Grossforaminiferen aus dem Kalk von Pyramiden

Begonnen von Dünnschliffbohrer, Dezember 03, 2016, 23:59:32 NACHMITTAGS

Vorheriges Thema - Nächstes Thema

Dünnschliffbohrer

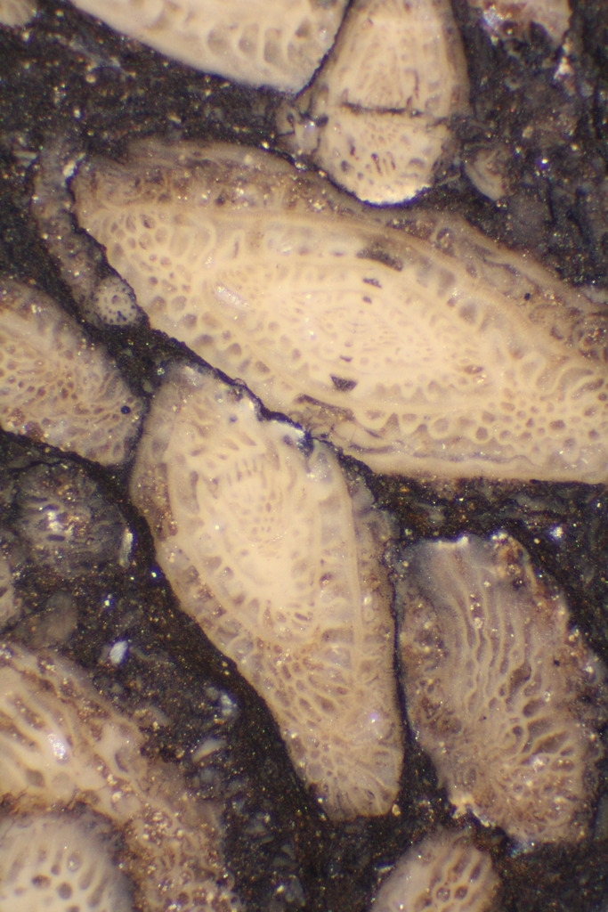
Die ägyptischen Pyramiden sind bekanntlich aus teriärem Nummulitenkalk errichtet worden. Die Gipfelregion des Berges Pyramiden besteht aus oberkarbonischen Kalken, die ebenfalls viele Grossforaminiferen enthalten, aber viel älter sind. Unten am Strand findet man stellenweise sehr viele Stücke eines Kalkes mit fast schwarzer Grundmasse.  Besonders dieser Kalk ist voll mit weiss angewitterten Fusulinen, die wie Reiskörner erscheinen. Fusulinen sind eine eigene auf das Karbon und Perm beschränkte Ordnung der Foraminiferen, die für diesen Zeitabschnitt sehr gute Leitfossilien abgeben (sofern man einen Spezialisten hat, der sie genau bestimmen kann). Ich hab mal ein Stück dieses Kalkes angeschliffen und nach dem Feinschliff ein Deckgläschen mit Sekundenkleber aufgeklebt, weil ich die Schlifffläche nicht gut polieren kann. Hier ein paar Bilder, viel Spass beim Ansehen:













Bemerkenswert ist, dass die Gehäuse durch Drucklösung des Kalkes dort, wo sie aneinander stossen, fast immer angefressen sind. Die Länge der Exemplare beträgt größenordnungsmässig ca. 5 mm.

"Und Gott sprach: Es ist nicht gut, daß der Mensch allein sei; und er schuf um ihn Laubmoose und Lebermoose und Flechten und ein Mikroskop!"
[aus: Kleeberg, Bernhard (2005): Theophysis, Ernst Haeckels Philosophie des Naturganzen,  S. 90]

Gerd Schmahl

Hallo Dünnschliffbohrer,
das sieht ja wirklich sehr interessant aus. Danke für 's Zeigen!
Sind das eigentlich echte Hohlräume in den Fusulinen, oder sind die mit wasserklarem Kalzit gefüllt? Bei so viel Drucklösung sollte sich der Kalk doch in druckärmeren Regionen, also den ehemaligen Hohlräumen wieder ausscheiden, oder?
Beste Grüße
Gerd
Man sagt der Teufel sei, im Detail versteckt,
doch hab' ich mit dem Mikroskop viel Göttliches entdeckt.

