Botanik: Jadebaum Portulacaria afra *

Begonnen von Hans-Jürgen Koch, Januar 16, 2023, 15:45:32 NACHMITTAGS

Vorheriges Thema - Nächstes Thema

Hans-Jürgen Koch

Portulacaria afra ist in Mosambik, Eswatini und in den südafrikanischen Provinzen Ostkap und KwaZulu-Natal verbreitet.

In Afrika wird die Art für Heckenpflanzungen und als Futterpflanze genutzt. In Kultur wird die Pflanze als Pfropfunterlage genutzt.

Der Jadebaum wächst als immergrüner, stark verzweigter Strauch oder kleiner Baum und wird 2 bis über 4 Meter hoch. Der glatte, rötlichbraune Stamm erreicht einen Durchmesser von bis zu 30 Zentimetern.
Die Rinde ist bei jungen Pflanzen grün und weich und wird im Alter rotbraun.

An den 3 bis 6 Millimeter dicken Trieben mit 2 bis 3 Zentimeter langen Internodien sitzen die kleinen, kreuzgegenständigen und einfachen, sitzenden bis kurz gestielten Laubblätter.
Das Internodium bezeichnet in der Botanik den Teil einer Sprossachse zwischen zwei Knoten ohne Blätter.

Bild 01 Habitus, Jadebaum Portulacaria afra

Verfasser: Abu Shawka

Portulacaria afra ist zwittrig oder weiblich, also gynodiözisch. Die gestielten Blüten erscheinen büschelig an den Zweigenden. Die kleinen Blüten mit, je nach Auffassung, doppelter oder einfacher Blütenhülle erreichen 3 Millimeter im Durchmesser und sind rosa oder weiß gefärbt. Die zwei beständigen und verwachsenen Kelchblätter oder Deckblätter werden 0,5 Millimeter und die vergänglichen fünf Kronblätter oder Tepalen 1,5 Millimeter lang.
Tepalen: Anagramm aus Petalen, von griech. petalon = Blatt, gleich gestaltete Blätter eines Perigons, die ursprünglich als Kelchblätter oder Blütenkronblätter angelegt wurden.
Es werden 5 bis 10 Staubblätter mit roten bis purpurfarbenen Staubbeuteln ausgebildet. Die weiblichen Blüten besitzen Staminodien. Der dreikantige und einkammerige Fruchtknoten mit drei fast sitzenden Narbenästen ist oberständig. Es ist jeweils ein Diskus vorhanden.
Diskus: in der Botanik eine scheibenförmige Verdickung der Blütenachse.
Es werden kleine, dreiflügelige und nicht öffnende, einsamige Früchte, Flügelnüsse gebildet.

Systematik:
Ordnung: Nelkenartige (Caryophyllales)
Familie: Didiereaceae
Gattung: Portulacaria
Art: Portulacaria afra
Wissenschaftlicher Name: Portulacaria afra
Trivialnamen: Jadebaum, Speckbaum und Elefantenbaum
Englische Bezeichnung: spekboom, elephant's food, elephant bush

Der Speckbaum, Portulacaria afra, gehörte früher zur Familie der Portulakgewächse (Portulaceaceae). Inzwischen wird er jedoch zur Familie der Didiereaceae und Unterfamilie der Portulacarioideae gezählt, innerhalb derer er mit nur einer einzigen Art vertreten ist.
Dieser gehören zwei verschiedene Sorten an: ,,Variegata" mit grünen Blättern sowie ,,Tricolor", die mehrfarbige Blätter und rosa getönte Blattränder besitzt.

Die Variegata-Form ist keine Art an sich, sondern lediglich eine Abweichung vom bekannten Farbmuster des Lophophora und kann bei einigen Pflanzen auftreten. Unter einer Variegation versteht man bei Lophophora und anderen Pflanzen das Erscheinen gemusterter Farbabweichungen (Farbfehler) auf der Epidermis.
Die Blätter sind verkehrt-eiförmig, kahl und feinstachelspitzig sowie etwas fleischig, dicklich, ganzrandig, sie werden 13 bis 26 Millimeter lang sowie 10 bis 21 Millimeter breit. Die Nebenblätter fehlen.
Der Jadebaum besitzt als Sukkulente die Fähigkeit, Wasser in den Blättern zu speichern.
Sukkulente Pflanzen haben dicke, fleischige Blätter und Stängel, in denen sie Wasser speichern und so längere Trockenzeiten überstehen können. Die Bezeichnung ist vom lateinischen Wort "suculentus" für "saftreich" abgeleitet.

