Botanik: Riesenmammutbaum Sequoiadendron giganteum ein imposantes Nadelgehölz *

Begonnen von Hans-Jürgen Koch, Juli 23, 2023, 15:32:46 NACHMITTAGS

Vorheriges Thema - Nächstes Thema

Hans-Jürgen Koch

Der Riesen-Mammutbaum bzw. der Berg-Mammutbaum gilt als eine der ältesten und zugleich eindruckvollsten Baumarten der Erde, welche vor der letzten Eiszeit sogar in Europa heimisch war.
Zusammen mit dem Küsten-Mammutbaum (Sequoia sempervirens) und dem in China beheimateten Urwelt-Mammutbaum (Metasequoia glyptostroboides) bildet er die drei letzten Arten der Unterfamilie Sequoiadeae (Mammutbäume), welche alle drei im natürlichen Verbreitungsgebiet vom Aussterben bedroht sind.

In den letzten Jahrzehnten sind über 95 % der Mammutbäume verschwunden, seit 1940 stehen sie unter strengem Naturschutz.
Angefangen bei der frühen Abholzung und dem fortwährenden Wachstum der Städte und Siedlungen, fallen viele Mammutbäume momentan den langen Trockenperioden im Zuge der Erderwärmung zum Opfer.
Im Bundesstaat Kalifornien dem Hauptverbreitungsgebiets des Riesen- und des Küstenmammutbaumes, sind seit 2011 102 Millionen Bäume vertrocknet und abgestorben. Diese Dürrephase gelangte sogar bis auf 1.600 Meter, in welcher Höhe die Mammutbäume wachsen. Dies traf auch den bekannten ,,Tunnel Tree", welcher nach 2.000 Jahren der Trockenheit erlag und gefällt werden musste.

Bild 01 The Wawona Tunnel Tree, in Yosemite National Park

Urheber: Robert J. Boser

Der voluminöseste Baum der Erde ist der Riesenmammutbaum ,,General Sherman" im kalifornischem Sequoia-Nationalpark. Sein Alter wird auf 1.900 bis 2.500 Jahre geschätzt, bei einer Höhe von 83 Meter und einer Stärke von 11 Meter (!).
Hierzulande erreicht Sequoiadendron giganteum ebenfalls beachtliche Wuchsleistungen. Bis zu 50 Meter Höhe und bis zu 2 Meter Durchmesser und mehr sind in Mitteleuropa möglich.
Momentan wird der Riesenmammutbaum in Deutschland bisher fast ausschließlich als Zierbaum kultiviert.
Die Bäume mit den größten Volumenmassen sind beeindruckend:
Sieger dieser Kategorie ist der Riesenmammutbaum, von denen vierzehn noch ungeschlagene Exemplare ein Volumen von jeweils mindestens 20.0000 Kubikfuß enthalten, also mehr als 1132 Kubikmeter.

Wie tief wurzelt ein Mammutbaum?

Die Wurzeln reichen maximal einen Meter in die Erde. Umso großflächiger ist ihr Ausmaß in der Breite. Ganze 30 Meter kann das unterirdische Wurzelsystem umfassen, was in etwa einer Fläche von 0,3 Hektar (3000 m2) entspricht. Der Unterbau reicht dementsprechend weit über die Ausmaße der Krone hinaus.

Meine Pflanzenprobe stammt aus dem Arboretum Bad Grund, ab 2010 lautet die neue Bezeichnung: WeltWald Harz.
https://www.landesforsten.de/erleben/unsere-naturtalente/weltwald-harz/

