Botanik: Asch-Weide Salix cinerea *

Begonnen von Hans-Jürgen Koch, April 13, 2023, 16:36:59 NACHMITTAGS

Vorheriges Thema - Nächstes Thema

Hans-Jürgen Koch

Zu dieser Gattung gehören über 400- 500 Arten (je nach Artauffassung) Bäume oder Sträucher mit einjährigen, wechselständigen, gezähnten, meist länglichen Blättern – vorwiegend heimisch in den kalten und gemäßigten Klimazonen der nördlichen Hemisphäre. Außerdem in SO-Asien, S-Afrika und S-Amerika, nicht aber in Australien und Ozeanien.
Salix-Arten neigen stark zum Bastardieren, woraus sich Probleme bei der Bestimmung und Abgrenzung von Arten ergeben.
Etwa 30 Arten und zahlreiche Bastarde sind bei uns heimisch.

In einer naturwissenschaftliche Publikation über die Weiden sagte
Goethe  einmal ,,ein lotterhaftes Geschlecht"
Johann Wolfgang Goethe, (*28. August 1749 in Frankfurt am Main; † 22. März 1832 in Weimar).
Goethe war ein Universalgenie mit vielen Talenten und ein emsiger und ehrgeiziger Forscher:  er hat nicht nur den Zwischenkieferknochen (den Mensch und Affe gemeinsam haben) 
entdeckt, er beschäftigte sich auch mit der Botanik.

Bild 01 Habitus, Asch-Weide Salix cinerea

Dieses Werk ist gemeinfrei
Wuchs sehr breit, oft fast halbkugelig.

Die schnellwüchsigen, aber auch relativ kurzlebigen Bäume wurden früher wegen ihrer biegsamen Zweige angepflanzt, die zur Herstellung von Flechtwerk (z.B. Weidenkörbchen) dienten.
Bevorzugte Verwendungen von Weide sind Plattenwerkstoffe, Zellstoff und Zündhölzer.
Früh und reich blühende Arten sind als ,,Kätzchenweiden"  ( z.B. ,,Palmkätzchen" als Schmuckreisig am Palmsonntag) beliebt.

Außerdem festigen Weiden mit kräftigen und verzweigten Wurzeln (Pfahlwurzel) das Erdreich.

Die Rinde liefert Gerbstoffe; Blätter, Blüten und besonders die Rinde das bittere Glycosid Salicin, das früher arzneilich Verwendung fand als Fiebermittel und Antireumaticum (Cortex Salicis), heute jedoch durch synthetische Herstellung  von Salicylsäure an Bedeutung verloren.

Zur Drogengewinnung eignen sich fast alle Salixarten.
Alle Weidenarten enthalten in der Rinde (zur Fraßverteidigung) Gerbstoffe und bittere Salizylverbindungen, die schmerzstillend, schweiß- und harntreibend wirken (außerdem auch bakterientötend – Salizylsäure ist Konservierungsstoff).

Aus der Rinde der Weide wurden einst Aspirin gewonnen.

Der Chemiker Hermann Kolbe (1818-1884) schaffte es erstmals, Salicylsäure im Labor und ab 1874 auch fabrikmäßig herzustellen. Die Nebenwirkungen dieses Produktes waren aber so hoch, dass es nicht als Medikament vermarktet werden konnte. 1897 gelang es Chemikern der Firma Bayer, die Salicylsäure in Acetylsalicylsäure umzuwandeln. Diese hat als Medikament deutlich weniger Nebenwirkungen als Salicylsäure und wurde ab 1899 unter dem Markennamen Aspirin vermarktet.
Die Borke der Weiden kann getrocknet und als Tee aufgebrüht werden. Sie enthält Gerbstoffe, Phenolglykoside, Salicin und acylierte Salicinderivate (u. a. Salicortin, Fragilin, Populin). Vor allem das Salicin wird im Körper zu Salicylsäure umgewandelt, welches der Grundstoff von Medikamenten auf der Basis von Acetylsalicylsäure (ASS) ist.
Salizyl ist natürlich von salix abgeleitet; so hießen die Weiden schon bei den Römern, ob dies von salus lat. = Gesundheit oder aus dem indogermanischen sal = salzgrau kommt ist umstritten.

Die Weiden sind zweihäusig, getrenntgeschlechtig (diözisch).

Als Getrenntgeschlechtigkeit bezeichnet man in der Biologie ein Sexualsystem, bei dem es nur zwei Geschlechter gibt und jeder einzelne Organismus entweder männlich oder weiblich ("Weidenfrau" oder "Weidenmannn" ist.

