Botanik: Die botanische Flamme - Liquidambar styraciflua *

Begonnen von Fahrenheit, Januar 21, 2022, 14:41:13 NACHMITTAGS

Vorheriges Thema - Nächstes Thema

Fahrenheit

Liebe Pflanzenfreunde,

der Amerikanische Amberbaum (Liquidambar styraciflua) fällt durch seine intensive Herbstfärbung auf, die von gelb bis zu den tiefsten Rottönen reicht. Er ist quasi der Phönix unter den Ziergehölzen und brennt einmal im Jahr ab, nur um im nächsten Frühjahr wieder neu aufzutreiben. Obwohl er sehr groß werden kann, ist er daher als Gartenbaum sehr beliebt und auch in unserer Siedlung finden sich zwei Exemplare mit etwas unterschiedlicher Wuchsform. Wobei das auch daher kommen kann, dass einer der Bäume jährlich in Höhe und Breite zurückgeschnitten wird.
Auf jeden Fall habe ich mir einmal Blatt und Spross des Baums angesehen. Doch wie immer zunächst einiges zur Pflanze selbst:


Interessantes zum Amerikanischen Amberbaum

Der Amerikanische Amberbaum (Liquidambar styraciflua), auch Seesternbaum oder im Englischen American Sweetgum genannt, ist eine Laubbaumart aus der Gattung der Amberbäume (Liquidambar); diese wird in der kleinen Familie der Altingiaceae innerhalb der Ordnung der Steinbrechartigen (Saxifragales) eingeordnet. Oft wird die Gattung Liquidambar weniger differenziert zur Familie Hamamelidaceae (Zaubernussgewächse) gerechnet.
Der botanische Gattungsname leitet sich vom lateinischen Wort liquidus für flüssig und dem arabischen Wort anbar für Bernstein ab. Der Name Liquidambar bedeutet also flüssiger Bernstein, wobei Bernstein fossiles Baumharz ist. Der arabische Name anbar wurde zu Mittellateinisch ambar, Mittelfranzösisch ambre und Englisch amber gleich Bernstein.

Bild 1: Amerikanischer Amberbaum im Spätherbst


Der Amerikanische Amberbaum kommt in Nordamerika häufig in Auwäldern vor. Sein Lebensraum erstreckt sich von New York bis Nicaragua. Dort wird der Amberbaum auch stark forstwirtschaftlich genutzt. Man findet ihn häufig auf Auenböden mit periodischen Überschwemmungen und tonigen Böden. Er kommt aber auch problemlos mit steinigen und kargen Böden zurecht, was Standorte in mexikanische Höhenlagen mit geröllartigen und trockenen Böden beweisen. Wie eingangs bereits beschrieben, wird er wegen seinen geringen Ansprüchen und der sehr schönen Herbstfärbung häufig als Alleebaum an Straßen, Parkbaum und in privaten Gärten gepflanzt.
Als Ziergehölz sind der Amerikanische Amberbaum und heute auch seine vielfältigen Kulturformen in Europa seit etwa 1688 bekannt. Aufgrund seiner Resistenz gegenüber Wärme, Trockenheit, Überschwemmungen und auch Abgasen wird er auch bei uns zunehmend im innerstädtischen Bereich gepflanzt, auch da er dem Klimawandel vielfach besser widersteht als viele einheimische Baumarten.

Bild 2: Amerikanischer Amberbaum im Spätsommer

Aus Wikipedia, User Ikmo-ned unter CC BY-SA 3.0

Der Liquidambar styraciflua ist ein sommergrüner Baum, der Wuchshöhen von bis zu 45 Meter (in Mitteleuropa oft nur 10 bis 20 Meter) erreicht und einen kegelförmigen bis zylindrischen Wuchs besitzt. Die Borke ist zunächst rotbraun und leicht rissig bis schuppig, später graubraun und mehr oder weniger furchig; am älteren Holz bilden sich Korkleisten. Die Zweige und Äste an jüngeren Pflanzen bilden manchmal korkige und flügelige Auswüchse aus.

