Botanik: Kornelkirsche Cornus mas, hat das härteste Holz, das in Europa wächst *

Begonnen von Hans-Jürgen Koch, Mai 29, 2021, 16:22:49 NACHMITTAGS

Vorheriges Thema - Nächstes Thema

Hans-Jürgen Koch

Liebe Pflanzenfreunde,

die Heimat dieses Gehölzes reicht von Südost- und Osteuropa bis nach Kleinasien.
Auf den Hügeln und in den Bergwäldern Mitteleuropas wächst die Kornelkirsche oder Dirlitze, ein kleines Bäumchen, das auch als Gartenpflanze gehalten werden kann.

Bild 01 Kornelkirschensämling

Urheber: Salicyna

Bild 02 Habitus, Kornelkirsche in Blüte

Urheber: Uoaei1
Noch vor der Blattentwicklung zeigen sich auf den nackten Zweigen kleine Büschel (Dolden) gelber Blüten.
Die Blütezeit ist von März bis April.

Bild 03 aufspringende Knospe des Blütenstandes, Kornelkirsche Cornus mas

Urheber: Belladonna

Bild 04 Mehrere Blütenstände vor dem Blattaustrieb

Urheber: TeunSpaans
Jede Blüte ist von 4 kurzen Hüllblättern umgeben. Außerdem besitzt es einen unscheinbaren Kelch, 4 Kronblätter, 4 Staubblätter und einen zweikammereigen, unterständigen Fruchtknoten.

Bild 05 Fruchtende Zweige der Kornelkirsche

Urheber: TeunSpaans

Bild 06 Blätter und Fruchtstand der Kornelkirsche Cornus mas

Urheber: Hanson59 in der Wikipedia auf Deutsch

Die Fruchtreife ist August/ September.
Die ovalen Blätter sind gegenständig angeordnet 4-10 X 2-4 cm, oval bis elliptisch, vorne behaart.
Die Blattform ist länglich eiförmig, vorn zugespitzt, glattrandig. Beiderseits der Mittelrippe mit 3-5 bogigen, zur Spitze weisenden Seitenadern.
Die Steinfrucht, die Kornelkirsche, ist eine elliptische Steinfrucht, etwas kleiner als eine Kirsche, rot und glänzend. Die Außen- und Mittelschicht des Perikarps (Fruchthülle) sind weich, die verhärtete Innenschicht umschließt den Samen. Die Früchte werden gern von Vögeln verzehrt, die so zur Samenverbreiterung beitragen.
Außer an dem bogenförmigen Verlauf der Nerven in den Blättern lassen sich Cornus-Arten anhand vorsichtig zerrissener Blätter erkennen.

Bild 07 zerrissenes Blatt, Cornus mas

Bei den heraushängenden Fäden handelt es sich um Schraubenbändern, mit denen die Wasserleitungsgefäße verstärkt sind.
Für unserem Geschmack sind die Kornelkirschen sauer, aber essbar. Wegen ihrer angeblich adstringierenden Wirkung gelten sie als Heilmittel gegen Durchfall, auch werden sie zu Marmelade und Konserven verwendet. Wie Ovid zu berichten weiß, aßen die Menschen seiner Zeit Wurzeln und Beere, darunter auch Kornelkirschen.
Publius Ovidius Naso (deutsch Ovid) wurde im Jahre 43 v. Chr. geboren, war ein antiker römischer Dichter.
Inhaltsstoffe der Kornelkirsche:
Anthocyane Glykoside u. a. Loganin, 14 % Invertzucker und Vitamine.

Bild 08 Illustration, Kornelkirsche Cornus mas

A = Zweig mit Blütendolden, B = fruchtender Zweig, Früchte kurz vor der Reife, 1 = kugelige Blütenknospe, 3a = Einzelblüte, 6 = Frucht (Längsschnitt)
Quelle: www.biolib.de
Prof. Dr. Otto Wilhelm Thomé Flora von Deutschland, Österreich und der Schweiz 1885, Gera, Germany
Dieses Werk ist gemeinfrei.

