Botanik: Pflanzen - Wurzeln, Radizes *

Begonnen von Hans-Jürgen Koch, Oktober 30, 2022, 14:26:16 NACHMITTAGS

Vorheriges Thema - Nächstes Thema

Hans-Jürgen Koch

Wurzeln sind das Fundament der Pflanzen.
Die Wurzel (von althochdeutsch wurzala ,,das Gewundene") ist neben Sprossachse und Blatt eines der drei Grundorgane der Kormophyten (Gefäßpflanzen, Sprosspflanzen, höhere Pflanzen), zu denen die Samenpflanzen und Farne zählen.

Der Kormus (im 19. Jahrhundert entlehnt aus altgriechisch κορμός kormós, deutsch ,Rumpf', ,Klotz', ,Stock') ist der vielzellige Vegetationskörper einer Pflanze, der in Sprossachse, Blatt und Wurzel gegliedert ist.
Neben Sprossachse und Blättern ist die Wurzel (Radix) eines der Hauptorgane der oben genannten Pflanzengruppe. Sie besteht aus einer Wurzelhaube (Kalyptra) und groben und feinen Wurzelhaaren.
Grobwurzeln bilden die stabile Struktur des Wurzelgerüsts, Feinwurzeln haben mit einem Durchmesser von unter einem Millimeter zwar nur eine geringe Größe und Lebensdauer, aber die wichtige Funktion der Nährstoffaufnahme.

Bild 01 Teilweise durch Bodenabtrag freigelegter Wurzelstock eines Baumes im Speyerer Auwald

Urheber: Claus Ableiter

Die Wurzelarchitektur:
Der Aufbau der Wurzel ist äußerst komplex und besteht aus einer Vielzahl einzelner Schichten. Die Wurzel kann sowohl in die Länge wachsen, als auch in die Breite (sekundäres Dickenwachstum).
Die Gesamtoberfläche des Wurzelsystems ist bei gut angewachsenen Pflanzen häufig um ein Vielfaches größer, als die des oberirdisch wachsenden Sprosssystems.
Treibt eine Pflanze aus, bildet sich zunächst die Keimwurzel und erst danach die Sprossachse. Verzweigungen der Wurzeln entstehen immer aus ihrem Inneren heraus (endogen).
Außerdem tragen Wurzeln niemals Blätter. Wurzeln sind positiv gravitrop, was bedeutet, sie bewegen sich während ihres Wachstums immer in Richtung des Erdmittelpunktes, während die Sprossachse in die entgegengesetzte Richtung wächst (negativ gravitrop).
Dies ist nötig, damit die Pflanze im Substrat eine aufrechte Position einnehmen kann. Neuesten Forschungen zufolge reagieren Wurzeln sogar auf Lichtreize, die über die Sprossachse ins Wurzelsystem geleitet werden, und passen auf diese Weise das Wurzelwachstum optimal an die Bedürfnisse der oberirdischen Pflanzenteile an.
Wurzeln erfüllen für die Pflanze viele Aufgaben. Besonders wichtig ist hierbei die Aufnahme von Nährstoffen und Wasser aus der Umwelt. Vor allem die jungen Feinwurzeln sind hier aktiv – sie versorgen die Pflanze mit Mineralstoffen und Flüssigkeit aus dem umgebenden Substrat.
Je älter die Wurzeln werden, umso mehr verkorken sie und dienen schließlich nur noch dem Weitertransport, können aber selbst keine Ionen mehr aufnehmen. Aus diesem Grund ist ein ausgeprägtes System an Feinwurzeln für ein gesundes Pflanzenwachstum unabdingbar. Eine Schädigung der Feinwurzeln, zum Beispiel durch Staunässe oder Überdüngung, hat an der Pflanze schwerwiegende Versorgungsengpässe zur Folge.
Für eine bessere Aufnahmefähigkeit gehen die Wurzelsysteme der Pflanzen häufig Symbiosen mit Pilzen und Bakterien aus dem Erdreich ein. Neben dem Austausch von Nährstoffen werden in der Wurzel auch eigene chemische Verbindungen synthetisiert.
Verschiedene Pflanzenhormone und sekundäre Pflanzenstoffe entstehen innerhalb der Wurzel. Die dritte wichtige Funktion der Pflanzenwurzel ist es, die Sprossachse fest im Boden zu verankern. Wurzeln sind also immer "auf Zug" befestigt – die Haltekraft eines gesunden Wurzelsystems ist enorm.