Die Blütenkätzchen sitzen auf den nackten Zweigen, bilden sich also vor der Blätterknospung, manchmal aber auch gleichzeitig. Die
männlichen Kätzchen bestehen aus Blüten ohne Blütenkrone (Corolla), die in der Achsel der Deckblätter stehen,
Die Gesamtheit der Kronblätter einer Blüte wird als Krone oder Corolla bezeichnet.
Diese zeigen manchmal eine leghafte Farbe, ganz besonders an der Spitze.

Diese Weidenart Salix cinerea aus Europa und Asien wächst zu einem kleinen Baum von bis zu 6 Meter heran.
Die 8 cm langen wechselständigen Blätter haben einen gewellten Rand und eine gräuliche Unterseite.
Die Zweige sind ebenfalls gräulich und behaart.

Bild 02 Asch-Weide Salix cinerea

Foto: H.-J_Koch
Männliche Blüte in bis 4 cm langen Kätzchen mit gelben Staubbeuteln, vor dem Laubaustrieb

Bild 03 Asch-Weide Salix cinerea

Foto: H.-J_Koch
Kätzchenknospen dick, braun und glänzend

Bild 04 Asch-Weide Salix cinerea

Foto: H.-J_Koch
Kätzchenknospen bei minus 2 °C  ( 02.April 2023)

Systematik:

Ordnung: Malpighienartige (Malpighiales)
Familie: Weidengewächse (Salicacea)
Gattung: Weide (Salix)
Art: Asch-Weide
Wissenschaftlicher Name: Salix cinerea
Trivialname: Grau-Weide
Englische Bezeichnung: Gray Willow

Bild 05 Illustration, Asch-Weide Salix cinerea

1 Zweig mit männlichen Kätzchen, 2 männliche Blüte mit Schildblättern, 3 weibliche Kätzchen, 4 weibliche Blüte mit Schildblättern, 5 Zweig mit Blättern, 6 reifes Samenhaus

Dieses Werk ist gemeinfrei.
Quelle: www.lysator.liu.se/runeberg/nordflor/378.html
Verfasser: Carl Axel Lindmann (1856-1928)

Die Gattung Weide ist seit der Oberen Kreide bekannt.
Die Bezeichnung für diese Gattung ist sehr alt und abgeleitet vom althochdeutschen ,,wida" bzw. dem mittelhochdeutschen, mittelniederdeutschen ,,wide".
In manchen Gegenden Bayerns ist die mundartige Bezeichnung heute noch ,,Wiede".

Bild 06 Schnittstellen, Asch-Weide Salix cinerea

Foto: H.-J_Koch
Seitenknospen immer mit eischuppiger Hülle.

Der Zweig ist gelbgrün bis dunkel grau , matt, kurz samtig grau behaart, später sich verlierend und glänzend.
Das Holz hat deutliche Striemen, Äste oft gefurcht (spannrückig)

Teil 1
Einjähriger Spross, Querschnitte
25 Mikrometer

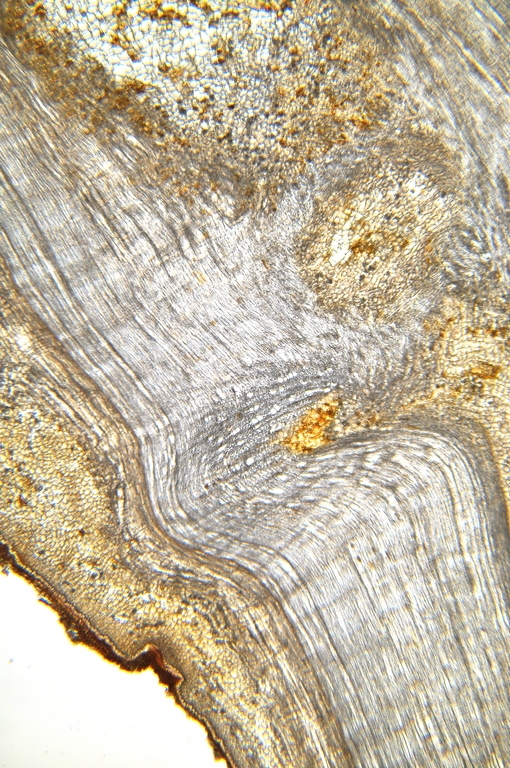
Bild 07 Übersicht, ungefärbter Schnitt,  Asch-Weide Salix cinerea