Bild 02 Illustration aus der Erstbeschreibung von 1787

Dieses Werk ist gemeinfrei.
Quelle: http://bibdigital.rjb.csic.es/ing/Libro.php?Libro=2804&Pagina=406
Verfasser: Nikolaus Joseph von Jacquin (1727–1817)
Die Erstbeschreibung von Portulacaria afra erfolgte 1787 durch Nikolaus Joseph von Jacquin.
Von der Optik her erinnert der Portulacaria afra stark an den Geldbaum, jedoch ist er mit dieser Pflanze nicht verwandt.
Bild 03 Pflanzenproben, Jadebaum Portulacaria afra

Foto: H.-J_Koch

Teil 1
Spross, Querschnitt
35 Mikrometer

Bild 04 Schnittstellen, Jadebaum Portulacaria afra

Foto: H.-J_Koch

Bild 05 Detailaufnahme, ungefärbter Schnitt, Jadebaum Portulacaria afra


Bild 06 Detailaufnahme, ungefärbter Schnitt, Jadebaum Portulacaria afra


Bild 07 Detailaufnahme, ungefärbter Schnitt, Jadebaum Portulacaria afra


Bild 08 Detailaufnahme, ungefärbter Schnitt, Jadebaum Portulacaria afra


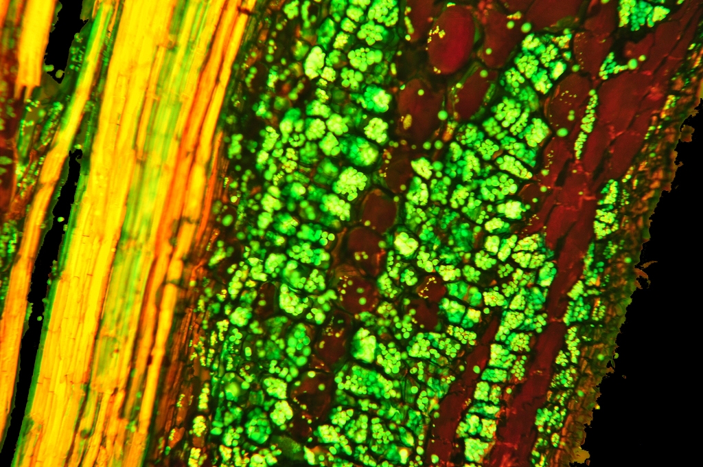
Bild 09 Autofluoreszenz, Detailaufnahme, Jadebaum Portulacaria afra

LED Modul 455 nm
Reflektormodul FL mit Filtersatz 67
Erregerfilter: BP 470 nm
Strahlenteiler: FT 477 nm
Emission (Sperrfilter): LP 485

Bild 10 Autofluoreszenz, Detailaufnahme mit Beschriftung, Jadebaum Portulacaria afra


Bild 11 Autofluoreszenz, Detailaufnahme, Jadebaum Portulacaria afra


Bild 12 Autofluoreszenz, Detailaufnahme, Jadebaum Portulacaria afra


Bild 13 Autofluoreszenz, Detailaufnahme, Jadebaum Portulacaria afra


Bild 14 Autofluoreszenz, Detailaufnahme, Jadebaum Portulacaria afra


W-3A-Färbung nach Wacker (Acridinrot-Acriflavin-Astrablau) modifiziert

Arbeitsablauf:
1.Pflanzenprobe liegt in 30 % Ethanol.
2. Aqua dest. 3x wechseln je 1 Minute.
3. Vorfärbung Acridinrotlösung 8 Min.
4. 1x auswaschen mit Aqua dest. .
5. Acriflavinlösung (differenzieren bis gerade keine Farbwolken mehr abgehen - Lupenkontrolle) ca.15 Sekunden!!!
6. 2 x auswaschen mit Aqua dest..
7. Nachfärbung Astrablaulösung 1 Minute.
8. Auswaschen mit Aqua dest. bis keine Farbstoffreste auf dem Objektträger verbleiben.
9. Entwässern mit 3x gewechseltem Isopropylalkohol (99,9 %)
10. Einschluss in Euparal.
Ergebnis :
Zellwände blaugrün bis grün, verholzte Zellwände leuchtend rot, Zellwände der äußeren Hypodermis orangerot, Cuticula gelb, Zellwände der innenliegenden Hypodermis tiefrot.
Bei der Betrachtung wird eine Kontrastverbesserung bei Verwendung eines BG 38 Filters (blaugrün, 3mm dick) erreicht.
Fotos: Nikon D5000, Sony alpha 6000