Systematik:
Ordnung: Hartriegelartige (Cornales)
Familie: Hartriegelgewächse (Cornaceae)
Gattung: Hartriegel (Cornus)
Art: Kornelkirsche
Wissenschaftlicher Name: Cornus mas
Travialnamen: Herlitze, Dürlitze, Hirlnuss, in Österreich auch Dirndl, Dirndling, Dirndlstrauch oder Gelber Hartriegel, Gelber Hornstrauch in der Deutschschweiz Tierlibaum genannt.
Englische Bezeichnung: Cornelian cherry

In Österreich wird aus der den Früchten der Kornelkirsche der feinaromatische ,,Dirndlschnaps" gebrannt, ein echter Geheimtipp.
Die Fruchtsteine röstete man als Kaffee-Ersatz oder fädelte sie zu einfachen Rosenkränzen auf Fäden.
Die Gattung Cornus umfasst 65 Arten, Stauden und Holzgewächse.
Die Gattung ist fossil seit dem Tertiär nachgewiesen.
Das Tertiär begann am Ende der Kreidezeit vor 66 Millionen Jahren und dauerte bis zum Beginn des Quartärs vor 2,6 Millionen Jahren.
Cornus wurde die Kornelkirsche von Vergil und Plinius genannt. Das lat. Epitheon mas = männlich bezieht sich auf das beinharte Holz.
Der etwa 10 Meter hohe Baum hat ein hartes, schweres Holz und kann ein sehr hohes Alter erreichen. Es geht die Sage, dass in den ersten Jahren unserer Zeitrechnung auf dem Palatin in Rom noch eine Kornelkirsche gestanden hat, die aus einem Stück der Lanze gewachsen sein soll, mit der Romulus 750 Jahre vorher die Grenzen Roms gekennzeichnet hatte.
Der Palatin ist einer der sieben Hügel Roms und gilt als ältester bewohnter Teil der Stadt.
Das sehr harte Holz eignet sich für Werkzeuge, Radspeichen, Leitersprossen, Schirmstöcke, Reitgerten, Angelruten, Hammerstiele und Nägel.
Jüngere Zweige sind grünlich-gelb, sehr fein behaart. Äste graubraun, abstehend.
Teil 1
Spross, Querschnitt
30 Mikrometer
Sieben nicht fixierte, ungefärbte Schnitte.

Bild 09 Jahresringgrenze, Übersicht, Kornelkirsche Cornus mas

Bei der Kornelkirsche sind die Jahresringgrenzen nicht sehr deutlich, das Xylem ist zerstreuporig.
Zerstreutporiges Holz: Alle Gefäße besitzen annähernd gleichen Durchmesser, sie sind gleichmäßig über jeden Zuwachsring verteilt.
Wie entstehen Jahresringe bei Bäumen?
Durch das unterschiedliche Wachstum im Sommer und im Winter. Mit Beginn der Vegetationsperiode im Frühling bildet die Wachstumsschicht (Kambium) nach Innen große Zellen, die den Holzteil anwachsen lassen (Frühholz). Zum Herbst hin werden diese Tochterzellen immer kleiner (Spätholz), bis schließlich die Zellteilungen aufhören und der Baum sein Wachstum einstellt. Ein weiterer Jahresring beginnt zu entstehen, wenn im nächsten Frühling wieder größere Holzzellen gebildet werden, die an die kleinen aus dem letzten Herbst anschließen. An dieser Stelle ist die Jahresringgrenze als ein scharfer Übergang zu erkennen.
Jahresringe stehen für das Alter eines Baums, verraten aber auch etwas über die spezifischen Umweltbedingungen, unter denen ein Baum herangewachsen ist. Breite Ringe zeigen z. B. ein kräftiges Wachstum an, schmale Ringe verweisen auf schlechte Jahre mit vielleicht hohem Schädlingsbefall oder wenig Regen. Ovale Ringe mit einem unterschiedlich starken Wachstum deuten darauf hin, dass der Baum an einem Hang gestanden hat oder starkem Wind von einer bestimmten Seite ausgesetzt war.