Kernholz: hellbräunlich bis rotbräunlich
Splintholz: breit, weißlich bis gelb-weißlich
Poren: fein, zerstreut

Bild 08 Detailaufnahme, ungefärbter Schnitt,  Asch-Weide Salix cinerea


Bild 09 Detailaufnahme, ungefärbter Schnitt,  Asch-Weide Salix cinerea


Bild 10 Detailaufnahme, ungefärbter Schnitt, Asch-Weide Salix cinerea


Bild 11 Polarisation, Übersicht, ungefärbter Schnitt,  Asch-Weide Salix cinerea


Bild 12 Polarisation, Übersicht, ungefärbter Schnitt,  Asch-Weide Salix cinerea


Bild 13 Polarisation, Übersicht, ungefärbter Schnitt,  Asch-Weide Salix cinerea


Bild 14 Autofluoreszenz, Detailaufnahme, Asch-Weide Salix cinerea

LED Modul 455 nm
Reflektormodul FL mit Filtersatz 67
Erregerfilter: BP 470 nm
Strahlenteiler: FT 477 nm
Emission (Sperrfilter): LP 485

Bild 15 Autofluoreszenz, Asch-Weide Salix cinerea


Bild 16 Autofluoreszenz, Asch-Weide Salix cinerea


Bild 17 Autofluoreszenz, Asch-Weide Salix cinerea

Plants are the true rulers - Pflanzen sind die wahren Herrscher.

<a href="http://www.mikroskopie-forum.de/index.php?topic=2650.0" target="_blank">Hier geht es zur Vorstellung</a>

Gerne per "Du"

Hans-Jürgen Koch

#1
Färbung mit Safranin-Astrablau-Chrysoidin (SAC)

• Safranin (5 Minuten)
• 3x gut spülen in Wasser
• Differenzieren in Salzsäurealkohol
     auf 100 ml Ethanol 70% + 0,5 ml Salzsäure, 36 % ig
• 5x gut spülen in Wasser
• Astrablau (30 Sekunden)
• 3x spülen in Wasser
• Chrysoidin (5 Minuten)

Fotos: Nikon D5000, Sony Alpha 6000, Samsung Galaxy A52

Bild 18 Übersicht,  Asch-Weide Salix cinerea


Bild 19 Detailaufnahme,  Asch-Weide Salix cinerea


Bild 20 Detailaufnahme mit Beschriftung ,  Asch-Weide Salix cinerea

J = Jahresringgrenze, ST = Strahl, MP = Markparenchym, XY = Xylem, PH = Phloem, SK = Sklerenchym-Inseln, RP = Rinderparenchym

Bild 21 Jahresrinhgrenze,  Asch-Weide Salix cinerea


Bild 22 Übersicht, Auflichtbeleuchtung Fluoreszenz, Asch-Weide Salix cinerea

LED Modul 455 nm
Reflektormodul FL mit Filtersatz 67
Erregerfilter: BP 470 nm
Strahlenteiler: FT 477 nm
Emission (Sperrfilter): LP 485

Bild 23 Detailaufnahme, Auflichtbeleuchtung Fluoreszenz, Asch-Weide Salix cinerea


Bild 24 Detailaufnahme, Auflichtbeleuchtung Fluoreszenz, Asch-Weide Salix cinerea


Bild 25 Polarisation, Asch-Weide Salix cinerea


Bild 26 Detailaufnahme, Auflichtbeleuchtung Fluoreszenz, Asch-Weide Salix cinerea

Dass  Markparenchym ragt in das Rinderparenchym hinein.

Teil 2
Einjähriger Spross, Längsschnitt
25 Mikrometer

Bild 27 Mikrotom

Danke an Wolfgang Weber (Seesen. Münchehof) für das tolle Mikrotom.

Bild 28 Übersicht, ungefärbter Schnitt,  Asch-Weide Salix cinerea


Bild 29 Detailaufnahme, ungefärbter Schnitt,  Asch-Weide Salix cinerea


Bild 30 Detailaufnahme, ungefärbter Schnitt,  Asch-Weide Salix cinerea


Bild 31 Detailaufnahme, ungefärbter Schnitt,  Asch-Weide Salix cinerea


Bild 32 Detailaufnahme, ungefärbter Schnitt,  Asch-Weide Salix cinerea


Bild 33 Autofluoreszenz, Detailaufnahme,  Asch-Weide Salix cinerea



Bild 34 Autofluoreszenz, Asch-Weide Salix cinerea


Färbung mit Safranin-Astrablau-Chrysoidin (SAC)

