Botanik: Berg-Ahorn Acer pseudoplatanus, Schutzherr der Moose und Flechten. *

Begonnen von Hans-Jürgen Koch, Mai 28, 2022, 09:59:53 VORMITTAG

Vorheriges Thema - Nächstes Thema

Hans-Jürgen Koch

Der Berg-Ahorn ist ein typischer Waldbaum in ganz Europa bis zum Kaukasus. Nur auf den Britischen Inseln und in Skandinavien fehlt er.

Die Gattung der Ahorne (Acer) aus der Familie der Ahorngewächse (Aceraceae) ist mit 152 Ahorn-Arten auf der Nordhalbkugel der Erde beheimatet. Die Ahorne besitzen typische Spaltfrüchte. Die bei Reife in 2 geflügelte Nüsschen zerfallen. Die Blätter sind gegenständig angeordnet. Ihre Form ist sehr variabel, wobei häufig handförmige gelappte Spreiten auftreten.
Die meisten Arten stammen aus China, Japan und dem östlichen Himalaja; in Nordamerika sind nur wenige beheimatet.
Ahorn ist recht unempfindlich gegenüber Spätfrösten und kann in den Alpen Reinbestände bilden. Diese sind wertvolle Standorte für extremgefährdete Moose- und Flechtenarten, die heute fast nur noch in alpinen Reinluftgebieten vorkommen.
Die meisten der Ahorne sind laubabwerfend, einige auch immergrün.

Bild 01 Habitus, Berg-Ahorn Acer pseudoplatanus

Urheber: Murie lBendel

Bild 02  10 Meter hoher Baum in unserem Garten, Berg-Ahorn Acer pseudoplatanus

Beginnender Blattaustrieb (Mai 2022)
Foto: H.-J_Koch

Die Rinde älterer Bäume ist unregelmäßig, schuppig abblätternd, der Rinde der Plantane (Platatanus) ähnelnd.

Bild 03 Rinde, Berg-Ahorn Acer pseudoplatanus

Dieses Werk ist gemeinfrei.

Bild 04 Blattentfaltung, Blütentraube hängend, Berg-Ahorn Acer pseudoplatanus

Foto: H.-J_Koch
Die Blüten öffnen sich etwa gleichzeitig mit den Blättern.

Systematik:
Ordnung: Seifenbaumartige (Sapindales)
Familie: Seifenbaumgewächse (Sapindaceae)
Unterfamilie: Rosskastaniengewächse (Hippocastanoideae)
Gattung:  Ahorne (Acer)
Art: Berg-Ahorn
Wissenschaftlicher Name: Acer pseudoplatanus
Trivialnamen:
Gemeiner Ahorn, Echter oder Europäischer Ahorn
Abhorn (althochdeutsch), Acher (Kärnten im Lesachtal), Achor (mittelhochdeutsch), Achorn (mittelhochdeutsch), Aehre, Aerle, Aernbaum, Afterahorn, Aharen (mittelhochdeutsch), Ahern (mittelhochdeutsch), Ahören (mittelhochdeutsch), Ahor (mittelhochdeutsch), Ahoren (mittelhochdeutsch), Ahorn, Ahre, Ahürn (Mecklenburg), Alhorn, Amhorn, Anchore, Anchorn, Anerle, Aorn (mittelhochdeutsch), Arle, Arnholz (mittelhochdeutsch), Asthüren (Siebenbürgen), Breitlöbere (Österreich), Breitlobere, Buchéschern, Ehre (Schwaben), Ehrenbaum, Ehrenholz, Einhorn, Engelköpfchenbaum (Schlesien), Eschdorn, Wilder Feigenbaum, Flader (mittelhochdeutsch), Fladerbaum (mittelhochdeutsch), Gaisbaum, Klon (Niederlausitz), Lauterbaum, Lefelbum (Siebenbürgen bei Schäßburg), Leimáhre, Großer Massholder, Milchbaum (Elsass, Schweiz), Milenbaum, Oehrn, Ohern (mittelhochdeutsch), Ohorn (St. Gallen), Ohorenbaum (mittelhochdeutsch), Ohre, Pladerbóm (mittelniederdeutsch), Plederenbóm (mittelniederdeutsch), Spillholz (Sachsen), Spindelholz (Sachsen), Steinahre, Steinehre, Steinohre, Ure (Böhmen, Erzgebirge), Urle (Schlesien), Urlenbaum (Schlesien), Waldeschern, Weinblatt und Weinlaub.
Englische Bezeichnung: sycamore maple