Bild 3: Rinde am Stamm des Amerikanischer Amberbaums


Bild 4: Typische Korkstege

Aus Wikipedia, User Philmarin unter CC BY-SA 3.0

Die Spreite der Blätter ist ahornähnlich und mit fünf bis sieben "Fingern" handförmig gespalten. Sie ist etwa 10 bis 20 Zentimeter lang und nahezu ebenso breit. Der Blattrand ist gesägt, die Spreite sitzt an einem langen Blattstiel, der eine Länge von etwas 2/3 der Spreite erreicht. Dabei ist das gesamte Blatt meist unbehaart.
Wenn man die Blätter zerreibt, verströmen sie einen angenehmen süßlichen Duft. Auffällig ist die farbenprächtige Herbstfärbung des Amerikanische Amberbaums: die Blätter färben sich zunächst gelb und dann über orange nach rot und dunkelrot.

Bild 5: Blätter des Amerikanischer Amberbaums


Liquidambar styraciflua ist einhäusig getrenntgeschlechtlich monözisch. Es gibt also männliche und weibliche Blüten am selben Baum, die jeweils in Blütenständen zusammen stehen. Die grünlichen männlichen Blüten, mit einem oder mehreren behaarten Deckblättern und einigen, kugelig angeordneten Staubblättern, stehen in aufrechten traubig-ährigen Blütenständen und fallen nach der Anthese ab. Die gelb-grünen weiblichen Blüten, mit oft einigen Staminodien (sterile oder verkümmerte Staubblätter), stehen in gestielten Köpfchen mit kleinen, abfallenden Hochblättern.
Der zweikammerige Fruchtknoten ist halbunterständig mit ein oder meist zwei Griffeln mit langen Narben. Um den oberen, freien Teil des Fruchtknotens herum sind minimale, kahle, höckrige und fleischige Strukturen (Phyllome, Papillae) ausgebildet. Die Bäume blühen erstmals im Alter von 20 bis 30 Jahren.

Bild 6: Männlicher Blütenstand des Amerikanischer Amberbaums

Aus Wikipedia, Shane Vaughn unter CC BY-SA 3.0

Die kugeligen, verholzten und stacheligen Kapselfruchtverbände sind mit den holzigen Griffeln 2,5–4 Zentimeter groß. Sie hängen an langen Stielen herab und die einzelnen, mehrsamigen Kapseln öffnen sich zweiklappig. Die flachen, mit Flügel 8–10 Millimeter langen Samen sind einseitig geflügelt, wobei auch ungeflügelte und unfruchtbare Samen enthalten sind. Die leeren Fruchtverbände bleiben meist noch lange am Baum hängen.

Bild 7: Fruchtstand des Amerikanischer Amberbaums

Aus Wikipedia, von Derek Ramsey unter GFDL 1.2

Bei Verwundung tritt am Baum ein Harz aus (Styrax), das früher in den USA zur Kaugummiherstellung genutzt wurde – daher stammt die gängige Bezeichnung ,,American Sweetgum". Es wird auch zur Parfümierung von Seifen und Kosmetika, Tabak und Parfums sowie bei der Herstellung von Klebstoffen verwendet.

Das Satinholz des Amberbaums erinnert an Walnussholz und zeichnet sich durch einen anhaltenden würzigen Duft aus. Es wird von Kunsttischlern geschätzt und auch die Zweige finden Verwendung: sind sollen gesuchte Wünschelruten sein.