Bild 35 Übersicht,  Asch-Weide Salix cinerea


Bild 36 Dunkelfeld,  Asch-Weide Salix cinerea


Bild 37 Detailaufnahme,  Asch-Weide Salix cinerea


Bild 38 Detailaufnahme, Asch-Weide Salix cinerea


Bild 39 Detailaufnahme, Asch-Weide Salix cinerea


Bild 40 Übersicht,  Auflichtbeleuchtung Fluoreszenz, Asch-Weide Salix cinerea


Bild 41 Detailaufnahme,  Auflichtbeleuchtung Fluoreszenz, Asch-Weide Salix cinerea


Bild 42 Detailaufnahme,  Auflichtbeleuchtung Fluoreszenz, Asch-Weide Salix cinerea


Fazit:

Ich habe mich mit mehreren Arten der Weide beschäftigt.

Bruch -Weide- 2015
https://www.mikroskopie-forum.de/index.php?topic=22292.msg165977#msg165977


Hängende Sal-Weide -  2021
http://www.mikroskopie-forum.de/index.php?topic=40658.0

Die einzelnen baumförmigen Arten der Weiden lassen sich mikroskopisch nicht unterscheiden. Eingelagerte Kristalle in den Holzstrahlen habe ich auch bei der Sal-Weide nicht gefunden.

Quellen und weiterführende Informationen:

Wikipedia; Freie Enzyklopädie

Gregor Aas ,,Bäume", ISBN:3-7742-4058-2
Bachofer ,,Der Kosmos Baumführer", ISBN: 978-440-14660-6
Humphries ,,Der Kosmos Baumführer", ISBN: 3-440-06140-X
Bernd Miggel ,,Holzbestimmung mit dem Mikroskop", ISBN: 978-930167-81-4
Spohn ,,Kosmos Baumführer Europa", ISBN: 978-3-4440-44741-5
Peter A. Schmidt ,,Taschenlexikon der Gehölze", ISBN: 978-3-494-01448-7
Schmidt ,,Die wildwachsenden und kultivierten Laub- und Nadelgehölze Mitteleuropas", ISBN: 978-3-494-01800-3
Schmeil ,,Leitfaden der Pflanzenkunde",1950
Schütt ,, Lexikon der Baum – und Straucharten", ISBN: 978-3-86820-123-9
Schulz ,,Gehölzbestimmunh im Winter", ISBN: 978-3-8001-7986-2
Fritz Hans Schweingruber ,,Anatomie europäischer Hölzer", ISBN: 978-3-947300-51-4

,,Das große illustrierte Pflanzenbuch", 1966
,, Das Kosmos Wald & Forst-Lexikon" ISBN: 978-3-440-1512-5
,,Welcher Baum ist das ?", ISBN: 978-3-440-16449-5
,,Botamika", ISBN: 3-8290-0868-6

Die Informationen für Beschreibungen werden von mir selbst aus verschiedenen Quellen zusammengetragen. Dabei benutze ich sowohl Bücher als auch Internet Quellen.
Gerne zeige ich euch die schönen Seiten der Pflanzen.
Viele Aufnahmen von einer Pflanze ermöglichen eine umfassende Wahrnehmung.
Es freut mich natürlich sehr, wenn auch euch die Bilder gefallen.
Für konstruktive Kritik bin ich ebenso offen wie für lobende Worte.

Hans-Jürgen
Plants are the true rulers - Pflanzen sind die wahren Herrscher.

<a href="http://www.mikroskopie-forum.de/index.php?topic=2650.0" target="_blank">Hier geht es zur Vorstellung</a>

Gerne per "Du"

Bernd Miggel

Lieber Hans-Jürgen,

deine Bilder gefallen mir sehr!
Kennst du einen brauchbaren Bestimmungsschlüssel für die heimischen Salix-Arten?

Herzliche Grüße
Bernd






Hans-Jürgen Koch

Lieber Bernd,

danke.

Ich benutze sehr gerne alte Bücher.




