Botanik: Gurken-Magnolie Magnolia acuminata *

Begonnen von Hans-Jürgen Koch, März 04, 2022, 14:31:00 NACHMITTAGS

Vorheriges Thema - Nächstes Thema

Hans-Jürgen Koch

Die Gurken-Magnolie Magnolia acuminata ist ein sommergrüner laubabwerfender Baum. Für gewöhnlich erreicht sie mit ihrem aufrechten Wuchs eine Größe von 12 bis 30 Meter und eine Breite von 6 bis 8 Meter.

Bild 01 Habitus, Gurken-Magnolie Magnolia acuminata

Bild von Frank Gyssling

Die Gurken-Magnolie hat eine gewölbte, pyramidal aufgebaute Krone, die aus aufrechten bis leicht abgespreizten Ästen besteht. Anders als bei der in Mitteleuropa häufig angepflanzten Tulpen-Magnolie ist bei dieser Magnolienart der Stamm schlank und gerade.

Bild 02 Stamm, Gurken-Magnolie Magnolia acuminata

Quelle: Eggert Baumschulen, D-25594 Vaale

Die Knospen und junge Zweige sind silbrig behaart, an älteren Ästen wird die dunkelgraue Rinde fein zerfurcht.

Die Gurken-Magnolie hat ihr ursprüngliches Verbreitungsgebiet im Osten Nordamerikas, es deckt sich weitgehend mit dem Verlauf der Appalachen. Im Norden erreicht sie Ontario und ist damit die einzige Magnolien-Art, die in Kanada vorkommt. Im Süden reichen vereinzelte Vorkommen noch bis zum Golf von Mexiko, im Westen werden noch die Ozark-Berge besiedelt.
Die Gurken-Magnolie ist bis zu einer Höhe von 1500 Meter anzutreffen, wo die Pflanze von einer Strauchform zu einem oft mehrstämmigen Baum mit einer losen Kronenform auswächst. Auf der glatten, grauen Rinde erscheinen flache Furchen.

Die fleischigen Wurzeln wachsen sowohl oberflächlich als auch tiefgehend. Aus dem geraden Stamm von Magnolia acuminata wurden früher häufig Tröge geschlagen. Das helle Holz wurde auch zu Einlegearbeiten in Ziermöbeln verwendet.

Woher kommt der Name ,,Gurken-Magnolie" ?
Die für eine Magnolie unauffälligen, becherförmigen 5 – 10 cm breiten Blüten sind leicht duftend und befinden sich an kurzen, dicken Blütenstielen. Nach der Blüte erscheinen kurz gestielte, längliche und dicke Früchte.
Diese haben die Form kleiner Gurken, sind jedoch, aufgrund der unvollständigen Bestäubung nur in geringer Anzahl vorhanden. In den Früchten befinden sich hellrote Samen.

Blätter
Die Blätter erscheinen von April bis Juni zeitgleich mit den leicht duftenden Blüten einzeln an den Enden der Zweige.
Die Blätter von Magnolia acuminata haben eine mittelgrüne Farbe. Vor dem Laubfall nehmen die Blätter eine gelbe Farbe an.

Bild 03, Blätter der Gurken-Magnolie Magnolia acuminata

Urheber: Pleple2000

Die wechselständigen Blätter werden zehn bis 25 Zentimeter lang und vier bis 15 Zentimeter breit. Die Blattform ist elliptisch mit einer schlanken Spitze. Der Blattgrund ist keilförmig bis leicht herzförmig. Auf der Oberseite sind die Blätter von frischgrüner Farbe, unterseits hellgrün bis weißlich und manchmal behaart.
Das große, glänzende Blatt ist an der Unterseite glatt, beim jungen Blatt ist die Unterseite behaart.

Blüten
Die Blüten der Gurken-Magnolie fallen zwischen den Blättern kaum auf.