Der Riesenmammutbaum (Sequoiadendron giganteum) hat ein rotbraunes Kernholz, von dem sich das hellgelbe Splintholz deutlich absetzt. Das Holz ist weitgehend harzfrei und im Kern sehr dauerhaft.
Es besitzt eine Darrdichte von etwa 0,37 g/cm und ist insbesondere im Bereich von Ästen recht spröde, bricht daher leicht.
Die Darrdichte ist ein Maß für das Gewicht von Holzarten. Genauer gesagt handelt es sich um einen Durchschnittswert für die Rohdichte der jeweiligen Holzart – gemessen, wenn das Holz absolut trocken ist. Anhand der Darrdichte unterscheidet man, ob die Holzart zu den Weich- oder zu den Harthölzern zählt. Die Maßeinheit ist aber nicht dasselbe wie die Holzhärte.
Die Darrdichte wird in Kilogramm pro Kubikmeter oder auch in Gramm pro Kubikzentimeter gemessen. Sie informiert also über das Gewicht bezogen auf ein bestimmtes Volumen.
Damit informiert sie über die Rohdichte des Holzes. Dieser Begriff umfasst nicht nur das Gewicht des Materials selbst, sondern auch das Gewicht der Luftporen innerhalb des Zellstoffs.
Die dicke Rinde schützt den Stamm gegen Feuer. Die Spechte nützen sie gerne um sogenannte "Spechtschmieden" anzulegen, das sind Mulden in der Rinde, die zum Festklemmen von Zapfen dienen, um sie so leichter aufschlagen zu können und an die Samen zu gelangen. (Bayerische Forstverwaltung 2007)
Die Belaubung besteht aus schmalen, spitzen Schuppenblättern bzw. kurzen Nadeln, die spiralig angeordnet sind und in drei Reihen um den Trieb laufen. Die spiralige Anordnung der Nadeln ist ein Unterscheidungsmerkmal von  Sequoia sempervirens (Küstenmammutbaum), bei der die deutlich längeren Nadeln in einer Ebene zu beiden Seiten des Triebes angeordnet sind. Die Nadeln des Sequoiadendron giganteum sind an jungen Trieben blaugrün, an älteren dunkelgrün.
An Seitentrieben werden sie 3 bis 6 mm lang, an Leittrieben bis 15 mm, und bis 3 mm breit, ihre Basis läuft am Zweig herab. Sie werden nach etwa drei bis vier Jahren zusammen mit dem Zweig abgeworfen.

Allen Mammutbaum Arten gemein ist die dunkelgrüne Farbe ihrer Nadeln, die zum Teil auch einen bläulichen Schimmer annehmen kann. Damit erinnern die Blätter entfernt an jene der Eibe. Während die Oberseite einen intensiven grünen Farbton aufweist, ist die Unterseite ein wenig heller.

Bild 02 Grüne weibliche Zapfen, Riesenmammutbaum Sequoiadendron giganteum

Dieses Werk ist gemeinfrei

Bild 03 Männliche Blütenzapfen, Riesenmammutbaum Sequoiadendron giganteum

Urheber: Rosser 1954

Bild 04 Reife Zapfen und ein Same, Riesenmammutbaum Sequoiadendron giganteum

Fotograf: Didier Descouens

Mammutbäume wachsen nur aus Samen. Diese werden in kleinen eiförmigen Zapfen produziert. Jeder Zapfen enthält 200–300 Samen in der Größe von Haferflocken. Damit sie keimen können, sind folgende Bedingungen notwendig:
weicher, mineralreicher Erdboden, ausreichend Sonnenlicht und Feuchtigkeit. Von Millionen von Sequoiasamen, die jedes Jahr auf den Waldboden fallen, erreicht nur einer das Keimstadium und wächst zu einer ausgewachsenen Riesensequoie heran. Zwei Jahre braucht ein Mammutzapfen für die volle Entwicklung. Die Zapfen bleiben dann etwa 20 bis 30 Jahre auf dem Baum. Damit die Zapfen abfallen und die Samen verstreut werden können, sind äußere Einflüsse notwendig.
Bei der Verbreitung der Samen helfen zwei Tiere: Bohrkäfer und Chickaree-Eichhörnchen.
Unscheinbare weibliche und männliche Blüten sind auf einem Pflanzenexemplar vorhanden.
Auf den Nadeln sitzen sowohl kleine Blüten als auch Zapfen, welche die Samen des Sequoia bergen.

Interessante Fakten zu den Blüten:
Länge der männlichen Blüten: 5-7 mm
Länge der weiblichen Blüten: 10 mm
Farbe der männlichen Blüten: blass gelb
Farbe der weiblichen Blüten: grün
Blütezeit des Riesenmammutbaumes: Februar bis März.
Blütezeit des Bergmammutbaums: März bis April
Blütezeit des Küstenmammutbaums: Februar bis März

Bild 05 Spross mit  Ansätzen von Nadelblätter in einem AFE III Gemisch, Riesenmammutbaum  Sequoiadendron giganteum

Foto: Hans-Jürgen Koch

Systematik:
Klasse: Coniferopsida
Ordnung: Koniferen Coniferales
Familie: Zypressengewächse Cuoressaceae
Unterfamilie: Mammutbaum Sequoioideae
Gattung: Sequoiadendron
Art: Riesenmammutbaum
Wissenschaftlicher Name der Gattung: Sequoiadendron
Wissenschaftlicher Name der Art: Sequoiadendron giganteum
Trivialname: Riesen – Sequoie, Kalifornischer Mammutbaum
Bergmammut oder Wellingtonie
Englische Bezeichnung: giant sequoia, redwood


Der Name Sequoia wurde durch den Botaniker und Sprachforscher STEPHAN ENDLICHER (1804–1849) geprägt.