Der aus dem Lateinischen kommende Gattungsname ,,Acer" bezeichnet einen Baum mit spitz gelappten Blättern; etymologisch (Wortherkunft) geht er auf das keltische Wort ,,ac" = Spitze zurück.
Der lateinische Name pseudoplatanus nimmt auf die Ähnlichkeit der Blätter mit der Platane Bezug.
Der stattliche Berg-Ahorn kann bis 40 Meter hoch und bis zu 600 Jahre alt werden. Acer pseudoplatanus kann einen Stammdurchmesser bis 2,2 Meter erreichen.
Vom Zucker-Ahorns (Acer saccharum) wird der Ahornsirup gewonnen. Er hat einen karamellartigen Geschmack und eignet sich vor allem zu süßem Gebäck und Speiseeis. Er wird vor allem in Kanada und den USA als Süßungsmittel verwendet.
Ein Baum liefert in 14 Tagen ( März), täglich 12 Liter Saft.

Bild 05 Überblick der wichtigsten Wachstumsphasen, Berg-Ahorn Acer pseudoplatanus

Foto: H.-J-Koch

Die Blätter sind gegenständig, derb, 5-lappig, Lappen ungleich grob gesägt, Herbstfärbung goldgelb bis rot; mit ungefähr 10 cm langem, runden Stiel, Oberseite rauh und etwas runzelig, dunkelgrün. Unterseite matt bläulichgrün, seltener, besonders jung, rötlich überlaufend, in den Nervenwinkeln weißgelblichfilzig.

Bild 06 Blatt, Berg-Ahorn Acer pseudoplatanus

Foto: H.-J_Koch
Bestimmungsmerkmal: wie mit einer Schere ausgeschnitten.
Die Blüten gelblichgrün, in hängenden, walzlichen Rispen (oft Schirmrispen) mit oder nach der Blattentfaltung.
Die Blüten stehen zu vielen zusammen in bis zu 12 Zentimeter langen hängenden Trauben.

Bild 07 Blütenstände, Berg-Ahorn Acer pseudoplatanus

Foto: H.-J_Koch

Die Blüten sind eher unscheinbar, 4-5 zählig, zwittrig oder eingeschlechtlich, die Staubblätter sind teilweide reduziert, wenn sie nicht nur an einzelnen Blüten, sondern der ganzen Pflanze fehlen, dann tritt Zweigeschlechtlichkeit auf (z.B. Acer negundo).
Die Blütezeit is der Mai.
Die Frucht, Spaltfrüchte, bei der Reife in zwei 1-samige, einseitig geflügelte Teilfrüchte zerfallen (Schraubenflieger), Windausbreitung. mit etwa im rechten Winkel zueinanderstehenden Flügeln, seltener spitzwinkelig oder fast parallele Fruchtflügel.
Die Knospen sind mittelgroß und in der oberen Hälfte oft leicht zugespitzt; von grün und grau-braun bis weinrot gefärbt.
Die Äste sind sehr kräftig, aufrecht. Die Zweige kurz und gebogen, graugrün, mit blassen Lentizellen.
Der Berg-Ahorn war bereits vor der Eiszeit bei uns heimisch. In den Pfahlbauten finden sich viele Gebrauchsgenstände aus Ahorn gefertigt.
Das Holz zählt zu den wertvollsten heimischen Laubhölzern. Es ist sehr hell, besitzt eine gleichmäßige Struktur und lässt leicht polieren, beizen oder färben.
Das Holz wird von Tischlern, Wagnern (Stellmacher). Drechslern und Schnitzern sehr begehrt. U.a. wird es zu Parkettböden, Fournieren, Seitenwänden von Streichinstrumenten und besonders zu Holzeinlegearten verwendet.

Bild 08 Illustration, Berg-Ahorn Acer pseudoplatanus

Aus Deutschlands Flora in Abbildungen, Johann Georg Sturm - gezeichnet von Jacob Sturm, 1796 (Quelle www.biolib.de)
Dieses Werk ist gemeinfrei.