Bild 02 Wurzelsysteme, Baumwipfelpfad Harz, Bad Harzburg

Foto: H.-J_Koch

Auf dem Gelände vom Baumwipfelpfad sind die Wurzelsysteme zu bestaunen. Im Vordergrund die Wurzel der Hainbuche Carpinus betulus mit tiefreichender Herzwurzel.

Flach- oder Tiefwurzler?
Wurzelsysteme können sowohl heterogen, als auch homogen sein. Ein heterogenes Wurzelwerk besteht aus einer großen, senkrecht nach unten wachsenden Hauptwurzel erster Ordnung und einem Geflecht aus von der Hauptwurzel abzweigenden, kleineren Seitenwurzeln zweiter und dritter Ordnung.
Homogene Wurzelsysteme dagegen bestehen aus vielen gleichrangigen Wurzeln, die sich untereinander kaum unterscheiden. Ob eine Pflanze flach oder tief im Erdreich wurzelt, hängt nicht nur von ihrer Art ab, sondern gelegentlich auch von den umgebenden Bodenverhältnissen. Man unterscheidet man drei Grundtypen von Wurzelbildern: Tiefwurzler, Flachwurzler und Herzwurzler.
Tiefwurzler wie Tannen und Eichen besitzen meist eine Pfahlwurzel und dringen mit dieser tief in den Erdboden ein auf der Suche nach Grundwasser.
Flachwurzler wie Fichten oder Weiden dagegen breiten ihre Wurzeln gleichmäßig rund um die Sprossachse in horizontaler Richtung aus und versorgen sich vornehmlich mit versickerndem Oberflächenwasser.
Herzwurzler wie Buchen und Linden sind eine Mischform, deren Wurzeln in alle Richtungen wachsen und sich flexibel an die Bodenverhältnisse anpassen.

Sonderformen von Wurzeln
Neben den klassisch aufgebauten Wurzelsystemen gibt es eine Vielzahl weiterer Ausprägungen von Wurzeln, welche durch Metamorphose entstanden sind. Diese Umwandlungen stellen eine Spezialisierung der Wurzel auf ein besonderes Lebensumfeld dar.
Speicherwurzeln: Besonders Pfahlwurzler nutzen ihre Wurzel gerne, um dort Reservestoffe einzulagern. Sehr ausgeprägt ist dies bei Rüben (zum Beispiel Zuckerrübe, Karotte) und Wurzelknollen, wie man sie zum Beispiel an Dahlien oder am Scharbockskraut (Ranunculus ficaria) findet, der Fall. Selbst Wasser kann in den Speicherwurzeln gesammelt werden. Dieser Vorgang nennt sich Wassersukkulenz. So bildet eine gut gegossene Grünlilie mit der Zeit, dicke, weiße Speicherwurzeln aus. Achtung: Zwiebeln und Knollen sind keine Speicherwurzeln, sondern zur Nährstoffspeicherung umgewandelte Teile der Blätter und Sprossachse einer Pflanze!


Luftwurzeln: Luftwurzeln sind eine Spezialität der Aufsitzerpflanzen (Epiphythen), zu denen wie viele Kakteen-, Orchideen- und Bromelienarten gehören. Diese Pflanzengruppe kann auch über Wurzeln, die oberirdisch wachsen, Wasser und Nährstoffe aufnehmen, denn durch die erhöhte Position der Pflanzen, welche ihnen eine größere Ausbeute an Sonnenlicht und Regen verschafft, reichen die Wurzeln meist nicht bis zur Erde hinab. Manche Arten von Luftwurzeln sind sogar in der Lage, an Stelle der Laubblätter Photosynthese zu betreiben.
Rhizome: Wurzelstöcke sind im eigentliche Sinne keine Wurzeln, sondern eine unterirdisch verlaufende Erweiterung der Sprossachse. Rhizome haben immer dieselbe Länge, da sich Wachstum und Degeneration immer die Waage halten. Aus dem Rhizom wachsen jedes Jahr an anderer Stelle neue Sprossachsen an die Oberfläche. So dient der Wurzelstock gleichzeitig als Nährstoffdepot und als vegetatives Vermehrungsorgan der Pflanze.

