Botanik: Wangenheimer Frühzwetschge Prunus domestica *

Begonnen von Hans-Jürgen Koch, Juni 21, 2021, 12:58:17 NACHMITTAGS

Vorheriges Thema - Nächstes Thema

Hans-Jürgen Koch

Liebe Pflanzenfreunde,

die Zwetsche 'Wangenheimer Frühzwetsche' ist eine historische Sorte.
Die Hauspflaume (Prunus domestica) ist eine uralte Zuchtform, die möglicherweise eine Art-Hybride aus vermutlich Prunus cerasifera (Kirsch-Pflaume) und relativ sicher Prunus spinosa (Schlehe) ist.
Zwetschen sind nahe Verwandte der Pflaumen. Für die beliebten Herbstfrüchte sind andere Schreibweisen gebräuchlich: Zwetschke, Zwetschge oder Quetsche.

Die Vertreter der Gattung Prunus haben Blätter mit nur einem aus dem Fruchtblatt entstandenen Fruchtknoten, aus dem die Steinfrucht entsteht. Die Außenhaut (Exokarp) überdeckt das Mesokarp, den fleischigen, weichen, essbaren Teil der Frucht; in diesem Fruchtfleisch befindet sich das Endokarp, der holzige Kern also, der den Samen enthält.

Eine Frucht, die so gebildet ist, nennt man eine echte Frucht.
(Bot.) Prunus 'Wangenheimer Frühzwetsche' bringt aromatische, längliche Früchte hervor. Die dunkelblauen Früchte wachsen an kurzen Stielen und sind stark hellblau bereift.
Diese Zwetschensorte ist sehr vielseitig einsetzbar, sie kann sowohl zum Verzehr, als auch zum Kochen, Backen, Dörren und Schnapsen verwendet werden.

Die Zwetsche 'Wangenheimer Frühzwetsche' ist ein kräftig wachsender Obstbaum (Höhe: 4 – 10 Meter) mit einer breiten, teils überhängenden Krone. Der Zwetschenbaum kann bis zu 120 Jahre alt werden.
Seine Zweige stehen dicht und sind mit ovalen, hellgrünen Blättern belaubt. Die zart duftenden weißen Blüten werden im Mai von Bienen, Hummeln und Schwebfliegen befruchtet.

Bild 01 Habitus, Wangenheimer Frühzwetschge Prunus domestica

Quelle: www.galasearch.de und www.pflanzendatenbank.galasearch.de

Die sommergrüne Zwetsche 'Wangenheimer Frühzwetsche' ist sehr genügsam und kommt selbst in Höhenlagen gut zurecht.

Bild 02 Früchte, Prunus domestica

Urheber: Yamamaya
Obwohl Prunus 'Wangenheimer Frühzwetsche' erst Anfang Mai ihre Blüten öffnet, reifen ihre Früchte schon Mitte August.
Schon seit dem 17. Jahrhundert ist sie in Deutschland verbreitet.
Es gibt verschiedene Typen dieser Sorte, die sich in ihrer Reifezeit unterscheiden. Die Hauszwetsche wird sowohl als Tafelfrucht, als auch als Backfrucht vermarktet. Sie ist aufgrund ihrer guten Anpassungsfähigkeit an Boden und Klima die in Mittel- und Osteuropa am meisten angebaute Sorte.
Die Sorte blüht sehr spät und ist selbstfruchtbar. Allerdings ist ein weiterer Pollenträger immer ein Garant für höhere Erträge.

Pflaume und Zwetschge - worin besteht der Unterschied?
Die Pflaume (Prunus domestica) ist eine Unterart der Gattung Prunus mit sieben Unterarten, aus denen mehr als 2.000 Sorten hervorgegangen sind. Zwetschgen zählen ebenso zu den Unterarten, wie Edel-Pflaumen, auch bekannt als Renekloden sowie Mirabellen oder Haferpflaumen. Aufgrund der reichen Sortenvielfalt sind die Grenzen mittlerweile fließend. Dennoch können aus gärtnerischer und kulinarischer Sicht folgende Unterschiede zwischen Pflaumen und Zwetschgen festgehalten werden:
Legt man die beiden Früchte nebeneinander, erkennst man die Unterschiede sofort: Rund oder eiförmig und mit einer Kernnaht, die über die ganze Frucht verläuft? Das ist eine Pflaume. Farbenfroh leuchtet sie von blau über rot und gelb bis lila, das Fruchtfleisch ist gelb.