Dünnschliffbohrer

Hallo Gerd,
ja, das ist mit klarem Kalzit ausgefüllt. Einen Dünnschliff habe ich davon bisher noch nicht gemacht, um es letztlich zu beweisen. Aber für Verkieselungen  (wie sie da in den Kalken oft vorkommen => meinen früheren Beitrag über Schwammnadeln in der Wurmröhre) ist es zu weich (ließ sich erst auf dem Aldi-Schleifklotz und dann mit 1000er Pulver auf der Glasplatte problemlos in 10-15 min schleifen, und es zeigt auch keine konzentrischen Farbringe, wie in diesen Kieselgelen und Hornsteinbildungen).

Viele Grüße, und in gespannter Erwartung auf den nächsten von deinen schönen "Kurzfilmen"!
"Und Gott sprach: Es ist nicht gut, daß der Mensch allein sei; und er schuf um ihn Laubmoose und Lebermoose und Flechten und ein Mikroskop!"
[aus: Kleeberg, Bernhard (2005): Theophysis, Ernst Haeckels Philosophie des Naturganzen,  S. 90]

Klaus Herrmann

Hallo zusammen,

ich habe eine Probe des Materials bekommen und einen Anschliff gemacht bis Körnung 2500 und danach noch etwas anpoliert. Das ist eine Auflichtfluoreszenz-Aufnahme im UV. Die Foraminiferern zeigen praktisch keine Fluoreszenz, dazwischen gibt es kleine Teilchen die fluoreszieren. Mir ist mein Zoom Browserprogramm von Canon abgestürzt, mit dem ich Bilder verkleinert habe. Jetzt bin ich etwas gehandicapt, weil die Hosts keine großen Bilddateien mögen.
Deshalb erst mal nur ein Bild.

Mit herzlichen Mikrogrüßen

Klaus


ich ziehe das freundschaftliche "Du" vor! ∞ λ ¼


Vorstellung: hier klicken

Gerd Schmahl

Hallo Klaus,
wenn ich Bilder verkleinern will nutzte ich dazu das kleine Tool TinyPic. Vorteil: Ich kann auch ganze Stapel auf einmal in das Programm schieben. Einfach Im Programm zuerst die Zielbildgröße anklicken und dann nur noch die markierten Bilder reinziehen. Die verkleinerten Bilder werden in den Ursprungsordner abgelegt mit Namensvorsatz z.B. K1600 für eine Breite von 1600Pixel. Ich benutzte es vor allem, wenn ich große Bilderstapel mit Picolay verarbeiten will und das Endproduckt nicht so riesig sein muss wie die Ausgangsbilder. Dann geht das alles wesentlich schneller.

Dein Bild scheint schon mit recht großer Objektivvergrößerung aufgenommen worden zu sein?
LG Gerd
Man sagt der Teufel sei, im Detail versteckt,
doch hab' ich mit dem Mikroskop viel Göttliches entdeckt.

Klaus Herrmann

#5
Hallo Gerd,

herzlichen Dank. Funktioniert offensichtlich. Nur Direktupload ist aus meiner Sicht nicht so toll. Werbemist und mal kann ich gleich große Bilder einfügen mal gehts nicht.







Mit herzlichen Mikrogrüßen

Klaus


ich ziehe das freundschaftliche "Du" vor! ∞ λ ¼


Vorstellung: hier klicken

Gerd Schmahl

Hallo Klaus,
ZitatNur Direktupload ist aus meiner Sicht nicht so toll
Verstehe ich nicht so ganz. Ich habe das Programm auf meinem Rechner und das funktioniert auch offline prima. Wo bekommst Du Werbung serviert?
LG Gerd
Man sagt der Teufel sei, im Detail versteckt,
doch hab' ich mit dem Mikroskop viel Göttliches entdeckt.