Bild 8: Illustration zum Amerikanischen Amberbaum

Aus L'Amérique Centrale. Recherches sur sa flora et sa géographie physique. 1846-1848 von A. S. Ørsted, gemeinfrei

Beschreibung zusammengestellt aus:
https://de.wikipedia.org/wiki/Amerikanischer_Amberbaum
https://www.bgbm.org/de/infotainment/der-amerikanische-amberbaum
https://www.baumkunde.de/Liquidambar_styraciflua/
https://www.baumportal.de/Amberbaum.htm


Hier die Informationen zur Präparation

Geschnitten habe ich den Blattstiel und den Spross freistehend und das Blatt in Möhreneinbettung auf dem Tempelchen (Zylindermikrotom im Halter als Tischmikrotom) mit Leica Einmalklingen 818 im SHK Halter.
Die Schnittdicke beträgt je ca. 50µm.

Anschließend habe ich wie immer einige Aufnahmen von den frischen, unfixierten Schnitten gemacht.

Fixiert wurden diese für ca. 24 Stunden in AFE.

Da alle Pflanzenteile Sekretgänge enthalten, habe ich nach Überführen in Aqua dest. für ca. 30 Sekunden (Blatt 10 Sekunden) mit Eau de Javel gebleicht und dann für ca. 24 Stunden mit Chloralhydrat nachbehandelt, um die aufgetretene Braunfärbung zu entfernen. Diese findet sich hauptsächlich im Lumen der nicht angeschnittenen Zellen, was bei einer Schnittdicke von 50 µm recht häufig ist.
Zwischen beiden Schritten und danach habe ich sehr gründlich mit Aqua dest. gespült (Geruchskontrolle).

Die Färbung ist W3Asim I nach Rolf-Dieter Müller. Gefärbt habe ich mit dem Farbgemisch für ca. 8 Minuten mit einmaligem leichten Erwärmen.

Anschließend habe ich wieder gut mit Aqua dest. gespült und für ca. 24 Stunden mit mehrmaligem Wechsel des Wassers sanft differenziert.

Eingedeckt wurden die Schnitte nach gründlichem Entwässern mit reinem Isopropanol wie immer in Euparal.


Kurz zur verwendeten Technik

Die Aufnahmen sind auf dem Leica DMLS mit dem CPlan 4x, dem NPlan 5x sowie den PlanApos 10x, 20x und 40x entstanden. Die Kamera ist eine Panasonic GX7, die am Trinotubus des Mikroskops ohne Zwischenoptik direkt adaptiert ist. Die Steuerung der Kamera erfolgt durch einen elektronischen Fernauslöser. Die notwendigen Einstellungen zur Verschlusszeit und den Weißabgleich führe ich vor den Aufnahmeserien direkt an der Kamera durch. Der Vorschub erfolgt manuell anhand der Skala am Feintrieb des DMLS.

Alle Mikroaufnahmen sind mit Zerene Stacker V1.04 (64bit) gestackt. Die anschließende Nachbereitung beschränkt sich auf die Normalisierung und ein leichtes Nachschärfen nach dem Verkleinern auf die 1024er Auflösung (alles mit XNView in der aktuellen Version). Bei stärker verrauschten Aufnahmen lasse ich aber auch mal Neat Image ran.

Ich habe mal wieder zu viel geschrieben und muss hier teilen ...
Hier geht's zur Vorstellung: Klick !
Und hier zur Webseite des MKB: Klick !

Arbeitsmikroskop: Leica DMLS
Zum Mitnehmen: Leitz SM
Für draussen: Leitz HM

Fahrenheit

#1
... weiter gehts :)

Und nun zu den Präparaten

Beginnen wir mit der Blattspreite.

Bilder 9a-d: Mittelrippe und Blattfläche im frischen, ungefärbten Schnitt





Wie immer lassen sich mit etwas geübtem Blick schon die wesentlichen Details erkennen. Bei der Mittelrippe sind das von innen nach außen ein großer Sekretgang (SG), an dessen Rand sich ein Drüsenepithel erahnen lässt (ohne Benennung). Es folgen dann ringförmig, aber unterbrochen, die Leitgewebe mit Xylem 8Xl) und Phloem (Pl) und ganz außen finden wir das Rindenparenchym (RP), zumindest unten deutlich erkennbar ein Kollenchym (Kol) sowie Epidermis (Ep) und Cuticula.
Die Blattfläche hat einen Durchmesser von rund 200 µm und wir finden von der Ober- zur Unterseite: Cuticula (Cu) und Epidermis (Ep), das Assimilationsparenchym (AP) in zwei Zelllagen mit einer Dicke von etwa 82 µm sowie das Schwammparenchym (SP), hier auch um 80 µm dick. Den Abschluss unten bilden dann wieder Epidermis und Cuticula. Auf der rechten Seite sind einige Pflanzenhaare (Trichome - Tr) zu erkennen. Nebenleitbündel und Stomata sind leider nicht zu erkennen.