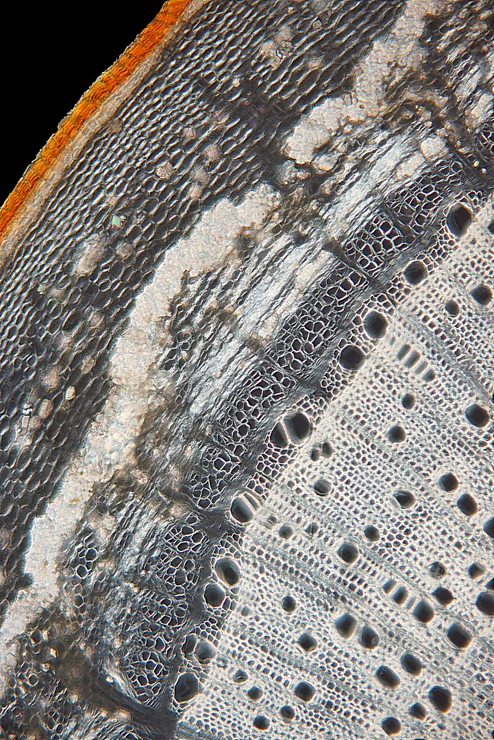
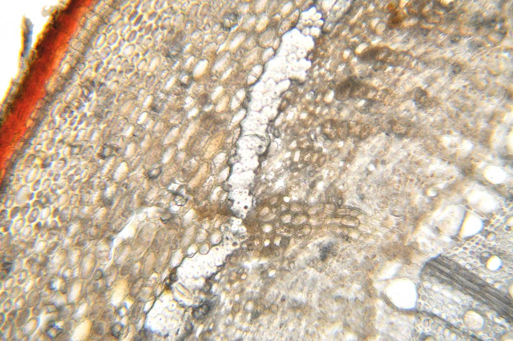
Teil 1
Einjähriger Spross, Querschnitt
20 Mikrometer


Bild 09 Pflanzenprobe, Schnittstellen, Berg-Ahorn Acer pseudoplatanus

Foto: H.-J_Koch

Bild 10 Ungefärbter Schnitt, Detailaufnahme, Berg-Ahorn Acer pseudoplatanus


Bild 11 Ungefärbter Schnitt, Detailaufnahme, Berg-Ahorn Acer pseudoplatanus


Bild 12 Ungefärbter Schnitt, Detailaufnahme, Berg-Ahorn Acer pseudoplatanus


Bild 13 Autofluoreszenz, Übersicht, Berg-Ahorn Acer pseudoplatanus

LED Modul 455 nm
Reflektormodul FL mit Filtersatz 67
Erregerfilter: BP 470 nm
Strahlenteiler: FT 477 nm
Emission (Sperrfilter): LP 485

Bild 14 Autofluoreszenz, Berg-Ahorn Acer pseudoplatanus


Bild 15 Autofluoreszenz, Berg-Ahorn Acer pseudoplatanus


Bild 16 Polarisation, Berg-Ahorn Acer pseudoplatanus


Bild 17 Polarisation, Berg-Ahorn Acer pseudoplatanus


Bild 18 Polarisation, Berg-Ahorn Acer pseudoplatanus


Bild 19 Dunkelfeld, Berg-Ahorn Acer pseudoplatanus


Bild 20 Dunkelfeld, Berg-Ahorn Acer pseudoplatanus


Plants are the true rulers - Pflanzen sind die wahren Herrscher.

<a href="http://www.mikroskopie-forum.de/index.php?topic=2650.0" target="_blank">Hier geht es zur Vorstellung</a>

Gerne per "Du"

Hans-Jürgen Koch

W-3A-Färbung nach Wacker (Acridinrot-Acriflavin-Astrablau) modifiziert

Arbeitsablauf :
1.Pflanzenprobe liegt in 30 % Ethanol.
2. Aqua dest. 3x wechseln je 1 Minute.
3. Vorfärbung Acridinrotlösung 8 Min.
4. 1x auswaschen mit Aqua dest. .
5. Acriflavinlösung (differenzieren bis gerade keine Farbwolken mehr abgehen - Lupenkontrolle) ca.15 Sekunden!!!
6. 2 x auswaschen mit Aqua dest..
7. Nachfärbung Astrablaulösung 1 Minute.
8. Auswaschen mit Aqua dest. bis keine Farbstoffreste auf dem Objektträger verbleiben.
9. Entwässern mit 3x gewechseltem Isopropylalkohol (99,9 %)
10. Einschluss in Euparal.