Klaus Herrmann

Hallo Gerd,

http://www.directupload.net

wenn du da keine Werbung bekommst, dann hast du einen Trick, den ich nicht habe. Bei deinem Verkleinerungsprogramm dagegen ist alles Bestens!
Mit herzlichen Mikrogrüßen

Klaus


ich ziehe das freundschaftliche "Du" vor! ∞ λ ¼


Vorstellung: hier klicken

TPL

#8
Hallo Gerd, Klaus und Dsb,

was sollte ein Anschliff mehr bringen als ein üblicher Dünnschliff? Bei sehr kleinteiligen Strukturen würde mir das einleuchten (sic!), aber ansonsten ist ein relativ dicker Dünnschliff doch ganz gut. Okay: Fluoreszenz. Aber was ist denn die Fragestellung?  Und wurde ein fluoreszenzfreier Kleber verwendet und Fluo-Kontaminationen ausgeschlossen ('tschuldigung, aber das sind ja so ne Standards?)

Schönen Gruß
Thomas

PS: sinnloses Zitat gelöscht.

Klaus Herrmann

Hallo Thomas,

Zitatwas sollte ein Anschliff mehr bringen als ein üblicher Dünnschliff?

nicht mehr - sondern weniger Arbeit! :D
Es wurde gar kein Kleber verwendet. Das Eindeckmittel fürs aufgelegte Deckglas ist fluoreszenzfreies Glycerin.

Den Zusammenhang des Zitats, das du angefügt hast mit deinem Betrag verstehe ich nicht!
Mit herzlichen Mikrogrüßen

Klaus


ich ziehe das freundschaftliche "Du" vor! ∞ λ ¼


Vorstellung: hier klicken

TPL

#10
Hallo Klaus,

verstehe. Mein Denkfehler war, dass ich davon ausging, dass schon ein Dünnschliff existiert, aber Lesen hilft ja bekanntlich :-[.

Viele Grüße
Thomas

Gerd Schmahl

Hallo Dünnschliffbohrer,
Dünnschliffe dauern, wie Du weißt, etwas länger, aber nun liegen sie doch endlich vor. Nochmals besten Dank für die kleine aber feine Probe. Ich habe zusammen mit "mikromax" und mit Hilfe seiner Technik einen Längs- und einen Querschliff durch das Gestein angefertigt, in dem die Fusulinen eingeregelt liegen. Beim Schleifen war trotz reichlich Wasser ein deutlicher Bitumengeruch zu vernehmen, ähnlich den kambrischen Stinkkalken aus Skandinavien. Hier zwei Polbilder:


Viel Freude beim Betrachten!
LG Gerd
Man sagt der Teufel sei, im Detail versteckt,
doch hab' ich mit dem Mikroskop viel Göttliches entdeckt.

Gerd Schmahl

Hallo,
hier noch ein Überblick über den Querschnitt-Schliff. Das Original-Bild ist aus 80 Bildern zusammengenäht und 28.000 Pixel breit. Der Schliff selber ist 25mm breit.
LG Gerd
Man sagt der Teufel sei, im Detail versteckt,
doch hab' ich mit dem Mikroskop viel Göttliches entdeckt.

Dünnschliffbohrer

Hallo Gerd,
der Schliff ist ja wirklich sehr schön geworden! Womit hast du ihn denn aufgeklebt? Am schönsten finde ich das Übersichtsfoto. Der bituminöse Geruch wundert mich überhaupt nicht. Aber die dunkle Farbe gibt ja einen guten Kontrast zu den Viechern. Die kommen zwar auch in den dickbankigen hellen Kalken vor, fallen aber dort viel weniger auf. Danke für´s zeigen.
"Und Gott sprach: Es ist nicht gut, daß der Mensch allein sei; und er schuf um ihn Laubmoose und Lebermoose und Flechten und ein Mikroskop!"
[aus: Kleeberg, Bernhard (2005): Theophysis, Ernst Haeckels Philosophie des Naturganzen,  S. 90]

Gerd Schmahl

#14
Hallo Dsfb.
die Schliffe sind mit CONLOC-UV-Kleber 665 aufgekelbt und auch eingedeckt. Im Dünnschliff sieht man übrigens sehr deutlich, dass die ehemaligen Hohlräume mit wasserklarem Kalzit gefüllt sind. Die schönen Pol-Farben sind allerdings in meinen Bildern etwas überblendet, weil ich lieber die dunklen Feinstrukturen zeigen wollte.
LG Gerd
Man sagt der Teufel sei, im Detail versteckt,
doch hab' ich mit dem Mikroskop viel Göttliches entdeckt.