Bild 10 ungefärbter Schnitt, Kornelkirsche Cornus mas


Bild 11 ungefärbter Schnitt, Kornelkirsche Cornus mas


Bild 12 ungefärbter Schnitt, Kornelkirsche Cornus mas


Drei nicht fixierte, ungefärbte Schnitte.
Bild 13 Autofluoreszenz, Übersicht, Kornelkirsche Cornus mas

LED Modul 455 nm
Reflektormodul FL mit Filtersatz 67
Erregerfilter: BP 470 nm
Strahlenteiler: FT 477 nm
Emission (Sperrfilter): LP 485

Bild 14 Autofluoreszenz, Kornelkirsche Cornus mas


Bild 15 Autofluoreszenz, Markparenchym, Kornelkirsche Cornus mas


Wacker 3 A - Färbung (Acridinrot – Acriflavin - Astrablau)
1. Schnitte liegen in 50 % Ethanol.
2. Aqua dest. 3x wechseln je 1 Minute.
3. Vorfärbung Acridiorot 8 Min.
4. 1x auswaschen mit Aqua dest.
5. Acriflavinlösung (differenzieren bis gerade keine Farbwolken mehr abgehen - Lupenkontrolle) 15 Sekunden
6. 2 x auswaschen mit Aqua dest.
7. Nachfärbung Astrablau 60 Sekunden
8. Auswaschen mit Aqua dest. bis keine Farbstoffreste verbleiben.
9. Entwässern mit 2x gewechseltem Isopropylalkohol (99,9 %
10. Einschluss in Euparal
Fotos: Nikon D5000, Sony Alpha 6000

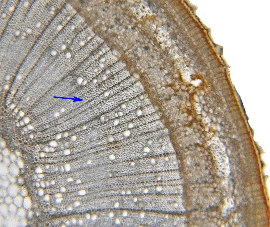
Bild 16 Sprossgabel, Kornelkirsche Cornus mas


Bild 17 Detailaufnahme, Kornelkirsche Cornus mas


Bild 18 Detailaufnahme mit Beschriftung, Kornelkirsche Cornus mas

MP = Markparenchym, ST = Strahl, T = Trachee, XY = Xylem, K = Kambium, RP = Rindenparenchym, PE = Periderm, SK = Sklerenchym

Plants are the true rulers - Pflanzen sind die wahren Herrscher.

<a href="http://www.mikroskopie-forum.de/index.php?topic=2650.0" target="_blank">Hier geht es zur Vorstellung</a>

Gerne per "Du"

Hans-Jürgen Koch

Bild 19 Detailaufnahme, Kornelkirsche Cornus mas


Bild 20 Detailaufnahme, Kornelkirsche Cornus mas


Bild 21 Auflichtbeleuchtung Fluoreszenz, Kornelkirsche Cornus mas

Auflicht Beleuchtung Fluoreszenz iLED 455 nm
LED Modul 455 nm
Reflektormodul FL mit Filtersatz 67
Erregerfilter: BP 470 nm
Strahlenteiler: FT 477 nm
Emission (Sperrfilter): LP 485

Bild 22 Detailaufnahme, Auflichtbeleuchtung Fluoreszenz, Kornelkirsche Cornus mas


Bild 23 Detailaufnahme Auflichtbeleuchtung Fluoreszenz, Kornelkirsche Cornus mas


Bild 24 Detailaufnahme Auflichtbeleuchtung Fluoreszenz, Kornelkirsche Cornus mas


Diese Färbung eignet sich besonders für die Fluoreszenz.