Bild 15 Detailaufnahme, Jadebaum Portulacaria afra


Bild 16 Detailaufnahme mit Beschriftung, Jadebaum Portulacaria afra


Bild 17 Detailaufnahme, Jadebaum Portulacaria afra


Bild 18 Detailaufnahme, Jadebaum Portulacaria afra


Bild 19 Detailaufnahme, Jadebaum Portulacaria afra


Bild 20 Auflichtbeleuchtung Fluoreszenz, Jadebaum Portulacaria afra

LED Modul 455 nm
Reflektormodul FL mit Filtersatz 67
Erregerfilter: BP 470 nm
Strahlenteiler: FT 477 nm
Emission (Sperrfilter): LP 485

Bild 21 Auflichtbeleuchtung Fluoreszenz, Jadebaum Portulacaria afra

Plants are the true rulers - Pflanzen sind die wahren Herrscher.

<a href="http://www.mikroskopie-forum.de/index.php?topic=2650.0" target="_blank">Hier geht es zur Vorstellung</a>

Gerne per "Du"

Hans-Jürgen Koch

#1
Teil 2
Spross, Längsschnitt
35 Mikrometer

Bild 22 Detailaufnahme, ungefärbter Schnitt, Jadebaum Portulacaria afra


Bild 23 Detailaufnahme, ungefärbter Schnitt, Jadebaum Portulacaria afra


Bild 24 Autofluoreszenz, Detailaufnahme, Jadebaum Portulacaria afra


Bild 25 Autofluoreszenz, Detailaufnahme, Jadebaum Portulacaria afra


W-3A-Färbung nach Wacker (Acridinrot-Acriflavin-Astrablau)

Bild 26 Übersicht, Jadebaum Portulacaria afra


Bild 27 Detailaufnahme, Jadebaum Portulacaria afra


Bild 28 Detailaufnahme, Jadebaum Portulacaria afra


Bild 29 Auflichtbeleuchtung Fluoreszenz, Jadebaum Portulacaria afra


Bild 30 Auflichtbeleuchtung Fluoreszenz, Jadebaum Portulacaria afra


Teil 3
Wurzel, Querschnitt
35 Mikrometer

Bild 31 Übersicht, ungefärbter Schnitt, Jadebaum Portulacaria afra


Bild 32 Detailaufnahme, ungefärbter Schnitt, Jadebaum Portulacaria afra


Bild 33 Detailaufnahme, ungefärbter Schnitt, Jadebaum Portulacaria afra


Etzold-grün Färbung nach Brügmann (Hannover)

(Chrysoidin, Fuchsin, Alciangrün - eine Mischung aus Alciangelb und
Alcianblau)

Färben mit Etzold grün Gemisch (10 Minuten)
In Wasser entmin. auswaschen, 2x wechseln, je 1 Minute.
In 100% Isopropylalkohol, sorgfältig entwässern, 3x wechseln
1. Stufe: sofort absaugen
2.Stufe = 30 Sekunden,
3.Stufe = 3 Minuten,
4.Stufe = 5 Minuten

Tipp:
Schnelles Entwässern erhält die Rotfärbung, die sonst ausgespült wird.
Daher Wasser gut absaugen, viel Isopropanol hinzugeben und sofort absaugen.
Einschließen in Euparal

Bild 34 Detailaufnahme, Jadebaum Portulacaria afra


Bild 35 Detailaufnahme Jadebaum Portulacaria afra


Bild 36 Detailaufnahme, Jadebaum Portulacaria afra


Bild 37 Detailaufnahme, Auflichtbeleuchtung Fluoreszenz, Jadebaum Portulacaria afra


Bild 38 Detailaufnahme, Auflichtbeleuchtung Fluoreszenz . Jadebaum Portulacaria afra


Quellen und weiterführende Informationen:

Wikipedia; Freie Enzyklopädie
,,Botanica" Das Abc der Pflanzen, ISBN: 3-8290-0868-6

Die Informationen für Beschreibungen werden von mir selbst aus verschiedenen Quellen zusammengetragen. Dabei benutze ich sowohl Bücher als auch Internet Quellen.
Gerne zeige ich euch die schönen Seiten der Pflanzen.
Viele Aufnahmen von einer Pflanze ermöglichen eine umfassende Wahrnehmung.
Es freut mich natürlich sehr, wenn auch euch die Bilder gefallen.
Für konstruktive Kritik bin ich ebenso offen wie für lobende Worte.

