Hauptmenü

Granulit (?)

Begonnen von Bernhard Lebeda, Juli 28, 2010, 20:35:31 NACHMITTAGS

Vorheriges Thema - Nächstes Thema

Bernhard Lebeda

Hallo liebe Gesteinsfreunde

wie doch die Zeit vergeht: im Februar hatte ich meine Dünnschliffmethode vorgestellt

https://www.mikroskopie-forum.de/index.php?topic=4882.0


dazu hatte ich einen vermeintlichen Granit geschliffen, bei dem Olaf eher auf einen Granuliten tippte mit dem Hinweis, dass dieser mikroskopisch eher langweilig sein würde. Leider hab ich immer noch Probleme von Dünnschliffen saubere gute Bilder zu machen (woran das liegt, daran arbeite ich noch) , so dass ich immer gezögert habe sie hier zu zeigen. Mittlerweile habe ich aber so viel zu dem gesehenen recherchiert und gelesen und möchte sie daher heute doch einmal vorstellen. Für mich als mineralogischem Grünschnabel war der Schliff nämlich alles andere als langweilig und ich hab viele neue Begriffe und Zusammenhänge gelernt-wenn denn meine Interpretationsversuche richtig sind. Insofern sind alle Bildkommentare als Frage und nicht als Aussage zu verstehn.

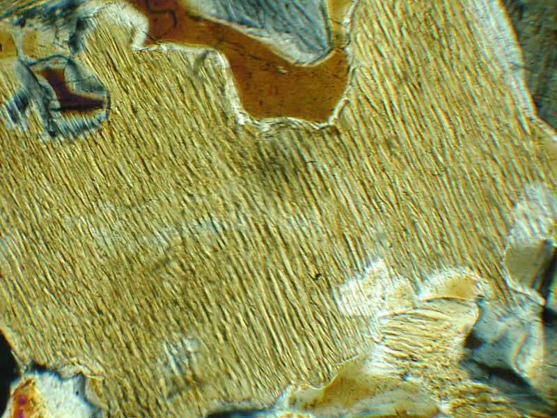
Zunächst gab es natürlich viele Granatkörner, die isotrop sind und daher bei # Pol dunkel blieben.
Drumherum aber ein (relativ) gleichkörniges Gefüge bestehend aus Quartz, Biotit, Plagioklas und wie ich vermute Olivin.

ein paar Eindrücke



Biotitkorn




was ich für Olivin halte






Sehr auffällig und häufig waren relativ grosse Körner mit Strukturen, die ich als spindelförmige perthitische Entmischungslamellen ansprechen würde















Hier meine ich einen verzwillingten Plagioklas zu erkennen (durch die scharfe Kante mit eigentümlich räumlicher Wirkung!), mit schönen Strukturen, die ich als Myrmekit ansprechen würde.









Und schön bunt war es auch  ;)












also wenn die Schliffe alle so "wenig interessant" bleiben, hab ich nix dagegen  ;D


Freue mich über Kommentare zur Mineralogie, an der Fotoqualität arbeite ich noch!!


Viele geschliffene Mikrogrüsse

Bernhard




Ich bevorzuge das "DU"

Vorstellung

micromax

Hallo Bernhard,
bei Dünnschliffbildern finde ich es besonders wichtig, daß Du das was Du meinst auch irgendwie kennzeichnest. Gerade auf dem ersten Bild sind eine ganze Menge an unterschiedlichen Mineralien zu sehen. Da ist es mir zumindest nicht klar welches Du eigentlich meinst mit:
Quartz, Biotit, Plagioklas und wie ich vermute Olivin.
Für mich wäre es hilfreich, wenn Du jedes Korn mit einem Buchstaben versehen würdest z.B Quarz mit Qz, Biotit mit B, Plagioklas mit Pgl und Olivin mit O.
Dann weiß man welches Individuum Du meinst und kann zustimmen oder widersprechen
Gruß Micromax

Bernhard Lebeda

Zitat von: micromax in Juli 28, 2010, 21:25:05 NACHMITTAGS
Hallo Bernhard,
bei Dünnschliffbildern finde ich es besonders wichtig, daß Du das was Du meinst auch irgendwie kennzeichnest. Gerade auf dem ersten Bild sind eine ganze Menge an unterschiedlichen Mineralien zu sehen. Da ist es mir zumindest nicht klar welches Du eigentlich meinst mit:
Quartz, Biotit, Plagioklas und wie ich vermute Olivin.
Für mich wäre es hilfreich, wenn Du jedes Korn mit einem Buchstaben versehen würdest z.B Quarz mit Qz, Biotit mit B, Plagioklas mit Pgl und Olivin mit O.
Dann weiß man welches Individuum Du meinst und kann zustimmen oder widersprechen
Gruß Micromax