Rhodamin B – Acridin Gelb-Färbung 
Benötigte Chemikalien:
Acridingelb 1% wäss. / Rhomain B 1% wäss., Ethanol, Isopropanol 100%ig
Absteigende Alkoholreihe 2-Propanol / Ethanol 70% / 50% / 20%

Arbeitsablauf:
Acridin Gelb 1% wässerig               20 Min. 
Auswaschen mit Ethanol 20%
Rhodamin B 1% wässerig               20 Min.
Auswaschen mit Ethanol 20%.
Entwässern mit Ethanol 50% / 70% / Ethanol abs.
Xylol
Einschluss in: Entellan

Acridin Gelb C.I. 46025 basisch

Rhodamin B Lösung 1%
- 1,0g Rhodamin B (Chroma Nr. 1B 367))
- Einige Kristalle Thymol
- 2 ml Essigsäure 99%
- 98 ml Aqua dest.

Bild 25 Auflichtbeleuchtung Fluoreszenz, Kornelkirsche Cornus mas

Auflicht Beleuchtung Fluoreszenz iLED 455 nm
LED Modul 455 nm
Reflektormodul FL mit Filtersatz 67
Erregerfilter: BP 470 nm
Strahlenteiler: FT 477 nm
Emission (Sperrfilter): LP 485

Teil 2
Spross, Längsschnitt
25 Mikrometer

Zwei ungefärbte Schnitte

Bild 26 Detailaufnahme, fixierte Probe, Kornelkirsche Cornus mas


Bild 27 Leiterförmige Durchbrechung, fixierte Probe, Kornelkirsche Cornus mas


Bild 28 Übersicht, fixiert Probe, Kornelkirsche Cornus mas


Bild 29 Übersicht, fixiert Probe, Kornelkirsche Cornus mas


Bild 30 Detailaufnahme, fixiert Probe, Kornelkirsche Cornus mas


Bild 31 Detailaufnahme, fixiert Probe, Kornelkirsche Cornus mas


Bild 32 Detailaufnahme, fixiert Probe, Kornelkirsche Cornus mas


Bild 33 Detailaufnahme, fixiert Probe, Kornelkirsche Cornus mas


Bild 34 Detailaufnahme, Auflichtbeleuchtung Fluoreszenz, Kornelkirsche Cornus mas

Auflicht Beleuchtung Fluoreszenz iLED 455 nm
LED Modul 455 nm
Reflektormodul FL mit Filtersatz 67
Erregerfilter: BP 470 nm
Strahlenteiler: FT 477 nm
Emission (Sperrfilter): LP 485

Bild 35 Detailaufnahme, Auflichtbeleuchtung Fluoreszenz, Kornelkirsche Cornus mas


Bild 36 Detailaufnahme, Auflichtbeleuchtung Fluoreszenz, Kornelkirsche Cornus mas


Fazit:
Ein ähnlich hartes Holz besitzt der Rote Hartriegel Cornus sanguinea.
Der Hornstrauch zeigt deutliche Jahresringgrenzen.
https://www.mikroskopie-forum.de/index.php?topic=34102.0


Quellen und weiterführende Informationen:

Wikipedia; Freie Enzyklopädie
Gregor Aas ,,Bäume", ISBN:3-7742-4058-2
Bachofer ,,Der Kosmos Baumführer", ISBN: 978-440-14660-6
Humphries ,,Der Kosmos Baumführer", ISBN: 3-440-06140-X
U. Hecker ,,Bäume und Sträucher", ISBN: 3-8354-0021-7
Hugh Johanson ,,Das große Buch der Bäume", ISBN:3444-101538
Bernd Miggel ,,Holzbestimmung mit dem Mikroskop", ISBN: 978-930167-81-4
Fitschen ,,Gehölzflora", ISBN: 3-949-01221-0
Dieter Grosser ,,Die Hölzer Mitteleuropas", ISBN: 3-935638-22-1
Spohn ,,Kosmos Baumführer Europa", ISBN: 978-3-4440-44741-5
Peter A. Schmidt ,,Taschenlexikon der Gehölze", ISBN: 978-3-494-01448-7
P. Schütt ,,Lexikon der Bäume und Straucharten", ISBN: 978-3-86820-123-9
Lexikon der Baum- und Straucharten, ISBN: 978-3-86820-123-9
,,Die große Enzyklopädie der Arzneipflanzen und Drogen", ISBN: 978-3-89996-508-7
,,Welcher Baum ist das?", ISBN: 978-3-440-16449-5

