Botanik: Lotuspflaume Diospyros lotus - ein Exot aus China *

Begonnen von Hans-Jürgen Koch, Juli 23, 2017, 09:30:40 VORMITTAG

Vorheriges Thema - Nächstes Thema

Hans-Jürgen Koch

Liebe Pflanzenfreunde,

der von Ostasien bis Korea heimische Baum wächst schon seit der Antike im Mittelmeergebiet. Auf dem Balkan konnte er sich einbürgern. In Mitteleuropa reifen die Früchte nur nach langen, warmen Sommern vollständig aus. Sie sind kaum lagerfähig und schmecken selbst vollreif noch stark zusammenziehend. Kurzes Tauchen in heißem Wasser mildert dieses.
In Ostasien kommen die Früchte roh, getrocknet sowie zu Sirup und Wein verarbeitet auf den Markt.

Die Lotuspflaume wächst in seiner Heimat zu einem 10 bis 15 Meter hohen Baum mit runder Krone heran. Die Blütezeit ist von Mai bis Juni. Da Diospyros lotus zweihäusig ist, werden eine männliche und eine weibliche Lotuspflaume benötigt um Früchte ernten zu können. Männliche Pflanzen haben weiße Blüten mit rötlichen Spitzen und weiblichen Pflanzen besitzen weiße Blüten mit gelben Spitzen. Aus den 1 bis 2 cm langen Blüten entwickeln sich zum Herbst kugelige, etwa kirschgroße Früchte. Je nach Reifegrad sind diese gelb (unreif) bis hin zu blauschwarz (Vollreife) gefärbt.
Die Blätter sind elliptisch bis länglich,6 - 12 cm lang, ledrig oberseits glänzend dunkelgrün, unterseits blaugrün.

Die Früchte enthalten u. a. Zucker, Proteine, Fett, Flavonoide, Glykoside, Vitamin C und Jod (Iod), in unreifem Zustand auch Gerbstoffe.
Die Früchte werden als Obst gegessen bzw. bei leichten Schilddrüsenerkrankungen infolge Jodmangels eingesetzt.

Bild 01 Lotuspflaume Diospyros lotus

Foto: H.-J_Koch 

Bild 02 Früchte, Lotuspflaume Diospyros lotus

Die Früchte der Lotuspflaume sind essbar, aber eher fade im Geschmack.
Urheber: VoDeTan2 Dericks-Tan

Bild 03 Illustration, Lotuspflaume Diospyros lotus

Dieses Werk ist gemeinfrei.


Systematik:
Ordnung: Heidekrautartige (Ericales)
Familie: Ebenholzgewächse (Ebenaceae)
Unterfamilie: Ebenoideae
Gattung: Ebenholzbäume (Diospyros)
Art: Lotuspflaume, syn. Dattelpflaume
Wissenschaftlicher Name: Diospyros lotus
Englischer Name: date-plum

Zur Gattung Diopyros gehören mehrere Hundert Pflanzen.
Der Gattungsname wird zurückgeführt auf ,,diospyros" griechisch = eine der Weichselkirsche ähnliche Frucht, war vor der Anwendung auf Lotuspflaume für andere Arten wie Mehlbeere oder Zürgelbaum in Gebrauch; ,,lotus" war ein für verschiedene Pflanzen mit essbaren Früchten verwendeter Name, in der Römischen Kaiserzeit für die Lotuspflaume, die als Zier- und Fruchtpflanze in Italien bereits kultiviert wurde.

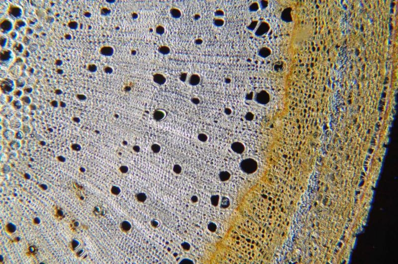
Teil 1: Jähriger Spross, Querschnitte 25 Mikrometer


Meine Proben stammen aus dem Arboretum Schloss Erbhof Thedinghausen (Niedersachsen) vom 31. Mai 2016

Die Bilder 04 bis 09 zeigen ungefärbte Schnitte

Bild 04 Übersicht, Lotuspflaume Diospyros lotus


Bild 05 Vergrößerung, Lotuspflaume Diospyros lotus

Abschlussgewebe

Bild 06 Tracheen, Lotuspflaume Diospyros lotus


In Tracheen sind die Zellwände in axialer Richtung vollständig oder teilweise aufgelöst. Innerhalb eines Gefäßes sind mehrere Tracheenzellen miteinander verbunden, so dass im Vergleich zu Tracheiden eine lange durchgehende Röhre gebildet wird. Die Gesamtheit der Tracheen bildet (zusammen mit den Tracheiden) somit ein kontinuierliches und kommunizierendes Röhrensystem von den Wurzeln zu den Blättern.

Bild 07 Markparenchym, Lotuspflaume Diospyros lotus


Das Markparenchym dient dem jungen Spross zur Wasserleitung und kann lediglich bei einigen wenigen Baumarten bis zu zehn Jahren lebensfähig bleiben und dann eine Speicherfunktion übernehmen.