Hallo

bei den meisten Bildern dürfte ja ziemlich klar sein welches Korn gemeint ist. Das im ersten Bild alle im Schliff vorkommenden Minerale abgebildet sind, hab ich nicht behauptet, das ist vielleicht ein Missverständnis. Es zeigt vorwiegend gelblich-graue Quarzkörner und die Perthite (mit Lamellen). Bitte erspar mir den ganzen Ramsch jetzt noch mal beschriftet neu hochzuladen.


Mit Bitte um Nachsicht

Bernhard
Ich bevorzuge das "DU"

Vorstellung

micromax

Hallo Bernhard,
ich will Dich auf keinen Fall ärgern und auch nicht besonders schulmeisterlich daherkommen. Aber mir ist leider bei einem Konvolut an Mineralindividuen nicht klar welches genau gemeint ist. Ich finde es generell schwierig bei Dünnschliffbildern von der Beschreibung auf das Bild zu schließen. Nicht nur bei Deinen Bildern.
Wie gesagt es war nicht bös gemeint und bestimmt gibt es Speziallisten hier die Dir besser weiterhelfen können
Gruß Micromax

Ragin

Hallo Bernhard.
Es freut mich, mal wieder so einen schönen Schliff gezeigt zu bekommen.
Das Problem mit den Fotos kenne ich auch nur zu gut. Selbst wenn es auf dem Display der Kamera gut und scharf erscheint dann ist das Ergebnis oft ein anderes was nicht so ganz befriedigend ist.
Ist mehr so ein Glücksspiel bei mir. Zur Bestimmung der einzelnen Mineralien im Pol kommt es auch sehr auf die Schliffdicke an wenn man die Farben analysieren will und dann noch auf die Gradzahl, wann sich die Farben bei Drehung wie ändern. Das ist für einen Leihen wie mich noch ein Buch mit sieben Siegeln. Aber Hauptsache, es macht Spaß die ganze Schleiferei. Mir reicht es vorläufig durchaus, erst mal den Ästhetischen Aspekt der Betrachtung zu genießen bevor ich mich in das weite Reich bizarster wissenschaftlicher Wortschöpfungen im Mineralienreich begebe. Da kann einem eh nur schwindlig werden was es da so alles gibt. Natürlich interessiert es mich auch immer sehr, was für Kristalle da in meinen Steinen zu sehen sind.
Du machst mir Mut, auch bald mal wieder was zu zeigen.
Liebe Grüße,
Rainer
Ich pflege das bayrische Du, von Mensch zu Mensch

olaf.med

Lieber Bernhard,

herzlichen Dank für Deinen schönen, bunten Beitrag. Dazu ein paar Bemerkungen - aber auch ich möchte nicht schulmeisterlich erscheinen, sondern nur den Informationsgehalt erhöhen.

1. Der Schliff scheint, zumindest teilweise, noch zu dick zu sein, daher haben selbst die Quarze und Perthite gelbe Interferenzfarben.

2. Bitte, bitte nicht Quartz, wie es auf Deiner Fernost-Armbanduhr steht, sondern Quarz im deutschen Sprachgebrauch.

3. Niemals gar nie nicht kommt Quarz und Olivin in solchen Gesteinen nebeneinander vor. Das führt zum mineralogischen Supergau, da beide nicht nebeneinander stabil sind. Das, was Du als Olivin bezeichnest, ist vermutlich Pyroxen.

Ansonsten sieht man hervorragende Perthite (entmischte Feldspäte) - die "geflammten" Bereiche, Myrmekite - die wurmförmigen Verwachsungen von Feldspat und Quarz etc. Aber komm' doch einfach mal vorbei und wir mikroskopieren das gemeinsam. So weit es es ja nicht von Bochum nach Bochum und das Semester ist auch endlich vorbei, so dass dafür Zeit bleibt.....

