Zwischenjahresrätsel gelöst! (Kartoffelchips)

Begonnen von Oliver S., Dezember 26, 2009, 23:40:02 NACHMITTAGS

Vorheriges Thema - Nächstes Thema

Oliver S.

Hallo liebe Freunde der Mikrofotografie,
da die Festtage nun fast vorüber sind, gibt es mal wieder ein Alltagsrätsel.
Da es vermutlich auch diesmal nicht ganz so einfach ist, noch ein paar Tipps vorweg:
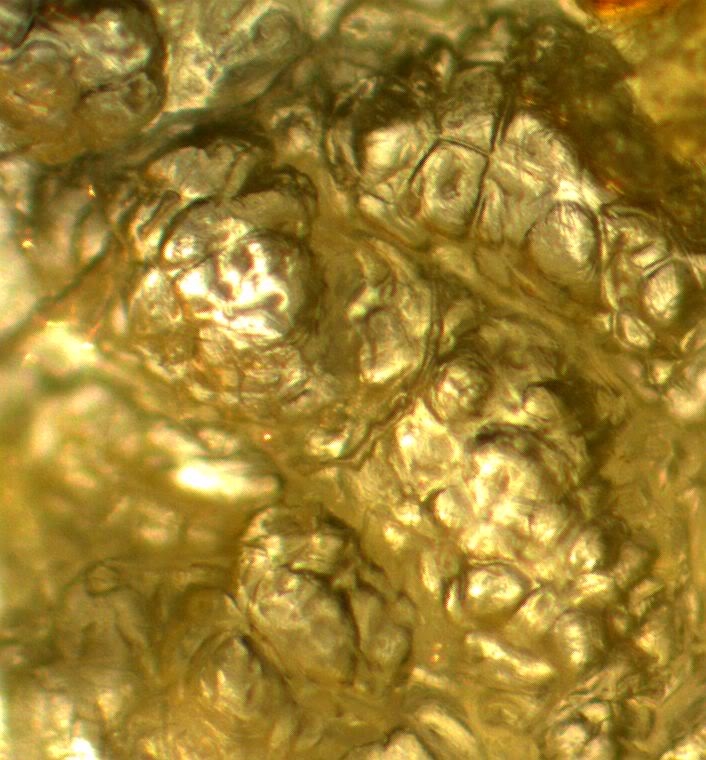
Es kommt aus Amerika, ist bei uns aber längst sehr sehr alltäglich. Im Jahr 2002 wurden damit immerhin über 30 Milliarden US-Dollar weltweit umgesetzt.
Man kennt es übrigens auch in der Schweiz ;), obwohl es dort ein bisschen anders heißt als in Deutschland. Es ist nicht giftig, aber ich habe noch keinen gehört, der gesagt hat, es wäre der Gesundheit besonders zuträglich.

(mit 5 er Objektiv aufgenommen)




Gruß,
Oliver
(gern per "Du" )

Horst Isele

Hallo Oliver

Das kommt daher, dass wir Schweizer den originalen amerikanischen Namen verwenden, und ihr Deutschen die deutsche Übersetzung davon.

Hat es Columbus schon gefunden und ist es wahrscheinlich schon seit mehreren tausend Jahren bekannt?
Muss es auf ca. 200 Grad Celsius erwärmt werden?

Gruss   Horst
das freundschaftliche Du ziehe ich vor

±  µ ∞ λ ¼  ½  ¾   ν  δ  π  σ  φ  ψ  Փ ‰  ‱ ℃  Ω   √  ∛  ∜  ∑  ≤  ≥  ⋲  ♀  ♂

Michael W.

Hallo Oliver,

ich meine, dass ich es für das Selbe halte wie Horst. Aber um den anderen den Rätselspaß nicht zu verderben, von mir nur ein paar nebligen Umschreibungen. Folgende Eigenschaften hat der Stoff den ich vermute:

"Es gibt in in jeder Farbe, der Phantasie sind keine Grenzen gesetzt. Es gibt ihn in verschiedensten Varianten mit vielen Abkürzungen, wobei ein Buchstabe in den Abkürzungen gehäuft vorkommt. Er kann weich aber auch hart sein. In anständiger Qualität ist er vollkommen unbedenklich, ja man könnte ihn sogar gefahrlos essen. Wenn er aber aus einer "Hexenküche" kommt, dann können die beigegebenen Stoffe der Gesundheit sehr schaden. Aber eine einfache Geruchsprobe kann einen davor oft schon bewahren. Und er ist wirklich sehr altäglich. Wir alle nehmen oft nicht mehr wahr, dass auch dieser Stoff in Zukunf knapper werden wird, denn die Ausgangssubstanz ist limitiert."

Rätselhafte Grüße
Michael
Am liebsten per "Du"

Oliver S.

#3
Zitat von: Horst Isele in Dezember 27, 2009, 01:49:02 VORMITTAG
Hallo Oliver

Das kommt daher, dass wir Schweizer den originalen amerikanischen Namen verwenden, und ihr Deutschen die deutsche Übersetzung davon.

Hat es Columbus schon gefunden und ist es wahrscheinlich schon seit mehreren tausend Jahren bekannt?
Muss es auf ca. 200 Grad Celsius erwärmt werden?