Im gefärbten Präparat (W3Asim I nach Rolf-Dieter Müller) schaut das dann so aus:

Bilder 10a-f: Mittelrippe und Blattfläche im fertigen Präparat (W3Asim I)







Grundsätzlich gibt es hier natürlich das Gleiche zu sehen, wie in den Bildern von den frischen Schnitten, einige Gewebe sind jedoch einfacher zu erkennen und haben hier nun eigene Bezeichnungen erhalten.
Dies gilt zum Beispiel für die Markstrahlen (MS) und kleine Gruppen sklerenchymatischer Zellen rund um das Phloem, die mit Skl gekennzeichnet sind. Auch ein zweiter, kleinerer Sekretgang fällt auf, er liegt in der Lücke des Leitgeweberings etwa auf 1 Uhr. Art bezeichnet ein Färbungsartefakt: im Zelllumen ist rote Färbelösung "gefangen".
Die Blattfläche des hier fotografierten Präparats ist mit rund 370 µm etwas dicker. Neben den oben schon angesprochenen Geweben finden wir hier eine längs angeschnittene Schraubentracheide (T) eines Nebenleitbündels sowie ein Stoma (St).
Alles in allem der Bau eines ganz normalen bifazialen Laubblattes.

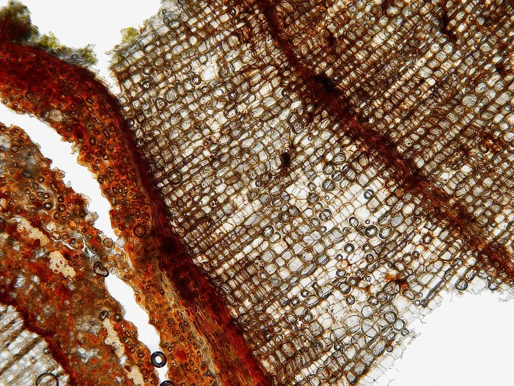
Schauen wir uns nun den Blattstiel an. Zunächst wieder im frischen, ungefärbten Schnitt und dann im mit W3Asim I gefärbten Präparat.

Bilder 11a-g: Der Blattstiel im frischen, ungefärbten Schnitt. Bild 11e im Polarisationskontrast








Auch hier lassen sich die wesentlichen Gewebe ansprechen. Wir finden am Rand des Markparenchyms (MP) Sekretgänge (SG) und darauf folgenden Xylem (Xl) und Phloem (Pl) viele Markstrahlen. Das primäre Xylem (pXl) ist gut zu erkennen, ebenso die großen Tracheen (T). Ein Cambium lässt sich hier nicht eindeutig ausmachen. Oberhalb des Phloems dann Sklerenchymkappen (Skl) und schließlich das Rindenparenchym (RP). Den Abschluss nach außen bilden dann ein Kollenchym (Kol) sowie Epidermis (Ep) und Cuticula (Cu).