@ Ragin:

ZitatMir reicht es vorläufig durchaus, erst mal den Ästhetischen Aspekt der Betrachtung zu genießen bevor ich mich in das weite Reich bizarster wissenschaftlicher Wortschöpfungen im Mineralienreich begebe

Hallo Rainer

Was denkst Du denn, wie man sich als Nicht-Biologe und Nicht-Mediziner in diesem Forum fühlt! In der Mineralogie gibt es lächerliche ca. 2500  Spezies, von denen vielleicht ein Dutzend wirklich wesentlich am Aufbau der Erde beteiligt sind. Vergleiche das doch  mal mit der Menge der Spezies (und damit der Namen) alleine in der Biologie.Komischerweise beschäftigen sich ganz viele Leute mit der belebten Natur, und kennen sich da auch gut aus, aber selten ist jemand bereit sich auch nur mit einem Feldspat zu beschäftigen - immerhin das Material aus dem 65% der Erdkruste besteht und der im wahrsten Sinne des Wortes DIE Lebensgrundlage ist!

Ein dreifach kräftiges Feldspat, Feldspat, Feldspat,

Olaf
Gerne per Du!

Vorstellung: http://www.mikroskopie-forum.de/index.php?topic=4757.0

... und hier der Link zu meinen Beschreibungen historischer mineralogischer Apparaturen:
https://www.mikroskopie-forum.de/index.php?topic=34049.0

wilfried48

Hallo Bernhard,

also ich bin "baff".

Da habe ich nun seit einem halben Jahr das Abele System im Institut stehen und ausser einigen dienstlichen Elektronikchip Dünnschliffen noch nichts fertiggebracht (liegt aber nicht am Abele System !!!) und dann kommt der "Geigenfinger" mit seiner Baumarktausrüstung daher und liefert so schöne Dünnschliffe ab  ???

Zu deinen Erklärungen kann ich leider nichts beitragen, da bei mir die Mineralogie (obwohl Physiker)  bei komplexeren Systemen immer einen schwarzen Vorhang in der Vorstellungskraft erzeugt hat.

Aber vielleicht können du und Olaf zusammen auch bei mir (und vielleicht auch anderen Forumsmitgliedern) etwas Licht ins dunkel bringen. Dazu wäre zum erklärenden Text wirklich die Bezeichnung der im Text erwähnten Phasen mit einem Buchstaben hilfreich.

Und wenn Olaf oder TPL dann noch ein wenig zur Entstehungsgeschichte beitragen dann würde der Feldspat auch im Forum sicher mehr gewürdigt.
Also ich bin durch deine bunten Bilder so richtig motiviert.

viele Grüsse
Wilfried
vorzugsweise per Du

Hobbymikroskope:
Zeiss Axiophot,  AL/DL/Ph/DIC/Epi-Fl
Zeiss Axiovert 35, DL/Ph/DIC/Epi-Fl
Zeiss Universal Pol,  AL/DL
Zeiss Stemi 2000 C
Nikon Labo-/Optiphot mit CF ELWD Objektiven

Sammlung Zeiss Mikroskope
https://www.mikroskopie-forum.de/index.php?topic=107.0

Bernhard Lebeda

#7
Hallo Olaf

Zitat
herzlichen Dank für Deinen schönen, bunten Beitrag. Dazu ein paar Bemerkungen - aber auch ich möchte nicht schulmeisterlich erscheinen, sondern nur den Informationsgehalt erhöhen.

...ja, ja die liebe Zeitgeistpsychologie...niemand möchte geschulmeistert oder gar missioniert werden. Dabei kann es gelegentlich nicht schaden... ;)  und um Infos hatte ich ja gebeten. Ich hab also kein Problem damit!


Zitat
1. Der Schliff scheint, zumindest teilweise, noch zu dick zu sein, daher haben selbst die Quarze und Perthite gelbe Interferenzfarben.

das ist wohl so. So richtig viele gelungene Schliffe hab ich noch nicht vorzuweisen. Und wenn dann mal einer nicht vorzeitig von den Seiten her einzureissen scheint, tendiere ich noch dazu zu früh die Nerven zu verlieren und aufzuhören  ;D


Zitat
2. Bitte, bitte nicht Quartz, wie es auf Deiner Fernost-Armbanduhr steht, sondern Quarz im deutschen Sprachgebrauch.

hoppla...diese vermaledeite Tastatur... ;D


Zitat
3. Niemals gar nie nicht kommt Quarz und Olivin in solchen Gesteinen nebeneinander vor. Das führt zum mineralogischen Supergau, da beide nicht nebeneinander stabil sind. Das, was Du als Olivin bezeichnest, ist vermutlich Pyroxen.

oh je oh je...ein peinsamer Lapsus...ich werde mich bemühen die Bücher zu Ende zu lesen  ;)


ZitatAber komm' doch einfach mal vorbei und wir mikroskopieren das gemeinsam. So weit es es ja nicht von Bochum nach Bochum und das Semester ist auch endlich vorbei, so dass dafür Zeit bleibt.....