Bild 04 grünlichgelbe Blüte, Gurken-Magnolie Magnolia acuminata

Quelle: Praskac Pflanzenland, A – 3430 Tulln

Eine einzelne Blüte besteht aus drei äußeren, kurzen und grünen Tepalen und sechs weiteren, bläulich-grünen, hellgrünen, hellgelben oder gelb-orangen Blütenhüllblättern, die spiralig angeordnet sind.
Tepalen, gleich gestaltete Blätter eines Perigons (Perigon), die ursprünglich als Kelchblätter oder Blütenkronblätter angelegt wurden.
Die Blüten erreichen einen Durchmesser von fünf bis zehn Zentimeter. Im Zentrum befinden sich 60 bis 120 Staubblätter mit weißen Staubfäden sowie 40 bis 45 Stempel.

Bild 05 unreife Frucht, Gurken-Magnolie Magnolia acuminata

Quelle: Stanze Gartencenter GmbH, 30996 Hemmingen, Deutschland

Die entstehende Sammelbalgfrucht ist zuerst grün und färbt sich später rot. Weil nicht alle einzelnen Balgfrüchte Samen enthalten, sind die Früchte oft unregelmäßig geformt. Die Samen sind etwa einen Zentimeter groß, herzförmig und von einem orange-roten Samenmantel (Arillus) umgeben.
Der englische Botaniker Plukenett, der im 18. Jahrhundert eine Forschungsreise durch die fast noch jungfräulichen Gebiete Floridas unternahm, beschrieb als erster diesen großartigen Baum.

Man rechnete diese Pflanze zur Gattung Magnolie (Magnolia), die Plukenett zu Ehren von Pierre Magnol (1638-1715) so bezeichnet hatte; Pierre Magnol wird das Verdienst zugeschrieben, den Begriff der Pflanzenfamilien geschaffen zu haben.
Pierre Magnol war Botaniker und Direktor des Botanischen Garten in Montpellier/Frankreich.
Es scheint gesichert, dass im Jahre 1755 Magnolienbäume in den Königlichen Garten in Paris gepflanzt wurden.

Zur Gattung Magnolie gehören ungefähr 125 Arten. Im Tertiär waren die Magnolien auch in Europa verbreitet, haben die Eiszeit aber nicht überlebt.
Die ersten Arten entstanden vor über 100 Millionen Jahren und sind damit vermutlich die Ahnen aller heute lebenden Blütenpflanzen.

Systematik:
Klasse: Bedecktsamer (Magnoliopsida)
Ordnung: Magnolienartige (Magnoliales)
Familie: Magnoliengewächse (Magnoliaceae)
Gattung: Magnolien
Art: Gurken-Magnolie
Wissenschaftlicher Name: Magnolia acuminata
Trivialnamen: Spitzblättrige Magnolie,
Englische Bezeichnung: cucumber tree

Der lat. Name acuminata bedeutet ,,zugespitzt" und bezieht sich auf die Blattform.


Teil 1
Spross, Querschnitt
25 Mikrometer

Meine Pflanzenproben sind aus dem Arboretum von Bad Grund – Harz (Niedersachsen).
Arboretum Bad Grund-WeltWald Harz - Sehenswürdigkeiten und Highlights im Harz (harz-travel.de)
Diese Proben liegen seit August 2012 in AFE III.

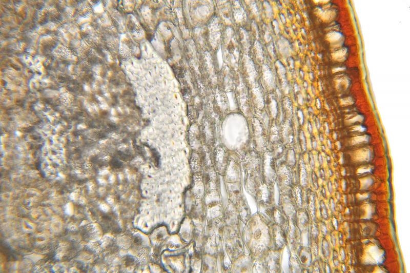
Bild 06 Ungefärbter Schnitt, Detailaufnahme, Gurken-Magnolie Magnolia acuminata


Bild 07 Ungefärbter Schnitt, Detailaufnahme, Gurken-Magnolie Magnolia acuminata


Bild 08 Ungefärbter Schnitt, Gurken-Magnolie Magnolia acuminata


Bild 09 Autofluoreszenz, Gurken-Magnolie Magnolia acuminata

LED Modul 455 nm
Reflektormodul FL mit Filtersatz 67
Erregerfilter: BP 470 nm
Strahlenteiler: FT 477 nm
Emission (Sperrfilter): LP 485

