Botanik: Lederblättriger Weißdorn Crataegus x lavallei 'Carrierei' *

Begonnen von Hans-Jürgen Koch, März 17, 2018, 14:54:27 NACHMITTAGS

Vorheriges Thema - Nächstes Thema

Hans-Jürgen Koch

Botanik: Lederblättriger Weißdorn Crataegus x lavallei 'Carrierei'

Um das Jahr 1880 entstand in Frankreich diese Hybride als Kreuzung zwischen Hahnensporn -Weißdorns Crataegus crus-galli und einem sizilianischen Weißdorn, Crataegus pubescens.
Die Namen der Pflanzen, die aus Kreuzungen entstanden sind, bekommen ein x (Mal-Zeichen) hinzugefügt.
Der Name ,,krataigos" griechisch und ,,crataegus" lat. waren für verschiedene Weißdorn – Arten, aber auch Speierling und Elsbeere in Gebrauch, wohl auf ,,kratys" griech. = hart zurückgehend und Bezug auf das harte Holz des Weißdorns nehmend.

Bild 01 Lederblättriger Weißdorn Crataegus x lavallei 'Carrierei'

Foto: Kristina Koch

Dieses Bild ist im Juni aufgenommen, die rosa-weißen Blüten hat der Wind fast vollständig weggeweht.

Systematik:
Höhere Klassifizierung: Weißdorne
Ordnung: Rosenartige (Rosales)
Familie: Rosengewächse (Rosaceae)
Unterfamilie: Maloideae
Tribus: Pyreae
Untertribus: Kernobstgewächse (Pyrinae)
Gattung: Weißdorne
Wissenschaftlicher Name:  Crataegus
Weitere Namen: Apfelblättrige Apfeldorn, Carrie`re - Weißdorn
Englischer Name: Lavalle hawthorn
Rang: Hybride
Wissenschaftlicher Name: Crataegus x lavallei 'Carrierei'

Der Apfeldorn 'Carrierei', ebenso als Lederblättriger Weißdorn bekannt, überzeugt gleich mit mehreren Vorzügen. Seinen Namen verdankt er den bis 5 cm lange, leicht gebogene Dornen an den Trieben und seinen, den Äpfeln ähnelnden, orange-roten, großen Früchten.

Bild 02 Dorn, Lederblättriger Weißdorn Crataegus x lavallei 'Carrierei'

Crataegus x lavallei 'Carrierei' besitzt weniger Dornen als der Pflaumenblättrige Weißdorn und der Hahnensporn Weißdorn.
Die breiteren und mehr elliptischen Blätter, deren Unterseite behaart ist, erwecken durch ihre ledrige Konsistenz und glänzen dunkelgrüne Oberseite den Anschein einer immergrünen Art, sie bleiben lange haften, oft bis Dezember.
Seine Früchte sind essbar und reich an Vitamin C. Deshalb werden sie gern zu Marmelade, Kompott oder Gelee verarbeitet.

Bild 03 Früchte, Lederblättriger Weißdorn Crataegus x lavallei 'Carrierei'

Urheber: VoDeTan2

Die bezaubernde Blütenpracht ist rosa-weiß und klein. Dabei sind die Blütenblätter weiß. Sie umgeben liebevoll die rosa Staubgefäße. Die Blüten sitzen in großen Dolden dicht zusammen. Daraus ergibt sich ein großartiges Blütenmeer. Ein angenehmer Nebeneffekt der Blüte ist ihr herrlicher Duft.
Jährlich gewinnt die Crataegus lavallei 'Carrierei' 20 bis 40 Zentimeter an Zuwachs hinzu. In der Höhe erreicht dieses Gehölz bis zu sieben Meter. Im Durchmesser sind bis zu vier Meter zu erwarten. An den Boden stellt das Gehölz keine großen Ansprüche. Kalkhaltige Untergründe liebend, gehört es zu den Tiefwurzlern. Aus diesem Grund benötigt es einen tiefgründigen Boden. Zudem ist ein sonniger bis halbschattiger Platz für die Pflanze zu wählen.


