Was kann ich nun erwarten, wenn ich einen Nylonfilter kaufe?

Begonnen von Clemens1, August 25, 2023, 13:55:49 NACHMITTAGS

Vorheriges Thema - Nächstes Thema

Clemens1

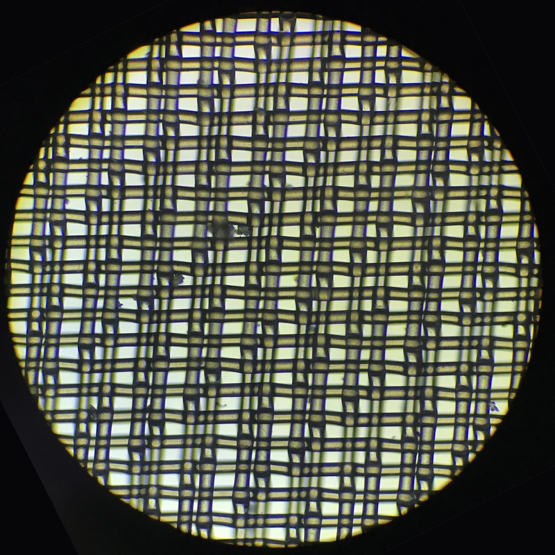
Ich habe im Internet 1 x 1 Meter Nylon-Filtertuch 400 Mesh bestellt.
Laut dieser Quelle sollte die Fadenstärke 30 µm und die Löcher 38 µm betragen.

Ich messe das bestellte Filtertuch mit einem Mikrometer und messe
Fadendicke 40 µm
Löcher maximal 70 µm.
Löcher mindestens 19 µm.
Also im Durchschnitt Löcher etwa 45 µm

Der Durchschnitt liegt einigermaßen in der Größenordnung dessen, was ich bestellt habe. Aber zwischen den Löchern gibt es mehr als Faktor 3 Größenunterschied. Ich denke, die Größentoleranz ist sehr hoch.
Was kann ich nun erwarten, wenn ich einen Nylonfilter kaufe?


jochen53

Hallo,
Angaben über Porengrößen stellen immer einen, wie auch immer definierten, Wert aus einer statistischen Größenverteilung dar. Einen (bezahlbaren) Filter mit ideal runden, gleich großen Poren gibt es nicht. Und ideale, gleich große, kugelförmige Partikel gibt es schon gleich gar nicht.
Jochen

Clemens1

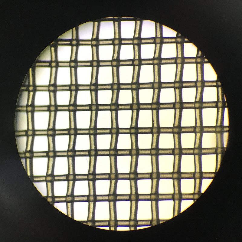
Das 120-µm-Nylongewebe, das ich gekauft habe, ist viel gleichmäßiger und gut dimensioniert.


Rene

Hallo Clemens,

Ik heb een paar jaar geleden een stukje voor de Microwereld geschreven over planktongaas, hierbij aangehangen als pdf.
Er is natuurlijk planktonnetgaas en 'niet specifiek voor plankton' gaas, maar zeven zijn nooit voor kwantiatief werk bedoeld.

Groet, René

Bob