Die Informationen für Beschreibungen werden von mir selbst aus verschiedenen Quellen zusammengetragen. Dabei benutze ich sowohl Bücher als auch Internet Quellen. Texte werden anschließend individuell von mir selbst verfasst.
Sollte ich ein Copyright © verletzt haben, so geschieht dies nicht mit Absicht. Bitte schicke mir ein E-Mail, wenn es der Fall sein soll.
Für konstruktive Kritik bin ich ebenso offen wie für lobende Worte.

Gruß
Hans-Jürgen
Plants are the true rulers - Pflanzen sind die wahren Herrscher.

<a href="http://www.mikroskopie-forum.de/index.php?topic=2650.0" target="_blank">Hier geht es zur Vorstellung</a>

Gerne per "Du"

Gerd Schmahl

Hallo Hans-Jürgen,
danke für diesen ausführlichen Beitrag.
ZitatFür unserem Geschmack sind die Kornelkirschen sauer, aber essbar.
Ich finde die Früchte sehr lecker. Aber ja: So viel wie von Süßkirschen mag man davon nicht essen. Wichtig ist aber: Kornelkirschen darf man nicht pfücken! Sie sind nur richtig reif, wenn sie vom Baum/Strauch gefallen sind. Wir legen ein großes Tuch unter den Baum und schüttel kräftig. Kornelkirschenmarmelade ist sehr lecker und auch kandiert sind sie eine Köstlichkeit.

Cornelkirsche und Hartrieglzweige wurden schon in der Steinzeit zu Pfeilschäften verarbeitet. Neben Pfeilen aus Schneeball, hatte Ötzi einen Kompositpfeil (aus zwei Holzarten zusammengesetzt), dessen kurzes vorderes Schaftteil entweder aus Kornelkirsche oder Blutriegel (Cornus sanguinea) gefertigt worden war. Ich kann aus eigener Erfahrung vom Nachbau von Steinzeitrplikaten bestätigen, dass das Holz wirklich irre hart, aber dabei trotzdem sehr elastisch ist.
Beste Grüße
Gerd
Man sagt der Teufel sei, im Detail versteckt,
doch hab' ich mit dem Mikroskop viel Göttliches entdeckt.

jcs

Zitat von: plaenerdd in Mai 29, 2021, 21:33:41 NACHMITTAGS
Ich kann aus eigener Erfahrung vom Nachbau von Steinzeitrplikaten bestätigen, dass das Holz wirklich irre hart, aber dabei trotzdem sehr elastisch ist.
Beste Grüße
Gerd
Hallo Hans-Jürgen, Gerd,

kann man die Härte des Holzes aus irgendwelchen Merkmalen der mikroskopischen Bilder erklären?

LG

Jürgen

Hans-Jürgen Koch

Hallo Gerd,

danke für deine Ergänzungen zur Kornelkirsche.

Hallo Jürgen,

zerstreuporiges Holz ist für mich der Indikator für hartes Holz.

Zerstreutporiges Holz: Alle Gefäße besitzen annähernd gleichen Durchmesser, sie sind gleichmäßig über jeden Zuwachsring verteilt.