Die weißen Blüten mit rosa Staubgefäßen erscheinen im Mai-Juni. Die reifen Apfelfrüchte sind orangerot bis ziegelrot und 1 bis 2 cm groß. Sie bleiben oft bis zum Januar auf den Bäumen.

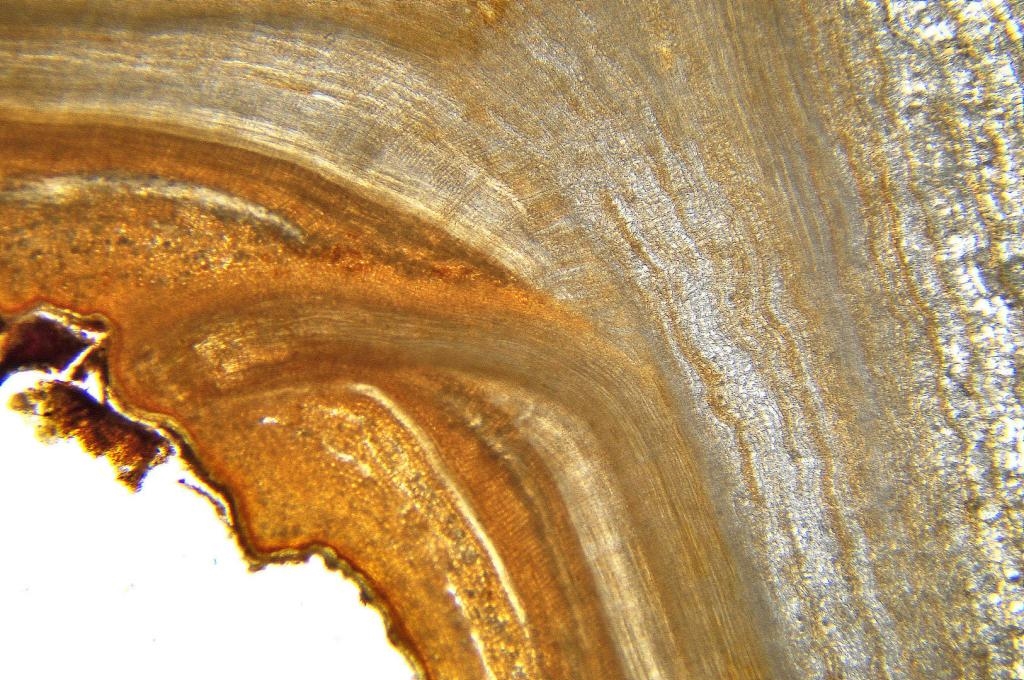
Teil 1 Spross, Querschnitt, 30 µm, W-3A-Färbung nach Wacker

Meine Probe stammt aus dem Arboretum Schloss Erbhof Thedinghausen (Niedersachsen) vom 15. Juni 2015, und liegt seit diesem Tag in AFE III.

Zunächst einmal vier Bilder von ungefärbten Schnitten.

Bild 04 Übersicht, Lederblättriger Weißdorn Crataegus x lavallei 'Carrierei'


Bild 05 Vergrößerung, Lederblättriger Weißdorn Crataegus x lavallei 'Carrierei'


Bild 06 Vergrößerung, Lederblättriger Weißdorn Crataegus x lavallei 'Carrierei'


Bild 07 Vergrößerung, Lederblättriger Weißdorn Crataegus x lavallei 'Carrierei'