Bild 03 Gegenüberstellung, Zwetschge, Pflaume

Die Zwetschge hingegen ist deutlich kleiner und in der Form eher länglich bis oval. Farblich rangiert sie zwischen dunkelblau bis violett und das Fruchtfleisch ist gelb-grünlich. Oft ist sie mit etwas weißem Fruchtwachs bedeckt – ihr natürlicher Schutzschild.
Im Gegensatz zu Pflaumen löst sich bei Zwetschgen der Stein leicht vom Fruchtfleisch, das gilt besonders, wenn man sie mit mittlerem Druck quer zum Stein rollt.

Zum Kuchenbacken nimmt man besser Zwetschgen. Die Früchte haben weniger Wasser als Pflaumen. Sie behalten im Ofen dadurch besser ihre Form und weichen den Boden nicht auf. Beliebt ist beispielsweise ein Zwetschgenkuchen mit Zimtstreuseln.

Die Früchte sind klein bis mittelgroß (28 - 34 mm) und länglich oval geformt. Sie können ein Gewicht von bis zu 30 g erreichen. Das Fruchtfleisch schmeckt würzig, süß und leicht herb. Es hat zunächst eine gelbe, später eine gelblich braune Farbe. Der Zuckergehalt ist mit 20,4 % Brix vergleichsweise hoch. Eine Zuckerlösung mit einem Brix enthält 10 g/l Zucker.
Die Früchte reifen Mitte bis Ende September.
Die verschiedenen Typen unterscheiden sich in ihrer Reifezeit.

Nachteile der Sorte sind der spät einsetzende Ertrag, sowie die starke Anfälligkeit für die Narrentaschenkrankheit und die Scharka-Krankheit. Aufgrund der Anfälligkeit für Scharka kann sie nur noch in Gebieten angebaut werden, die noch frei von Scharka sind.
Scharka (oder Scharka-Krankheit) ist eine durch das Scharka-Virus (engl.: plum pox virus, PPV) hervorgerufene Pflanzenkrankheit des Steinobstes. Sie befällt insbesondere Pflaumen/Zwetschgen und auch Pfirsiche/Nektarinen sowie Aprikosen und ist deren bedeutendste Krankheit, die sich seit den 1960er-Jahren in Deutschland ausgebreitet hat und heute flächendeckend auftritt.

Eine Anekdote aus Wangenheim:
Der Legende nach ließ die Witwe des Forstmeisters von Wangenheim, nachdem sie den Dorfpfarrer mit 150 Talern bestochen hatte, ihren verstorbenen Hund ,,Stutzel" auf dem Friedhof von Winterstein in einem Sarg bestatten. Die Sache gelangte aber an die Öffentlichkeit und seit dieser Zeit gibt es in Thüringen die Redensart ,,In Winterstein, da liegt der Hund begraben".
Stutzel war kein gewöhnlicher Hund, er soll, der Überlieferung nach, im Dreißigjährigen Krieg Nachrichten von Winterstein nach Gotha überbracht haben. Daher wurde ihm auch ein Grabstein gewidmet, der jetzt noch im Kurpark zu sehen ist.
Die Gemeinde Wangenheim liegt im nordwestlichen Teil des Landkreises Gotha im Tal der Nesse und am Südrand des Höhenzuges ,,Große Harth" einem südöstlichen Teil des Hainich.

Bild 04 Illustration, Wangenheimer Frühzwetschge Prunus domestica

Quelle: Deutsche Obstsorten – Bund Lemgo

Systematik:
Ordnung: Rosenartige (Rosales)
Familie: Rosengewächse (Rosaceae)
Unterfamilie: Spiraeoideae
Tribus: Steinobstgewächse (Amygdaleae)
Gattung: Prunus
Art: Pflaume
Wissenschaftlicher Name: Prunus domestica
Trivialnamen: Zwetschke, Zwetsche, Quetsche
Englische Bezeichnung: real plum
Lat. ,,domesticus" = Haus-, abgeleitet von ,,domus" = Haus.

Der Pflaumenbaum oder Prunus domestica zählt zur Familie der Rosengewächse und stammt ursprünglich aus Vorderasien.
Zuerst gelang sie nach Griechenland, später nach Italien und etwa 100 vor Christus nach Mitteleuropa.
Es wird vermutet, dass er mit den Truppen von Alexander dem Großen nach Europa gelangte, wo er zunächst in der Gegend um Damaskus im großen Stil kultiviert wurde. In Mitteleuropa begannen die Menschen erst im Mittelalter, Pflaumen anzubauen.

