bin ich ebenso offen wie für lobende Worte.

Gruß
Hans-Jürgen

Plants are the true rulers - Pflanzen sind die wahren Herrscher.

<a href="http://www.mikroskopie-forum.de/index.php?topic=2650.0" target="_blank">Hier geht es zur Vorstellung</a>

Gerne per "Du"

Wutsdorff Peter

Grüß´ Dich Hans-Jürgen,
Gratulation!!

Wie der Berliner sagt: "Ich bin wieder einmal von die Socken"
Hast Du die Proben wieder aus Altenau?
Gruß von Deinem Bewunderer 
der Grufti (81) Peter

Fahrenheit

Lieber Hans-Jürgen,

vielen Dank für den schönen Beitrag, den ich gerne gelistet habe!

Ich habe die Pflanzen mit den roten Ästen und Blattstielen immer für eine gärtnerische Züchtung von Prunus laurocerasus gehalten. Wieder etwas gelernt.

Herzliche Grüße
Jörg
Hier geht's zur Vorstellung: Klick !
Und hier zur Webseite des MKB: Klick !

Arbeitsmikroskop: Leica DMLS
Zum Mitnehmen: Leitz SM
Für draussen: Leitz HM

wejo

Hallo Hans-Jürgen,
auch ich möchte mich für den hervorragenden Beitrag und die tollen Bilder (verbunden mit viel Arbeit) bei Dir fürs Zeigen herzlich bedanken!
Viele Grüße,
Werner

Hans-Jürgen Koch

Hallo Peter, Jörg und Werner,

danke für eurer Feedback.

@ Peter,
die Portugiesische Lorbeerkirsche wächst bei uns im Garten.

Gruß
Hans-Jürgen
Plants are the true rulers - Pflanzen sind die wahren Herrscher.

<a href="http://www.mikroskopie-forum.de/index.php?topic=2650.0" target="_blank">Hier geht es zur Vorstellung</a>

Gerne per "Du"