Dieser wollte damit den Irokesenhäuptling ,,Se-Quo-Yah" des pazifischen Nordwestens ehren, der in seiner Zeit hunderte von Indianersprachen mit einer Spezialschrift festgehalten und so der Nachwelt überliefert hatte.

SEQUOYAH, Sohn einer Cherokee-Indianerin, hat in den Jahren 1809–1821 das Schriftsystem für das Cherokee (Teil der irokesischen Sprachfamilie) entwickelt und ermöglichte somit das Veröffentlichen von Büchern und Zeitungen in der eigenen Sprache.


Teil 1
Spross mit  Ansätzen von Nadelblätter, Querschnitte
25 Mikrometer


Bild 06 Schnittstellen, Riesenmammutbaum Sequoiadendron giganteum


Bild 07 Übersicht, ungefärbter Schnitt,Riesenmammutbaum Sequoiadendron giganteum


Bild 08 Detailaufnahme, ungefärbter Schnitt,  Riesenmammutbaum Sequoiadendron giganteum


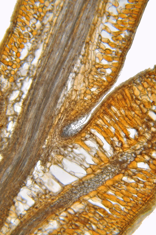
Bild 09 Harzkanal, ungefärbter Schnitt,Riesenmammutbaum Sequoiadendron giganteum


Im Normfall befindet sich der einzige Harzkanal in den Folgeblättern direkt unterhalb des Leitbündels.

Bild 10 Spaltöffnung,Stoma, ungefärbter Schnitt,Riesenmammutbaum Sequoiadendron giganteum

Z = Zentralspalt, Sch = Schließzellen, A = Atemhöhle

Bild 11 Detailaufnahme, Autofluoreszenz, Riesenmammutbaum Sequoiadendron giganteum

EP = Epidermis, HA = Harzkanal, H = Hypodermis, L = Leitbündel

LED Modul 455 nm
Reflektormodul FL mit Filtersatz 67
Erregerfilter: BP 470 nm
Strahlenteiler: FT 477 nm
Emission (Sperrfilter): LP 485

Bild 12 Detailaufnahme, Autofluoreszenz, Riesenmammutbaum Sequoiadendron giganteum


Bild 13 Detailaufnahme, Autofluoreszenz, Riesenmammutbaum Sequoiadendron giganteum


Bild 14 Dunkelfeld, Detailaufnahme, Riesenmammutbaum Sequoiadendron giganteum


W-3A-Färbung nach Wacker (Acridinrot-Acriflavin-Astrablau) modifiziert

Arbeitsablauf:
1.Pflanzenprobe liegt in 30 % Ethanol.
2. Aqua dest. 3x wechseln je 1 Minute.
3. Vorfärbung Acridinrotlösung 7 Minuten
4. 1x auswaschen mit Aqua dest. .
5. Acriflavinlösung (differenzieren bis gerade keine Farbwolken mehr abgehen - Lupenkontrolle) ca.30 Sekunden !!
6. 2 x auswaschen mit Aqua dest..
7. Nachfärbung Astrablaulösung 1 Minuten
8. Auswaschen mit Aqua dest. bis keine Farbstoffreste auf dem Objektträger    verbleiben.
9. Entwässern mit 3x gewechseltem Isopropylalkohol (99,9 %)
10. Einschluss in Euparal.

Ergebnis:

Zellwände blaugrün bis grün, verholzte Zellwände leuchtend rot, Zellwände der äußeren Hypodermis orangerot, Cuticula gelb, Zellwände der innenliegenden Hypodermis tiefrot.
Bei der Betrachtung wird eine Kontrastverbesserung bei Verwendung eines BG 38 Filters (blaugrün, 3 mm dick) erreicht.