Zugwurzeln: Diese besonders kräftige Wurzelart sorgt dafür, dass Zwiebel- und Knollengewächse, aber auch Rhizome nicht mit der Zeit an die Erdoberfläche wandern. Zugwurzeln üben einen starken Zug nach unten aus und halten die an ihnen haftenden Erdsprosse so an ihrem Platz.
Je nach Wurzelsystem unterscheiden sich bei Gartenpflanzen die Bedürfnisse in der Pflege. Während Flachwurzler durch ihr nah an der Oberfläche liegendes Wurzelsystem auf regelmäßiges Gießen angewiesen sind, überstehen Tiefwurzler auch längere Trockenperioden meist problemlos, da sie ihren Flüssigkeitsbedarf in tieferen Bodenschichten decken. Flachwurzler breiten ihre Wurzeln tellerförmig rund um den Spross herum aus und treten dadurch in Wurzelkonkurrenz mit ebenfalls flach wurzelnden Nachbarpflanzen. Hier ist auf ausreichend Pflanzabstand zu achten. Tiefwurzler – besonders solche mit einer starken, bei Bäumen manchmal viele Meter langen Pfahlwurzel – können unterirdisch laufende Leitungen und sogar Abwasserrohre aus Beton durchstoßen und beschädigen.

Pfahlwurzler siedeln sich gerne auf trockenem, tiefgründigem Boden sowie in Ritzen und Spalten an. Flachwurzler dagegen bevorzugen lockeren, humosen Boden ohne Staunässe. Während Tiefwurzler äußerst sturmfest sind, können flach wurzelnde Pflanzen bei heftigem Wind schon einmal mitsamt Wurzelballen aus dem Erdreich gerissen werden. Pflanzen mit einem homogenen Wurzelsystem (alle Wurzeln sind gleichrangig) bieten einen besonders guten Erosionsschutz und sind geeignet, um zum Beispiel Hänge zu stabilisieren. Pflanzen, die sich durch Wurzelausläufer vermehren (zum Beispiel Bambus), sollten vorsichtshalber mit einer Rhizomsperre gepflanzt werden, um eine unkontrollierte Ausbreitung zu verhindern.

Was ist bei der Neuanpflanzung der Bäume zu beachten?

Bild 03 Breiter Forstweg in Sörhausen.

Foto: H.-J_Koch

Der kleine Ort Sörhausen gehört zum Ortsteil Ristedt der Stadt Syke im niedersächsischen Landkreis Diepholz im Naturpark Wildeshauser Geest.
Im Oktober 2021 begannen vorbeugende Einschlagsmaßnahmen bei uns im Wald; weg von der Monokultur der Nadelbäume. Es wurden ältere Fichten gefällt und eine Neuanpflanzung von Buchen geplant.
Februar 2022 wurden an einem Waldweg mehrere etwa 1 Meter tiefe Gräben ausgehoben.

Bild 04 Ausgehobene Gräben; Vorbereitung zur Neuanpflanzung

Foto: H.-J_Koch

Die von einer Baumschule gelieferten jungen Buchen waren zu 20 Stück gebündelt und bis zur Pflanzung in den Gräben zwischengelagert.

Foto 05 Ein Buchen – Wildling in unserem Garten

Foto: H.-J_Koch

Im Gegensatz zu anderen Laubbäumen verlieren die Buchen das Laub aber nicht im Herbst. Die Blätter bleiben zum großen Teil während des Winters hängen. Sie sind vertrocknet und haben eine braune Farbe. Erst mit dem Neuaustrieb der Rotbuche fallen die alten Blätter ab.
Im Juni 2022 wurden die Wildlinge eingesetzt.

Bild 06 Freigelegte Wurzeln der Fichten und der Buchen

Foto: H.-J_Koch
Die Gräben waren für mich der ideale Ort um an ältere Baumwurzel zu gelangen.