Bild 10 Autofluoreszenz, Gurken-Magnolie Magnolia acuminata


Bild 11 Autofluoreszenz, Gurken-Magnolie Magnolia acuminata


W-3A-Färbung nach Wacker (Acridinrot-Acriflavin-Astrablau) modifiziert
Arbeitsablauf :
1. Probe liegt in 30 % Ethanol.
2. Aqua dest. 3x wechseln je 1 Minute.
3. Vorfärbung Acridinrotlösung 8 Min.
4. 1x auswaschen mit Aqua dest. .
5. Acriflavinlösung (differenzieren bis gerade keine Farbwolken mehr abgehen - Lupenkontrolle) ca.15 Sekunden!!!
6. 2 x auswaschen mit Aqua dest..
7. Nachfärbung Astrablaulösung 1 Minute.
8. Auswaschen mit Aqua dest. bis keine Farbstoffreste auf dem Objektträger verbleiben.
9. Entwässern mit 2x gewechseltem Isopropylalkohol (99,9 %)
10. Einschluss in Euparal.

Ergebnis :
Zellwände blaugrün bis grün, verholzte Zellwände leuchtend rot, Zellwände der äußeren Hypodermis orangerot, Cuticula gelb, Zellwände der innenliegenden Hypodermis tiefrot.
Bei der Betrachtung wird eine Kontrastverbesserung bei Verwendung eines BG 38 Filters (blaugrün, 3mm dick) erreicht.
Fotos: Nikon D5000, Sony Alpha 6000

Bild 12 Übersicht, Sony Alpha 6000, Gurken-Magnolie Magnolia acuminata


Bild 13 Detailaufnahme, Gurken-Magnolie Magnolia acuminata


Bild 14 Detailaufnahme, Gurken-Magnolie Magnolia acuminata


Bild 15 Detailaufnahme mit Beschriftung, Gurken-Magnolie Magnolia acuminata

MP = Markparenchym, XY = Xylem, PH = Phloem, PMA = parenchymatische Markstrahlzellen, SMA = sekundäre Markstrahlzellen, Strahlzellen, PZ = parenchymatische Zellen, SK = Sklenenchymzylinder, EP = Epidermis, RP = Rindenparenchym, CU = Cuticula
Sklenenchymzylinder
Magnolien entwickeln zahlreiche Sklerenchymfasern (dickwandige, häufig verholzte Zellkomplexe, die hauptsächlich mechanische Funktion haben) im Phloem. Wenn der Spross im Verlaufe des sekundären Dickenwachstums immer mehr an Umfang zunimmt, wird der außen gelegene Sklenenchymzylinder an einigen Stellen aufgesprengt. In die so entstandenen Lücken wachsen parenchymatische Zellen ein.

Bild 16 Detailaufnahme, Sony Alpha 6000, Gurken-Magnolie Magnolia acuminata


Bild 17 Detailaufnahme, Markparenchym, Gurken-Magnolie Magnolia acuminata


Bild 18 Detailaufnahme, Gurken-Magnolie Magnolia acuminata


Bild 19 Detailaufnahme, Gurken-Magnolie Magnolia acuminata


Bild 20 Detailaufnahme, Gurken-Magnolie Magnolia acuminata

Plants are the true rulers - Pflanzen sind die wahren Herrscher.

<a href="http://www.mikroskopie-forum.de/index.php?topic=2650.0" target="_blank">Hier geht es zur Vorstellung</a>

Gerne per "Du"

Hans-Jürgen Koch

Bild 21 Sekundäre Markzellen, Gurken-Magnolie Magnolia acuminata

Manchmal produzieren Markstrahlzellen einige in der Mitte der Gefäßbündel gelegene Kambiumzellen plötzlich keine Phloem- und Xylembestandteile mehr, sondern teilen sich quer in kürzere Kambiumzellen und bilden dann nur noch Parenchymzellen, die die sekundären Markstrahlen aufbauen.