Fotos: Nikon D5500

Bild 15 Übersicht, Riesenmammutbaum Sequoiadendron giganteum


Bild 16 Detailaufnahme mit Beschriftung, Riesenmammutbaum Sequoiadendron giganteum

Im Zentrum einer Riesensequoie befindet sich der alte, abgestorbene Kern. Man könnte ihn das Skelett des Riesenbaums nennen.
Splintholz ist das schmale hell gefärbte Holzband. In den Zellen des Splintholzes werden Wasser und Nährstoffe durch den Baum transportiert.
Der einzige wachsende Teil des Baums, das Kambium, befindet sich zwischen dem Splintholz und der Rinde. Diese Schicht ist ein dünnes Zellgewebe und produziert jedes Jahr einen neuen Ring aus Holz und eine neue Rindenschicht. Diese Schicht schützt den Baum vor inneren Verletzungen; es wächst auch Rinde über eine Baumwunde.
Innerhalb des Sprosses befinden sich die Leitbündel, welche die Xylem- und Phloemsäfte transportieren und so den Kreislauf der flüssigen Substanzen gewährleisten.

Der aufwärts fließende Strom besteht aus Wasser mit gelösten Mineralsalzen und ist von dem absteigenden, mit Zucker angereicherte Phloemsaft durch eine dünne Schicht teilungsfähiger Meristemzellen getrennt, dem Kambium.

Das Kambium ist das Wachstumsgewebe (vom Lateinischen cambiare, ,,wechseln");  durch Teilung werden Bastzellen nach außen und Holzzellen nach innen gebildet.

Das Kambium, der Ort, an dem die Zuwachsschichten entstehen und wo aus sukzessive neue Entfaltungsebenen erschlossen werden, ermöglicht ein ,,Aufstocken auf bereits Gebautem" anstatt jedes Jahr wieder vom Boden ausgehen zu müssen.
Hierzu kommt, dass die Reproduktionsphase erst sehr spät, nach einer langen vegetativen Wachstumsphase einsetzt. Derartige Wuchsformen konnten nur durch die ,,Erfindung" des Lignin ermöglicht werden. Diese Substanz wirkt als eine Art organischen Zement, der die Zellulose verstärkt und den entstandenen Strukturen Druckfestigkeit verleiht.

Bei Bäumen führt die anatomische Weiterentwicklung zur Ausbildung einer flächigen, in sich geschlossenen zylindrischen Kambiumschicht.
Sie liegt zwischen dem Splintholz, wo der Flüssigkeitstransport nach oben stattfindet, und der Rinde, wo der Strom durch die Bastfasern, die auch Sklerenchymfasern genannt werden nach unten fließt.
Der Bast ist die innere Schicht der Rinde und hat eine Leitungsfunktion. Hier werden die Nährstoffe in die übrigen Pflanzenteile transportiert.
Das Splintholz stellt das Leitungssystem  zur Wasserversorgung des Baumes von der Wurzel bis zur Krone dar, es dient auch als Speicherung von Reservestoffen.

Der Küsten-Mammutbaum Sequoia sempervirens kann bei Nebellagen den Wasserfluss im Xylem umkehren und sine Wurzeln in einer Art ,,umgekehrtem Aufzug" von oben nach unten mit Wasser versorgen.

Kern- und Splintholz werden zusammen botanisch als Xylem bezeichnet.
Plants are the true rulers - Pflanzen sind die wahren Herrscher.

<a href="http://www.mikroskopie-forum.de/index.php?topic=2650.0" target="_blank">Hier geht es zur Vorstellung</a>

Gerne per "Du"

Hans-Jürgen Koch

#1
Bild 17 Detailaufnahme, Riesenmammutbaum Sequoiadendron giganteum


Bild 18 Detailaufnahme, Riesenmammutbaum Sequoiadendron giganteum


Bild 19 Übersicht, Riesenmammutbaum Sequoiadendron giganteum


Bild 20 Übersicht, Riesenmammutbaum Sequoiadendron giganteum


Bild 21 Detailaufnahme, Auflichtbeleuchtung Fluoreszenz, Riesenmammutbaum Sequoiadendron giganteum

Reflektormodul FL mit Filtersatz 67
Erregerfilter: BP 470 nm
Strahlenteiler: FT 477 nm
Emission (Sperrfilter): LP 485

Bild 22 Detailaufnahme, Auflichtbeleuchtung Fluoreszenz, Riesenmammutbaum Sequoiadendron giganteum


Bild 23 Detailaufnahme, Auflichtbeleuchtung Fluoreszenz, Riesenmammutbaum Sequoiadendron giganteum


Bild 24 Detailaufnahme, Auflichtbeleuchtung Fluoreszenz, Riesenmammutbaum Sequoiadendron giganteum