Eine Wiederanpflanzung ist gesetzlich vorgeschrieben und kostet 9000 bis 10.000 Euro pro Hektar. Dafür gibt es aus verschiedenen Töpfen Fördermittel in Höhe von 75 Prozent.
1 Hektar = 10.000 Quadratmeter.
Beliebter Vergleichsmaßstab für den Hektar ist ein Fußballfeld, laut Regelwerk: 90 Meter mal 120 Meter = 1,080 ha.
Der von der Forstwirtschaft angegebene Pflanzenabstand (Pflanzenverband) beträgt ca. 2 Meter, ist aber von Baumart zu Baumart verschieden und hängt außerdem davon ab, ob "unter Schirm" (Kronen von Altbäumen) oder auf der Freifläche gepflanzt wird (kleinerer Abstand).
Wildlinge, so heißen in der Fachsprache kleine, natürlich aufgewachsene Bäume, dürfen nur im laublosen Zustand verpflanzt werden.
Beste Erfahrungen beim Verpflanzen habe ich mit einem Hohlspaten gemacht.
Ein Hohlspaten ist ein Spezialspaten mit Halbrund gebogenem Blatt, damit kann man runde Löcher ausheben und Pflanzen mit 2 Stichen ausheben.
Schattbaumarten, also Baumarten, die auch mit wenig Licht wachsen können sind Fichte, Tanne, Buche, Linde und Hainbuche. Es macht beispielsweise keinen Sinn, Eichen unter Buchen zu pflanzen.
Als weiterer Punkt ist zu erwähnen, dass je gehaltvoller ein Boden an Nährstoffen und Wasser ist, desto mehr Schatten können die Bäume ertragen.
Fichte Picea abies
Die flachen, tellerartigen Wurzeln haben starke horizontale Seitenwurzeln und zahlreiche kleine vertikale Senkerwurzeln. Daher sind sie nicht so fest im Boden verankert wie beispielsweise die mit einer zentralen Pfahlwurzel versehene Weisstanne.
Der Vorteil ihrer flachen Wurzeln ist, dass die Fichte so Regenwasser und in den Boden geschwemmte Nährstoffe direkt und auf einer größeren Fläche abfangen kann, bevor diese in der Tiefe versickern.
Bei einem Flachwurzler wachsen die Wurzeln deutlich mehr in die Breite als in die Tiefe. Sie bleiben in den oberen Bodenschichten, wo sie sich tellerförmig ausbreiten. Der Umfang des Wurzelballens entspricht bei älteren Bäumen mindestens dem Umfang der Krone. Ist die Krone schmal, dann ist der Ballen sogar deutlich größer als die Krone. Bei Pfahlwurzlern wächst die Wurzel dagegen weit in die Tiefe. Auch die Fichte gehört zu den Flachwurzlern.
Nun aber zu den Wurzelschnitten.

Foto 07 Mikrotom - Schnitte einen älteren Fichtenwurzel der Fichte Picea abies

Foto: H.-J_Koch

Foto 08 Schnitte in der Petrischale, Fichte Picea abies

Foto: H.-J_Koch

Teil 1
Ältere Fichten - Wurzel, Querschnitt
25 Mikrometer


Bild 09 Detailaufnahme, ungefärbter Schnitt, Fichte Picea abies


Bild 10 Detailaufnahme, ungefärbter Schnitt, Fichte Picea abies


Bild 11 Detailaufnahme, ungefärbter Schnitt, Dunkelfeld, Fichte Picea abies


Bild 12 Detailaufnahme, ungefärbter Schnitt, Dunkelfeld, Fichte Picea abies


W-3A-Färbung nach Wacker (Acridinrot-Acriflavin-Astrablau) modifiziert

Arbeitsablauf :
1.Pflanzenprobe liegt in 30 % Ethanol.
2. Aqua dest. 3x wechseln je 1 Minute.
3. Vorfärbung Acridinrotlösung 8 Min.
4. 1x auswaschen mit Aqua dest. .
5. Acriflavinlösung (differenzieren bis gerade keine Farbwolken mehr abgehen - Lupenkontrolle) ca.15 Sekunden!!!
6. 2 x auswaschen mit Aqua dest..
7. Nachfärbung Astrablaulösung 1 Minute.
8. Auswaschen mit Aqua dest. bis keine Farbstoffreste auf dem Objektträger verbleiben.
9. Entwässern mit 3x gewechseltem Isopropylalkohol (99,9 %)
10. Einschluss in Euparal.

Ergebnis:
Zellwände blaugrün bis grün, verholzte Zellwände leuchtend rot, Zellwände der äußeren Hypodermis orangerot, Cuticula gelb, Zellwände der innenliegenden Hypodermis tiefrot.
Bei der Betrachtung wird eine Kontrastverbesserung bei Verwendung eines BG 38 Filters (blaugrün, 3mm dick) erreicht.
Fotos: Nikon D5000, Sona alpha 6000