Fitschen ,,Gehölzflora",1994

Rothmaler ,,Exkursionsflora von Deutschland" Band 1-3, 1994

Schmeil-Fitschen ,, Die Flora Deutschlands und angrenzender Länder", 2019

Schmeil-Fitschen ,,Die Flora Deutschlands und angrenzender Länder", 2011

Schmeil, Fitschen ,,Flora von Deutschland".1952

Rothmaler ,, Exkursionsflora", Band 2, 1981

Rothmaler ,, Exkursionsflora", Band 3, 1985

Rothmaler ,, Exkursionsflora", Band 4, 1988

Beim Bestimmungsschlüssel für die heimischen Salix-Arten möchte ich mich nicht festlegen; es gibt in der Fachliteratur zu viele Widersprüche.

Gruß
Hans-Jürgen
Plants are the true rulers - Pflanzen sind die wahren Herrscher.

<a href="http://www.mikroskopie-forum.de/index.php?topic=2650.0" target="_blank">Hier geht es zur Vorstellung</a>

Gerne per "Du"

KayZed

Hallo Bernd,

außer der wissenschaftlichen Bestimmungsliteratur, die für den interessierten Laien manchmal recht mühsam werden kann, würde ich dir folgende Internetseite ans Herz legen. Auf dieser Schweizer Weidenplattform finden sich mehrere links zur Weiden-Bestimmung (natürlich meist nur eine Auswahl, aber das reicht ja oft):

https://www.salix.ch/index.php?page=linksammlung&thema=Botanik

Liebe Grüße
KlausZ
Zeiss Stemi 508
Zeiss Jenaval Kontrast
Nikon Z7

Wutsdorff Peter

Guten Abend  Hans-Jürgen,
Gratulation zu diesem wunderbaren Beitrag!!
Im Schwizerdütsch nennt man die Weiden "Widli". Cf. Gotthelf: Bartli, der Korber.
Ist Bild 39 wirklich eine Fluor.-Aufn?
Ich staune immer wieder, wie Du das alles so sauber hinbekommst.
Gruß Peter

Bernd Miggel

Hallo Klaus,

das ist ja eine (fast verwirrende) Fülle an Dokumenten über Weiden!

Viele Grüße
Bernd

KayZed

Hallo Bernd,

ja, das schaut zunächst nach einer verwirrenden Fülle von Links aus, aber man sich die paar Bestimmungslinks heraussuchen. So viele sind es nicht.

Hallo Hans-Jürgen,

um nicht deine eindrucksvollen Weidenschnitte als Bestimmungsfaden zweckzuentfremden, möchte ich als schwerpunktmäßiger Tümpler dir mal ausdrücklich für deine vielen phantastischen Beiträge gratulieren. Sie sind eine große Bereicherung des Forums. Ich schaue deine Monographien immer wieder gerne an, wobei ich als Pflanzenfreund die Bandbreite von der Makroaufnahme bis zum Mikroschnitt besonders schätze.
Ich habe zwar früher auch mal rudimentär Pflanzenschnitte angefertigt, bin aber mittlerweile eher bei den Mikroorganismen des Wasser gelandet. Soll aber nicht heißen, dass meine Färbemittel irgendwann mal wieder zum Einsatz kommen.

Liebe Grüße
KlausZ
Zeiss Stemi 508
Zeiss Jenaval Kontrast
Nikon Z7

Hans-Jürgen Koch

Hallo Peter und KlausZ.

danke für euer Interesse an meiner Arbeit.

@Peter,
du bist ein aufmerksamer Leser, der Fehler (Bild 39) ist behoben.

@ KlausZ,
danke für deine lobenden Worte.

Gruß
HansJürgen

Plants are the true rulers - Pflanzen sind die wahren Herrscher.

<a href="http://www.mikroskopie-forum.de/index.php?topic=2650.0" target="_blank">Hier geht es zur Vorstellung</a>

Gerne per "Du"

Fahrenheit

Lieber Jürgen,

ein schöner Beitrag, den ich gerne gelistet habe.

Interessant finde ich die Wachstumsstörung im Xylem, erstmalig in Bild 7.

Herzliche Grüße
Jörg
Hier geht's zur Vorstellung: Klick !
Und hier zur Webseite des MKB: Klick !

Arbeitsmikroskop: Leica DMLS
Zum Mitnehmen: Leitz SM
Für draussen: Leitz HM

Hans-Jürgen Koch

Lieber Jörg,

Wachstumsstörungen habe ich bei Obstbäumen schon häufiger gesehen, die durch Abschnüren mit Drähten entstanden sind.

Gruß
Hans-Jürgen
Plants are the true rulers - Pflanzen sind die wahren Herrscher.

<a href="http://www.mikroskopie-forum.de/index.php?topic=2650.0" target="_blank">Hier geht es zur Vorstellung</a>

Gerne per "Du"