Das Angebot nehme ich gerne an, vielen Dank,  zumal ich gerade noch einige Schliffe hier habe zum auswerten. Dann bis demnächst in Bochum... ;)



Viele geschliffene Grüsse


Bernhard
Ich bevorzuge das "DU"

Vorstellung

Ragin

Hallo Olaf,
Ich bin ja auch kein Biologe oder Mediziner, nur ein Landschaftsgärtner mit weit gefächerten Interessen. Da ich erstrangig mit Natursteinarbeiten und Kies Schaufeln beschäftigt bin liegt es halt nahe, dass mich die Steine ganz besonders interessieren. Hab schon so manchen interessanten Kiesel gefunden und halte stets die Augen auf. Daneben sind natürlich auch die Pflanzen, ganz besonders die Heilpflanzen in meinem Fokus und die Teichbewohner will ich auch nicht vergessen. Ist somit ein weites Feld, wo ich Material zur Beobachtung finde.
Momentan haben es mir die Mikrofosilien angetan, besonders die Foraminiferen, wo ich mich bald mal dran machen will neben Dünnschliffen auch so genannte Peels, also Acetatfolienabdrücke zu machen. Hast Du da Erfahrung damit?
Ich fühle mich auf jeden Fall ganz wohl hier im Forum.
Schöne Grüße nach Bochum. Hätte auch gerne mal mit gemacht bei Euren Analysen
Rainer
Ich pflege das bayrische Du, von Mensch zu Mensch

TPL

#9
Gott kvöld Bernhard!
schön, die vielen Dünnschliffbilder. Allerdings gebe ich Micromax recht, dass es sehr viel leichter ist, sich an eine gemeinsame Bestimmung zu wagen, wenn durch Beschriftung absolut eindeutig ist, über welches Korn man sich gerade auslässt. Bei den magmatischen Gesteinen kann ich - trotz aktuell von Vulkaniten umzingelt zu sein - recht wenig beitragen, aber Olaf hat ja schon...

Was das Schleifen angeht: wenn die Dünschliff-Seiten 'einreißen', kann das sehr verschiedene Ursachen haben. Ungleichmäßige Verklebung? Zu starker Druck auf die Außenkanten? Oder (und das war bei mir der häufigste Fehler) einfach ein nicht plan geschiffener Ausgangsblock, der schon als 'Uhrglas" auf den Objektträger gekittet wird. Da hilft dann auch kein sorgfältiges Ausgleichen beim Schliff der Oberseite mehr, denn die Unterseite liegt eben nur mit der balligen Mitte auf dem Objektträger und die auskeilenden Kanten der Gesteinslamelle 'schwimmen' frei im Klebstoff. Nur so eine Vermutung....

Um die Klötzchen möglichst plan zu bekommen sollten sie möglichst dünn sein und parallele Oberflächen haben und immer nur mit sanftem Druck auf der Schleiffläche bewegt werden. Wenn die Klötzchen seitlich gehalten werden (machst Du mit Deinen Fingern ja nicht - hatten wir schon ;)) riskiert man schnell einseitiges Abschleifen, dass so leicht nicht wieder rausgeht.

Das Problem mit den unscharfen Bildern bei scharfem visuellen Eindruck kennen Einige - auch ich. Manchmal ist es die nicht-plane Optik, manchmal der nicht ebene Schliff. Besonders bei schwachen Obektiven hat das schon so manchen um den Verstand gebracht...

Trotzdem weiter viel Erfolg und Spaß dabei!
Schöne Grüße aus Reykjavik, Thomas

@ Rainer: Azetatfolien-Abzüge sind zwar relativ günstig und schnell herzustellen (Klötzchen anschleifen, anätzen, abspülen, Azeton auftragen, Folie etwas größer als im gewünschten Format auflegen, sanft andrücken und drauf lassen, bis der Film wieder hart ist, vorichtig abziehen, abwaschen, in 5x5-Diagläschen (oder größer) rahmen. Aber leider verliert man damit praktisch alle stoffliche Information. Gut, die Karbonate sind da nicht so ergiebig, aber deren Interferenzfarben sucht man dann natürlich vergebens.