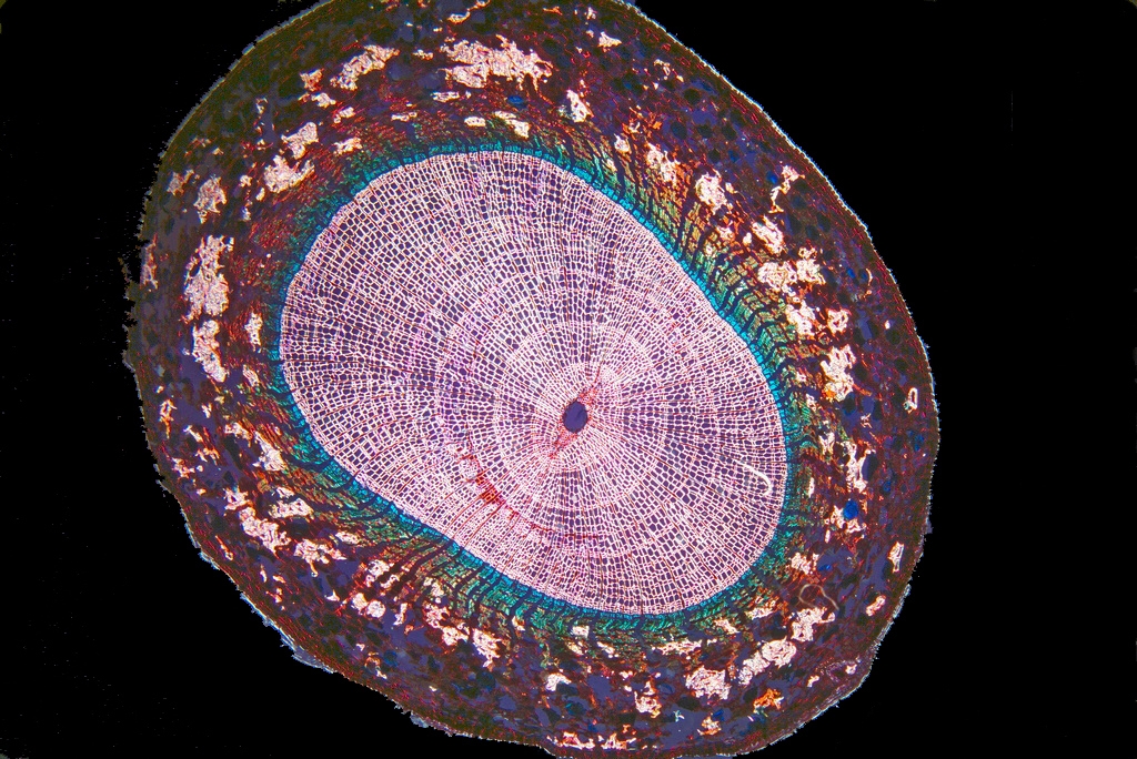
Bild 13 Übersicht, Fichte Picea abies

Wurzel - Jahresringgrenzen

Bild 14 Detailaufnahme, Fichte Picea abies


Bild 15 Detailaufnahme, Fichte Picea abies


Bild 16 Detailaufnahme, Fichte Picea abies


Bild 17 Detailaufnahme, Fichte Picea abies


Bild 18 Auflichtbeleuchtung Fluoreszenz, Fichte Picea abies

LED Modul 455 nm
Reflektormodul FL mit Filtersatz 67
Erregerfilter: BP 470 nm
Strahlenteiler: FT 477 nm
Emission (Sperrfilter): LP 485

Bild 19 Auflichtbeleuchtung Fluoreszenz, Detailaufnahme, Fichte Picea abies

Wurzel - Jahresringgrenzen

Bild 20 Phasenkontrast, Fichte Picea abies


Bild 21 Phasenkontrast. Fichte Picea abies


Bild 22 Phasenkontrast, Fichte Picea abies


Teil 2
Ältere Fichten - Wurzel, Längsschnitt
20 Mikrometer


Bild 23 Aufgeklebte Wurzel, Fichte Picea abies


W-3A-Färbung nach Wacker (Acridinrot-Acriflavin-Astrablau)

Bild 24 Detailaufnahme, Fichte Picea abies


Bild 25 Detailaufnahme, Fichte Picea abies


Bild 26 Detailaufnahme, Fichte Picea abies


Bild 27 Auflichtbeleuchtung Fluoreszenz, Fichte Picea abies


Gemeine Buche Fagus sylvatica
Die Form der Wurzel einer Buche wird Herzwurzel genannt. Sie bildet einen starken Mittelteil, der nach unten wächst. An den Seiten entwickeln sich viele Nebenwurzeln, die mit den Jahren viele Meter überwinden. Sie verlaufen relativ flach unter der Erde.
Es ist nicht ratsam, eine ältere Buche umzupflanzen. Sie hat in den Jahren ein so ausgeprägtes Wurzelwerk gebildet, dass es nicht möglich ist, die Wurzeln unbeschädigt aus dem Boden zu holen. Die Buche würde durch das Umpflanzen eingehen.
Da die Seitenwurzeln einer Buche nur circa 50 bis 70 Zentimeter unter der Erde verlaufen, stellen sie eine Gefahr für Mauerwerk, Straßen und Versorgungsleitungen dar.
Die Wurzeln werden mit der Zeit sehr kräftig und schädigen Gebäude und Mauern, heben Gehwegplatten an und zerdrücken Wasser- und andere Rohre.
Die Buche ist ein typischer Herzwurzler. Sie bildet mehrere nach unten und schräg nach außen laufende Hauptwurzeln und eine hohe Feinwurzeldichte.
Beim Pflanzen der Buche sollte deshalb ein ausreichender Pflanzabstand eingehalten werden, der idealerweise bei circa 15 Metern liegt.
Plants are the true rulers - Pflanzen sind die wahren Herrscher.