Schon vor etwa 2000 Jahren dichtete der Römer Marcus Valerius Martial: ,,Nimm Pflaumen für des Alters morsche Last, denn sie pflegen zu lösen den hartgespannten Bauch."
Die Erstveröffentlichung von Prunus domestica erfolgte 1753 durch Carl von Linné. Über den Ursprung der Pflaume gibt es bisher nur Spekulationen, genauere Untersuchungen fehlen.
Carl von Linné war ein schwedischer Naturforscher, der mit der binären Nomenklatur die Grundlagen der modernen botanischen und zoologischen Taxonomie schuf.
Als beliebte Herbstfrucht gilt die Pflaume durch ihren hohen Gehalt an Vitamin C, E und A sowie Mineralstoffen wie Magnesium, Zink und Kalium als äußerst gesundes, wenn auch sehr fruchtzucker- und kalorienreiches Obst.
Die blau-violette Färbung ist auf die darin enthaltenen Anthocyane zurückzuführen. Diese Pflanzenfarbstoffe besitzen die Eigenschaft, im menschlichen Körper freie Radikale zu neutralisieren und gelten daher als natürlicher Schutz vor Krebserkrankungen.
Anthocyane (engl. Antocyanine, von griech. anthos = Blüte, Blume, kyáneos = dunkelblau) sind wasserlösliche Pflanzenfarbstoffe, die in nahezu allen höheren Pflanzen vorkommen und den Blüten und Früchten die rote, violette, blaue oder blauschwarze Färbung geben.

Teil 1
Spross, Querschnitt
35 Mikrometer

Vier fixierte, ungefärbte Schnitte.

Bild 05 Übersicht, Wangenheimer Frühzwetschge Prunus domestica


Bild 06 Detailaufnahme, Wangenheimer Frühzwetschge Prunus domestica


Bild 07 Detailaufnahme, Wangenheimer Frühzwetschge Prunus domestica


Bild 08 Detailaufnahme, Wangenheimer Frühzwetschge Prunus domestica


Zwei fixierte, ungefärbte Schnitte, Polarisation.

Bild 09 Übersicht, Wangenheimer Frühzwetschge Prunus domestica


Bild 10 Detailaufnahme, Wangenheimer Frühzwetschge Prunus domestica


Drei fixierte, ungefärbte Schnitte, Phasenkontrast.

Bild 11 Übersicht, Wangenheimer Frühzwetschge Prunus domestica


Bild 12 Detailaufnahme, Wangenheimer Frühzwetschge Prunus domestica


Bild 13 Detailaufnahme, Wangenheimer Frühzwetschge Prunus domestica


Drei fixierte, ungefärbte Schnitte, Autofluoreszenz.

Bild 14 Autofluoreszenz, Detailaufnahme, Übersicht, Wangenheimer Frühzwetschge Prunus domestica

LED Modul 455 nm
Reflektormodul FL mit Filtersatz 67
Erregerfilter: BP 470 nm
Strahlenteiler: FT 477 nm
Emission (Sperrfilter): LP 485

Bild 15 Autofluoreszenz, Detailaufnahme, Wangenheimer Frühzwetschge Prunus domestica


Bild 16 Autofluoreszenz, Detailaufnahme, Wangenheimer Frühzwetschge Prunus domestica


Wacker 3 A - Färbung (Acridinrot – Acriflavin - Astrablau)
1. Schnitte liegen in 50 % Ethanol.
2. Aqua dest. 3x wechseln je 1 Minute.
3. Vorfärbung Acridiorot 8 Min.
4. 1x auswaschen mit Aqua dest.
5. Acriflavinlösung (differenzieren bis gerade keine Farbwolken mehr abgehen - Lupenkontrolle) 15 Sekunden
6. 2 x auswaschen mit Aqua dest.
7. Nachfärbung Astrablau 60 Sekunden
8. Auswaschen mit Aqua dest. bis keine Farbstoffreste verbleiben.
9. Entwässern mit 2x gewechseltem Isopropylalkohol (99,9 %
10. Einschluss in Euparal
Ergebnis:
Zellwände blaugrün bis grün, verholzte Zellwände leuchtend rot, Zellwände der äußeren Hypodermis orangerot, Cuticula gelb, Zellwände der innenliegenden Hypodermis tiefrot.
Fotos: Nikon D5000, Sony Alpha 6000

Bild 17 Übersicht mit Beschriftung, Wangenheimer Frühzwetschge Prunus domestica

XY = Xylem, MP = Markparenchym, ST = Strahl, J = Jahresringgrenze, SK = Sklerenchym, PE = Periderm, RP = Rindenparenchym

Bild 18 Detailaufnahme, Wangenheimer Frühzwetschge Prunus domestica


Bild 19 Detailaufnahme, Wangenheimer Frühzwetschge Prunus domestica


Bild 20 Detailaufnahme, Wangenheimer Frühzwetschge Prunus domestica

Plants are the true rulers - Pflanzen sind die wahren Herrscher.

