Botanik: Koreanische Abelie - Abelia mosanensis *

Begonnen von Hans-Jürgen Koch, Februar 05, 2021, 14:11:19 NACHMITTAGS

Vorheriges Thema - Nächstes Thema

Hans-Jürgen Koch

Liebe Pflanzenfreunde,

die Koreanische Abelie hat einen breit strauchförmigen Wuchs mit überhängenden oder abstehenden Ästen. Die Wuchshöhe und auch die Wuchsbreite liegen bei ca. 1,5 Meter. Das natürliche Verbreitungsgebiet der Koreanischen Abelie liegt in der gemäßigten Zone auf der koreanischen Halbinsel in Ostasien.

Bild 01 Habitus, Koreanische Abelie Abelia mosanensis

Dieses Werk ist gemeinfrei.

Abelia mosanensis gehört zu den Sommerblühern unter den Blütensträuchern.
Das Besondere an Abelia mosanensis sind die stark duftenden Blüten die von Mai bis Juni an diesem seltenen Gehölz erscheinen.
Die rosafarbenen Knospen sind in Büscheln an den Triebspitzen angeordnet. Wie kleine weiße Sternchen zieren die geöffneten Blüten den Strauch, ihr starker Duft lockt Schmetterlinge und andere Insekten magisch an und dienen als Nahrungsquelle.

Bild 02 Zweig mit Blütenständen, Koreanische Abelie Abelia mosanensis

Urheber: Salicyna

Bild 03 Zweig mit Blättern und Blüten

Dieses Werk ist gemeinfrei
Schädlinge hinterlassen Löcher in Blättern, lassen Blüten verkümmern oder fressen ganze Pflanzen kahl.

Die zwittrigen Trichterblüten sind fünfzipfelig und tragen vier Staubblätter. Die Blüten stehen in Rispen an den Triebenden. Ein schöner Kontrast zu den weißen Blüten sind die fünf bronzefarbenen Kelchblätter, die sie umgeben.

Systematik:
Ordnung: Kardenartige (Dipsacales)
Familie: Geißblattgewächse (Caprifoliaceae)
Unterfamilie: Linnaeoideae
Gattung: Abelien (Abelia)
Art: Koreanische Abelie
Wissenschaftlicher Name: Abelia mosanensis
Englischer Name: Korean Abelia

Sie wurde bis vor kurzem in die Familie der Geißblattgewächse (Caprifoliaceae) eingeordnet. Nach neuesten Untersuchungen ist sie aber inzwischen in der neu erstellten Pflanzenfamilie der Linnaeaceae (Unterfamilie der Geißblattgewächse) zu finden, unter anderem zusammen mit den Weigelien (Weigela) und den Schneebeeren (Symphoricarpos).

Ihren botanischen Gattungsnamen Abelia trägt die Pflanze nach dem amerikanischen Naturforscher Clarke Abel, den viele seiner Forschungsreisen nach Japan und China führten.
Clarke Abel (* 5. September 1789 in Bungay, Suffolk, England; † 24. November 1826 in Cawnpore, Indien) war ein britischer Arzt, Naturforscher und Botaniker.

Das Laub der Großblütigen Abelie ist dunkelgrün glänzend und hat eine zugespitzt eiförmige Form. Es ist kurz gestielt und sitzt wechselständig an den Zweigen. Der Blattrand ist schwach gesägt. Im Herbst färben sich die Blätter über gelb in rotbraun um und bleiben meist den ganzen Winter über am Strauch.