<a href="http://www.mikroskopie-forum.de/index.php?topic=2650.0" target="_blank">Hier geht es zur Vorstellung</a>

Gerne per "Du"

Hans-Jürgen Koch

Teil 3
Ältere Buchen - Wurzel, Querschnitt
25 Mikrometer

W-3A-Färbung nach Wacker (Acridinrot-Acriflavin-Astrablau) modifiziert.

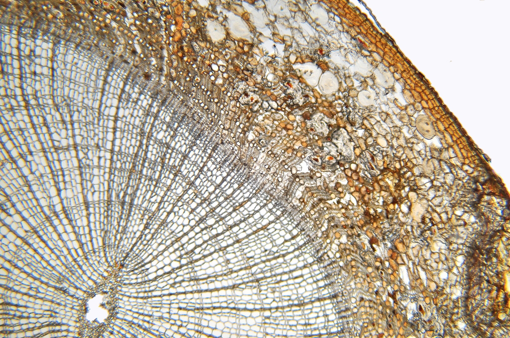
Bild 28 Übersicht, Gemeine Buche Fagus sylvatica


Bild 29 Detailaufnahme, Gemeine Buche Fagus sylvatica


Bild 30 Ausschnitt aus dem Zentrum, Gemeine Buche Fagus sylvatica

MXY = Metaxylem, HK = Harzkanal, MP = Markparenchym

Bild 31 Detailaufnahme, Gemeine Buche Fagus sylvatica


Bild 32 Autofluoreszenz, Detailaufnahme, Gemeine Buche Fagus sylvatica

LED Modul 455 nm
Reflektormodul FL mit Filtersatz 67
Erregerfilter: BP 470 nm
Strahlenteiler: FT 477 nm
Emission (Sperrfilter): LP 485

Bild 33 Autofluoreszenz, Gemeine Buche Fagus sylvatica


Bild 34 Autofluoreszenz, Gemeine Buche Fagus sylvatica


Teil 5
Ältere Buchen - Wurzel, Längsschnitt
20 Mikrometer

W-3A-Färbung nach Wacker (Acridinrot-Acriflavin-Astrablau).

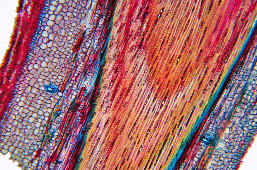
Bild 35 Übersicht, Gemeine Buche Fagus sylvatica


Bild 36 Detailaufnahme, Gemeine Buche Fagus sylvatica


Bild 37 Auflichtbeleuchtung Fluoreszenz, Gemeine Buche Fagus sylvatica


Bild 38 Auflichtbeleuchtung Fluoreszenz, Gemeine Buche Fagus sylvatica


Bild 39 Gegenüberstellung der Fichte und der Buche

Obere Reihe: Querschnitte, untere Reihe Längsschnitte
Foto: H.-J_Koch

Der Aufbau der Wurzel ist äußerst komplex, habe ich die beiden Bilder ( 19 und 30) richtig beschriftet ?

Quellen und weiterführende Informationen:

Wikipedia; Freie Enzyklopädie
Hermann von Gutenberg ,,Lehrbuch der allgemeinen Botanik", 1956
Werner Heiligmann ,,Die Pflanze", 1970
Schmeil ,,Leitfaden der Pflanzenkunde", 1952
Kosmos, ,,Wald & Forst Lexikon", ISBN: 978-3-440-15129-5
,,Das große illustrierte Pflanzenbuch", 1977
,,Meyers Handbuch über Mensch, Tier und Pflanze", 1964

Die Informationen für Beschreibungen werden von mir selbst aus verschiedenen Quellen zusammengetragen. Dabei benutze ich sowohl Bücher als auch Internet Quellen.
Gerne zeige ich euch die schönen Seiten der Pflanzen.
Viele Aufnahmen von einer Pflanze ermöglichen eine umfassende Wahrnehmung.
Es freut mich natürlich sehr, wenn auch euch die Bilder gefallen.
Für konstruktive Kritik bin ich ebenso offen wie für lobende Worte.