Ergebnis :
Zellwände blaugrün bis grün, verholzte Zellwände leuchtend rot, Zellwände der äußeren Hypodermis orangerot, Cuticula gelb, Zellwände der innenliegenden Hypodermis tiefrot.
Bei der Betrachtung wird eine Kontrastverbesserung bei Verwendung eines BG 38 Filters (blaugrün, 3mm dick) erreicht.
Fotos: Nikon D5000, Sona alpha 6000

Bild 21 Übersicht, Berg-Ahorn Acer pseudoplatanus


Bild 22 Detailaufnahme, Berg-Ahorn Acer pseudoplatanus


Bild 23 Detailaufnahme, Berg-Ahorn Acer pseudoplatanus


Bild 24 Detailaufnahme, Berg-Ahorn Acer pseudoplatanus


Bild 25 Detailaufnahme, Beschriftung, Berg-Ahorn Acer pseudoplatanus

MP = Markparenchym, XY = Xylem, RE = Reaktionsholz, HS = Holzstrahl, PH = Phloem, RP = Rindenparenchym, SK = Sklerenchym - Band, PE =Periderm, T = Trachee
Reaktionsholz (Zugholz) als blaues Band.

Als Reaktion auf äußere Einflüsse (beispielsweise Wind) bildet der Stamm einseitig Reaktionsholz.
Reaktionsholz, das aktive Richtgewebe des Baums. Dieses versucht, die aus der ursprünglichen Lage gebrachten Organe wieder in ihre Normalstellung zurückzubringen. Die aus der Normalstellung gebrachten Baumstämme und Äste weisen ein exzentrisches Dickenwachstum auf. Dabei entsteht eine Zone vermehrten Zuwachses mit verbreiterten Jahresringen.
Im Grunde genommen handelt es sich beim Reaktionsholz also um eine Gravimorphose.
Gravimorphosen [von *gravi- , griech. morphōsis = Gestaltung], Veränderungen der Gestalt eines Organismus, die von der Schwerkraft bewirkt werden.

Bild 26 Detailaufnahme, Berg-Ahorn Acer pseudoplatanus


Bild 27 Auflichtbeleuchtung Fluoreszenz, Detailaufnahme, Berg-Ahorn Acer pseudoplatanus

LED Modul 455 nm
Reflektormodul FL mit Filtersatz 67
Erregerfilter: BP 470 nm
Strahlenteiler: FT 477 nm
Emission (Sperrfilter): LP 485

Bild 28 Auflichtbeleuchtung Fluoreszenz, Detailaufnahme, Berg-Ahorn Acer pseudoplatanus


Teil 2
Spross, Längsschnitt
20 Mikrometer

Bild 29 aufgeklebter Spross, Berg-Ahorn Acer pseudoplatanus


Bild 30 Detailaufnahme, fixierte Probe, ungefärbter Schnitt, Berg-Ahorn Acer pseudoplatanus


Bild 31 Detailaufnahme, fixierte Probe, ungefärbter Schnitt, Berg-Ahorn Acer pseudoplatanus


Bild 32 Autofluoreszenz, Detailaufnahme, Berg-Ahorn Acer pseudoplatanus


Bild 33 Autofluoreszenz, Detailaufnahme, Berg-Ahorn Acer pseudoplatanus


Bild 34 Übersicht, Berg-Ahorn Acer pseudoplatanus


Bild 35 Detailaufnahme, Berg-Ahorn Acer pseudoplatanus


Bild 36 Detailaufnahme, Berg-Ahorn Acer pseudoplatanus

HST = Holzstrahl, IVTÜ = Intervaskularer Tüpfel
Frühholzgefäße, die jeweils miteinander durch intervaskulare Tüpfel verbunden sind.

Bild 37 Auflichtbeleuchtung Fluoreszenz, Detailaufnahme, Berg-Ahorn Acer pseudoplatanus

LED Modul 455 nm
Reflektormodul FL mit Filtersatz 67
Erregerfilter: BP 470 nm
Strahlenteiler: FT 477 nm
Emission (Sperrfilter): LP 485

Bild 38 Auflichtbeleuchtung Fluoreszenz, Berg-Ahorn Acer pseudoplatanus


Bild 39 Schraubentracheen, Auflichtbeleuchtung Fluoreszenz, Berg-Ahorn Acer pseudoplatanus

Schraubentracheen sind Elemente mit ring- und schraubenförmigen Verdickungsleisten, sie können sich noch strecken und werden daher im Primärxylem angelegt.
Plants are the true rulers - Pflanzen sind die wahren Herrscher.