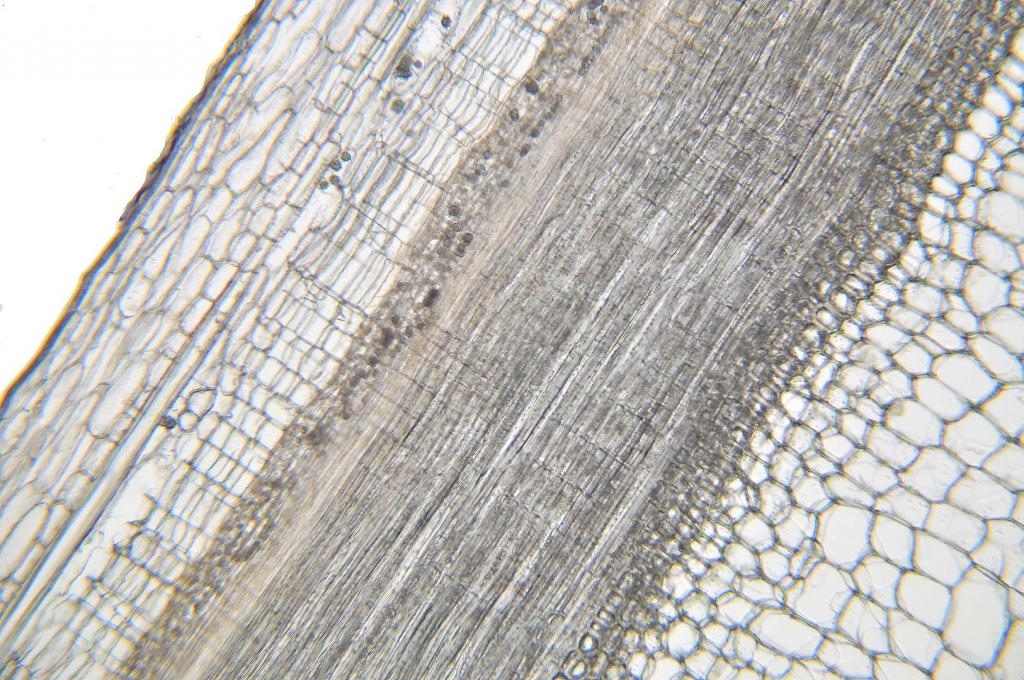
Teil 1
Spross, Querschnitt
30 Mikrometer

Fünf ungefärbte Schnitte.

Bild 04 Übersicht Koreanische Abelie Abelia mosanensis


Bild 05 Detailaufnahme, Koreanische Abelie Abelia mosanensis


Bild 06 Detailaufnahme, Koreanische Abelie Abelia mosanensis


Bild 07 Autofluoreszenz, Koreanische Abelie Abelia mosanensis

Auflichtbeleuchtung Fluoreszenz iLED 455 nm
LED Modul 455 nm
Reflektormodul FL mit Filtersatz 67
Erregerfilter: BP 470 nm
Strahlenteiler: FT 477 nm
Emission (Sperrfilter): LP 485

Bild 08 Dunkelfeld, Koreanische Abelie Abelia mosanensis


Wacker 3 A - Färbung (Acridinrot – Acriflavin - Astrablau)

1. Schnitte liegen in 30 % Ethanol.
2. Aqua dest. 3x wechseln je 1 Minute.
3. Vorfärbung Acridiorot 8 Min.
4. 1x auswaschen mit Aqua dest.
5. Acriflavinlösung (differenzieren bis gerade keine Farbwolken mehr abgehen - Lupenkontrolle) 15 Sekunden
6. 2 x auswaschen mit Aqua dest.
7. Nachfärbung Astrablau 90 Sekunden
8. Auswaschen mit Aqua dest. bis keine Farbstoffreste verbleiben.
9. Entwässern mit 2x gewechseltem Isopropylalkohol (99,9 %
10. Einschluss in Euparal
Fotos: Nikon D5000

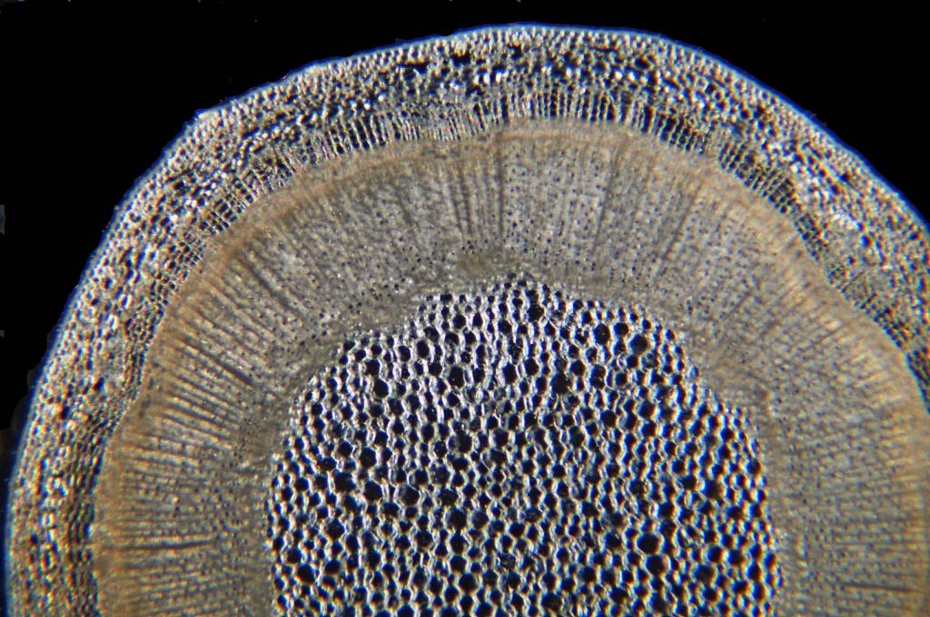
Bild 09 Übersicht, Koreanische Abelie Abelia mosanensis