Bild 08 Dunkelfeld, Lotuspflaume Diospyros lotus


Bild 09 Dunkelfeld, Lotuspflaume Diospyros lotus


W-3A-Färbung nach Wacker (Acridinrot-Acriflavin-Astrablau) modifiziert

Arbeitsablauf :
1. Probe liegt in 30 % Ethanol.
2. Aqua dest. 3x wechseln je 1 Minute.
3. Vorfärbung Acridinrotlösung 8 Min.
4. 1x auswaschen mit Aqua dest. .
5. Acriflavinlösung (differenzieren bis gerade keine Farbwolken mehr abgehen - Lupenkontrolle) ca. 12 Sekunden !!!.
6. 2 x auswaschen mit Aqua dest..
7. Nachfärbung Astrablaulösung 1 Minute.
Bei der Nachfärbung mit Astrablau eine Mischung aus Astrablau und Acriflavin im Verhältnis 3 : 1 verwendet (blau + gelb = grün).
8. Auswaschen mit Aqua dest. bis keine Farbstoffreste auf dem Objektträger verbleiben.
9. Entwässern mit 2x gewechseltem Isopropylalkohol ( 99,9 % )
10. Einschluss in Euparal.

Ergebnis :
Zellwände blaugrün bis grün, verholzte Zellwände leuchtend rot, Zellwände der äußeren Hypodermis orangerot, Cuticula gelb, Zellwände der innenliegenden Hypodermis tiefrot.
Fotos: Nikon D5500

Bild 10 Übersicht, Lotuspflaume Diospyros lotus


Bild 11 Vergrößerung aus der Übersicht mit Beschriftung, Lotuspflaume Diospyros lotus

MP = Markparenchym, PXY = Protoxylem, K = Kambium, XY = Xylem, T = Trachee, J 1 = Jahresringgrenze erstes Jahr, J 2 = Jahresringgrenze zweites Jahr, RP = Rindenparenchym, SK = Sklerenchym – Inseln, PH = Phloem

Bild 12 Vergrößerung, Lotuspflaume Diospyros lotus


Plants are the true rulers - Pflanzen sind die wahren Herrscher.

<a href="http://www.mikroskopie-forum.de/index.php?topic=2650.0" target="_blank">Hier geht es zur Vorstellung</a>

Gerne per "Du"

Hans-Jürgen Koch

Bild 13 Lentizellen, Lotuspflaume Diospyros lotus


Lentizellen (Korkporen- Korkwarzen) sind Öffnungen im Abschlussgewebe holziger Pflanzenteile, die hier, anstelle von Spaltöffnungen, zur Durchlüftung von Stämmen und Zweigen dienen.

Bild 14 Holzstrahl, Lotuspflaume Diospyros lotus


Holzstrahlen, auch Markstrahlen genannt, sind bei allen Nadel- und Laubhölzern anzutreffen. Sie treten auf dem Querschnitt als feine, hellere, radial verlaufende Linien in Erscheinung. Sie dienen der radialen Leitung und Speicherung der vom Baum gebildeten Stoffe.
Als echte ,,Markstrahlen" sind nur die primären Strahlen vom Mark bis in die Rinde zu bezeichnen, denn die sekundären Strahlen beginnen irgendwo im Holz und enden an der Stammperipherie wie die primären Markstrahlen.

Bild 15 Markparenchym, Lotuspflaume Diospyros lotus


Bild 16 Sklerenchymzellen, Lotuspflaume Diospyros lotus

SK = Sklerenchym, RP = Rindenparenchym

Eine Sklerenchymzelle ist in Pflanzen eine meist tote Zelle, die eine stark verdickte Zellwand besitzt, jedoch nicht faserartig ausgebildet ist. Sklereiden dienen häufig der Festigung und Verstärkung von Pflanzenteilen.

Bild 17 Markparenchym und Xylem, Lotuspflaume Diospyros lotus


Bild 18 Auflicht – Fluoreszenzaufnahme, Lotuspflaume Diospyros lotus

Fluoreszenzaufnahmen mit Anregungswellenlänge RoyalBlue mit 455 nm, 3 Watt LED, Sperrfilter LP 520, Erregerfilter BP 436/10

Bild 19 Auflicht – Fluoreszenzaufnahme, Lotuspflaume Diospyros lotus

Fluoreszenzaufnahmen mit Anregungswellenlänge RoyalBlue mit 455 nm, 3 Watt LED, Sperrfilter LP 520, Erregerfilter BP 436/10

Teil 2: Spross, Radialschnitt 25 Mikrometer


Die Bilder 20 bis 21 zeigen ungefärbte Schnitte

Bild 20 Übersicht, Lotuspflaume Diospyros lotus


Bild 21 Vergrößerung, Lotuspflaume Diospyros lotus


Bild 22 Übersicht, Lotuspflaume Diospyros lotus


Bild 23 Vergrößerung, Lotuspflaume Diospyros lotus


Bild 24 Vergrößerung, Lotuspflaume Diospyros lotus


Bild 25 Auflicht – Fluoreszenzaufnahme, Lotuspflaume Diospyros lotus

Fluoreszenzaufnahmen mit Anregungswellenlänge RoyalBlue mit 455 nm, 3 Watt LED, Sperrfilter LP 520, Erregerfilter BP 436/10