<a href="http://www.mikroskopie-forum.de/index.php?topic=2650.0" target="_blank">Hier geht es zur Vorstellung</a>

Gerne per "Du"

Hans-Jürgen Koch

Bild 21 Auflichtbeleuchtung Fluoreszenz, Wangenheimer Frühzwetschge Prunus domestica

Auflicht Beleuchtung Fluoreszenz iLED 455 nm
LED Modul 455 nm
Reflektormodul FL mit Filtersatz 67
Erregerfilter: BP 470 nm
Strahlenteiler: FT 477 nm
Emission (Sperrfilter): LP 485

Bild 22 Detailaufnahme, Auflichtbeleuchtung Fluoreszenz, Wangenheimer Frühzwetschge Prunus domestica


Bild 23 Detailaufnahme Auflichtbeleuchtung Fluoreszenz, Wangenheimer Frühzwetschge Prunus domestica


Teil 2
Spross, Längsschnitt
20 Mikrometer
Fünf ungefärbte Schnitte

Bild 24 Übersicht, fixierte Probe, Wangenheimer Frühzwetschge Prunus domestica


Bild 25 Übersicht, fixierte Probe, Wangenheimer Frühzwetschge Prunus domestica


Bild 26 Detailaufnahme, fixiert Probe, Wangenheimer Frühzwetschge Prunus domestica


Bild 27 Detailaufnahme, fixiert Probe, Wangenheimer Frühzwetschge Prunus domestica


Bild 28 Detailaufnahme, fixiert Probe, Wangenheimer Frühzwetschge Prunus domestica


Bild 29 Autofluoreszenz, fixiert Probe, Detailaufnahme, Wangenheimer Frühzwetschge Prunus domestica


Bild 30 Autofluoreszenz, fixiert Probe, Detailaufnahme, Wangenheimer Frühzwetschge Prunus domestica


Bild 31 Übersicht, Wangenheimer Frühzwetschge Prunus domestica


Bild 32 Übersicht, Wangenheimer Frühzwetschge Prunus domestica


Bild 33 Detailaufnahme, Wangenheimer Frühzwetschge Prunus domestica


Bild 34 Detailaufnahme, Wangenheimer Frühzwetschge Prunus domestica


Bild 35 Detailaufnahme, Wangenheimer Frühzwetschge Prunus domestica


Bild 36 Übersicht, Auflichtbeleuchtung Fluoreszenz, Wangenheimer Frühzwetschge Prunus domestica

Auflicht Beleuchtung Fluoreszenz iLED 455 nm
LED Modul 455 nm
Reflektormodul FL mit Filtersatz 67
Erregerfilter: BP 470 nm
Strahlenteiler: FT 477 nm
Emission (Sperrfilter): LP 485

Bild 37 Detailaufnahme, Auflichtbeleuchtung Fluoreszenz, Wangenheimer Frühzwetschge Prunus domestica


Bild 38 Detailaufnahme, Auflichtbeleuchtung Fluoreszenz, Wangenheimer Frühzwetschge Prunus domestica


Bild 39 Detailaufnahme, Auflichtbeleuchtung Fluoreszenz, Wangenheimer Frühzwetschge Prunus domestica


Bild 40 Detailaufnahme, Auflichtbeleuchtung Fluoreszenz, Wangenheimer Frühzwetschge Prunus domestica


Quellen und weiterführende Informationen:


Wikipedia; Freie Enzyklopädie
Butin ,,Farbatlas-Gehölz-Krankheiten", ISBN: 3-8001-3874-3
Dietrich Böhlmann ,,Gehölzbiologie", ISBN: 978-3-494-01547-7
Esau ,,Pflanzenanatomie", 1969
Schmidt/Hecker ,,Taschenlexikon der Gehölze", ISBN: 378-3-494-01448-7
Humphries/Press/Sutton ,,Der Kosmos-Baumführer", ISBN: 3-440-06140-X
Spohn ,,Kosmos-Baumführer Europa", ISBN: 978-3-440-11741-5
Strasburger ,,Lehrbuch der Botanik", 1991

Die Informationen für Beschreibungen werden von mir selbst aus verschiedenen Quellen zusammengetragen. Dabei benutze ich sowohl Bücher als auch Internet Quellen. Texte werden anschließend individuell von mir selbst verfasst.
Für konstruktive Kritik bin ich ebenso offen wie für lobende Worte.
Doch zunächst einmal wünsche ich viel Freude beim Lesen.