Bild 22 Detailaufnahme, Gurken-Magnolie Magnolia acuminata


Bild 23 Detailaufnahme, Sony Alpha 6000, Gurken-Magnolie Magnolia acuminata


Bild 24 Detailaufnahme, Sony Alpha 6000, Gurken-Magnolie Magnolia acuminata


Bild 25 Auflichtbeleuchtung Fluoreszenz, Detailaufnahme, Gurken-Magnolie Magnolia acuminata


Bild 26 Auflichtbeleuchtung Fluoreszenz, Detailaufnahme, Gurken-Magnolie Magnolia acuminata


Bild 27 Auflichtbeleuchtung Fluoreszenz, Detailaufnahme, Gurken-Magnolie Magnolia acuminata


Bild 28 Auflichtbeleuchtung Fluoreszenz, Bild 21 Detailaufnahme, Gurken-Magnolie Magnolia acuminata


Bild 29 Polarisation, Detailaufnahme, Gurken-Magnolie Magnolia acuminata


Bild 30 Polarisation, Detailaufnahme, Gurken-Magnolie Magnolia acuminata


Bild 31 Polarisation, Detailaufnahme, Gurken-Magnolie Magnolia acuminata


Teil 2
Spross, Radialschnitt
25 Mikrometer

Bild 32 Mikrotom Schnitt, Spross Längsschnitt, Gurken-Magnolie Magnolia acuminata


Bild 33 Detailaufnahme, fixierte Probe, ungefärbter Schnitt, Gurken-Magnolie Magnolia acuminata


Bild 34 Detailaufnahme, fixierte Probe, ungefärbter Schnitt, Gurken-Magnolie Magnolia acuminata


Bild 35 Autofluoreszenz, Detailaufnahme, Gurken-Magnolie Magnolia acuminata


Bild 36 Autofluoreszenz, Detailaufnahme, Gurken-Magnolie Magnolia acuminata


Bild 37 Übersicht, Sony Alpha 6000, Gurken-Magnolie Magnolia acuminata


Bild 38 Detailaufnahme, Gurken-Magnolie Magnolia acuminata


Bild 39 Detailaufnahme, Gurken-Magnolie Magnolia acuminata


Bild 40 Auflichtbeleuchtung Fluoreszenz, Detailaufnahme, Gurken-Magnolie Magnolia acuminata

LED Modul 455 nm
Reflektormodul FL mit Filtersatz 67
Erregerfilter: BP 470 nm
Strahlenteiler: FT 477 nm
Emission (Sperrfilter): LP 485

Bild 41 Auflichtbeleuchtung Fluoreszenz, Gurken-Magnolie Magnolia acuminata


Quellenangaben und verwendete Literatur:

Wikipedia; Freie Enzyklopädie
Bachofer ,,Der Kosmos Baumführer", ISBN: 978-3-440-14660-6
Hugh Johnson ,,Das große Buch der Bäume", ISBN: 3444 101538
Spohn ,,Kosmos Baumführer Europa", ISBN: 978-3-4440-44741-5
Peter A. Schmidt ,,Taschenlexikon der Gehölze", ISBN: 978-3-494-01448-7
P. Schütt ,,Lexikon der Baum- und Straucharten", ISBN: 978-3-86820-123-9
,,Botanica", ISBN: 3-8290-0868-6
,,Das große illustrierte Pflanzenbuch", 1966

Fazit:
Es gibt leider sehr wenig Literatur über die Gurken- Magnolie.

Die Informationen für Beschreibungen werden von mir selbst aus verschiedenen Quellen zusammengetragen. Dabei benutze ich sowohl Bücher als auch Internet Quellen. Texte werden anschließend individuell von mir selbst verfasst.
Gerne zeige ich euch die schönen Seiten der Pflanzen.
Viele Aufnahmen von einer Pflanze ermöglichen eine umfassende Wahrnehmung.
Es freut mich natürlich sehr, wenn auch euch die Bilder gefallen.
Für konstruktive Kritik bin ich ebenso offen wie für lobende Worte.