Einen Hilfsschlüssel zur mikroskopischen Bestimmung einheimischer Geholze findest du hier:
https://www.zobodat.at/pdf/Abh-Naturhist-Ges-Nuernberg_40_0047-0055.pdf

http://www.woodanatomy.ch/mic_vess.html

Gruß
Hans-Jürgen
Plants are the true rulers - Pflanzen sind die wahren Herrscher.

<a href="http://www.mikroskopie-forum.de/index.php?topic=2650.0" target="_blank">Hier geht es zur Vorstellung</a>

Gerne per "Du"

Rawfoto

Guten Morgen Hans-Jürgen

Toll geworden, hast da bereits mit einem Hartmetall C Messer geschnitten?

Liebe Grüße

Gerhard
Gerhard
http://www.naturfoto-zimmert.at

Rückmeldung sind willkommen, ich bin jederzeit an Weiterentwicklung interessiert, Vorschläge zur Verbesserungen und Varianten meiner eingestellten Bilder sind daher keinerlei Problem für mich ...

ImperatorRex

Hallo Hans-Jürgen,
vielen Dank für Deine tollen Beiträge!
Ich lese diese immer, obwohl ich ja kein Schnippler bin. Allerding muß ich gestehen, dass ich als botanisch wenig Bewandeter mit den gezeigten Details in den Schnitten nicht viel anfangen kann.
Umso mehr interessieren mich aber die allgemeine Ausführungen in der Einleitung Deiner Beiträge. Insbesondere der historische Kontext, z.B. zur Verwendung der Pflanze finde ich gerade als botanischer Laie faszinierend und bereichernd.

viele Grüße
Jochen

Gerd Schmahl

Hallo Jürgen,
Zitatkann man die Härte des Holzes aus irgendwelchen Merkmalen der mikroskopischen Bilder erklären?
Ich denke, dass das zumindest dort schwirig ist, wo man Schnitte von "minderjährigen" Zweigen für die Mikroskopische Untersuchung vergleicht. Die Härte des Holzes wird ja erst durch die zunehmende Lignifizierung erhöht. Ein- oder zweijährige Sprosse haben ja noch kein Kernholz. Sie bestehen nur aus Splintholz. Wenn ich Pfeile aus den langen geraden (Wasser-)Schossen baue, sind die beiweiten nicht so hart, als ob ich ein älteres Aststück mit 5cm Durchmesser zu einem Werkzeugstiel verarbeite. Solches Holz  mit dem Mikrotom zu schneiden. ist aber ungleich schwieriger, weshalb i.d.R. mikroskopische Bilder von jungen Sprossen gezeigt werden.
Letztlich spielen auch Standortfragen mit hinein. So haben z.B. Bäume, die im Schatten anderer Bäume nur gerade so überleben i.d.R. sehr viel engere Jahrersringe, was sich sehr stark auf Härte und Bruchfestigkeit auswirkt. Dieses sind z.B. die idealen Hölzer für den Bogenbau oder auch für Werkzeugstiele.

Ich bin aber ein  "Anwender", der aber selber nur wenige mikroskopische Holzschnitte gemacht hat.

Beste Grüße
Gerd
Man sagt der Teufel sei, im Detail versteckt,
doch hab' ich mit dem Mikroskop viel Göttliches entdeckt.

wejo

Hallo Hans-Jürgen,
ein interessanter Baum mit interessanten Beschreibungen und sehr interessanten Fotos! Ich habe Deinen Beitrag wieder gerne gelesen und die Bilder bewundert. Danke fürs Zeigen!
Viele Grüße
Werner

jcs

Hallo Gerd und Hans-Jürgen,

danke für Eure zusätzlichen Erläuterungen, und natürlich für's Zeigen dieser aufwändig hergestellten Bildserie.

LG
Jürgen

othum

Hallo Hans-Jürgen,

Vielen Dank für diesen wie immer tollen Beitrag!