W-3A-Färbung nach Wacker (Acridinrot-Acriflavin-Astrablau) modifiziert

Arbeitsablauf :
1. Schnitte liegen in 30 % Ethanol.
2. Aqua dest. 3x wechseln je 1 Minute.
3. Vorfärbung Acridinrotlösung  6 Min.
4. 1x auswaschen mit Aqua dest. .
5. Acriflavinlösung (differenzieren bis gerade keine Farbwolken mehr abgehen - Lupenkontrolle) ca. 12 Sekunden !!!.
6. 2 x auswaschen mit Aqua dest..
7. Nachfärbung Astrablaulösung 2 Minute.
Bei der Nachfärbung mit Astrablau eine Mischung aus Astrablau und Acriflavin im Verhältnis  4 : 1
verwendet (blau + gelb = grün).
8. Auswaschen mit Aqua dest. bis keine Farbstoffreste auf dem Objektträger verbleiben.
9. Entwässern mit 2x gewechseltem Isopropylalkohol ( 99,9 % ).
10. Einschluss in Euparal.
Ergebnis :
Zellwände blaugrün bis grün, verholzte Zellwände leuchtend rot, Zellwände der äußeren Hypodermis orangerot, Cuticula gelb, Zellwände der innenliegenden Hypodermis tiefrot.
Fotos: Nikon D5000.

Bild 08 Übersicht, Lederblättriger Weißdorn Crataegus x lavallei 'Carrierei'


Bild 09 Vergrößerung aus der Übersicht mit Beschriftung, Lederblättriger Weißdorn Crataegus x lavallei 'Carrierei'

MP = Markparenchym, T = Trachee, K = Kambium, MA,p = parenchymatische Markstrahlzellen, XY = Xylem, PH = Phloem, RP = Rindenparenchym, SK = Sklerenchym – Inseln, PE = Periderm

Bild 10 Vergrößerung, Lederblättriger Weißdorn Crataegus x lavallei 'Carrierei'


Bild 11 Protoxylem, Lederblättriger Weißdorn Crataegus x lavallei 'Carrierei'


Primäres Xylem wird während des primären Wachstums in den Vegetationskegeln der Sprossachse und der Wurzeln vom Prokambium gebildet. Es umfasst Protoxylem und Metaxylem. Metaxylem entwickelt sich nach dem Protoxylem aber vor dem sekundären Xylem. Xylem entwickelt sich nach bestimmten Mustern, die in der jeweiligen Position von Proto- und Metaxylem variieren, z. B. endarch, in welchem das Protoxylem zum Zentrum des Stammes oder der Wurzel gerichtet ist und exarch, in welchem das Metaxylem zum Zentrum hingerichtet ist.

Bild 12 Auflicht – Fluoreszenzaufnahme, Vergrößerung, Lederblättriger Weißdorn Crataegus x lavallei 'Carrierei'

Fluoreszenzaufnahmen mit Anregungswellenlänge RoyalBlue mit 455 nm, 3 Watt LED, Sperrfilter LP 519 IF.

Plants are the true rulers - Pflanzen sind die wahren Herrscher.

<a href="http://www.mikroskopie-forum.de/index.php?topic=2650.0" target="_blank">Hier geht es zur Vorstellung</a>

Gerne per "Du"

Hans-Jürgen Koch

#1
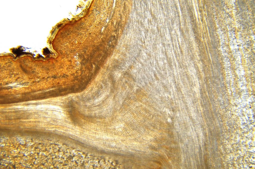
Teil 2 Spross, Längsschnitt, 30 µm

Bild 13 Spross mit Seitentrieb, Lederblättriger Weißdorn Crataegus x lavallei 'Carrierei'


Bild 14 Lederblättriger Weißdorn Crataegus x lavallei 'Carrierei'

Der Spross wird angeschnitten, so lässt er sich durch die plane Fläche gut auf einen kleinen Holzklotz kleben (UHU Sekundenkleber).

Bild 15 Schnitte erstellt mit einem Reichert Schlittenmikrotom


Bild 16 Längsschnitte, 30 µm in einer Petrischale


Zuerst zwei Bilder von ungefärbten Schnitten.