Und nun wieder in bunt:

Bilder 12a-k: Der Blattstiel im fertigen Präparat (W3Asim I)












Bild 12a zeigt den gesamten Querschnitt des Blattstiels aufgenommen mit einem Leica CPlan 4x (Einlinser, NA 0,1, Leica 506074). Die Auflösung des Objektivs lässt etwas zu wünschen übrig, aber ich wollte den Schnitt einmal ganz zeigen. 12b & c dann mit dem NPlan 5x. Hier ist das Objekt zwar angeschnitten, aber es gibt eine Beschriftung. Hier in der Übersicht sehr schön zu erkennen: im Blattstiel finden sich 3 große und 2 kleine Leitbündel (LB und NLB), beim größten scheint sich zur Mitte hin ein weiteres Bündel abzuschnüren. Im Zentrum jedes dieser Leitbündel sitzt je ein Sekretgang (SG). Über den Phloemnestern (Pl) folgt je einen Sklerenchymkappe (Skl). Das Bild 12g im Polarisationskontrast lässt die vielen Drusen (D) im Rindenparenchym (RP) sehr gut erkennen.
Auch hier gilt: bis auf die kleinteiligen Leitbündel mit den Sekretgängen und das im Blattstiel nicht selbstverständlichen Cambium (siehe z.B. auch beim Efeu) keine Besonderheiten.

Wenden wir uns nun dem Spross und seinen Korkleisten zu!

Bilder 13a-i: Der Spross im frischen, ungefärbten Schnitt. Bild 13e im Polarisationskontrast










Von innen nach außen finden wir auch hier wieder das Markparenchym (MP), Sekretgänge (SG), primäres Xylem (pXl), das Xylem (Xl) mit Markstrahlen (MS) und Tracheen (T), dann folgen das Cambium (Ca), das Phloem (Pl) mit seinen Sklerenchymkappen (Skl) und schließlich Rindenparenchym (RP), sowie das Periderm (Per) als sekundäres Abschlussgewebe. Die Detailaufnahme eines Sekretgangs lässt schön das Drüsenepithel (DEp) aus sehr dünnwandigen Zellen erkennen. Die Umschließung der Kanäle ist teils lignifiziert. Was uns auch auffällt - oder eben genau nicht: es gibt noch keine Jahresringe. Der beprobte Spross ist also aus 2021 und hat am Ende der Wachstumsperiode gerade angefangen, das Periderm auszubilden.

Wo sind die typischen Korkleisten? Nun, fürs Erste kann ich mit einer Lentizelle dienen ...

Bild 14: Eine Lentizelle im frischen, ungefärbten Schnitt


Sehr kompakt! Und auch das Rindenparenchym unterhalb der Korkzellen steht dicht an dicht, was ungewöhnlich ist für eine Struktur, die eigentlich dem Gasaustausch dienen soll. Ob wir hier erste Ansätze der Korkleisten oder -höcker sehen, wie sie auch in Bild 4 zu sehen und für Liquidambar styraciflua typisch sind? 
-> Laut Detlefs Kommentar unten nicht, es handelt sich um das, nach dem es aussieht: eine Lentizelle.

Bild 15a-e: Zunächst noch einige Aufnahmen von Längsschnitten des frischen, unfixierten Sprosses (freihand). Bilder 15b & e im Polarisationskontrast






Wir sehen die Zellen des Xylems, zentral eine angeschnittene Trachee mit Versteifungen und viele Zellen mit Tüpfeln.

Und wieder in bunt!

Bilder 16a-k: Der Spross im fertigen Präparat (W3Asim I)














Die einzelnen Gewebearten haben wir bereits am ungefärbten Schnitt besprochen. Die Bleiche mit Eau de Javel und Chloralhydrat hat hier dazu geführt, dass die Lentizelle nicht mehr ganz so kompakt wirkt. Die Färbung bringt auch noch einmal die Zellen des Drüsenepithels (DEp) der Sekretgänge (SG) sehr schön zur Geltung.