Bernhard Lebeda

Hallo Thomas

vielen Dank für Deine Antwort von der Insel  ;D


Den Schliff hatte ich ja vor einem halben Jahr gemacht und ich glaube inzwischen Fortschritte erzielt zu haben. Ein weiterer Granitschliff ist kurz vor der Vollendung und bis jetzt (~150 µm) sieht es noch ganz geschmeidig aus! Ich denke ich hatte den ersten Anschliff nicht sorgfältig genug gemacht, sowohl Planität als auch sauberes Anschleifen der Kanten.

Zur Bildqualität: ich hab zwar das Billigheimer Ding aus Indien, aber die Optik ist inzwischen Leitz EF 4x und Leitz Periplan Brille. Das Objektiv lässt auch bei Pflanzenschnitten eine gewisse Knackigkeit vermissen, wohl wegen der kleinen Apertur und das könnte auch hier Teil des Problems sein. Mit der Randunschärfe kann ich ja leben, die hat sicher Gründe auch im Schliff, aber den Fokus überhaupt irgendwo im Bild zu treffen fällt mir hier schon schwer. Wenn man den Kameramonitor beobachtet, und ich hab einige Übung darin, und am Feintrieb dreht, sieht das Bild innerhalb bestimmter Grenzen immer gleich aus, man schiesst irgendwo völlig zufällig ins Blaue. Am PC sehen die Fotos dann meist zum weinen aus, sind unscharf, grisselig bis flau. Ich hab allerdings noch die Polfolie, den Trinotubus und die ziemlich primitive Beleuchtung im Verdacht, möglicherweise auch die Halogenbirne selber, da hab ich schon die tollsten Qualitätsunterschiede gesehen. Alle diese Dinge werden demnächst der Reihe nach eruiert werden, schaun wie mal...

Ich füge mich auch gerne dem Wunsch, weitere Dünnschliffbilder demnächst zu beschriften!


Viele polare Grüsse


Bernhard


Ich bevorzuge das "DU"

Vorstellung

Klaus Herrmann

#11
Hallo Bernhard,

ZitatPolfolie

wenn das der Analysator ist, kann das viel ausmachen, das hatte ich bei mir mal. Folie und glasgefasst waren himmelweite Unterschiede!

Hast Du an Deinem Laborlux nicht eine Filterschieberöffnung?

Bei Bernard ist das so, da werden wir ein Schieberle machen wo ein Polfilter reinpasst:
(Bilder am Ende des Threads!)

http://www.lenaturaliste.net/forum/viewtopic.php?f=125&t=6129

Klaren Blick wünscht

Edit: hab gerade bei deiner beneidenswert tollen Website gespickelt: du hast gar kein Laborlux, aber doch ordentliche Glas-Polschieber?

Wo ist dann die ecklige Folie? Als Polarisator was gläsernes zu finden ist doch simpel!
Mit herzlichen Mikrogrüßen

Klaus


ich ziehe das freundschaftliche "Du" vor! ∞ λ ¼


Vorstellung: hier klicken

TPL

Góðan daginn, Bernharður!

die Leitz-EF-Optik ist sicher mehr als ausreichend gut; auch was die Apertur angeht. Allerdings plage ich mich - ähnlich wie Mikromax - immer noch damit herum, dass auch mit den ansonsten sehr gut geebneten schwachen Plan-Objektiven (in unserem Falle das Carl Zeiss Plan 2,5/o,o8 Pol) Bilder wie Dein erstes entstehen: scharfe Mitte, flauer Rand mit Farbfehlern. Mit der Tucsen 3Mpx-Kamera hatte ich diese Probleme, bis ich sie mit einem KPl-Projektiv und 0,25x-Objektiv adaptiert habe. Dann blieb 'nur' noch das Problem mit den stark vom visuellen Eindruck abweichenden Farben, das ich bis heute nicht lösen konnte. (Ich habe dafür aber jetzt rund 10 Wochen Zeit 8)).


Die Sache mit der Beschriftung hat sicher zwei Seiten und beide haben ihre Berechtigung: in Bildern, die durch ihre Schönheit wirken sollen stört die Beschriftung sicher. Aber für die Diskussion ist sie sehr, sehr hilfreich.