<a href="http://www.mikroskopie-forum.de/index.php?topic=2650.0" target="_blank">Hier geht es zur Vorstellung</a>

Gerne per "Du"

Hans-Jürgen Koch

Teil 3
Blattstiel, Querschnitt
20 Mikrometer

Bild 40 Übersicht, fixierte Probe, ungefärbter Schnitt, Berg-Ahorn Acer pseudoplatanus


Bild 41 Detailaufnahme, fixierte Probe, ungefärbter Schnitt, Berg-Ahorn Acer pseudoplatanus


Bild 42 Übersicht, Berg-Ahorn Acer pseudoplatanus


Bild 43 Detailaufnahme, Berg-Ahorn Acer pseudoplatanus


Teil 4
Junger Spross, Querschnitt
20 Mikrometer

Bild 44 Schnittstelle, sehr junger Spross, Berg-Ahorn Acer pseudoplatanus


Bild 45 Übersicht, fixierte Probe, ungefärbter Schnitt, Berg-Ahorn Acer pseudoplatanus


Bild 46 Detailaufnahme, fixierte Probe, ungefärbter Schnitt, Berg-Ahorn Acer pseudoplatanus


Bild 47 Übersicht, Berg-Ahorn Acer pseudoplatanus


Bild 48 Detailaufnahme, Berg-Ahorn Acer pseudoplatanus


Bild 49 Auflichtbeleuchtung Fluoreszenz, Detailaufnahme, Berg-Ahorn Acer pseudoplatanus


Bild 50 Gegenüberstellung, Berg-Ahorn Acer pseudoplatanus


Quellenangaben und verwendete Literatur:

Wikipedia; Freie Enzyklopädie
,,Botanica", ISBN: 3-8290-0868-6
,,The Woodbook", ISBN: 978-3-8365-3605-5
,,Das große illustrierte Pflanzenbuch", 1966
,,Das Kosmos Wald & Forst-Lexikon", ISBN: 978-3-440-15219-5
,,Welcher Baum ist das?", ISBN: 978-3-440-16449-5
,,Tiere und Pflanzen", ISBN: 978-3-440-14136-6
Gregor Aas ,,Bäume", ISBN:3-7742-4058-2
Frank Erdnüß, ,,Pflanzen bestimmen für dummies", ISBN: 978-3-527-71428-5
U. Hecker ,,Einheimische Laubgehölze", ISBN: 978-3-494-01442-5
Bernd Miggel ,,Holzbestimmung mit dem Mikroskop", ISBN: 978-930167-81-4
Spohn ,,Kosmos Baumführer Europa", ISBN: 978-3-4440-44741-5
Peter A. Schmidt ,,Taschenlexikon der Gehölze", ISBN: 978-3-494-01448-7
Peter Schmidt / Ulrich Heckel ,,Die wildwachsenden und kultivierten Laub- und Nadelgehölze Mitteleuropas", ISBN: 978-3-494-01800-3
Fritz Hans Schweingruber ,,Anatomie europäischer Hölzer", ISBN: 978-3-941300-51-4
P. Schütt ,,Lexikon der Bäume und Straucharten", ISBN: 978-3-86820-123-9
Bernd Schulz, "Gehölzbestimmung im Winter", ISBN: 978-3-8001-7986-2

Die Informationen für Beschreibungen werden von mir selbst aus verschiedenen Quellen zusammengetragen. Dabei benutze ich sowohl Bücher als auch Internet Quellen. Texte werden anschließend individuell von mir selbst verfasst.
Gerne zeige ich euch die schönen Seiten der Pflanzen.
Viele Aufnahmen von einer Pflanze ermöglichen eine umfassende Wahrnehmung.
Es freut mich natürlich sehr, wenn auch euch die Bilder gefallen.
Für konstruktive Kritik bin ich ebenso offen wie für lobende Worte.

Hans-Jürgen



Plants are the true rulers - Pflanzen sind die wahren Herrscher.