Hans-Jürgen

Plants are the true rulers - Pflanzen sind die wahren Herrscher.

<a href="http://www.mikroskopie-forum.de/index.php?topic=2650.0" target="_blank">Hier geht es zur Vorstellung</a>

Gerne per "Du"

Jürgen Boschert

Lieber Hans-Jürgen,

wieder ein wundervolles Leerstück von Dir.

Danke fürs Teilen !
Beste Grüße !

JB

Hans-Jürgen Koch

Lieber Jürgen,

danke für deine Rückmeldung.

Gruß
Hans-Jürgen
Plants are the true rulers - Pflanzen sind die wahren Herrscher.

<a href="http://www.mikroskopie-forum.de/index.php?topic=2650.0" target="_blank">Hier geht es zur Vorstellung</a>

Gerne per "Du"

jcs

Zitat von: Hans-Jürgen Koch in Oktober 30, 2022, 14:26:16 NACHMITTAGS
Im Gegensatz zu anderen Laubbäumen verlieren die Buchen das Laub aber nicht im Herbst. Die Blätter bleiben zum großen Teil während des Winters hängen. Sie sind vertrocknet und haben eine braune Farbe. Erst mit dem Neuaustrieb der Rotbuche fallen die alten Blätter ab.

Hallo Hans-Jürgen,

eine sehr interessante und informative Darstellung! Vom unterirdischen Teil der Pflanzen, der ja genauso wichtig ist wie der oberirdische, sieht man viel zu selten mikroskopische Präparate.

Nachdem ich die letzten beiden Tage 6 große Gartensäcke mit Buchenlaub aus unserem Garten entfernt habe, bin ich mit dem obigen Zitat nicht ganz einverstanden, siehe auch die zwei angehängten Bilder.  Ich denke, das hängt großteils vom Wetter ab (Wind, Regen, Schnee, Temperatur, ..), wann die Blätter der Buche abfallen.

LG

Jürgen

schmidt

Bei Buchen habe ich noch gar nicht drauf geachtet, ich kenne das von Eichen, das die Blätter bis fast zum Neuasutrieb dranbleiben.

Hans-Jürgen, eigentlich solltes Du Deine gesammelten Werke mal zusammengefaßt in irgeneiner Form herausgeben, das sind wirkliche Lehrstücke.

VG
pschmidt
Mikroskope:
Lomo Biolam Ph+; DF; HF-Abbe; Epi HF/DF/Pol; Epi-Fl; //Biolar DIK, IK, Ph variabel+-//
Nikon Eclipse -U  HF; DIK, Ph+, Epi-Fl//
MBS 10

mikrowastl

Hallo Hans-Jürgen,

auch ich schätze Deine wertvollen ,,Kammerstücke" sehr und studiere sie aufmerksam.
Grade auch diese Zusammenfassung über das Wurzelwesen der Pflanze gefällt mir sehr gut - altes und Halbwissen meinerseits wird da mal auf eine schöne, angenehme Art aktualisiert und erweitert.

vielen Dank für diese Preziosen!
Hans
Vorstelllung: https://www.mikroskopie-forum.de/index.php?topic=33417.0
Axiostar plus /Wild M7s
,,Ich vermute inzwischen stark, dass ich doch nichts weiß!"

Rawfoto

Hallo Hans-Jürgen,

Ein toller Beitrag, ich habe ihn heute schon ein paar mal gelesen um die Informationen aufzusammeln.
Das war sicher nicht der letzte Durchgang 😊

Danke & liebe Grüße

Gerhard
Gerhard
http://www.naturfoto-zimmert.at

Rückmeldung sind willkommen, ich bin jederzeit an Weiterentwicklung interessiert, Vorschläge zur Verbesserungen und Varianten meiner eingestellten Bilder sind daher keinerlei Problem für mich ...

Hans-Jürgen Koch

Hallo Jürgen, pschmidt, Hans und Gerhard,

danke für eure lobenden Worte.