Interessant finde ich die verblüffende Ähnlichkeit zu Verwandten. Ich habe vor einiger Zeit hier mal die japanische Bergkirsche vorgestellt (https://www.mikroskopie-forum.de/index.php?topic=33203.0). Als ich Dein Bild 16 gesehen habe, musste ich direkt wieder an dieses Bild denken:
http://www.thum.li/Mikro/Prunus/20/index.html

Beste Grüße, Oliver
Zeiss Axiovert S100 HF/Ph/DF, Auflicht-FL
Zeiss Axioskop 50 HF/Ph/Pol, Auflicht-HF/DF/Pol
Kamera: Pentax K-1

Muschelbluemchen

Danke für den interessanten Beitrag!

Ich habe gleich bei Wikipedia über Cornus mas nachgelesen und fand folgenden Abschnitt sehr interessant:
ZitatVerwendung als Spazierstock
Große Popularität hat das Holz der Kornelkirsche in Deutschland durch einen Wanderstock gefunden, den sogenannten Ziegenhainer. Da ihr Holz so fest ist, stellten die Bauern des Dorfes Ziegenhain südöstlich der Universitätsstadt Jena aus den geschälten Ästen besonders haltbare Knotenstöcke her. Sie wurden zunächst von den Jenaer Studenten getragen, kamen dann sehr in Mode und wurden etwa zum Ausgang des 19. Jahrhunderts in ganz Deutschland bekannt. Daneben gab es noch andere, preisgünstigere, die aus dem weniger harten und weit häufigeren Weißdorn gefertigt wurden. Der von den Studenten getragene Stock, damals Stenz genannt, hatte eine zweifache Verwendung: Einmal als Spazier- und Wanderstock, dann als Bestandteil der damals häufigen studentischen Duelle, und zwar in Händen der Sekundanten. Manche Einwohner Ziegenhains verdienten gut an der im Jahre 1789 begonnenen Fertigung der Ziegenhainer Stöcke. Laut einem Verkaufskatalog für Studentenutensilien aus den 1920er Jahren kostete damals ein echter Ziegenhainer 7,50 Mark, ein gedrechselter 5 Mark. Die Kornelkirschen wurden damals in der Umgebung von Jena auch speziell zur Herstellung der Spazierstöcke angepflanzt. Eine aufwändigere Art des Ziegenhainers war der gedrehte Stock, den man durch Beeinflussung des Wuchses erhielt. Eine einfachere Variante fertigte man an der Drechselbank.
Quelle: https://de.wikipedia.org/wiki/Kornelkirsche#:~:text=Die%20Kornelkirsche%20(Cornus%20mas)%2C,zu%20den%20Hartriegeln%20(Cornus).

LG
Leo

Fahrenheit

Lieber Hans-Jürgen,

vielen Dank für den tollen, ausführlichen Artikel zur Kornelkirsche! Spannend auch die Diskussion zum Holz. Da bin ich auch bei Gerd: mikroskopisch wird sicher nur an älterem Holz etwas ableiten lassen.

Natürlich habe ich den Artikel gerne gelistet.

Herzliche Grüße
Jörg
Hier geht's zur Vorstellung: Klick !
Und hier zur Webseite des MKB: Klick !

Arbeitsmikroskop: Leica DMLS
Zum Mitnehmen: Leitz SM
Für draussen: Leitz HM

Hans-Jürgen Koch

Dank an alle für die netten Worte.

Hallo Gerhard,
ich verwende Leica 818 Einwegklingen und Mikrotommesser vom Schlifftyp B, die sind durch die plankonkave Form extrem scharf, aber auch sehr empfindlich und somit nur für sehr weiche Proben wie Paraffin oder geschäumtes Material geeignet.
Ein Hartmetall C Messer besitze ich leider nicht.

Gruß
Hans-Jürgen
Plants are the true rulers - Pflanzen sind die wahren Herrscher.

<a href="http://www.mikroskopie-forum.de/index.php?topic=2650.0" target="_blank">Hier geht es zur Vorstellung</a>

Gerne per "Du"