Bild 10 Detailaufnahme mit Beschriftung, Koreanische Abelie Abelia mosanensis

MP = Markparenchym, PXY = Protoxylem, ST = Strahl, K = Kambium, ? = Phellem, XY = Xylem, SK = Sklerenchym, PH = Phloem, EP = Epidermis

Bild 11 Detailaufnahme, Koreanische Abelie Abelia mosanensis


Bild 12 Detailaufnahme, Koreanische Abelie Abelia mosanensis


Bild 13 Dunkelfeld, Koreanische Abelie Abelia mosanensis


Bild 14 Übersicht, Auflichtbeleuchtung Fluoreszenz, Koreanische Abelie Abelia mosanensis

Auflicht Beleuchtung Fluoreszenz iLED 455 nm
LED Modul 455 nm
Reflektormodul FL mit Filtersatz 67
Erregerfilter: BP 470 nm
Strahlenteiler: FT 477 nm
Emission (Sperrfilter): LP 485

Bild 15 Detailaufnahme, Auflichtbeleuchtung Fluoreszenz, Koreanische Abelie Abelia mosanensis


Bild 16 Detailaufnahme, Auflichtbeleuchtung Fluoreszenz, Koreanische Abelie Abelia mosanensis


Bild 17 Pilzbefall, Auflichtbeleuchtung Fluoreszenz, Koreanische Abelie Abelia mosanensis


Bild 18 Markparenchym, Zentrum, Auflichtbeleuchtung Fluoreszenz, Koreanische Abelie Abelia mosanensis


Teil 2
Spross, Längsschnitt 30 Mikrometer

Drei ungefärbte Schnitte

Bild 19 Übersicht, Koreanische Abelie Abelia mosanensis


Bild 20 Detailaufnahme, Koreanische Abelie Abelia mosanensis

In den parenchymatischen Zellen von der Koreanischen Abelie sind besonders schön ausgebildete, scharfkantige, morgensternähnliche Kristalldrusen (Calciumoxalat Kristalle) zu sehen.
Nachgewiesen wird Calciumoxalat durch seine Unlöslichkeit in Essigsäure und seine ohne Schäumen vor sich gehende Auflösung in Salzsäure (HCl), oder Salpetersäure (HNO3).

Bild 21 Detailaufnahme, Koreanische Abelie Abelia mosanensis

Plants are the true rulers - Pflanzen sind die wahren Herrscher.

<a href="http://www.mikroskopie-forum.de/index.php?topic=2650.0" target="_blank">Hier geht es zur Vorstellung</a>

Gerne per "Du"

Hans-Jürgen Koch

#1
Färbung mit Safranin-Astrablau-Chrysoidin (SAC)
Fixiermittel auswaschen in 70% Ethanol, 5 Minuten
Über 50% Ethanol, 3 Minuten.
30% Ethanol, 3 Minuten.
In Wasser entmin., 3x wechseln je 1 Minute.
Färben mit
• Safranin (>5 Minuten),
• 3x gut spülen in Wasser
• Differenzieren in Salzsäurealkohol
• 5x gut spülen in Wasser
• Astrablau (30 Sekunden),
• 3x spülen in Wasser
• Chrysoidin (>5 Minuten),
In Wasser entmin. auswaschen, 1x wechseln, je 1 Minute.
In 100% Isopropylalokohol, sorgfältig entwässern, >2x wechseln
1.Stufe = 30 Sekunden,
2.Stufe = 3 Minuten,
3.Stufe = 5 Minuten.
Einschließen in Euparal. 