Hans-Jürgen



Plants are the true rulers - Pflanzen sind die wahren Herrscher.

<a href="http://www.mikroskopie-forum.de/index.php?topic=2650.0" target="_blank">Hier geht es zur Vorstellung</a>

Gerne per "Du"

Bernd Miggel

Lieber Hans-Jürgen,

wieder einmal eine vorbildliche Präsentation, vielen Dank!
Bei jedem Gehölz schaue ich mir vor allem den Xylembereich an. Dem Bild 22 kann man sehr schön entnehmen, dass die Holzstrahlen 1-3 (4) Zellen breit sind; Bild 27 oben links zeigt Schraubenverdickungen in den Gefäßen; Bild 33 zeigt die Einfachen Durchbrechungen der Gefäße.

Viele Grüße
Bernd

Fahrenheit

Lieber Hans-Jürgen,

vielen Dank für den schönen Beitrag zur Zwetschge, den ich gerne gelistet habe.

Ich finde den aufbau des Phloems mit den durchlaufenden markstrahlen spannend. Wegen der verdrehung könnte man fast meinen, das der Spross einer Torsionskraft ausgesetzt gewesen wäre.

Herzliche Grüße
Jörg
Hier geht's zur Vorstellung: Klick !
Und hier zur Webseite des MKB: Klick !

Arbeitsmikroskop: Leica DMLS
Zum Mitnehmen: Leitz SM
Für draussen: Leitz HM

Wutsdorff Peter

Grüß´ Dich Hans-Jürgen,
wieder einmal Super!!!
Ich bewundere Deine Detailkenntnisse!!
Jetzt sterbe ich nicht dumm! Ich dachte immer, daß Zwetschge nur eine anderer Name für Pflaume sei.
Gruß und bleib negativ i.S. v. Corona Delta
             Peter

Hans-Jürgen Koch

Lieber Bernd,

danke für deine Ergänzungen.

Lieber Jörg,

die Markstrahlen sehen schon verändert aus.

Hallo Peter,
danke für deine Rückmeldung.

Gruß
Hans-Jürgen
Plants are the true rulers - Pflanzen sind die wahren Herrscher.

<a href="http://www.mikroskopie-forum.de/index.php?topic=2650.0" target="_blank">Hier geht es zur Vorstellung</a>

Gerne per "Du"

Fahrenheit

Lieber Hans-Jürgen,

bei den gewundenen Bändern scheint es sich um untergegangenes (Phloem?)-Gewebe zu handeln.
Vielleicht kannst Du einmal eine Detailaufnahme einstellen.

Mal schauen, ob ich hier bei uns einen erreichbaren Zwetschgenbaum finde. Ich würde dann auch mal ein etwa dreijähriges Ästchen schneiden, um zu sehen, ob hier eine Ausnahme oder eine normale Bildung vorliegt.

Herzliche Grüße
Jörg
Hier geht's zur Vorstellung: Klick !
Und hier zur Webseite des MKB: Klick !

Arbeitsmikroskop: Leica DMLS
Zum Mitnehmen: Leitz SM
Für draussen: Leitz HM

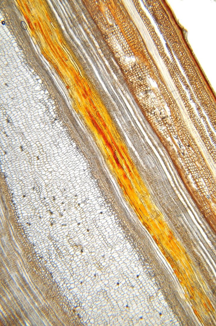
Hans-Jürgen Koch

Lieber Jörg,

ich habe noch drei Bilder von den ,,gewundenen Bändern" aufgenommen.




Gruß
Hans-Jürgen
Plants are the true rulers - Pflanzen sind die wahren Herrscher.

<a href="http://www.mikroskopie-forum.de/index.php?topic=2650.0" target="_blank">Hier geht es zur Vorstellung</a>

Gerne per "Du"

Fahrenheit

Lieber Hans-Jürgen,

danke Dir! Aus meiner Sicht handelt es sich hier eindeutig um wahrscheinlich im Rahmen des sekundären Dickenwachstums untergegangenes Phloemgewebe.
In der Form habe ich das noch nicht gesehen und somit bin ich auf meine eigenen Schnitte gespannt.

@Detlef: was denkst Du?

Herzliche Grüße
Jörg
Hier geht's zur Vorstellung: Klick !
Und hier zur Webseite des MKB: Klick !

Arbeitsmikroskop: Leica DMLS
Zum Mitnehmen: Leitz SM
Für draussen: Leitz HM