Gruss   Horst

Hallo Horst,
ich bin nicht sicher, ob du das Richtige meinst, denn wir Deutschen verwenden keine Übersetzung und Ihr Schweizer (meines Wissens) nicht den Originalnamen. Ich bin auch nicht sicher, ob Columbus das schon finden konnte, weil man es meines Wissens, zumindest in der oben abgebildeten Form, erst seit Mitte des 19. Jahrhunderts kennt.
Ich bin aber ziemlich sicher, dass die Bilder einigermaßen charakteristisch sind, und dass man die Sache beim ersten Blick durchs Mikroskop (mit etwas Auflicht z.B. aus einer einfachen Schreibtischlampe und etwas Durchlicht vom Mikroskop) wiedererkennen müsste.
Gruß,
Oliver
(gern per "Du" )

Oliver S.

Zitat von: Michael W. in Dezember 27, 2009, 03:21:40 VORMITTAG
Hallo Oliver,

ich meine, dass ich es für das Selbe halte wie Horst. Aber um den anderen den Rätselspaß nicht zu verderben, von mir nur ein paar nebligen Umschreibungen. Folgende Eigenschaften hat der Stoff den ich vermute:

"Es gibt in in jeder Farbe, der Phantasie sind keine Grenzen gesetzt. Es gibt ihn in verschiedensten Varianten mit vielen Abkürzungen, wobei ein Buchstabe in den Abkürzungen gehäuft vorkommt. Er kann weich aber auch hart sein. In anständiger Qualität ist er vollkommen unbedenklich, ja man könnte ihn sogar gefahrlos essen. Wenn er aber aus einer "Hexenküche" kommt, dann können die beigegebenen Stoffe der Gesundheit sehr schaden. Aber eine einfache Geruchsprobe kann einen davor oft schon bewahren. Und er ist wirklich sehr altäglich. Wir alle nehmen oft nicht mehr wahr, dass auch dieser Stoff in Zukunf knapper werden wird, denn die Ausgangssubstanz ist limitiert."

Rätselhafte Grüße
Michael

Hallo Michael,
da du ja das Gleiche wie Horst vermutest, bin ich auch noch ein bisschen im Zweifel, ob du das Richtige meinst. Ich denke z.B. auch nicht, dass es sowohl "weich aber auch hart sein" kann.
Gruß,
Oliver
(gern per "Du" )

Peter V.

#5
Hallo!

Tabak? Als Nichtraucher kann ich es leider derzeit nicht überprüfen. Obwohl 30 Mrd. Dollar welweiter Umsatz viel zu gering sein dürfte. Also wohl eher doch nicht....

Herzliche Grüße
Peter
Dieses Posting ist frei von kultureller Aneigung, vegan und wurde CO2-frei erstellt. Für 100 Posts lasse ich ein Gänseblümchen in Ecuador pflanzen.

Sascha

#6
Ist es ein "Kohlenstoff-Gel"  ???

Edith:

Doch nach einem Besuch bei Wiki bin ich mir fast sicher.
Wer mich nicht "Duzen" will, muss mich "Siezen" - wer mich nicht "Siezen" möchte, darf mich "Duzen".
http://de.wikipedia.org/wiki/Duzen
http://de.wikipedia.org/wiki/Siezen

Robert Götz


Ich würde am ehesten auf einen Kartoffelchip tippen.

Gruß
Robert

Peter V.

Hallo!

Nachdem ich nun extra ein Tüte Crunchips geopfert habe, kann ich es auch beweisen. Sie sind es!

Herzliche Grüße
Peter
Dieses Posting ist frei von kultureller Aneigung, vegan und wurde CO2-frei erstellt. Für 100 Posts lasse ich ein Gänseblümchen in Ecuador pflanzen.

Oliver S.

#9
Zitat von: Robert Götz in Dezember 27, 2009, 12:52:34 NACHMITTAGS

Ich würde am ehesten auf einen Kartoffelchip tippen.

Gruß
Robert

Ihr seid sooo clever!!! ;D ;D ;D
Glückwunsch!
Gruß,
Oliver

(ps. jetzt würde mich aber noch interessieren, auf was Horst und Michael getippt hätten)
(gern per "Du" )

Horst Isele

Hallo Leute

Ich kann euch gestehen, dass ich auf einer falschen Spur war.
Ich habe an Popcorn (Puffmais) gedacht.

Gruss  Horst
das freundschaftliche Du ziehe ich vor

±  µ ∞ λ ¼  ½  ¾   ν  δ  π  σ  φ  ψ  Փ ‰  ‱ ℃  Ω   √  ∛  ∜  ∑  ≤  ≥  ⋲  ♀  ♂

Oliver S.

Hallo Horst,
auch eine gute Idee. Ich glaube in D sagen wir aber auch fast nur Popcorn. Puffmais wäre mir neu.
Gruss,
Oliver
(gern per "Du" )

Michael W.

Hallo,

mit meiner Vermutung lag ich leider peinlich weit im Abseits. Mich erinnerte diese Struktur nämlich an lichtdurchlässigen Kunststoff mit stark angerauter Oberfläche. Ich bin sicher, dass ich einen ähnlichen Kunststoff schon mal unter dem Mikroskop hatte. Vielleicht finde ich ein änliches Material noch mal.

Viele Grüße
Michael
Am liebsten per "Du"

Oliver S.

Hallo Michael,
du liegst m.M.n nicht so weit daneben.
Wenn Stärke frittiert wird, verkleistert sie nämlich und ist damit eine Art Kunststoff.
Gruß,
Oliver
(gern per "Du" )