<a href="http://www.mikroskopie-forum.de/index.php?topic=2650.0" target="_blank">Hier geht es zur Vorstellung</a>

Gerne per "Du"

wejo

Hallo Hans-Jürgen,
ein toller und ausführlichster Beitrag mit erstklassigen Fotos zum Thema Berg-Ahorn! Danke für Zeigen!!
Gruß, Werner

Hans-Jürgen Koch

Plants are the true rulers - Pflanzen sind die wahren Herrscher.

<a href="http://www.mikroskopie-forum.de/index.php?topic=2650.0" target="_blank">Hier geht es zur Vorstellung</a>

Gerne per "Du"

Bernd Miggel

Lieber Hans-Jürgen,

deine Darstellung des Bergahorns gefällt mir sehr!

Herzliche Grüße
Bernd

Hans-Jürgen Koch

Lieber Bernd,
danke für deine Rückmeldung.
Den Begriff ,,intervaskulare Tüpfel" habe ich aus deinem Buch – Holzbestimmung mit dem Mikroskop – übernommen.

Mit freundlichem Gruß

Hans-Jürgen
Plants are the true rulers - Pflanzen sind die wahren Herrscher.

<a href="http://www.mikroskopie-forum.de/index.php?topic=2650.0" target="_blank">Hier geht es zur Vorstellung</a>

Gerne per "Du"

Wutsdorff Peter

#7
Grüß´ Dich Hans-Jürgen,
ja, was soll man zu so einem tollen Beitrag noch sagen>>>>SUUUPEEERR!!
    In Beatenberg im Berner Oberland stehen Prachtexemplare im Höhenbereich 1000 - 1300 m.
Die haben wir immer während unserer Ferien bewundert. Ich habe noch einige Proben, von denen ich Schnippeln werde.
In der Botanik-Übersicht ist am Anfang eines der Exemplare abgebildet. Die Schnitte sind noch vom Anfänger Peter und können allenfalls mit noch ausreichend bis mangelhaft bewertet werden.
Nach der lagen Diskussion mit Peter V und den übrigen Kollegen hoffe ich bessere Bilder zeigen zu können.
Nach den übrigen Baumbildern muß ich in meinem PC noch suchen.
Aber bitte Geduld, ich habe ja noch einen  Nebenjob bei der Fa. Desta.
Also bleib´ negativ i.S. v. Corona
                                                       mit ehrfurchtsvollem Gruß  Peter


Hans-Jürgen Koch

Hallo Peter,

danke für dein Lob.
Ich hatte mich 2 Monate nicht mit der Mikroskopie beschäftigt.
Da merkt mal doch plötzlich die fehlende Übung, aber mit Geduld klappt es am Ende doch.

Gruß nach Lorsch

Hans-Jürgen
Plants are the true rulers - Pflanzen sind die wahren Herrscher.

<a href="http://www.mikroskopie-forum.de/index.php?topic=2650.0" target="_blank">Hier geht es zur Vorstellung</a>

Gerne per "Du"

Wutsdorff Peter

Hallo Hans-Jürgen,
hier ein Prachtexemplar aus dem Berner Oberland in 1300 ü NN
Gruß  Peter

HDD

Lieber Hans-Jürgen

Chapeau! Was für eine Arbeit! Toll dokumentiert.

Danke und viele Grüße     Horst-Dieter

Hans-Jürgen Koch

Lieber Horst-Dieter,

danke.

Ich freue mich schon auf unser Dörnberg -Treffen auf dem Eisenberg bei Remsfeld

@ Peter,

ja, so ein Berg - Ahorn ist schon ein Prachtexemplar.

Gruß
Hans-Jürgen
Plants are the true rulers - Pflanzen sind die wahren Herrscher.

<a href="http://www.mikroskopie-forum.de/index.php?topic=2650.0" target="_blank">Hier geht es zur Vorstellung</a>

Gerne per "Du"

Fahrenheit

Lieber Hans-Jürgen,

vielen Dank für den schönen Thread, den ich gerne gelistet habe!

Herzliche GRüße
Jörg
Hier geht's zur Vorstellung: Klick !
Und hier zur Webseite des MKB: Klick !

Arbeitsmikroskop: Leica DMLS
Zum Mitnehmen: Leitz SM
Für draussen: Leitz HM

Hans-Jürgen Koch

Plants are the true rulers - Pflanzen sind die wahren Herrscher.

<a href="http://www.mikroskopie-forum.de/index.php?topic=2650.0" target="_blank">Hier geht es zur Vorstellung</a>

Gerne per "Du"