Wie sieht es aber nun mit den Korkleisten aus? Leider gab es die an meinem ersten Probebaum in Nachbars Garten nur schwach ausgebildet an einigen älteren Ästen. Aber ein paar Straßenecken weiter steht ein weiterer Amerikanischer Amberbaum (siehe Bild 1). Dort habe ich eine weitere Sprossprobe genommen und erst zuhause gemerkt, dass diese von einem abgestorbenen Ast stammt. Also hier noch einmal "altes Zeug" mit Korkleisten. :)

Bild 17: Das Probestück mit Korkleisten bzw. -höckern


Auf dem Zweigstück hat sich eine Gewöhnliche Gelbflechte (Xanthoria parietina) breit gemacht, die wir gleich auch in den Schnitten wieder finden werden. Zunächst wieder die unfixierten, ungefärbten Schnitte. Frisch kann man hier nicht mehr sagen ...

Bilder 18a-d: Unfixierter, ungefärbter alter Spross mit Korkleiste 





Alles in allem schon ziemlich verrottet ... aber die Korkleiste lässt sich gut erkennen, zumal die Zellen bei einem tatsächlich noch lebendigen Spross nicht viel anders ausgesehen hätten.
Ansonsten können wir selbst hier die gewohnten Gewebe unterscheiden. Beschriftung wie unter Bilder 13 und 16.

Und auch hier klappt es noch mit der Färbung, wenn auch unterstützt durch tagelanger Bleiche mit Chloralhydrat:

Bilder 19a-m: mit W3Asim I gefärbter alter Spross mit Korkleiste 














Der Spross hier ist 3 Jahre alt. was wir an den Jahresringgrenzen (JRG x) im Xylem (XL) und auch in der Korkleiste erkennen. Diese besteht aus Zellen des Phellems (Ph), die nicht wie sonst üblich, abgestoßen werden, sondern am Spross stehen bleiben. Gebildet werden sie vom Phellogen (Pg), das nach innen das Phelloderm (Pd) absondert. Alle drei Zelltypen zusammen bilden das Periderm.
Auch wenn insbesondere die nicht verholzten Zellen starke Vertrocknungsartefakte zeigen, könne wir auch im gefärbten Schnitt die einzelnen Gewebetypen sauber unterscheiden. Auch die Drusen (D) sind wieder mit dabei. Nur die Sekretgänge am Rande des Markparenchyms sind wohl schon zerfallen. Beschriftung wie unter Bilder 13 und 16.

Und zu guter Letzt werfen wir noch einen Blick auf die Untermieter, die den abgestorbenen Spross besiedeln.

Bild 20: Konidien zeugen von einem Pilzbefall, W3Asim I


Und natürlich haben wir auch einen hübschen Querschnitt durch die Gewöhnliche Gelbflechte, die sich auf dem Probestück fest gesetzt hat:

Bild 21a-c: Apothecien der Gewöhnliche Gelbflechte (Xanthoria parietina) im Querschnitt, W3Asim I


 

Im Schnitt erkennen wir die Fruchtschicht (Hymenium) und die Hyphen, die das Apothecium aufbauen.

Vielen Dank fürs Lesen, Anregung und Kritik sind wie immer willkommen.

Herzliche Grüße
Jörg

22.01.2022 - Edit: Text zur Lentizelle Bild 14 und Bild 16e auf Basis von Detlefs Kommentar angepasst.
Hier geht's zur Vorstellung: Klick !
Und hier zur Webseite des MKB: Klick !

Arbeitsmikroskop: Leica DMLS
Zum Mitnehmen: Leitz SM
Für draussen: Leitz HM

Detlef Kramer

Super!!! tolle Arbeit! Ich würde das Fragezeichen an der Lentizelle entfernen.

Herzliche Grüße
Detlef
Dr. Detlef Kramer, gerne per DU

Vorstellung: Hier klicken

HDD

Super Bericht, alter Profi. :)

Herzliche Grüße       Horst-Dieter

Jürgen Boschert

Hallo Jörg,

wieder einmal ein wundervoller und lehrreicher Beitrag. Wenn ich könnte, würde ich ihn listen  ;).

Danke !
Beste Grüße !

JB

Fahrenheit

#5
Lieber Freunde,

vielen Dank für Euer Lob, das mich wie immer sehr freut.