Teil 2

Spross mit  Ansätzen von Nadelblätter, Längsschnitt

20 Mikrometer

Bild 25 Übersicht, ungefärbter Schnitt,Riesenmammutbaum Sequoiadendron giganteum


Bild 26 Übersicht, ungefärbter Schnitt ,Riesenmammutbaum Sequoiadendron giganteum


Bild 27 Übersicht, ungefärbter Schnitt, Riesenmammutbaum Sequoiadendron giganteum


Bild 28 Detailaufnahme, Autofluoreszenz, Riesenmammutbaum Sequoiadendron giganteum


Bild 29 Detailaufnahme, Autofluoreszenz, Riesenmammutbaum Sequoiadendron giganteum


W-3A-Färbung nach Wacker (Acridinrot-Acriflavin-Astrablau)

Bild 30 Übersicht, Riesenmammutbaum Sequoiadendron giganteum


Bild 31 Übersicht, Riesenmammutbaum Sequoiadendron giganteum


Bild 32 Detailaufnahme, Riesenmammutbaum Sequoiadendron giganteum


Bild 33 Detailaufnahme, Riesenmammutbaum Sequoiadendron giganteum


Bild 34  Auflichtbeleuchtung Fluoreszenz, Riesenmammutbaum Sequoiadendron giganteum


Bild 35  Auflichtbeleuchtung Fluoreszenz, Riesenmammutbaum Sequoiadendron giganteum


Quellen und weiterführende Informationen: 

Wikipedia; Freie Enzyklopädie

DOHMEN, H., SPELSBERG, G. & BUTZKE, H. 1984: Wurzelbildung des Mammutbaums - Sequoiadendron giganteum (LINDL.) BUCHH. - auf zwei unterschiedlichen Standorten am Niederrhein. – Mitt. Deutsch. Dendrol. Ges. 75: 105-113.

KAMMEYER, H. F. 1960: Mammutbäume. – Wittenberg: Ziemsen, 100 S.

MARTIN, I. 1984: Die Wiedereinführung des Mammutbaumes (Sequoiadendron giganteum (LINDL.) BUCHH.) in die deutsche Forstwirtschaft. – Mitt. Deutsch. Dendrol. Ges. 75: 57-75.

PODHORSKY, J. 1940: Die Sequoien Kaliforniens; ihre Bedeutung in ihrer Heimat und für Mitteleuropa. – Mitt. Deutsch. Dendrol. Ges. 53: 1-29.

RICHTER, W. 1978: Bekannte Gehölze in der Sierra Nevada. – Gartenpraxis 3/1978: 139-141.

SCHWARZ, O. & WEIDE, H. 1962: Systematische Revision der Gattung Sequoia ENDL. – Feddes Rep. 65: 159-193.
KRÜSSMANN, G. Dr. H.C.: Die Baumschule, Verlag Paul Parey, 1981

SCHWARZ, F.: 125 Jahre Wellingtonien im Forstbezirk Vaihingen / Enz, Staatliches Forstamt Vaihingen / Enz, 1989

JOHNSON, H.: Das große Buch der Bäume, Hallwag AG Bern, 1974, 4.Aufl. 1978

SCHÜTT, WEISGERBER: Lexikon der Nadelbäume, Verlag Nikol 2003

,,Das grosse Illustrierte Pflanzenbuch", 1966

,,Botanica" Das Abc der Pflanzen, ISBN: 3-8290-0868-6

Die Informationen für Beschreibungen werden von mir selbst aus verschiedenen Quellen zusammengetragen. Dabei benutze ich sowohl Bücher als auch Internet Quellen.
Ich recherchiere dann weiter, suche die zugrundeliegenden Studien heraus, werte sie aus und verbinde alles miteinander.
Beim Recherchieren öffnet sich oft nicht nur eine neue Tür, sondern gleich mehrere. Dahinter verbargen sich weitere spannende Informationen.
Für konstruktive Kritik bin ich ebenso offen wie für lobende Worte.

Khalil Gibran: ,,Bäume sind Gedichte, die die Erde in den Himmel schreibt".

Hans-Jürgen



Plants are the true rulers - Pflanzen sind die wahren Herrscher.

<a href="http://www.mikroskopie-forum.de/index.php?topic=2650.0" target="_blank">Hier geht es zur Vorstellung</a>

Gerne per "Du"

liftboy

Hallo Hans-Jürgen,

wie immer eine hervorragende Dokumentation, fehlt nur noch der Stammquerschnitt ;-)

viele Grüße
Wolfgang
http://www.mikroskopie-forum.de/index.php?topic=785.msg3654#msg3654
LOMO-Service
Das Erstaunen bleibt unverändert- nur unser Mut wächst, das Erstaunliche zu verstehen.
Niels Bohr

Hans-Jürgen Koch

Hallo Wolfgang,

danke für deine Rückmeldung.