Bild 22 Übersicht, Koreanische Abelie Abelia mosanensis


Bild 23 Detailaufnahme, Koreanische Abelie Abelia mosanensis


Bild 24 Kristalldrusen, Koreanische Abelie Abelia mosanensis


Bild 25 Detailaufnahme, Koreanische Abelie Abelia mosanensis


Bild 26 Detailaufnahme, Auflichtbeleuchtung Fluoreszenz, Koreanische Abelie Abelia mosanensis

Auflicht Beleuchtung Fluoreszenz iLED 455 nm
LED Modul 455 nm
Reflektormodul FL mit Filtersatz 67
Erregerfilter: BP 470 nm
Strahlenteiler: FT 477 nm
Emission (Sperrfilter): LP 485

Bild 27 Detailaufnahme, Auflichtbeleuchtung Fluoreszenz, Koreanische Abelie Abelia mosanensis


Bild 28 Querschnitt – Längsschnitt mit Beschriftung, Koreanische Abelie Abelia mosanensis

Foto: H.-J_Koch

Teil 3
Blattgrund, Querschnitt 25 Mikrometer

Als Blattstiel (Petiolus) im eigentlichen Sinne gilt der Stängel, mit dem die Blattspreite (ggf. mit einem mehr oder weniger ausgeprägtem Blattgrund) am Spross sitzt.

Bild 29 Dieses Blatt hat in Richtung Blattgrund eine eigenartige Form.


Wacker 3 A - Färbung (Acridinrot – Acriflavin - Alcianblau)

Bild 30 Übersicht mit Beschriftung, Koreanische Abelie Abelia mosanensis

PH = Phloem, EP = Epidermis, RP = Rindenparenchym, XY = Xylem, HY = Hypodermis

Bild 31 Übersicht, Koreanische Abelie Abelia mosanensis


Bild 32 Detailaufnahme, Koreanische Abelie Abelia mosanensis


Bild 33 Detailaufnahme, Koreanische Abelie Abelia mosanensis


Bild 34 Kristalldrusen, Koreanische Abelie Abelia mosanensis


Bild 35 Detailaufnahme, Auflichtbeleuchtung Fluoreszenz, Koreanische Abelie Abelia mosanensis

Auflicht Beleuchtung Fluoreszenz iLED 455 nm
LED Modul 455 nm
Reflektormodul FL mit Filtersatz 67
Erregerfilter: BP 470 nm
Strahlenteiler: FT 477 nm
Emission (Sperrfilter): LP 485

Bild 36 Detailaufnahme, Auflichtbeleuchtung Fluoreszenz, Koreanische Abelie Abelia mosanensis


Teil 4
Blatt, Querschnitt 25 Mikrometer

Bild 37 Schnittstelle, Blatt mit Mittelrippe, Koreanische Abelie Abelia mosanensis


Wacker 3 A - Färbung (Acridinrot – Acriflavin - Astrablau)

Bild 38 Übersicht, Koreanische Abelie Abelia mosanensis


Bild 39 Detailaufnahme, Koreanische Abelie Abelia mosanensis


Bild 40 Detailaufnahme mit Beschriftung, Koreanische Abelie Abelia mosanensis

OE = obere Epidermis, PA = Palisaden-Gewebe, LB = Leitbündel, SGW = Schwammgewebe, UE = untere Epidermis mit Schließzellen, CU = Cuticula

Bild 41 Übersicht, Auflichtbeleuchtung Fluoreszenz, Koreanische Abelie Abelia mosanensis

Auflicht Beleuchtung Fluoreszenz iLED 455 nm
LED Modul 455 nm
Reflektormodul FL mit Filtersatz 67
Erregerfilter: BP 470 nm
Strahlenteiler: FT 477 nm
Emission (Sperrfilter): LP 485

Bild 42 Detailaufnahme, Auflichtbeleuchtung Fluoreszenz, Koreanische Abelie Abelia mosanensis


Fazit:
Der Spross von Abelia mosanensis ist sehr hart, beim Schneiden gab es Probleme (Schnitte rollten sich auf und zeigten Risse).

Quellen und weiterführende Informationen:
Wikipedia

Die Informationen für Beschreibungen werden von mir selbst aus verschiedenen Quellen zusammengetragen. Dabei benutze ich sowohl Bücher als auch Internet Quellen. Texte werden anschließend individuell von mir selbst verfasst.
Sollte ich ein Copyright © verletzt haben, so geschieht dies nicht mit Absicht. Bitte schicke mir ein E-Mail, wenn es der Fall sein soll.
Für konstruktive Kritik bin ich ebenso offen wie für lobende Worte.