Lieber Detlef,
kannst Du zur Entstehung der Korkleisten etwas mehr sagen?
In Esaus Pflanzenanatomie von Evert habe ich nichts zu Korkleisten gefunden, Esau selber schreibt in Pflanzenanatomie nur kurz:

ZitatBei manchen Dicotylen (Ulmus spec.) entwickeln die Stämme Korkleisten, die durch Längsaufspaltung des Korkes an der Stammoberfläche entstehen und oft symetrisch angeordnet sind (Smithson, 1954). Korkleisten können auch dann auftreten, wenn die Phellogentätigkeit in bestimmten, längs verlaufenden Stammregionen intensiver ist, als in anderen (Evonymus atlantus, Bowen,1963)

Wenn man sich den Flügel-Spindelstrauch (Euonymus alatus) so anschaut, ist letzteres auch beim Amerikanischen Amberbaum der Fall. Hier würde ich gemäß der Beschreibung im Esau erwarten, dass die Korkleiste einfach als Verdickung des Phellems auftritt und darunter keine Strukturen liegen, die vom sonstigen Aufbau des Sprosses abweichen.
Dies scheint bei den Korkleisten des abgestrorbenen Sprosses (siehe Bilder 18 und 19) der Fall zu sein, während die Lentizelle ja einen "Unterbau" hat (Bilder 14 und 16).
Text und Bilder habe ich oben entsprechend angepasst.

Lieber Jürgen,
ist er ja schon, siehe Sternchen ;)

Herzliche Grüße
Jörg
Hier geht's zur Vorstellung: Klick !
Und hier zur Webseite des MKB: Klick !

Arbeitsmikroskop: Leica DMLS
Zum Mitnehmen: Leitz SM
Für draussen: Leitz HM

Bernd Miggel

Lieber Jörg,

auch von mir herzlichen Dank für deinen lehrreichen Beitrag!

Viele Grüße
Bernd

Hans-Jürgen Koch

Plants are the true rulers - Pflanzen sind die wahren Herrscher.

<a href="http://www.mikroskopie-forum.de/index.php?topic=2650.0" target="_blank">Hier geht es zur Vorstellung</a>

Gerne per "Du"

Fahrenheit

Lieber Bernd, lieber Hans-Jürgen,

auch Euch beiden vielen Dank für Euer Lob!

Herzliche Grüße
Jörg
Hier geht's zur Vorstellung: Klick !
Und hier zur Webseite des MKB: Klick !

Arbeitsmikroskop: Leica DMLS
Zum Mitnehmen: Leitz SM
Für draussen: Leitz HM

Detlef Kramer

Lieber Jörg,

es tut mir leid, dass ich nicht gleich antworten konnte - Opa-Pflichten. Die Problemaik ist eigentlich in dem Zitat aus Esau genau beschrieben. Der Kork wird durch das Korkkambium gebildet. Wenn das gleichmäßig über den Stammumfang verteilt ist bildet sich ein flächiger Kork, der mit der Zeit aufreißen muss infolge der Zunahme des Stammumfangs, in diesem Fall unregelmäßig wie z.B. bei der Kiefer. Ist das Korkkambium jedoch ungleichmäßig in einem bestimmten Muster angelegt, ensteht ein entsprechendes Muster im Kork. Schönes Beispiel: ältere Zweige vom Feldahorn, die ausgeprägte Korkleisten bilden. Am besten ist dies mit zahlreichen Fotos in den neueren Strasburgern dargestellt.

Herzliche Grüße
Detlef
Dr. Detlef Kramer, gerne per DU

Vorstellung: Hier klicken

Fahrenheit

Lieber Detlef,

danke Dir. Einen nicht all zu alten Strasburger habe ich als Bonner natürlich im Regal. Werd mal nachsehen. :)

Herzliche Grüße
Jörg
Hier geht's zur Vorstellung: Klick !
Und hier zur Webseite des MKB: Klick !

Arbeitsmikroskop: Leica DMLS
Zum Mitnehmen: Leitz SM
Für draussen: Leitz HM