Bild 17 Vergrößerung, Lederblättriger Weißdorn Crataegus x lavallei 'Carrierei'


Bild 18 Vergrößerung, Lederblättriger Weißdorn Crataegus x lavallei 'Carrierei'


Bild 19 Übersicht, Lederblättriger Weißdorn Crataegus x lavallei 'Carrierei'


Bild 20 Vergrößerung, Lederblättriger Weißdorn Crataegus x lavallei 'Carrierei'


Bild 21 Angeschnittener Sprossansatz, Lederblättriger Weißdorn Crataegus x lavallei 'Carrierei'


Bild 22 Vergrößerung, Lederblättriger Weißdorn Crataegus x lavallei 'Carrierei'


Bild 23 Vergrößerung, Lederblättriger Weißdorn Crataegus x lavallei 'Carrierei'


Bild 24 Schraubengefäße, Auflicht – Fluoreszenzaufnahme, Vergrößerung, Lederblättriger Weißdorn Crataegus x lavallei 'Carrierei'

Fluoreszenzaufnahmen mit Anregungswellenlänge RoyalBlue mit 455 nm, 3 Watt LED, Sperrfilter LP 519 IF.
Die äußersten Yylemprimanen haben ringförmige Wandverdickungen. Bei der Mehrzahl der Gefäße laufen die Verdickungen in Schraubenwindungen um die Längsachse.

Bild 25 Auflicht – Fluoreszenzaufnahme, Vergrößerung, Lederblättriger Weißdorn Crataegus x lavallei 'Carrierei'

Fluoreszenzaufnahmen mit Anregungswellenlänge RoyalBlue mit 455 nm, 3 Watt LED, Sperrfilter LP 519 IF.

Bild 26 Auflicht – Fluoreszenzaufnahme, Vergrößerung, Lederblättriger Weißdorn Crataegus x lavallei 'Carrierei'

Fluoreszenzaufnahmen mit Anregungswellenlänge RoyalBlue mit 455 nm, 3 Watt LED, Sperrfilter LP 519 IF.

Quellen und weiterführende Informationen:
Wikipedia; Freie Enzyklopädie
Peter A. Schmidt ,,Taschenbuch der Gehölze", ISBN: 978-3-494-01448-7
Spohn ,,Kosmos Baumführer", ISBN: 978-3-440-11741-5
Botanika, ISBN: 3-8290-0868-6
Andreas Bärtels: Enzyklopädie der Gartengehölze. Ulmer Verlag, Stuttgart 2001, ISBN 3-8001-3198-6, S. 228
Dericks-Tan, Vollbrecht: Auf den Spuren der Wildfrüchte in Europa. Abadi-Verlag, 2009, ISBN 978-3-00-021129-4, S. 289-290
Helmut Genaust: Etymologisches Wörterbuch der botanischen Pflanzennamen. Nikol-Verlag, Hamburg 1996, ISBN 978-3-937872-16-2, S. 89

Die Informationen für Beschreibungen werden von mir selbst aus verschiedenen Quellen
zusammengetragen. Dabei benutze ich sowohl Bücher als auch Internet Quellen. Texte werden
anschließend individuell von mir selbst verfasst.
Für konstruktive Kritik bin ich ebenso offen wie für lobende Worte.
Doch zunächst einmal wünsche ich viel Freude beim Lesen.

Hans-Jürgen
Plants are the true rulers - Pflanzen sind die wahren Herrscher.

<a href="http://www.mikroskopie-forum.de/index.php?topic=2650.0" target="_blank">Hier geht es zur Vorstellung</a>

Gerne per "Du"

Jürgen Boschert

Lieber Hans-Jürgen,

wieder einmal ein toller Beitrag von Dir. Danke dafür !

JB
Beste Grüße !

JB

Fahrenheit

Lieber Hans-Jürgen,

vielen Dank für Deinen wie immer sehr sorgfältig und interessant aufbereiteten Beitrag, den ich gerne in die Liste "Botanik" übernommen habe.