Hans-Jürgen


Plants are the true rulers - Pflanzen sind die wahren Herrscher.

<a href="http://www.mikroskopie-forum.de/index.php?topic=2650.0" target="_blank">Hier geht es zur Vorstellung</a>

Gerne per "Du"

Fahrenheit

Lieber Hans-Jürgen,

sehr schön gemacht, wie immer! Die längs angeschnittenen Tracheen in der Fluoreszenz sind besonders gelungen.
Natürlich gelistet!

Herzliche Grüße
Jörg
Hier geht's zur Vorstellung: Klick !
Und hier zur Webseite des MKB: Klick !

Arbeitsmikroskop: Leica DMLS
Zum Mitnehmen: Leitz SM
Für draussen: Leitz HM

Detlef Kramer

Lieber Hans-Jürgen,

ich bin genauso beeindruckt, wie Jörg. Ein kleiner Verbesserungvorschlag: den Begriff "sekundäre Markparenchymzellen" u. ä. sollte man vermeiden und stattdessen von Strahlzellen sprechen. Denn die sekundären Strahlen gehen eben nicht in's Mark.

Herzliche Grüße
Detlef
Dr. Detlef Kramer, gerne per DU

Vorstellung: Hier klicken

Wutsdorff Peter

Grüß´ Dich Hans-Jürgen,
wie immer  suuupeeerr.
Die Mikrotechnik beherrscht Du hervorragend.
die Pol-Aufnahmen sind beeindruckend.
Das ist ja sicher ein beachtlicher Aufwand, den Du dafür treiben mußt
Gelingen Dir die Schnitte alle auf Anhieb?
Mit anderen Worten: ich bin wieder einmal "von die Socken"
Gratulation
Gruß vom Laien Peter

Hans-Jürgen Koch

Hallo Jörg, Detlef und Peter,
danke.

@Detlef,
den Verbesserungvorschlag nehme ich gerne an.

@Peter,
nicht alle Schnitte gelingen auf Anhieb. Die ersten sind häufig Schrott. Aus etwa 30 Schnitten suche ich mir drei heraus, die dann gefärbt werden.

Gruß
Hans-Jürgen
Plants are the true rulers - Pflanzen sind die wahren Herrscher.

<a href="http://www.mikroskopie-forum.de/index.php?topic=2650.0" target="_blank">Hier geht es zur Vorstellung</a>

Gerne per "Du"

Wutsdorff Peter

Einen schönen Sonntag Hans-Jürgen
Zitat:
    "Aus etwa 30 Schnitten suche ich mir drei heraus"

Wie läuft das im einzelnen ab?
Worin schwimmen die Schnitte, von denen Du Dir welche heraussuchst?
Meine Schnitte liegen in 70% Ethanol in einem kleinen Schraubbehälter D= 10 mm,
L=45 mm.  S. Foto

Gruß Peter

Hans-Jürgen Koch

#7
Hallo Peter,

ich habe dir ein E-Mail geschrieben.

Gruß
Hans-Jürgen
Plants are the true rulers - Pflanzen sind die wahren Herrscher.

<a href="http://www.mikroskopie-forum.de/index.php?topic=2650.0" target="_blank">Hier geht es zur Vorstellung</a>

Gerne per "Du"

Fahrenheit

Lieber Peter,

ich persönlich färbe erst einmal alle Schnitte die ich habe und suche mir nach der kompletten Präparation (die Schnitte schwimmen dann im Uhrglas in Isopropanol und sind bereit zum Eindecken) die besten aus: nicht zu dick und möglichst keine Risse oder andere Beschädigungen.

Mit Erfahrung und guten Augen geht das direkt, Du kannst aber z.B. auch eine Lupe oder ein kleines Präparationsmikroskop / Stemi nutzen.

Herzliche Grüße
Jörg
Hier geht's zur Vorstellung: Klick !
Und hier zur Webseite des MKB: Klick !

Arbeitsmikroskop: Leica DMLS
Zum Mitnehmen: Leitz SM
Für draussen: Leitz HM