@ Jürgen,
Warum fallen Buchenblätter oft erst im Frühjahr?
Die meisten Laubbäume verlieren zum Beispiel im Herbst ihr komplettes Laub. Nicht so die Rotbuche. Hier bleiben auch im Winter viele braune Blätter hängen und fallen erst beim Austrieb der frischen Knospen ab.
Der Blattfall wird bei Bäumen und Sträuchern durch ein Trenngewebe am Ansatz des Blattstiels verursacht. Dieses Gewebe fängt an, sich zu teilen. Die Wände zwischen den Zellen bleiben dünn und zerreißen leicht. Durch den Blattstiel laufen aber auch die Wasserleitelemente, deren Zellen im funktionierenden Blatt bereits tot sind. Aneinandergereiht bilden sie eine Art Wasserrohr. Versucht man, einen Blattstiel zu zerreißen, hat man Fasern in der Hand: die Wasserleitungsbahnen.
Da tote Zellen sich nicht mehr teilen, kann der Wasserleitungsstrang durch das für den Blattfall zuständige Gewebe nicht getrennt werden. Bei vielen Arten erfolgt der Wassertransport deswegen an der Basis des Blattstiels durch wenige lebende Zellen hindurch. Auch kann der Querschnitt der toten Wasserleitungszellen reduziert oder die Leitungsbahnen alle nebeneinander angesetzt sein.
Zitat von Herrn Thomas Stützel, Professor für Spezielle Botanik der Uni Bochum.

@ pschmidt,
einen Beitrag im Mikro-Forum zu veröffentlichen macht mir Spaß.
Ein Buch zu schreiben ist eine ganz andere Hausnummer.
Ich kann mich noch sehr gut an die Doktorarbeit unserer Tochter erinnern. Der Zeitaufwand mit der Druckerei war extrem aufwendig (z.B. Bilder und Tabellen in den Text einzubinden).
Da bleibe ich doch lieber hier im Forum.

Gruß
Hans-Jürgen
Plants are the true rulers - Pflanzen sind die wahren Herrscher.

<a href="http://www.mikroskopie-forum.de/index.php?topic=2650.0" target="_blank">Hier geht es zur Vorstellung</a>

Gerne per "Du"

Fahrenheit

Lieber Hans-Jürgen,

da kann ich mich den Vorschreiben nur anschließen: ein sehr schöner, lehrreicher Text, den zu lesen einfach spaß macht.

Ich habe ihn mal unter Botanik Allgemein gelistet, da er ja artübergreifend ist.

Herzliche Grüße
Jörg
Hier geht's zur Vorstellung: Klick !
Und hier zur Webseite des MKB: Klick !

Arbeitsmikroskop: Leica DMLS
Zum Mitnehmen: Leitz SM
Für draussen: Leitz HM

Wutsdorff Peter

Gutzen Abend  Hans- Jürgen,
wieder einmal ein suuupeer  Hans-Jürgen!
Gratulation!
Bei den Bildern Deiner Schnitte bleibt mir vor Erstaunen immer die Spucke weg Besonders beeindrucken mich immer die Hintergrundinformationen zu den Pflanzen
"Ein Buch zu schreiben,..."
das kann ich an Hand meiner Diss. und anderer Veröffentlichungen  gut nachvollziehen!
  Zitat: "einen Beitrag im Mikro-Forum zu veröffentlichen.."
Aber wie wäre es, wenn Du oder ein Experte im Forum nur Deine Beiträge in einem separaten Ordner (oder wie man das nennen kann) veröffentlichen könntest.
Deine Beiträge zeichnen sich durch Umfang und Niveau aus.
Damit will ich natürlich nicht die anderen bot. Beiträge schmälern.
Gruß Peter

Hans-Jürgen Koch

Hallo Peter,

danke für dein Lob. Es freut mich, wenn dir meine Beiträge gefallen.

In der Linkliste sind alle "Botanischen" Threads im Forum gelistet.
https://www.mikroskopie-forum.de/index.php?topic=21220.0

Gruß
Hans-Jürgen
Plants are the true rulers - Pflanzen sind die wahren Herrscher.

<a href="http://www.mikroskopie-forum.de/index.php?topic=2650.0" target="_blank">Hier geht es zur Vorstellung</a>

Gerne per "Du"

Wutsdorff Peter

Grüß´ Dich Hans-Jürgen,
dieser Faden ist mir bekannt.
Ich schlage vor, daß Du (oder wer auch immer) einen Faden nur mit Deinen Beiträgen öffnest.
Oder gibt es eine Tastenkombination mit der ich alle Deine Beiträge aufgelistet bekomme?
Gruß Peter

Wutsdorff Peter

Guten Abend Hans-Jürgen und verehrte Forstexperten,
z.Zt. lese ich das neueste Buch von Peter Wohlleben: "Der lange Atem der Bäume"
Dort wird auch über das Wurzelsystem der B. berichtet.
Gruß Peter