Meine Kettensäge hat eine Schwertlänge von 45 cm.  ;D

Ein Harvester ist auch nicht für alle Bäume geeignet, der Stammdurchmesser darf nur 72 cm betragen.

Gruß nach Ahnetal

Hans-Jürgen
Plants are the true rulers - Pflanzen sind die wahren Herrscher.

<a href="http://www.mikroskopie-forum.de/index.php?topic=2650.0" target="_blank">Hier geht es zur Vorstellung</a>

Gerne per "Du"

Bernd Miggel

#4
Hallo zusammen,

hoffentlich ist es erlaubt, zu einem anderen Forum zu verlinken. Schaut bitte mal hier: https://mikroskopie-forum.at/forum/index.php?thread/2787-mikroskopische-holzbestimmung-mhb-02-riesenmammutbaum/
Allerdings hatte ich nicht den gesamten Querschnitt des Baumes verwendet, es reichte ein Stückchen von 1 cm Kantenlänge.

Herzliche Grüße
Bernd

jcs

Sehr gelungene Dokumentation, die von Hans-Jürgen ebenso wie die von Bernd. In Kombination ist das ein Dokument, das man in dieser Tiefe wohl nirgends sonst im Internet findet.
LG
Jürgen

Hans-Jürgen Koch

Hallo Bernd,

danke für den Link.
Ein interessanter und lehrreicher Beitrag zum Riesenmammutbaum.

,,Holzklötzchen vor dem Schneiden 4 h lang in Wasser gekocht".

Wird das Holz nicht schwarz ?

Hallo Jürgen,

danke für deine lobenden Worte.
Für mich eine Motivation zum Weitermachen.

Gruß
Hans-Jürgen
Plants are the true rulers - Pflanzen sind die wahren Herrscher.

<a href="http://www.mikroskopie-forum.de/index.php?topic=2650.0" target="_blank">Hier geht es zur Vorstellung</a>

Gerne per "Du"

Bernd Miggel

Hallo Hans-Jürgen,

ein Schwarzwerden beim Kochen habe ich nicht beobachtet. Man kann die Zeit verkürzen, indem man in 25-prozentiger Essigsäure etwa eine halbe Stunde lang kocht. Das lohnt sich vor allem bei den sehr harten Hölzern, wie Eiche, Buche. Aber Vorsicht, für guten Luftabzug sorgen, Essigsäure ist stark ätzend.

Herzliche Grüße
Bernd

Rawfoto

Guten Abend Hans-Jürgen, hallo Bernd

Ich koche in Glyzerin 30% und Aquadest (70%) über Stunden (bis zu einem Tag), da das Glyzerin nicht im gleichen Umfang verdampft wird mehrheitlich Aquadest nachgefüllt.

Das stinkt nicht so und benötigt keinen speziellen Abzug

Liebe Grüße

Gerhard
Gerhard
http://www.naturfoto-zimmert.at

Rückmeldung sind willkommen, ich bin jederzeit an Weiterentwicklung interessiert, Vorschläge zur Verbesserungen und Varianten meiner eingestellten Bilder sind daher keinerlei Problem für mich ...

Fahrenheit

Lieber Hans-Jürgen,

eine sehr schöne Dokumentation mit tollen Aufnahmen von diesem interessanten Baum!
Hab' ich natürlich gerne gelistet.

Lieber Bernd,

natürlich ist verlinken hier erlaubt. :)
Aber Du darfst diese Beiträge auch gerne - quasi als Zweitnutzung - hier veröffentlichen. :)

Herzliche Grüße
Jörg

Hier geht's zur Vorstellung: Klick !
Und hier zur Webseite des MKB: Klick !

Arbeitsmikroskop: Leica DMLS
Zum Mitnehmen: Leitz SM
Für draussen: Leitz HM

Hans-Jürgen Koch

Hallo Bernd und Gerhard,

danke für eure Tipps.

@ Jörg,

die Auflistung ,,Übersicht Botanik" wird immer umfangreicher.

Gruß
Hans-Jürgen
Plants are the true rulers - Pflanzen sind die wahren Herrscher.

<a href="http://www.mikroskopie-forum.de/index.php?topic=2650.0" target="_blank">Hier geht es zur Vorstellung</a>

Gerne per "Du"