Quellen und weiterführende Informationen:

Wikipedia; Freie Enzyklopädie
Spohn ,,Kosmos Baumführer Europa" ISBN: 978-3-440-11741-5
Peter A. Schmidt ,,Taschenlexikon der Gehölze" ISBN: 978-3-494-01448-7
P. Schütt ,,Lexikon der Baum- und Straucharten" ISBN: 978-3-86820-123-9
,,Die große Enzyklopädie der Arzneipflanzen und Drogen" ISBN: 987-3-89996-508-7

Für konstruktive Kritik bin ich ebenso offen wie für lobende Worte.
Doch zunächst einmal wünsche ich viel Freude beim Lesen.

Hans-Jürgen



Plants are the true rulers - Pflanzen sind die wahren Herrscher.

<a href="http://www.mikroskopie-forum.de/index.php?topic=2650.0" target="_blank">Hier geht es zur Vorstellung</a>

Gerne per "Du"

Bernd Miggel

Lieber Hans-Jürgen,

deine Bilder sind immer derart faszinierend, am liebsten würde ich mir daraus einen Jahreskalender machen.
Und eine derartige Perfektion in der Ausarbeitung, man kann nur staunen und genießen.

Herzliche Grüße

Bernd

Hans-Jürgen Koch

Lieber Bernd,

herzlichen Dank für Dein Lob.

Du hast in dem fantastischen Buch ,,Holzbestimmung mit dem Mikroskop" Dich ja auf die Darstellung einer großen Anzahl heimischer Baum und Straucharten konzentriert.
Ich versuche möglichst Proben von exotischen Pflanzen zu bekommen.

Ein Tipp für die Leser Deines Buches:
Ich habe die Seite 6 (Abkürzungen) kopiert und erspare mir so das häufige blättern.

Mit freundlichem Gruß

Hans-Jürgen
Plants are the true rulers - Pflanzen sind die wahren Herrscher.

<a href="http://www.mikroskopie-forum.de/index.php?topic=2650.0" target="_blank">Hier geht es zur Vorstellung</a>

Gerne per "Du"

wejo

Hallo Hans-Jürgen,
wie immer sind deine Schnitte, Färbungen und Bilder ein Erlebnis! Dazu kommen noch die ausführlichen fachlichen Erklärungen. Danke für das Zeigen und die Arbeit, die dahinter steckt. Mich als Anfänger würde noch interessieren, wie Deine Schnitte entstehen, also nicht  die Färbungsarbeit, die Du ja ausführlich beschreibst. Diese mechanische Schnittarbeit würde mich interessieren.
Herzliche Grüße
Werner

Hans-Jürgen Koch

Hallo Werner,

ich arbeite sehr gerne mit dem Reichert Schlittenmikrotom.
Die Proben liegen fest in ,,Styrodur" in einem angefertigten Probenhalter.

Bild 01 und Bild 02



Der kleine Holzklotz verhindert das Eindringen der Schraube in den Hartschaum.

Bild 03

Hier ist ein Stachel einer Rose eingespannt.

Bild 04

Für Längsschnitte den Spross unten anschneiden (plane Auflagestelle) und dann mit UHU Sekundenkleber auf einen Holzklotz geklebt.

Bild 05

Für größere Proben oder sehr hartem Holz kommt das Tetrander II Mikrotom zum Einsatz.

Ich denke, Bilder sagen mehr aus viele Worte.

Gruß

Hans-Jürgen



Plants are the true rulers - Pflanzen sind die wahren Herrscher.

<a href="http://www.mikroskopie-forum.de/index.php?topic=2650.0" target="_blank">Hier geht es zur Vorstellung</a>

Gerne per "Du"

koestlfr

Hallo Hans-Jürgen!

Wow! Das ist wieder ein echter "Koch"!

Danke, sehr spannend!
Liebe Grüße
Franz

Fahrenheit

Lieber Hans-Jürgen,

vielen Dank für den schönen Beitrag, den ich wie immer in die Liste "Botanik" aufgenommen habe.

Herzliche Grüße
Jörg
Hier geht's zur Vorstellung: Klick !
Und hier zur Webseite des MKB: Klick !

Arbeitsmikroskop: Leica DMLS
Zum Mitnehmen: Leitz SM
Für draussen: Leitz HM

Hans-Jürgen Koch

Liebe Pflanzenfreunde,

danke für Euer Feedback.

Gruß

Hans-Jürgen
Plants are the true rulers - Pflanzen sind die wahren Herrscher.

<a href="http://www.mikroskopie-forum.de/index.php?topic=2650.0" target="_blank">Hier geht es zur Vorstellung</a>

Gerne per "Du"

wejo

Lieber Hans-Jürgen,
von Anfang bis zum Ende professionell! Danke für die ausführliche bildhafte Schilderung Deiner Schnittarbeit. Alles beeindruckend!
Nochmals herzlichen Dank und viele Grüße
Werner