Gruß
Hans-Jürgen
Plants are the true rulers - Pflanzen sind die wahren Herrscher.

<a href="http://www.mikroskopie-forum.de/index.php?topic=2650.0" target="_blank">Hier geht es zur Vorstellung</a>

Gerne per "Du"

Detlef Kramer

Lieber Hans-Jürgen,

bei dem "?" handelt es sich m. M. wieder um ein, unter der Rinde entstehendes Phellem, die anderen Elemente des Periderms sind, denke ich, ebenfalls gut erkennbar. Das ist meine Interpretation. Um eine klare Antwort zu erhalten, müsstest Du wohl noch ältere Spross-Abschnitte schneiden.

Ansonsten natürlich wieder ein Beitrag der Dir eigenen Qualität!

Herzliche Grüße
Detlef
Dr. Detlef Kramer, gerne per DU

Vorstellung: Hier klicken

Hans-Jürgen Koch

Lieber Detlef,

danke für deine Rückmeldung.
Ein unter der Rinde entstehendes Phellem ist möglich, welche Funktion soll diese Zellschicht haben ?
Ich habe das Phellem immer, als ein sekundäres Abschlussgewebe an älteren Sprossachsen gesehen; durch Suberin-Einlagerung bräunlich gefärbt.
Von der Koreanischen Abelie habe leider kein Pflanzenmaterial mehr.

Herzliche Grüße
Hans-Jürgen
Plants are the true rulers - Pflanzen sind die wahren Herrscher.

<a href="http://www.mikroskopie-forum.de/index.php?topic=2650.0" target="_blank">Hier geht es zur Vorstellung</a>

Gerne per "Du"

deBult

Really like bild 28 Querschnitt - Langsschnitt presentation!

You have probably clarified in the past how to do the cut of the leave: please send a link.

Thanks for sharing, Maarten
Reading the German language is OK for me, writing is a different matter though: my apologies.

A few Olympus BH2 and CH2 stands with DIC and phase optics.
I used to say "The correct number of scopes to own is N+1 (With N is the number currently owned)", as a pensioner the target has changed in n-1.

Hans-Jürgen Koch

Hallo Maarten,

danke für dein Feedback.


Das Bild zeigt, wie ich das Blatt im Probenhalter eingespannt habe.

Gruß
Hans-Jürgen
Plants are the true rulers - Pflanzen sind die wahren Herrscher.

<a href="http://www.mikroskopie-forum.de/index.php?topic=2650.0" target="_blank">Hier geht es zur Vorstellung</a>

Gerne per "Du"

Fahrenheit

#6
Lieber Hans-Jürgen,

da ist Dir wieder ein aufwändige Präsentation gelungen! Vielen Dank, ich habe sie wie immer gelistet.

Mit dem Phellem stimme ich Detlef bei. Im weiteren Wachstum werden sie äusseren Schichten (Rindenparenchym mit Sklerenchymfasern und Epidermis) abgestoßen. Das müsste an der Probepflanze erkennbar gewesen sein.

Bei der tollen Gegenüberstellung von Quer- und Längsschnitt (Bild 28) bist Du mit dem Phloem ins Phellem gerutscht. Da kannst Du jetzt ja eine Linie mehr einziehen. :)

Herzliche Grüße
Jörg

Hier geht's zur Vorstellung: Klick !
Und hier zur Webseite des MKB: Klick !

Arbeitsmikroskop: Leica DMLS
Zum Mitnehmen: Leitz SM
Für draussen: Leitz HM

Hans-Jürgen Koch

Lieber Jörg,

danke für deinen Hinweis.

Herzliche Grüße

Hans-Jürgen
Plants are the true rulers - Pflanzen sind die wahren Herrscher.

<a href="http://www.mikroskopie-forum.de/index.php?topic=2650.0" target="_blank">Hier geht es zur Vorstellung</a>

Gerne per "Du"

jcs

Hallo Hans-Jürgen,

wie immer, eine sehr gelungene "Bildgeschichte"! Danke für's Zeigen.

Jürgen

Hans-Jürgen Koch

Hallo Jürgen,

auch dir danke für dein Lob.

Gruß

Hans-Jürgen
Plants are the true rulers - Pflanzen sind die wahren Herrscher.

<a href="http://www.mikroskopie-forum.de/index.php?topic=2650.0" target="_blank">Hier geht es zur Vorstellung</a>

Gerne per "Du"