Herzliche Grüße
Jörg
Hier geht's zur Vorstellung: Klick !
Und hier zur Webseite des MKB: Klick !

Arbeitsmikroskop: Leica DMLS
Zum Mitnehmen: Leitz SM
Für draussen: Leitz HM

Hans-Jürgen Koch

Hallo Jürgen, hallo Jörg,

danke für Euer Feedback.

Gruß

Hans-Jürgen
Plants are the true rulers - Pflanzen sind die wahren Herrscher.

<a href="http://www.mikroskopie-forum.de/index.php?topic=2650.0" target="_blank">Hier geht es zur Vorstellung</a>

Gerne per "Du"

JoachimHLD

Lieber Hans-Jürgen, Lieber Jörg

leider sehe ich von dem Beitrag nicht alle Bilder, ich habe es mit Firefox und Chrome auf verschiedenen Rechnern getestet.
Bild 01 : schwarze Fläche
Bild 02 : OK
Bild 03-09 : Nichts
Bild 10-12 :

Im zweiten Teil sieht es leider ähnlich aus.
Viele Grüße
Joachim

Fraenzel

Zitat von: JoachimHLD in März 17, 2018, 22:24:35 NACHMITTAGS
leider sehe ich von dem Beitrag nicht alle Bilder, ich habe es mit Firefox und Chrome auf verschiedenen Rechnern getestet.
Bild 01 : schwarze Fläche
Bild 02 : OK
Bild 03-09 : Nichts
Bild 10-12 :

Im zweiten Teil sieht es leider ähnlich aus.


Hallo,
leider sieht es bei mir genauso aus. Wenn man allerdings auf die schwarzen Flächen klickt erscheint das Bild
Beste Grüße
Fraenzel
auch ich mag das "Du"

Fahrenheit

Guten Morgen zusammen,

auch bei mir zeigt sich der Fehler unabhängig von der genutzen Plattform und dem Browser. Gestern waren die Bilder noch komplett zu sehen.
Wir schauen uns an, was da los ist.

Herzliche Grüße
Jörg
Hier geht's zur Vorstellung: Klick !
Und hier zur Webseite des MKB: Klick !

Arbeitsmikroskop: Leica DMLS
Zum Mitnehmen: Leitz SM
Für draussen: Leitz HM

Hans-Jürgen Koch

Lieber Jörg,

ich habe meine beiden Posts restauriert.

Gruß

Hans-Jürgen
Plants are the true rulers - Pflanzen sind die wahren Herrscher.

<a href="http://www.mikroskopie-forum.de/index.php?topic=2650.0" target="_blank">Hier geht es zur Vorstellung</a>

Gerne per "Du"

Fahrenheit

Lieber Hans-Jürgen,

vielen Dank! Ich schau' mir die Posts morgen nach dem Importlauf wieder an. Deinen Originaltext mit den Links habe ich gesichert, so dass Du im Zweifel nicht noch mal eingreifen musst.

Herzliche Grüße
Jörg
Hier geht's zur Vorstellung: Klick !
Und hier zur Webseite des MKB: Klick !

Arbeitsmikroskop: Leica DMLS
Zum Mitnehmen: Leitz SM
Für draussen: Leitz HM

Wutsdorff Peter

Guten Abend Hans-Jürgen,
wieder, wie immer, sssuuuupeerr, Gratulation!!
Jetzt  weiß, was ich für meinen niedrigen Blutdruck nehme

Gruß  Peter

Hans-Jürgen Koch

Guten Morgen Peter,

danke.

Ich wünsche Dir noch viel Erfolg bei Deinen Pflanzenschnitten.

Gruß

Hans-Jürgen
Plants are the true rulers - Pflanzen sind die wahren Herrscher.

<a href="http://www.mikroskopie-forum.de/index.php?topic=2650.0" target="_blank">Hier geht es zur Vorstellung</a>

Gerne per "Du"