Hans-Jürgen

Plants are the true rulers - Pflanzen sind die wahren Herrscher.

<a href="http://www.mikroskopie-forum.de/index.php?topic=2650.0" target="_blank">Hier geht es zur Vorstellung</a>

Gerne per "Du"

Fahrenheit

Lieber Hans-Jürgen,

vielen Dank für den interessanten Beitrag mit wie immer tollen Aufnahmen.
Natürlich habe ich ihn gerne gelistet.

Herzliche Grüße
Jörg
Hier geht's zur Vorstellung: Klick !
Und hier zur Webseite des MKB: Klick !

Arbeitsmikroskop: Leica DMLS
Zum Mitnehmen: Leitz SM
Für draussen: Leitz HM

Wutsdorff Peter

Guten Abend  Hans-Jürgen,
wie immer ein hervorragender  Beitrag!!
Die  Fotos (ohne Fluor.) bestechen durch ihre Brillianz.
Sind die Fotos gestakt?
Die Beschriftung mag mein PC offensichtlich nicht. Schade!
Bitte hilf mir eine Unklarheit zu beseitigen:
",,Tricolor", die zweifarbigen Blätter" . Wenn ich mich recht an meinen 6-jährigen Lateinunterricht erinnere, bedeutet "Tri" drei. Oder liege ich da falsch?
Mit botanischen Grüßen
                                         Peter

Bernd Miggel

Lieber Hans-Jürgen,

auch ich habe eine Frage: Um was handelt es sich bei den unzähligen, kleinen, runden Gebilden in den Bildern 6, 8, 19, 23 und 25?

Viele Grüße
Bernd

Fahrenheit

Lieber Bernd,

da sehe ich Amyloplasten - Stärkekörner.

Herzliche Grüße
Jörg
Hier geht's zur Vorstellung: Klick !
Und hier zur Webseite des MKB: Klick !

Arbeitsmikroskop: Leica DMLS
Zum Mitnehmen: Leitz SM
Für draussen: Leitz HM

Bernd Miggel

Danke Jörg,

jetzt sehe ich sie auch. ;)

Herzlichen Gruß
Bernd

beamish

Lieber Peter,

du hast die rosa getönten Blattränder übersehen:
" ... ,,Tricolor", die zweifarbigen Blätter und rosa getönte Blattränder besitzt."

Grüße
Martin
Zeiss RA mit Trinotubus 0/100
No-Name China-Stereomikroskop mit Trinotubus
beide mit Canon EOS 500D

Hans-Jürgen Koch

Hallo Jörg, Peter, Bernd und Martin

danke für eure Rückmeldungen.

@ Peter,

danke für deine lobenden Worte.
Das Stacking von Fotos habe ich noch nie probiert, für mich zu aufwendig.
Neben der Naturform des Portulacaria afra gibt es noch die 2 Sorten Portulacaria afra , Variegata' und ,Tricolor'. Diese haben ein- oder mehrfarbige Blätter (hellgrün mit weiß) zum Teil mit rötlichem Rand sowie hellere, rotbraune Äste.
Auf eine Beschriftung von Bildern habe ich dieses Mal verzichtet.

@ Bernd,

– Jörg war mit der Antwort schneller.
Amyloplasten sind für die Umwandlung von Monosacchariden in Stärke und für die anschließende Speicherung zuständig.

@ Martin,

habe meinen Beitrag korrigiert.

Gruß
Hans-Jürgen
Plants are the true rulers - Pflanzen sind die wahren Herrscher.

<a href="http://www.mikroskopie-forum.de/index.php?topic=2650.0" target="_blank">Hier geht es zur Vorstellung</a>

Gerne per "Du"