Bless, Thomas

Bernhard Lebeda

#13
Zitat von: Klaus Herrmann in Juli 30, 2010, 13:06:10 NACHMITTAGS
Hallo Bernhard,

ZitatPolfolie

wenn das der Analysator ist, kann das viel ausmachen, das hatte ich bei mir mal. Folie und glasgefasst waren himmelweite Unterschiede!

Hast Du an Deinem Laborlux nicht eine Filterschieberöffnung?

Bei Bernard ist das so, da werden wir ein Schieberle machen wo ein Polfilter reinpasst:
(Bilder am Ende des Threads!)

http://www.lenaturaliste.net/forum/viewtopic.php?f=125&t=6129

Klaren Blick wünscht

Edit: hab gerade bei deiner beneidenswert tollen Website gespickelt: du hast gar kein Laborlux, aber doch ordentliche Glas-Polschieber?

Wo ist dann die ecklige Folie? Als Polarisator was gläsernes zu finden ist doch simpel!


Hallo Klaus

zunächst muss ich gestehen dass meine tolle Website etwas veraltet ist und meine aktuellen Geräte nicht zeigt! Ich hab schon  ein Laborlux, aber nicht Pol. Und den Schieber hat das Laborlux S und ich hab D!

Das indische PolMik hatte ich im Laufe der Zeit versucht aufzupäppeln. Neben der Optik habe ich auch die Polarisatoren ausgetauscht. Die sind ja ziemlich in das Gerät integriert und man muss doch einiges auseinander schrauben um dran zu kommen. Ich hab vor Jahren Polfolie von B&W verbaut für beide Pols. Das ist eigentlich gute Qualität, aber beim reinfummeln des Analysators, der ja auch orientiert werden muss, hab ich wohl irgendeinen Mist gemacht, leichte Deformation, Delle, unter Spannung oder so was. Jedenfalls stellte sich bald heraus, dass es schwer bis unmöglich ist, perfekt zu fokussieren. Ich stellte fest dass ich den Analysator etwas rausziehen muss, dabei kann man geradezu zusehen, wie das Bild scharf wird. Nun hab ich hier noch Polfolie von
http://www.knightoptical.co.uk/ und ich hab auch mal die Glaspolarisatoren von Thorns bestellt http://www.biologie-bedarf.de/products/312981/. Erstere hat perfekte Extinktion, zweitere dunkeln weniger gut, geben aber auch (am Laborlux getestetes) gutes Bild. Da der Austausch immer ein Akt ist und der visuelle Eindruck durchaus befriedigend, hab ich den Test mit den auf Halde liegenden Polarisatoren immer auf langweilige Winterabende verschoben.  ;D


Nu hat ja aber Thomas ein ähnliches Problem, und der hat bestimmt first class equippment!  Der Grund könnte also doch eher woanders, vielleicht Beleuchtung oder auch Kamera liegen. Aber ich werde weiter testen!



Viele Grüsse

Bernhard
Ich bevorzuge das "DU"

Vorstellung

-JS-

Hallo Ihr,


ZitatBernhard: Ich füge mich auch gerne dem Wunsch, weitere Dünnschliffbilder demnächst
zu beschriften!

und:

ZitatThomas: Die Sache mit der Beschriftung hat sicher zwei Seiten und beide haben ihre
Berechtigung: in Bildern, die durch ihre Schönheit wirken sollen stört die Beschriftung sicher.
Aber für die Diskussion ist sie sehr, sehr hilfreich.


Wenn nun aus Gründen der Schönheit keine Bezeichnungen in ein Bild geschrieben werden sollen, aber
dennoch eine saubere Lokalisierung einzelner Bereiche möglich sein soll, so empfiehlt sich vielleicht eine
Vorgehensweise, wie sie z.B. bei technischen Zeichnungen auch üblich ist, nämlich die guten alten
Koordinaten, wie im nachstehenden Beispiel verdeutlicht:



Dies lässt sich sehr leicht mit einer kleinen Schablone bewerkstelligen, die man einfach um das Bild herum
einkopiert und schon lassen sich alle möglichen Orte auf dem Bild eindeutig zuordnen. Selbstredend kann
die Schablone auch schwarzgrundig mit weisser Schrift sein, das sieht sicher vornehmer aus und stört
noch weniger, insbesondere, wenn der Rand etwas schmaler ausgeführt ist als bei dem von mir eilig
hingehauenen Beispiel oben.

Viele Grüße
Joachim
... bevorzugt es, ge_Du_zt zu werden ...